Benvenuto Ospite

Forum Entomologi Italiani

www.entomologiitaliani.net/forum
 
Oggi è 11/11/2025, 13:43

Tutti gli orari sono UTC + 1 ora [ ora legale ]

Filtro località

Filtro località

In questo pannello è possibile effettuare delle ricerche mirate in base alle località inserite nel forum.

Statistiche

Statistiche
In totale ci sono 89611 taxa:
- 85703 taxa con dati completi
- 2729 taxa con dati parziali, riconducibili ad un paese
- 1179 taxa con dati incompleti


escludi dalla ricerca i subforum
Distribuzione in Europa
Distribuzione in Italia
Filtro applicato: ITALIA - Abruzzo

Pagina 1 di 1 [ 4 messaggi ]

# A B C D E F G H I J K L M N O P Q R S T U V W X Y Z
 Argomenti   Autore   Risposte   Visite    Ultimo messaggio 
Allegato(i)
Anthaxia (Cratomerus) hungarica (Scopoli, 1772) - Buprestidae predata da Rhynocoris (Rhynocoris) erythropus (Linnaeus, 1767) - Reduviidae

in Reduviidae


Dati di raccolta: 17.V.2017 - ITALIA - Abruzzo - AQ, Roccacasale

Julodis

6

2189

18/05/2017, 11:15

Entomarci Vedi ultimo messaggio

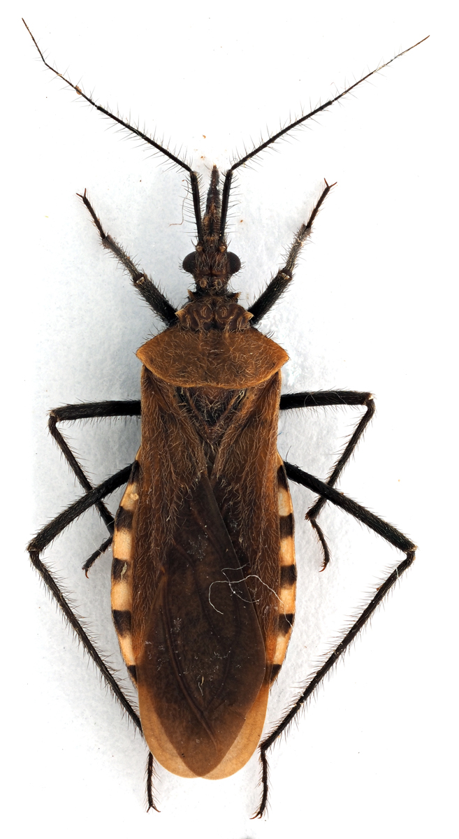
Holotrichius denudatus A. Costa, 1842 - Reduviidae
31.V.2015 - ITALIA - Abruzzo - PE, Colle della Cività, Roccamorice
Allegato(i)
Holotrichius denudatus A. Costa, 1842 - Reduviidae

in Reduviidae


Dati di raccolta: 31.V.2015 - ITALIA - Abruzzo - PE, Colle della Cività, Roccamorice

StagBeetle

3

1147

24/08/2015, 16:06

marsal Vedi ultimo messaggio

Rhynocoris iracundus (Poda, 1761) (cf.) - Reduviidae
5.VIII.2024 - ITALIA - Abruzzo - PE, Sant'Eufemia a Maiella
Allegato(i)
Rhynocoris iracundus (Poda, 1761) (cf.) - Reduviidae

in Reduviidae


Dati di raccolta: 5.VIII.2024 - ITALIA - Abruzzo - PE, Sant'Eufemia a Maiella

Syrio

2

778

27/08/2024, 22:25

Syrio Vedi ultimo messaggio

Rhynocoris sp. - Reduviidae - Abruzzo
10.IV.2011 - ITALIA - Abruzzo - AQ, Valle del Salto, dintorni uscita A24, 830 m
Allegato(i)
Rhynocoris sp. - Reduviidae - Abruzzo

in Reduviidae


Dati di raccolta: 10.IV.2011 - ITALIA - Abruzzo - AQ, Valle del Salto, dintorni uscita A24, 830 m

Julodis

1

731

11/04/2011, 8:46

gigi58 Vedi ultimo messaggio


Inserisci un link per questa ricerca

Inserisci un link per questa ricerca URL
BBCode
HTML
Vai a: