Benvenuto Ospite

Forum Entomologi Italiani

www.entomologiitaliani.net/forum
 
Oggi è 11/11/2025, 13:34

Tutti gli orari sono UTC + 1 ora [ ora legale ]

Filtro località

Filtro località

In questo pannello è possibile effettuare delle ricerche mirate in base alle località inserite nel forum.

Statistiche

Statistiche
In totale ci sono 89611 taxa:
- 85703 taxa con dati completi
- 2729 taxa con dati parziali, riconducibili ad un paese
- 1179 taxa con dati incompleti


escludi dalla ricerca i subforum
Distribuzione in Europa
Distribuzione in Italia
Filtro applicato: ITALIA - Umbria

Pagina 1 di 1 [ 3 messaggi ]

# A B C D E F G H I J K L M N O P Q R S T U V W X Y Z
 Argomenti   Autore   Risposte   Visite    Ultimo messaggio 
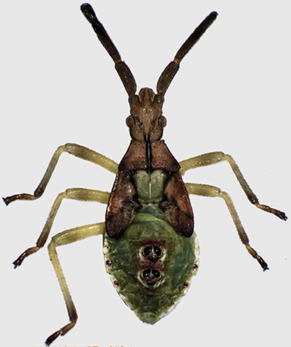
Coreus marginatus (Linnaeus, 1758) - Coreidae - Umbria (PG)
15.X.2010 - ITALIA - Umbria - PG, Borgo Cerreto (Cerreto di Spoleto)
Allegato(i)
Coreus marginatus (Linnaeus, 1758) - Coreidae - Umbria (PG)

in Coreidae


Dati di raccolta: 15.X.2010 - ITALIA - Umbria - PG, Borgo Cerreto (Cerreto di Spoleto)

silvio1953

4

1237

04/11/2010, 1:47

Dioli Vedi ultimo messaggio

Allegato(i)
Gonocerus juniperi Herrich-Schaeffer, 1839 - Coreidae Coreinae Gonocerini - Umbria (PG)

in Coreidae


Dati di raccolta: 26.IX.2010 - ITALIA - Umbria - PG, Collemancio

silvio1953

2

920

26/09/2010, 16:06

FORBIX Vedi ultimo messaggio

Ninfa di Coreidae sp.
18.VII.2014 - ITALIA - Umbria - PG, Soleto 650 m.
Allegato(i)
Ninfa di Coreidae sp.

in Coreidae


Dati di raccolta: 18.VII.2014 - ITALIA - Umbria - PG, Soleto 650 m.

MARIO LUNA

2

989

18/07/2014, 22:45

MARIO LUNA Vedi ultimo messaggio


Inserisci un link per questa ricerca

Inserisci un link per questa ricerca URL
BBCode
HTML
Vai a: