Benvenuto Ospite

Forum Entomologi Italiani

www.entomologiitaliani.net/forum
 
Oggi è 11/11/2025, 13:35

Tutti gli orari sono UTC + 1 ora [ ora legale ]

Filtro località

Filtro località

In questo pannello è possibile effettuare delle ricerche mirate in base alle località inserite nel forum.

Statistiche

Statistiche
In totale ci sono 89611 taxa:
- 85703 taxa con dati completi
- 2729 taxa con dati parziali, riconducibili ad un paese
- 1179 taxa con dati incompleti


escludi dalla ricerca i subforum
Distribuzione in Europa
Distribuzione in Italia
Filtro applicato: VENEZUELA

Pagina 1 di 1 [ 4 messaggi ]

# A B C D E F G H I J K L M N O P Q R S T U V W X Y Z
 Argomenti   Autore   Risposte   Visite    Ultimo messaggio 
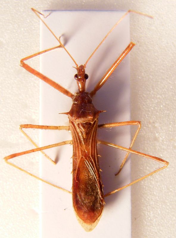
Apiomerus venezuelensis Costa Lima, Campos Seabra & Hathaway, 1951 - Reduviidae
30.XII.2001 - VENEZUELA - EE, E.do Mérida, strada Estanquez-Molino, 1900 m
Allegato(i)
Apiomerus venezuelensis Costa Lima, Campos Seabra & Hathaway, 1951 - Reduviidae

in Reduviidae


Dati di raccolta: 30.XII.2001 - VENEZUELA - EE, E.do Mérida, strada Estanquez-Molino, 1900 m

Chalybion

1

1532

22/02/2018, 20:13

Dioli Vedi ultimo messaggio

Reduviide sp.
6.I.2002 - VENEZUELA - EE, e.do Aragua, PN H.Pittier, 1200 m foresta nublada
Allegato(i)
Reduviide sp.

in Reduviidae


Dati di raccolta: 6.I.2002 - VENEZUELA - EE, e.do Aragua, PN H.Pittier, 1200 m foresta nublada

Chalybion

0

587

24/03/2014, 10:01

Chalybion Vedi ultimo messaggio

Reduviide sp.
21.VII.1995 - VENEZUELA - EE, E.do Miranda, PN Guatopo
Allegato(i)
Reduviide sp.

in Reduviidae


Dati di raccolta: 21.VII.1995 - VENEZUELA - EE, E.do Miranda, PN Guatopo

Chalybion

0

782

25/03/2014, 10:01

Chalybion Vedi ultimo messaggio

Ricolla sp. (cf.) - Reduviidae
30.VI.1991 - VENEZUELA - EE, El Encantado (Aragua) - 1000 mt - leg. P. Rouche
Allegato(i)
Ricolla sp. (cf.) - Reduviidae

in Reduviidae


Dati di raccolta: 30.VI.1991 - VENEZUELA - EE, El Encantado (Aragua) - 1000 mt - leg. P. Rouche

Palaemonetes

0

662

29/07/2015, 18:55

Palaemonetes Vedi ultimo messaggio


Inserisci un link per questa ricerca

Inserisci un link per questa ricerca URL
BBCode
HTML
Vai a: