Login
Benvenuto Ospite
Forum Entomologi Italiani
www.entomologiitaliani.net/forum
HOME
COMUNICAZIONI
SEZIONE GENERALE
SEZIONE SISTEMATICA
SEZIONE AMBIENTI
SEZIONE BIBLIOGRAFICA
Filtro località
Checklist
Cerca
FAQ
Nome utente:
Password:
Messaggi senza risposta
|
Argomenti attivi
Oggi è 11/11/2025, 16:12
Indice
Tutti gli orari sono UTC + 1 ora [
ora legale
]
Filtro località
In questo pannello è possibile effettuare delle ricerche mirate in base alle località inserite nel forum.
Statistiche
In totale ci sono
89611
taxa:
-
85703
taxa con dati completi
-
2729
taxa con dati parziali, riconducibili ad un paese
-
1179
taxa con dati incompleti
Sezione sistematica
Nuove richieste di determinazione o di conferma
Discussioni non ancora inserite nei forum sistematici
Messaggi che non hanno avuto alcuna risposta
Ephemeroptera, Plecoptera, Trichoptera
Ephemeroptera
Plecoptera
Trichoptera
Odonata
Aeshnidae
Calopterygidae
Coenagrionidae
Cordulegastridae
Corduliidae
Euphaeidae
Gomphidae
Lestidae
Libellulidae
Platycnemididae
Orthoptera
Acrididae
Gryllidae
Gryllotalpidae
Mogoplistidae
Myrmecophilidae
Pamphagidae
Phaneropteridae
Raphidophoridae
Tettigoniidae
Tetrigidae
Altre famiglie
Mantodea, Blattaria, Isoptera, Phasmatodea, Dermaptera, Embioptera
Blattaria
Dermaptera
Embioptera
Isoptera
Mantodea
Phasmatodea
Hemiptera Heteroptera
Acanthosomatidae
Alydidae
Anthocoridae
Aradidae
Belostomatidae
Berytidae
Coreidae
Corixidae
Cydnidae
Gerridae
Lygaeidae
Miridae
Nabidae
Nepidae
Pentatomidae
Pyrrhocoridae
Reduviidae
Rhopalidae
Scutelleridae
Tingidae
Veliidae
Altre famiglie
Hemiptera Auchenorrhyncha
Aphrophoridae
Cercopidae
Cicadellidae
Cicadidae
Cixiidae
Delphacidae
Issidae
Membracidae
Altre Famiglie
Hemiptera Sternorrhyncha
Aleyrodoidea
Aphidoidea
Coccoidea
Psylloidea
Mecoptera
Megaloptera
Neuroptera
Ascalaphidae
Chrysopidae
Hemerobiidae
Mantispidae
Myrmeleontidae
Raphidioptera
Diptera
Anisopoidea
Anisopodidae
Asiloidea
Asilidae
Bombyliidae
Therevidae
Bibionoidea
Bibionidae
Carnoidea
Chloropidae
Chironomoidea
Ceratopogonidae
Chironomidae
Simuliidae
Conopoidea
Conopidae
Culicoidea
Culicidae
Empidoidea
Dolichopodidae
Empididae
Hybotidae
Ephydroidea
Drosophilidae
Ephydridae
Hippoboscoidea
Hippoboscidae
Lauxanioidea
Lauxaniidae
Muscoidea
Anthomyiidae
Fanniidae
Muscidae
Scathophagidae
Nemestrinoidea
Acroceridae
Nerioidea
Micropezidae
Oestroidea
Calliphoridae
Oestridae
Rhinophoridae
Sarcophagidae
Tachinidae
Opomyzoidea
Agromyzidae
Opomyzidae
Psychodoidea
Psychodidae
Sciaroidea
Cecidomyiidae
Keroplatidae
Mycetophilidae
Sciaridae
Sciomyzoidea
Sciomyzidae
Sepsidae
Sphaeroceroidea
Heleomyzidae
Stratiomyoidea
Stratiomyidae
Syrphoidea
Pipunculidae
Syrphidae
Tabanoidea
Rhagionidae
Tabanidae
Vermileonidae
Tephritoidea
Pallopteridae
Platystomatidae
Tephritidae
Ulidiidae
Tipuloidea
Limoniidae
Tipulidae
Trichoceroidea
Trichoceridae
Hymenoptera Symphyta
Argidae
Cephidae
Cimbicidae
Megalodontesidae
Orussidae
Pamphiliidae
Siricidae
Tenthredinidae
Xyelidae
Hymenoptera Apocrita
Apoidea
Andrenidae
Apidae
Apidae indeterminati
Colletidae
Crabronidae
Crabronidae indeterminati
Halictidae
Megachilidae
Megachilidae indeterminati
Melittidae
Sphecidae
Sphecidae indeterminati
Chalcidoidea
Chalcididae
Encyrtidae
Eulophidae
Eupelmidae
Leucospididae
Pteromalidae
Torymidae
Chrysidoidea
Bethylidae
Chrysididae
Chrysididae indeterminati
Cynipoidea
Cynipidae
Evanioidea
Evaniidae
Gasteruptiidae
Ichneumonoidea
Braconidae
Ichneumonidae
Ichneumonidae indeterminati
Platygastroidea
Proctotrupoidea
Vespoidea
Formicidae
Formicidae indeterminati
Mutillidae
Mutillidae indeterminati
Pompilidae
Pompilidae indeterminati
Scoliidae
Scoliidae indeterminati
Tiphiidae
Vespidae
Vespidae indeterminati
Coleoptera
Bostrichoidea
Anobiidae
Bostrichidae
Dermestidae
Buprestoidea
Buprestidae indeterminati
Byrrhoidea
Byrrhidae
Dryopidae
Elmidae
Heteroceridae
Caraboidea
Carabidae
Carabidae indeterminati
Dytiscidae
Gyrinidae
Haliplidae
Hygrobiidae
Noteridae
Rhysodidae
Cleroidea
Cleridae
Dasytidae
Malachiidae
Melyridae
Trogossitidae
Chrysomeloidea
Cerambycidae
Chrysomelidae
Chrysomelidae indeterminati
Cucujoidea
Bothrideridae
Byturidae
Cerylonidae
Coccinellidae
Corylophidae
Cryptophagidae
Cucujidae
Endomychidae
Erotylidae
Laemophloeidae
Latridiidae
Monotomidae
Nitidulidae
Phalacridae
Silvanidae
Curculionoidea
Anthribidae
Apionidae
Attelabidae
Brachyceridae
Brentidae
Curculionidae
Curculionidae indeterminati
Dryophthoridae
Erirhinidae
Nanophyidae
Rhynchitidae
Dascilloidea
Elateroidea
Cantharidae
Drilidae
Elateridae
Eucnemidae
Lampyridae
Lycidae
Throscidae
Hydrophiloidea
Helophoridae
Histeridae
Histeridae indeterminati
Hydrophilidae
Hydrophilidae indeterminati
Scarabaeoidea
Aphodiidae
Bolboceratidae
Cetoniidae
Dynastidae
Geotrupidae
Glaphyridae
Glaresidae
Hybosoridae
Lucanidae
Melolonthidae
Ochodaeidae
Orphnidae
Pachypodidae
Passalidae
Rutelidae
Scarabaeidae
Trogidae
Scirtoidea
Staphylinoidea
Hydraenidae
Leiodidae
Ptiliidae
Silphidae
Staphylinidae
Staphylinidae indeterminati
Staphylinidae Pselaphinae
Staphylinidae Scydmaeninae
Tenebrionoidea
Aderidae
Anthicidae
Ciidae
Melandryidae
Meloidae
Mordellidae
Mycetophagidae
Mycteridae
Oedemeridae
Pyrochroidae
Ripiphoridae
Salpingidae
Scraptiidae
Tenebrionidae
Tenebrionidae indeterminati
Zopheridae
Lepidoptera
Adeloidea
Adelidae
Alucitoidea
Alucitidae
Bombycoidea
Bombycidae
Brahmaeidae
Endromidae
Eupterotidae
Saturniidae
Sphingidae
Choreutoidea
Choreutidae
Cossoidea
Castniidae
Cossidae
Sesiidae
Drepanoidea
Drepanidae
Epermenioidea
Epermeniidae
Gelechioidea
Autostichidae
Blastobasidae
Chimabachidae
Coleophoridae
Cosmopterigidae
Elachistidae
Gelechiidae
Lecithoceridae
Oecophoridae
Peleopodidae
Scythrididae
Geometroidea
Geometridae
Gracillarioidea
Gracillariidae
Hepialoidea
Hepialidae
Hesperioidea
Hesperiidae
Lasiocampoidea
Lasiocampidae
Micropterigoidea
Micropterigidae
Noctuoidea
Erebidae
Erebidae Arctiinae
Erebidae Lymantriinae
Noctuidae
Nolidae
Notodontidae
Papilionoidea
Lycaenidae
Nymphalidae
Nymphalidae Satyrinae
Papilionidae
Pieridae
Riodinidae
Pterophoroidea
Pterophoridae
Pyraloidea
Crambidae
Pyralidae
Thyridoidea
Thyrididae
Tineoidea
Psychidae
Tineidae
Tortricoidea
Tortricidae
Yponomeutoidea
Glyphipterigidae
Plutellidae
Yponomeutidae
Ypsolophidae
Zygaenoidea
Heterogynidae
Limacodidae
Megalopygidae
Zygaenidae
Altre famiglie
Altri ordini di insetti
Psocoptera
Siphonaptera
Strepsiptera
Thysanoptera
Tisanura
Altri Artropodi
Arachnida
Acari
Araneae
Opiliones
Pseudoscorpiones
Scorpiones
Altri Ordini
Crustacea
"Entognatha" (Collembola, Diplura)
"Myriapoda" (Chilopoda, Diplopoda...)
Insetti fossili
escludi dalla ricerca i subforum
Filtro applicato:
GERMANIA
Pagina
1
di
1
[ 1 messaggio ]
#
A
B
C
D
E
F
G
H
I
J
K
L
M
N
O
P
Q
R
S
T
U
V
W
X
Y
Z
Argomenti
Autore
Risposte
Visite
Ultimo messaggio
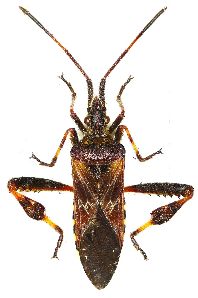
Leptoglossus occidentalis Heidemann, 1910 - Coreidae
26.IX.2015 - GERMANIA - EE, Northeim
Leptoglossus occidentalis Heidemann, 1910 - Coreidae
in
Coreidae
Dati di raccolta:
26.IX.2015 - GERMANIA - EE, Northeim
gstalker
2
1093
30/09/2015, 9:18
gstalker
Inserisci un link per questa ricerca
URL
BBCode
HTML
Vai a:
Seleziona il forum
------------------
Scopi e finalità
Primo ingresso
Sezione generale
Entomologia generale
Morfologia illustrata degli insetti
Tavole di entomologia elementare
Domande e... risposte
Entomologia domestica
Glossario entomologico
Il Codice Internazionale di Nomenclatura Zoologica
La ricerca entomologica in Italia: appunti, biografie, bibliografie dei cultori italiani di entomologia
Scambi epistolari fra entomologi: cartoline e lettere dal passato
L'illustrazione entomologica
Iconografia entomologica fino al 1699
Iconografia entomologica dal 1700 al 1799
Iconografia entomologica dal 1800 al 1849
Iconografia entomologica dal 1850 al 1899
Iconografia entomologica dal 1900 al 1949
Dal 1950 ai giorni nostri: disegnatori e illustratori contemporanei
L'illustrazione a carattere entomologico nella produzione filatelica
L'illustrazione e la raffigurazione degli insetti nelle opere non entomologiche
Tecniche e metodologie
Risorse bibliografiche e nel web
Sistemi di allevamento
Sistemi di raccolta
Tecniche fotografiche e microscopia
Tecniche di preparazione e conservazione
Sezione sistematica
Nuove richieste di determinazione o di conferma
Discussioni non ancora inserite nei forum sistematici
Messaggi che non hanno avuto alcuna risposta
Ephemeroptera, Plecoptera, Trichoptera
Ephemeroptera
Plecoptera
Trichoptera
Odonata
Aeshnidae
Calopterygidae
Coenagrionidae
Cordulegastridae
Corduliidae
Euphaeidae
Gomphidae
Lestidae
Libellulidae
Platycnemididae
Orthoptera
Acrididae
Gryllidae
Gryllotalpidae
Mogoplistidae
Myrmecophilidae
Pamphagidae
Phaneropteridae
Raphidophoridae
Tettigoniidae
Tetrigidae
Altre famiglie
Mantodea, Blattaria, Isoptera, Phasmatodea, Dermaptera, Embioptera
Blattaria
Dermaptera
Embioptera
Isoptera
Mantodea
Phasmatodea
Hemiptera Heteroptera
Acanthosomatidae
Alydidae
Anthocoridae
Aradidae
Belostomatidae
Berytidae
Coreidae
Corixidae
Cydnidae
Gerridae
Lygaeidae
Miridae
Nabidae
Nepidae
Pentatomidae
Pyrrhocoridae
Reduviidae
Rhopalidae
Scutelleridae
Tingidae
Veliidae
Altre famiglie
Hemiptera Auchenorrhyncha
Aphrophoridae
Cercopidae
Cicadellidae
Cicadidae
Cixiidae
Delphacidae
Issidae
Membracidae
Altre Famiglie
Hemiptera Sternorrhyncha
Aleyrodoidea
Aphidoidea
Coccoidea
Psylloidea
Mecoptera
Megaloptera
Neuroptera
Ascalaphidae
Chrysopidae
Hemerobiidae
Mantispidae
Myrmeleontidae
Raphidioptera
Diptera
Anisopoidea
Anisopodidae
Asiloidea
Asilidae
Bombyliidae
Therevidae
Bibionoidea
Bibionidae
Carnoidea
Chloropidae
Chironomoidea
Ceratopogonidae
Chironomidae
Simuliidae
Conopoidea
Conopidae
Culicoidea
Culicidae
Empidoidea
Dolichopodidae
Empididae
Hybotidae
Ephydroidea
Drosophilidae
Ephydridae
Hippoboscoidea
Hippoboscidae
Lauxanioidea
Lauxaniidae
Muscoidea
Anthomyiidae
Fanniidae
Muscidae
Scathophagidae
Nemestrinoidea
Acroceridae
Nerioidea
Micropezidae
Oestroidea
Calliphoridae
Oestridae
Rhinophoridae
Sarcophagidae
Tachinidae
Opomyzoidea
Agromyzidae
Opomyzidae
Psychodoidea
Psychodidae
Sciaroidea
Cecidomyiidae
Keroplatidae
Mycetophilidae
Sciaridae
Sciomyzoidea
Sciomyzidae
Sepsidae
Sphaeroceroidea
Heleomyzidae
Stratiomyoidea
Stratiomyidae
Syrphoidea
Pipunculidae
Syrphidae
Tabanoidea
Rhagionidae
Tabanidae
Vermileonidae
Tephritoidea
Pallopteridae
Platystomatidae
Tephritidae
Ulidiidae
Tipuloidea
Limoniidae
Tipulidae
Trichoceroidea
Trichoceridae
Hymenoptera Symphyta
Argidae
Cephidae
Cimbicidae
Megalodontesidae
Orussidae
Pamphiliidae
Siricidae
Tenthredinidae
Xyelidae
Hymenoptera Apocrita
Apoidea
Andrenidae
Apidae
Apidae indeterminati
Colletidae
Crabronidae
Crabronidae indeterminati
Halictidae
Megachilidae
Megachilidae indeterminati
Melittidae
Sphecidae
Sphecidae indeterminati
Chalcidoidea
Chalcididae
Encyrtidae
Eulophidae
Eupelmidae
Leucospididae
Pteromalidae
Torymidae
Chrysidoidea
Bethylidae
Chrysididae
Chrysididae indeterminati
Cynipoidea
Cynipidae
Evanioidea
Evaniidae
Gasteruptiidae
Ichneumonoidea
Braconidae
Ichneumonidae
Ichneumonidae indeterminati
Platygastroidea
Proctotrupoidea
Vespoidea
Formicidae
Formicidae indeterminati
Mutillidae
Mutillidae indeterminati
Pompilidae
Pompilidae indeterminati
Scoliidae
Scoliidae indeterminati
Tiphiidae
Vespidae
Vespidae indeterminati
Coleoptera
Bostrichoidea
Anobiidae
Bostrichidae
Dermestidae
Buprestoidea
Buprestidae indeterminati
Byrrhoidea
Byrrhidae
Dryopidae
Elmidae
Heteroceridae
Caraboidea
Carabidae
Carabidae indeterminati
Dytiscidae
Gyrinidae
Haliplidae
Hygrobiidae
Noteridae
Rhysodidae
Cleroidea
Cleridae
Dasytidae
Malachiidae
Melyridae
Trogossitidae
Chrysomeloidea
Cerambycidae
Chrysomelidae
Chrysomelidae indeterminati
Cucujoidea
Bothrideridae
Byturidae
Cerylonidae
Coccinellidae
Corylophidae
Cryptophagidae
Cucujidae
Endomychidae
Erotylidae
Laemophloeidae
Latridiidae
Monotomidae
Nitidulidae
Phalacridae
Silvanidae
Curculionoidea
Anthribidae
Apionidae
Attelabidae
Brachyceridae
Brentidae
Curculionidae
Curculionidae indeterminati
Dryophthoridae
Erirhinidae
Nanophyidae
Rhynchitidae
Dascilloidea
Elateroidea
Cantharidae
Drilidae
Elateridae
Eucnemidae
Lampyridae
Lycidae
Throscidae
Hydrophiloidea
Helophoridae
Histeridae
Histeridae indeterminati
Hydrophilidae
Hydrophilidae indeterminati
Scarabaeoidea
Aphodiidae
Bolboceratidae
Cetoniidae
Dynastidae
Geotrupidae
Glaphyridae
Glaresidae
Hybosoridae
Lucanidae
Melolonthidae
Ochodaeidae
Orphnidae
Pachypodidae
Passalidae
Rutelidae
Scarabaeidae
Trogidae
Scirtoidea
Staphylinoidea
Hydraenidae
Leiodidae
Ptiliidae
Silphidae
Staphylinidae
Staphylinidae indeterminati
Staphylinidae Pselaphinae
Staphylinidae Scydmaeninae
Tenebrionoidea
Aderidae
Anthicidae
Ciidae
Melandryidae
Meloidae
Mordellidae
Mycetophagidae
Mycteridae
Oedemeridae
Pyrochroidae
Ripiphoridae
Salpingidae
Scraptiidae
Tenebrionidae
Tenebrionidae indeterminati
Zopheridae
Lepidoptera
Adeloidea
Adelidae
Alucitoidea
Alucitidae
Bombycoidea
Bombycidae
Brahmaeidae
Endromidae
Eupterotidae
Saturniidae
Sphingidae
Choreutoidea
Choreutidae
Cossoidea
Castniidae
Cossidae
Sesiidae
Drepanoidea
Drepanidae
Epermenioidea
Epermeniidae
Gelechioidea
Autostichidae
Blastobasidae
Chimabachidae
Coleophoridae
Cosmopterigidae
Elachistidae
Gelechiidae
Lecithoceridae
Oecophoridae
Peleopodidae
Scythrididae
Geometroidea
Geometridae
Gracillarioidea
Gracillariidae
Hepialoidea
Hepialidae
Hesperioidea
Hesperiidae
Lasiocampoidea
Lasiocampidae
Micropterigoidea
Micropterigidae
Noctuoidea
Erebidae
Erebidae Arctiinae
Erebidae Lymantriinae
Noctuidae
Nolidae
Notodontidae
Papilionoidea
Lycaenidae
Nymphalidae
Nymphalidae Satyrinae
Papilionidae
Pieridae
Riodinidae
Pterophoroidea
Pterophoridae
Pyraloidea
Crambidae
Pyralidae
Thyridoidea
Thyrididae
Tineoidea
Psychidae
Tineidae
Tortricoidea
Tortricidae
Yponomeutoidea
Glyphipterigidae
Plutellidae
Yponomeutidae
Ypsolophidae
Zygaenoidea
Heterogynidae
Limacodidae
Megalopygidae
Zygaenidae
Altre famiglie
Altri ordini di insetti
Psocoptera
Siphonaptera
Strepsiptera
Thysanoptera
Tisanura
Altri Artropodi
Arachnida
Acari
Araneae
Opiliones
Pseudoscorpiones
Scorpiones
Altri Ordini
Crustacea
"Entognatha" (Collembola, Diplura)
"Myriapoda" (Chilopoda, Diplopoda...)
Insetti fossili
Sezione bibliografica
L'informatore entomologico
Novità editoriali e recensioni
La biblioteca di “Entomologi Italiani”
Ephemeroptera, Plecoptera, Trichoptera
Odonata
Orthoptera
Mantodea, Blattaria, Isoptera, Phasmatodea, Dermaptera, Embioptera
Heteroptera
Homoptera
Mecoptera, Megaloptera, Planipennia, Raphidioptera
Diptera
Hymenoptera
Coleoptera
Pubblicazioni di Gianfranco Sama
Lepidoptera
Altri ordini di insetti
Altri Artropodi
Entomologi italiani...nella rete
Siti entomologici nel web
Ephemeroptera, Plecoptera, Trichoptera
Odonata
Orthoptera
Mantodea, Blattaria, Isoptera, Phasmatodea, Dermaptera, Embioptera
Heteroptera
Homoptera
Mecoptera, Megaloptera, Planipennia, Raphidioptera
Diptera
Hymenoptera
Coleoptera
Lepidoptera
Altri ordini di insetti
Altri Artropodi
Sezione ambienti ed entomofaune associate
Ambiente ripario
Ambienti costieri (spiagge sabbiose, scogliere, foci, paludi costiere, stagni salmastri etc.)
Boschi, foreste e macchia mediterranea
Deserti e steppe
Grotte e miniere
Altri ambienti e microhabitat
Escursioni e spedizioni entomologiche
Piante ospiti
Sezione comunicazioni
Sto cercando...
Comunicazioni, eventi e news
FORUM
Auguri, ricorrenze ed entomo-chiacchiere
Messaggi senza risposta
|
Argomenti attivi