Benvenuto Ospite

Forum Entomologi Italiani

www.entomologiitaliani.net/forum
 
Oggi è 26/10/2025, 3:11

Tutti gli orari sono UTC + 1 ora [ ora legale ]

 Forum   Argomenti   Messaggi   Ultimo messaggio 
Nessun messaggio da leggere
Filtro località
Carabidae indeterminati

906

4124

10/09/2025, 12:26

pietro lo cascio Vedi ultimo messaggio




28% 
1517 taxa correttamente determinati su 5438 presenti in archivio

Carabidae


[ AFROTROPICALE ] [ ANTARTICO ] [ AUSTRALASIANO ] [ NEARTICO ] [ NEOTROPICALE ] [ ORIENTALE ] [ PALEARTICO ]


nuovo argomento
Vai alla pagina Precedente  1, 2, 3, 4, 5, 6, 7, 8 ... 145  Prossimo
Pagina 5 di 145 [ 7203 argomenti ]
 Argomenti   Ordine   Autore   Risposte   Visite    Ultimo messaggio 
Annunci
Nessun messaggio da leggere
Allegato(i)
Incontri entomologici telematici organizzati dalla Società Entomologica Italiana nel 2022 e nel 2023

[ Vai alla paginaVai alla pagina: 1, 2, 3 ]

 

Velvet Ant

44

1368249

03/03/2023, 15:55

Velvet Ant Vedi ultimo messaggio

Nessun messaggio da leggere  
Allegato(i)
Sondaggio sul declino dell'entomofauna in Italia

[ Vai alla paginaVai alla pagina: 1, 2, 3, 4 ]

 

Velvet Ant

52

1683330

22/10/2022, 19:18

Acquarius Vedi ultimo messaggio

Nessun messaggio da leggere  
Allegato(i)
Progetto: Bibliografia ragionata dei lavori entomologici nei quali sono citati reperti apparsi su FEI

[ Vai alla paginaVai alla pagina: 1, 2, 3 ]

 

Velvet Ant

33

1125056

06/07/2023, 18:31

Orotrechus Vedi ultimo messaggio

Nessun messaggio da leggere
Allegato(i)
Mimesi, il primo documentario cinematografico sull’entomologia in Italia: casting
 

mazzeip

1

445504

28/02/2019, 20:26

mazzeip Vedi ultimo messaggio

Questo argomento è bloccato, non puoi modificare o inviare ulteriori messaggi.
Allegato(i)
ISTRUZIONI PUBBLICAZIONE NUOVI ARGOMENTI E FOTO

 
Altri Ordini di Insetti

Julodis

4

790534

13/05/2015, 19:37

Julodis Vedi ultimo messaggio

Nessun messaggio da leggere
Allegato(i)
Limitatore giornaliero di messaggi, uno strumento utile e ormai indispensabile

[ Vai alla paginaVai alla pagina: 1 ... 14, 15, 16 ]

 

Velvet Ant

233

8136114

25/09/2014, 14:31

Inachis Vedi ultimo messaggio

Nessun messaggio da leggere  
NORME PER I COLLABORATORI DEL FORUM

 
 

Velvet Ant

0

472465

02/06/2011, 12:05

Velvet Ant Vedi ultimo messaggio

Nessun messaggio da leggere
Allegato(i)
NORME PER GLI UTENTI DEL FORUM

[ Vai alla paginaVai alla pagina: 1, 2, 3 ]



 
 

Velvet Ant

30

2302062

23/09/2014, 23:54

Maurizio Bollino Vedi ultimo messaggio

Nessun messaggio da leggere  
Lista degli utenti del "Forum entomologi italiani" per campi di interesse e specializzazione

 
Altri Ordini di Insetti

Velvet Ant

13

928129

07/09/2023, 17:14

Roberto-07 Vedi ultimo messaggio

Argomenti
Nessun messaggio da leggere
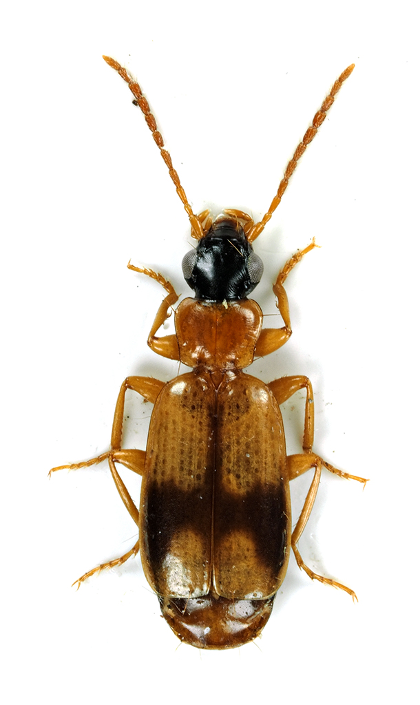
Leistus (Leistus) ferrugineus (Linnaeus, 1758) - Carabidae
12.IX.2023 - ITALIA - Piemonte - CN
Allegato(i) Dettagli della specie
Leistus (Leistus) ferrugineus (Linnaeus, 1758)
Carabidae


12.IX.2023 - ITALIA - Piemonte - CN
Coleoptera

StagBeetle

0

694

16/11/2023, 20:58

StagBeetle Vedi ultimo messaggio

Nessun messaggio da leggere
Allegato(i) Dettagli della specie
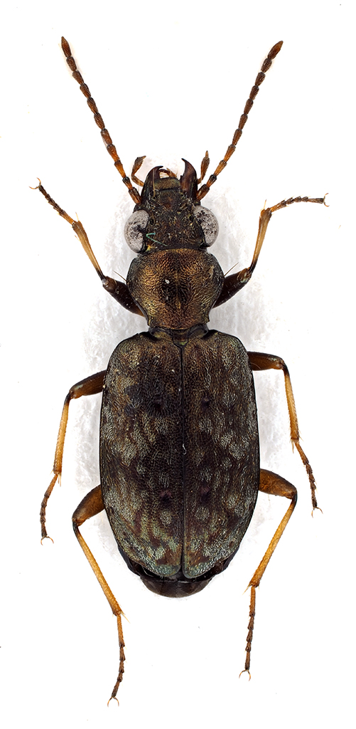
Nebria (Nebriola) laticollis laticollis Dejean, 1826
Carabidae


12.IX.2023 - ITALIA - Piemonte - CN
Coleoptera

StagBeetle

0

660

16/11/2023, 20:50

StagBeetle Vedi ultimo messaggio

Nessun messaggio da leggere
Allegato(i) Dettagli della specie
Anisodactylus (Anisodactylus) pueli bucciarellii Sciaky, 1979
Carabidae


1.VII.2023 - ITALIA - Umbria - PG
Coleoptera

StagBeetle

0

699

15/11/2023, 20:17

StagBeetle Vedi ultimo messaggio

Nessun messaggio da leggere
Oodes gracilis A. Villa & G.B. Villa, 1833 - Carabidae
24.VI.2023 - ITALIA - Sardegna - SS
Allegato(i) Dettagli della specie
Oodes gracilis A. Villa & G.B. Villa, 1833
Carabidae


24.VI.2023 - ITALIA - Sardegna - SS
Coleoptera

StagBeetle

0

620

14/11/2023, 20:17

StagBeetle Vedi ultimo messaggio

Nessun messaggio da leggere
Allegato(i) Dettagli della specie
Brachinus (Brachinus) plagiatus Reiche, 1868
Carabidae


IX.2022 - ITALIA - Puglia - FG
Coleoptera

StagBeetle

0

649

14/11/2023, 20:17

StagBeetle Vedi ultimo messaggio

Nessun messaggio da leggere
Allegato(i) Dettagli della specie
Cicindela (Cicindela) maroccana pseudomaroccana Roeschke, 1891
Carabidae


24.V.2014 - SPAGNA - EE
Coleoptera

ivo

7

859

12/11/2023, 17:50

ivo Vedi ultimo messaggio

Nessun messaggio da leggere
Allegato(i) Dettagli della specie
Dyschiriodes (Dyschiriodes) chalybaeus gibbifrons (Apfelbeck, 1899)
Carabidae


18.IV.2023 - ITALIA - Sicilia - CT
Coleoptera

StagBeetle

1

398

08/11/2023, 23:03

StagBeetle Vedi ultimo messaggio

Nessun messaggio da leggere
Allegato(i) Dettagli della specie
Dyschiriodes (Dyschiriodes) chalybaeus gibbifrons (Apfelbeck, 1899)
Carabidae


22.IV.2023 - ITALIA - Puglia - TA
Coleoptera

StagBeetle

1

365

08/11/2023, 23:01

StagBeetle Vedi ultimo messaggio

Nessun messaggio da leggere
Allegato(i) Dettagli della specie
Dyschiriodes (Dyschiriodes) chalybaeus gibbifrons (Apfelbeck, 1899)
Carabidae


22.IV.2023 - ITALIA - Puglia - TA
Coleoptera

StagBeetle

3

474

08/11/2023, 22:59

StagBeetle Vedi ultimo messaggio

Nessun messaggio da leggere
Allegato(i) Dettagli della specie
Laemostenus (Pristonychus) algerinus algerinus (Gory, 1833)
Carabidae


19.IV.2023 - ITALIA - Sicilia - CT
Coleoptera

StagBeetle

7

754

08/11/2023, 19:53

Lucanus tetraodon Vedi ultimo messaggio

Nessun messaggio da leggere
Allegato(i)
Bembidion (Philochthus) mannerheimii C.R. Sahlberg, 1827 - Carabidae
Carabidae


24.XI.2017 - POLONIA - EE
Coleoptera

StagBeetle

1

399

06/11/2023, 20:24

Paolo Bonavita Vedi ultimo messaggio

Nessun messaggio da leggere
Allegato(i)
Acupalpus (Acupalpus) maculatus (Schaum, 1860) - Carabidae
Carabidae


8.V.2023 - ITALIA - Marche - MC
Coleoptera

StagBeetle

2

421

30/10/2023, 13:34

StagBeetle Vedi ultimo messaggio

Nessun messaggio da leggere
Allegato(i) Dettagli della specie
Acupalpus (Acupalpus) meridianus (Linnaeus, 1761)
Carabidae


8.V.2023 - ITALIA - Marche - MC
Coleoptera

StagBeetle

2

277

30/10/2023, 13:34

StagBeetle Vedi ultimo messaggio

Nessun messaggio da leggere
Pogonistes rufoaeneus (Dejean, 1828) (cf.) - Carabidae
22.IV.2023 - ITALIA - Puglia - TA
Allegato(i)
Pogonistes rufoaeneus (Dejean, 1828) (cf.) - Carabidae
Carabidae


22.IV.2023 - ITALIA - Puglia - TA
Coleoptera

StagBeetle

0

708

28/10/2023, 22:02

StagBeetle Vedi ultimo messaggio

Nessun messaggio da leggere
Allegato(i) Dettagli della specie
Carabus (Procrustes) coriaceus coriaceus Linnaeus, 1758
Carabidae


15.V.2023 - MONTENEGRO - EE
Coleoptera

curci

2

557

27/10/2023, 14:18

curci Vedi ultimo messaggio

Nessun messaggio da leggere
Allegato(i) Dettagli della specie
Perileptus (Perileptus) areolatus areolatus (Creutzer, 1799)
Carabidae


18.IV.2023 - ITALIA - Sicilia - CT
Coleoptera

StagBeetle

0

582

26/10/2023, 22:02

StagBeetle Vedi ultimo messaggio

Nessun messaggio da leggere
Allegato(i) Dettagli della specie
Lionychus (Lionychus) quadrillum (Duftschmid, 1812)
Carabidae


19.IV.2023 - ITALIA - Sicilia - CT
Coleoptera

StagBeetle

0

558

25/10/2023, 22:02

StagBeetle Vedi ultimo messaggio

Nessun messaggio da leggere
Allegato(i)
Dinodes (Dinodes) decipiens (L. Dufour, 1820) - Carabidae Harpalinae Chlaeniini

19.X.2023 - ITALIA - Marche - PU
Coleoptera

plumipes

2

350

19/10/2023, 17:04

plumipes Vedi ultimo messaggio

Nessun messaggio da leggere
Pterostichus (Pterostichus) micans Heer, 1841 - Carabidae
14.X.2023 - ITALIA - Lombardia - MB
Allegato(i) Dettagli della specie
Pterostichus (Pterostichus) micans Heer, 1841
Carabidae


14.X.2023 - ITALIA - Lombardia - MB
Coleoptera

Giuseppe

3

428

18/10/2023, 20:13

Giuseppe Vedi ultimo messaggio

Nessun messaggio da leggere
Cychrus italicus, Bonelli 1810 - Carabidae Carabinae Cychrini
17.X.2023 - ITALIA - Lombardia - BG
Allegato(i)
Cychrus italicus, Bonelli 1810 - Carabidae Carabinae Cychrini

17.X.2023 - ITALIA - Lombardia - BG
Coleoptera

esakki

1

347

18/10/2023, 15:39

Fabio62 Vedi ultimo messaggio

Nessun messaggio da leggere
Allegato(i) Dettagli della specie
Platyderus (Platyderus) neapolitanus (Reiche, 1855)
Carabidae


10.VIII.2023 - ITALIA - Lazio - VT
Coleoptera

wgliinsetti

5

453

18/10/2023, 12:54

wgliinsetti Vedi ultimo messaggio

Nessun messaggio da leggere
Allegato(i) Dettagli della specie
Harpalus (Harpalus) serripes serripes (Quensel in Schönherr, 1806)
Carabidae


7.IX.2023 - ITALIA - Lazio - RM
Coleoptera

wgliinsetti

4

510

11/10/2023, 15:13

wgliinsetti Vedi ultimo messaggio

Nessun messaggio da leggere
Allegato(i) Dettagli della specie
Parophonus (Parophonus) planicollis (Dejean, 1829)
Carabidae


9.VII.2023 - ITALIA - Toscana - PI
Coleoptera

Stefano79

4

567

05/10/2023, 19:38

Stefano79 Vedi ultimo messaggio

Nessun messaggio da leggere
Bembidion (Peryphanes) italicum De Monte, 1943 - Carabidae
25.V.2023 - ITALIA - Friuli-Venezia Giulia - PN
Allegato(i) Dettagli della specie
Bembidion (Peryphanes) italicum De Monte, 1943
Carabidae


25.V.2023 - ITALIA - Friuli-Venezia Giulia - PN
Coleoptera

Gabriele

3

488

04/10/2023, 9:22

Notoxus59 Vedi ultimo messaggio

Nessun messaggio da leggere
Licinus (Neorescius) oertzeni Reitter, 1889 (cf.) - Carabidae
4.IX.2023 - MACEDONIA, REPUBBLICA JUGOSLAVA DELLA - EE
Allegato(i)
Licinus (Neorescius) oertzeni Reitter, 1889 (cf.) - Carabidae
Carabidae


4.IX.2023 - MACEDONIA, REPUBBLICA JUGOSLAVA DELLA - EE
Coleoptera

Gabriele

10

839

19/09/2023, 15:38

Xylosteus Vedi ultimo messaggio

Nessun messaggio da leggere
Abax (Abax) arerae Schauberger, 1927 - Carabidae
10.IX.2023 - ITALIA - Lombardia - SO
Allegato(i) Dettagli della specie
Abax (Abax) arerae Schauberger, 1927
Carabidae


10.IX.2023 - ITALIA - Lombardia - SO
Coleoptera

Davide Ambrosioni

2

537

15/09/2023, 20:01

Davide Ambrosioni Vedi ultimo messaggio

Nessun messaggio da leggere
Allegato(i) Dettagli della specie
Carabus (Orinocarabus) fairmairei fenestrellanus Beuthin, 1899
Carabidae


28.VI.1983 - ITALIA - Piemonte - TO
Coleoptera

StagBeetle

0

654

10/09/2023, 19:04

StagBeetle Vedi ultimo messaggio

Nessun messaggio da leggere
Harpalus (Harpalus) tardus (Panzer, 1797) - Carabidae
21.IV.2023 - ITALIA - Sicilia - ME
Allegato(i)
Harpalus (Harpalus) tardus (Panzer, 1797) - Carabidae

21.IV.2023 - ITALIA - Sicilia - ME
Coleoptera

StagBeetle

0

543

07/09/2023, 19:04

StagBeetle Vedi ultimo messaggio

Nessun messaggio da leggere
Allegato(i) Dettagli della specie
Poecilus (Poecilus) cupreus cupreus (Linnaeus, 1758)
Carabidae


19.IV.2023 - ITALIA - Sicilia - CT
Coleoptera

StagBeetle

4

536

24/08/2023, 12:22

StagBeetle Vedi ultimo messaggio

Nessun messaggio da leggere
Poecilus cupreus (Linnaeus, 1758) - Carabidae
9.VIII.2022 - ITALIA - Toscana - LU
Allegato(i)
Poecilus cupreus (Linnaeus, 1758) - Carabidae

9.VIII.2022 - ITALIA - Toscana - LU
Coleoptera

Stefano79

3

464

23/08/2023, 18:48

Stefano79 Vedi ultimo messaggio

Nessun messaggio da leggere
Allegato(i) Dettagli della specie
Ophonus (Hesperophonus) cribricollis (Dejean, 1829)
Carabidae


31.V.2023 - ITALIA - Marche - AN
Coleoptera

StagBeetle

2

445

23/08/2023, 13:38

StagBeetle Vedi ultimo messaggio

Nessun messaggio da leggere
Allegato(i) Dettagli della specie
Pogonus (Pogonus) chalceus chalceus (Marsham, 1802)
Carabidae


22.IV.2023 - ITALIA - Puglia - TA
Coleoptera

StagBeetle

2

418

23/08/2023, 13:36

StagBeetle Vedi ultimo messaggio

Nessun messaggio da leggere
Allegato(i) Dettagli della specie
Pseudomasoreus canigoulensis (Fairmaire & Laboulbène, 1854)
Carabidae


3.VIII.2023 - ITALIA - Marche - MC
Coleoptera

StagBeetle

3

522

22/08/2023, 18:47

Abete bianco Vedi ultimo messaggio

Nessun messaggio da leggere
Allegato(i)
Pseudoophonus (Pseudoophonus) rufipes (De Geer, 1774) - Carabidae

19.VIII.2023 - ITALIA - Lazio - RM
Coleoptera

soken

4

552

20/08/2023, 9:55

wgliinsetti Vedi ultimo messaggio

Nessun messaggio da leggere
Acupalpus (Acupalpus) brunnipes (Sturm, 1825) - Carabidae
12.VIII.2023 - ITALIA - Lazio - RM
Allegato(i)
Acupalpus (Acupalpus) brunnipes (Sturm, 1825) - Carabidae

12.VIII.2023 - ITALIA - Lazio - RM
Coleoptera

soken

0

572

15/08/2023, 17:35

soken Vedi ultimo messaggio

Nessun messaggio da leggere
Allegato(i) Dettagli della specie
Calosoma (Campalita) maderae auropunctatum (Herbst, 1784)
Carabidae


20.VII.2020 - ITALIA - Lombardia - VA
Coleoptera

Il Baratelli

7

1190

06/08/2023, 21:52

StagBeetle Vedi ultimo messaggio

Nessun messaggio da leggere
Percus ibrido passerinii/dejeani - Carabidae
VII.2023 - ITALIA - Marche - FM
Allegato(i)
Percus ibrido passerinii/dejeani - Carabidae

VII.2023 - ITALIA - Marche - FM
Coleoptera

Calathus

3

612

06/08/2023, 18:39

Calathus Vedi ultimo messaggio

Nessun messaggio da leggere
Allegato(i)
Laemostenus (Pristonychus) cimmerius (Fischer von Waldheim, 1823) (cf.) - Carabidae

30.VII.2023 - ITALIA - Campania - AV
Coleoptera

entodevia

2

498

06/08/2023, 15:41

gabrif Vedi ultimo messaggio

Nessun messaggio da leggere
Pterostichus (Pseudomaseus) oenotrius Ravizza, 1975 - Carabidae
26.VI.2023 - ITALIA - Friuli-Venezia Giulia - PN
Allegato(i) Dettagli della specie
Pterostichus (Pseudomaseus) oenotrius Ravizza, 1975
Carabidae


26.VI.2023 - ITALIA - Friuli-Venezia Giulia - PN
Coleoptera

Gabriele

3

481

01/08/2023, 12:54

Nicola Vedi ultimo messaggio

Nessun messaggio da leggere
Calathus (Calathus) montivagus Dejean, 1831 - Carabidae
11.VI.2023 - ITALIA - Calabria - VV
Allegato(i)
Calathus (Calathus) montivagus Dejean, 1831 - Carabidae

11.VI.2023 - ITALIA - Calabria - VV
Coleoptera

soken

0

626

27/07/2023, 21:21

soken Vedi ultimo messaggio

Nessun messaggio da leggere
Perigona nigriceps (Dejean, 1831) - Carabidae
9.VII.2023 - ITALIA - Toscana - PI
Allegato(i)
Perigona nigriceps (Dejean, 1831) - Carabidae
Carabidae


9.VII.2023 - ITALIA - Toscana - PI
Coleoptera

Stefano79

5

803

16/07/2023, 23:31

Stefano79 Vedi ultimo messaggio

Nessun messaggio da leggere
Abax (Abax) pilleri Csiki, 1916 (cf.) - Carabidae
16.VI.2023 - ITALIA - Trentino-Alto Adige - TN
Allegato(i)
Abax (Abax) pilleri Csiki, 1916 (cf.) - Carabidae

16.VI.2023 - ITALIA - Trentino-Alto Adige - TN
Coleoptera

Chalybion

1

652

16/07/2023, 18:10

Chalybion Vedi ultimo messaggio

Nessun messaggio da leggere
Allegato(i)
Carabus (Chrysocarabus) solieri liguranus Breuning, 1932 - Carabidae

7.VII.2023 - ITALIA - Piemonte - CN
Coleoptera

checcapitipiti

1

725

16/07/2023, 8:32

aug Vedi ultimo messaggio

Nessun messaggio da leggere
Calosoma (Calosoma) sycophanta (Linnaeus, 1758) - Carabidae
13.VII.2023 - ITALIA - Marche - PU
Allegato(i)
Calosoma (Calosoma) sycophanta (Linnaeus, 1758) - Carabidae

13.VII.2023 - ITALIA - Marche - PU
Coleoptera

plumipes

2

479

15/07/2023, 8:40

plumipes Vedi ultimo messaggio

Nessun messaggio da leggere
Drypta dentata (Rossi,1790) - Carabidae Dryptinae
30.VI.2023 - ITALIA - Lombardia - CO
Allegato(i)
Drypta dentata (Rossi,1790) - Carabidae Dryptinae

30.VI.2023 - ITALIA - Lombardia - CO
Coleoptera

fasmidi

3

539

08/07/2023, 11:09

fasmidi Vedi ultimo messaggio

Nessun messaggio da leggere
Distichus (Distichus) planus (Bonelli, 1813) - Carabidae
10.II.2023 - ITALIA - Lazio - RM
Allegato(i)
Distichus (Distichus) planus (Bonelli, 1813) - Carabidae
Carabidae


10.II.2023 - ITALIA - Lazio - RM
Coleoptera

elleelle

1

454

07/07/2023, 9:26

Stefano79 Vedi ultimo messaggio

Nessun messaggio da leggere
Pterostichus (Cheporus) burmeisteri Heer, 1837 - Carabidae
16.VI.2023 - ITALIA - Trentino-Alto Adige - TN
Allegato(i)
Pterostichus (Cheporus) burmeisteri Heer, 1837 - Carabidae

16.VI.2023 - ITALIA - Trentino-Alto Adige - TN
Coleoptera

Chalybion

0

575

06/07/2023, 17:41

Chalybion Vedi ultimo messaggio

Nessun messaggio da leggere
Allegato(i)
Stenolophus (Stenolophus) skrimshiranus Stephens, 1828 - Carabidae

28.VI.2023 - ITALIA - Sicilia - ME
Coleoptera

Lucanus tetraodon

7

769

05/07/2023, 12:51

Lucanus tetraodon Vedi ultimo messaggio

Nessun messaggio da leggere
Carabus (Eurycarabus) genei Gené, 1839 - Carabidae
25.V.2023 - ITALIA - Sardegna - SS
Allegato(i) Dettagli della specie
Carabus (Eurycarabus) genei Gené, 1839
Carabidae


25.V.2023 - ITALIA - Sardegna - SS
Coleoptera

micromondo1966

13

1046

26/06/2023, 15:56

micromondo1966 Vedi ultimo messaggio

Nessun messaggio da leggere
Calathus (Calathus) fuscipes graecus Dejean, 1831 - Carabidae
7.VI.2023 - ITALIA - Lombardia - MB
Allegato(i) Dettagli della specie
Calathus (Calathus) fuscipes graecus Dejean, 1831
Carabidae


7.VI.2023 - ITALIA - Lombardia - MB
Coleoptera

Giuseppe

3

494

20/06/2023, 15:57

Giuseppe Vedi ultimo messaggio

Visualizza ultimi argomenti:  Ordina per  Ordine:  
nuovo argomento
Vai alla pagina Precedente  1, 2, 3, 4, 5, 6, 7, 8 ... 145  Prossimo
Pagina 5 di 145 [ 7203 argomenti ]

Tutti gli orari sono UTC + 1 ora [ ora legale ]


Chi c’è in linea

Visitano il forum: Nessuno e 4 ospiti


Legenda
Messaggi da leggere Messaggi da leggere Nessun messaggio da leggere Nessun messaggio da leggere Annuncio Annuncio
 
Specie indeterminata / discussione generica
Messaggi non letti [ Popolari ] Messaggi non letti [ Popolari ] Nessun messaggio da leggere [ Popolare ] Nessun messaggio da leggere [ Popolare ] Importante Importante
 
Specie determinata fino al genere o cf.
Messaggi non letti [ Bloccati ] Messaggi non letti [ Bloccati ] No messaggi non letti [ Bloccati ] No messaggi non letti [ Bloccati ] Argomento spostato Argomento spostato
 
Specie correttamente determinata
Permessi
Non puoi aprire nuovi argomenti
Non puoi rispondere negli argomenti
Non puoi modificare i tuoi messaggi
Non puoi cancellare i tuoi messaggi
Non puoi inviare allegati

Cerca per:
Vai a: