Benvenuto Ospite

Forum Entomologi Italiani

www.entomologiitaliani.net/forum
 
Oggi è 24/10/2025, 20:56

Tutti gli orari sono UTC + 1 ora [ ora legale ]

Filtro località

Filtro località

In questo pannello è possibile effettuare delle ricerche mirate in base alle località inserite nel forum.

Statistiche

Statistiche
In totale ci sono 89542 taxa:
- 85643 taxa con dati completi
- 2724 taxa con dati parziali, riconducibili ad un paese
- 1175 taxa con dati incompleti


escludi dalla ricerca i subforum
Distribuzione in Europa
Distribuzione in Italia
Filtro applicato: ITALIA - Lazio

Pagina 1 di 1 [ 13 messaggi ]

# A B C D E F G H I J K L M N O P Q R S T U V W X Y Z
 Argomenti   Autore   Risposte   Visite    Ultimo messaggio 
Bothriophorus atomus Mulsant & Rey, 1852 - Limnichidae
18.IX.1994 - ITALIA - Lazio - RM, Ladispoli loc. Torre Flavia
Allegato(i)
Bothriophorus atomus Mulsant & Rey, 1852 - Limnichidae

in Byrrhoidea


Dati di raccolta: 18.IX.1994 - ITALIA - Lazio - RM, Ladispoli loc. Torre Flavia

giuseppe55

3

1742

30/04/2020, 19:39

giuseppe55 Vedi ultimo messaggio

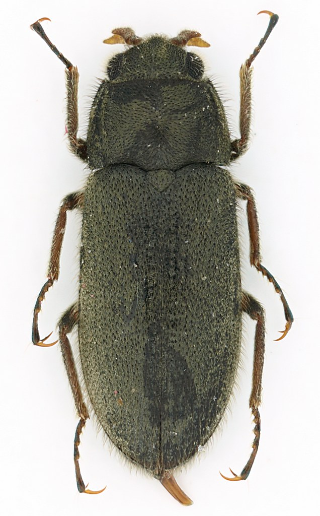
Byrrhus (Byrrhus) pustulatus pustulatus (Forster, 1771) - Byrrhidae
20.VI.2014 - ITALIA - Lazio - RI, Monte Giano, 1.540 m
Allegato(i)
Byrrhus (Byrrhus) pustulatus pustulatus (Forster, 1771) - Byrrhidae

in Byrrhidae


Dati di raccolta: 20.VI.2014 - ITALIA - Lazio - RI, Monte Giano, 1.540 m

Valerio

6

1572

29/11/2020, 11:53

lestes Vedi ultimo messaggio

Byrrhus (Byrrhus) pustulatus pustulatus (Forster, 1771) - Byrrhidae
9.VII.2006 - ITALIA - Lazio - FR, Monte viglio, Serra Sant'Antonio. 1.900 m
Allegato(i)
Byrrhus (Byrrhus) pustulatus pustulatus (Forster, 1771) - Byrrhidae

in Byrrhidae


Dati di raccolta: 9.VII.2006 - ITALIA - Lazio - FR, Monte viglio, Serra Sant'Antonio. 1.900 m

Valerio

9

2211

18/04/2020, 19:59

Valerio Vedi ultimo messaggio

Curimopsis sp. - Byrrhidae
17.X.2020 - ITALIA - Lazio - RM, Segni, dint. di Monte Lupone, 1040 m
Allegato(i)
Curimopsis sp. - Byrrhidae

in Byrrhidae


Dati di raccolta: 17.X.2020 - ITALIA - Lazio - RM, Segni, dint. di Monte Lupone, 1040 m

Julodis

3

667

14/11/2020, 21:14

Chalybion Vedi ultimo messaggio

Dryopidae - Lazio
17.III.2011 - ITALIA - Lazio - RM, Lido di Maccarese
Allegato(i)
Dryopidae - Lazio

in Dryopidae


Dati di raccolta: 17.III.2011 - ITALIA - Lazio - RM, Lido di Maccarese

Julodis

0

802

02/04/2011, 21:00

Julodis Vedi ultimo messaggio

Dryopidae sp. - Lazio
14.III.2011 - ITALIA - Lazio - RM, Roma, Via di Settebagni
Allegato(i)
Dryopidae sp. - Lazio

in Dryopidae


Dati di raccolta: 14.III.2011 - ITALIA - Lazio - RM, Roma, Via di Settebagni

Julodis

0

834

19/03/2011, 23:21

Julodis Vedi ultimo messaggio

Dryops sp. - Dryopidae
14.II.2011 - ITALIA - Lazio - RM, Bosco di Nettuno
Allegato(i)
Dryops sp. - Dryopidae

in Dryopidae


Dati di raccolta: 14.II.2011 - ITALIA - Lazio - RM, Bosco di Nettuno

Julodis

0

904

16/02/2011, 0:01

Julodis Vedi ultimo messaggio

Dryops sp. - Dryopidae
17.II.2017 - ITALIA - Lazio - RM, Parco dell'Inviolata
Allegato(i)
Dryops sp. - Dryopidae

in Dryopidae


Dati di raccolta: 17.II.2017 - ITALIA - Lazio - RM, Parco dell'Inviolata

Edo

3

1352

18/02/2017, 19:47

Edo Vedi ultimo messaggio

Elmis sp. - Elmidae
21.IV.2010 - ITALIA - Lazio - RM, Ienne 480 mt
Allegato(i)
Elmis sp. - Elmidae

in Elmidae


Dati di raccolta: 21.IV.2010 - ITALIA - Lazio - RM, Ienne 480 mt

Julodis

4

1475

25/04/2010, 18:36

Julodis Vedi ultimo messaggio

Heterocerus sp. - Heteroceridae
30.X.2016 - ITALIA - Lazio - RM, Parco dell'Inviolata
Allegato(i)
Heterocerus sp. - Heteroceridae

in Heteroceridae


Dati di raccolta: 30.X.2016 - ITALIA - Lazio - RM, Parco dell'Inviolata

Edo

7

2519

08/11/2016, 8:23

Edo Vedi ultimo messaggio

Pelochares versicolor (Waltl, 1838) - Limnichidae
IX.2020 - ITALIA - Lazio - FR, Posta Fibreno
Allegato(i)
Pelochares versicolor (Waltl, 1838) - Limnichidae

in Byrrhoidea


Dati di raccolta: IX.2020 - ITALIA - Lazio - FR, Posta Fibreno

soken

4

1236

24/09/2020, 23:13

soken Vedi ultimo messaggio

Pomatinus substriatus (Ph. Müller, 1806) - Dryopidae
22.VI.1997 - ITALIA - Lazio - RM, Pontegaleria, Roma
Allegato(i)
Pomatinus substriatus (Ph. Müller, 1806) - Dryopidae

in Dryopidae


Dati di raccolta: 22.VI.1997 - ITALIA - Lazio - RM, Pontegaleria, Roma

aesalus37

2

1140

12/12/2014, 7:30

aesalus37 Vedi ultimo messaggio

Stenelmis sp. - Elmidae
2.IX.2012 - ITALIA - Lazio - RM, Maccarese
Allegato(i)
Stenelmis sp. - Elmidae

in Elmidae


Dati di raccolta: 2.IX.2012 - ITALIA - Lazio - RM, Maccarese

Julodis

11

2403

05/09/2012, 16:10

Mimmo011 Vedi ultimo messaggio


Inserisci un link per questa ricerca

Inserisci un link per questa ricerca URL
BBCode
HTML
Vai a: