Benvenuto Ospite

Forum Entomologi Italiani

www.entomologiitaliani.net/forum
 
Oggi è 27/10/2025, 15:19

Tutti gli orari sono UTC + 1 ora [ ora legale ]

 Forum   Argomenti   Messaggi   Ultimo messaggio 
Nessun messaggio da leggere
Filtro località
Carabidae indeterminati

906

4124

10/09/2025, 12:26

pietro lo cascio Vedi ultimo messaggio




28% 
1517 taxa correttamente determinati su 5438 presenti in archivio

Carabidae


[ AFROTROPICALE ] [ ANTARTICO ] [ AUSTRALASIANO ] [ NEARTICO ] [ NEOTROPICALE ] [ ORIENTALE ] [ PALEARTICO ]


nuovo argomento
Vai alla pagina Precedente  1 ... 61, 62, 63, 64, 65, 66, 67 ... 145  Prossimo
Pagina 64 di 145 [ 7203 argomenti ]
 Argomenti   Ordine   Autore   Risposte   Visite    Ultimo messaggio 
Annunci
Nessun messaggio da leggere
Allegato(i)
Incontri entomologici telematici organizzati dalla Società Entomologica Italiana nel 2022 e nel 2023

[ Vai alla paginaVai alla pagina: 1, 2, 3 ]

 

Velvet Ant

44

1383143

03/03/2023, 15:55

Velvet Ant Vedi ultimo messaggio

Nessun messaggio da leggere  
Allegato(i)
Sondaggio sul declino dell'entomofauna in Italia

[ Vai alla paginaVai alla pagina: 1, 2, 3, 4 ]

 

Velvet Ant

52

1704524

22/10/2022, 19:18

Acquarius Vedi ultimo messaggio

Nessun messaggio da leggere  
Allegato(i)
Progetto: Bibliografia ragionata dei lavori entomologici nei quali sono citati reperti apparsi su FEI

[ Vai alla paginaVai alla pagina: 1, 2, 3 ]

 

Velvet Ant

33

1134885

06/07/2023, 18:31

Orotrechus Vedi ultimo messaggio

Nessun messaggio da leggere
Allegato(i)
Mimesi, il primo documentario cinematografico sull’entomologia in Italia: casting
 

mazzeip

1

449482

28/02/2019, 20:26

mazzeip Vedi ultimo messaggio

Questo argomento è bloccato, non puoi modificare o inviare ulteriori messaggi.
Allegato(i)
ISTRUZIONI PUBBLICAZIONE NUOVI ARGOMENTI E FOTO

 
Altri Ordini di Insetti

Julodis

4

799140

13/05/2015, 19:37

Julodis Vedi ultimo messaggio

Nessun messaggio da leggere
Allegato(i)
Limitatore giornaliero di messaggi, uno strumento utile e ormai indispensabile

[ Vai alla paginaVai alla pagina: 1 ... 14, 15, 16 ]

 

Velvet Ant

233

8573270

25/09/2014, 14:31

Inachis Vedi ultimo messaggio

Nessun messaggio da leggere  
NORME PER I COLLABORATORI DEL FORUM

 
 

Velvet Ant

0

474013

02/06/2011, 12:05

Velvet Ant Vedi ultimo messaggio

Nessun messaggio da leggere
Allegato(i)
NORME PER GLI UTENTI DEL FORUM

[ Vai alla paginaVai alla pagina: 1, 2, 3 ]



 
 

Velvet Ant

30

2310183

23/09/2014, 23:54

Maurizio Bollino Vedi ultimo messaggio

Nessun messaggio da leggere  
Lista degli utenti del "Forum entomologi italiani" per campi di interesse e specializzazione

 
Altri Ordini di Insetti

Velvet Ant

13

929843

07/09/2023, 17:14

Roberto-07 Vedi ultimo messaggio

Argomenti
Nessun messaggio da leggere
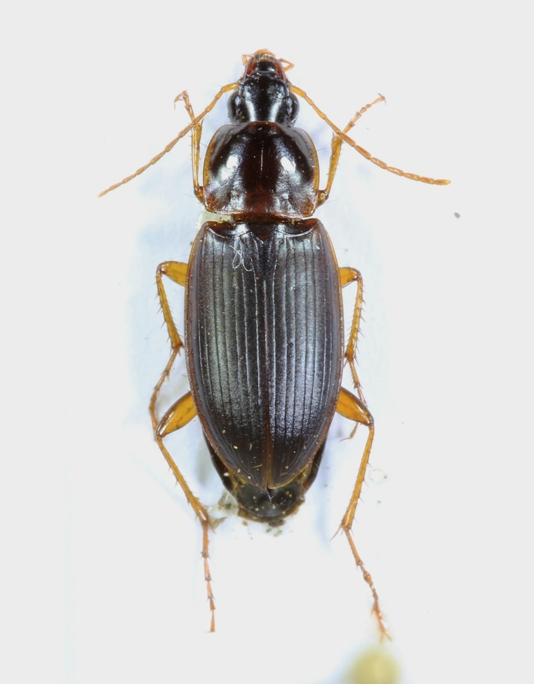
Dromius quadrimaculatus (Linnaeus, 1758) - Carabidae
11.II.2015 - ITALIA - Lazio - RM
Allegato(i)
Dromius quadrimaculatus (Linnaeus, 1758) - Carabidae

11.II.2015 - ITALIA - Lazio - RM
Coleoptera

Julodis

3

416

14/02/2015, 20:14

Julodis Vedi ultimo messaggio

Nessun messaggio da leggere
Zuphium (Zuphium) olens (P. Rossi, 1790) - Carabidae
3.VII.2009 - ITALIA - Sicilia - TP
Allegato(i) Dettagli della specie
Zuphium (Zuphium) olens (P. Rossi, 1790)
Carabidae


3.VII.2009 - ITALIA - Sicilia - TP
Coleoptera

Valerio

0

384

14/02/2015, 18:10

Valerio Vedi ultimo messaggio

Nessun messaggio da leggere
Cylindera (Cylindera) germanica germanica (Linnaeus, 1758) - Carabidae
7.IX.1991 - ITALIA - Friuli-Venezia Giulia - GO
Allegato(i) Dettagli della specie
Cylindera (Cylindera) germanica germanica (Linnaeus, 1758)
Carabidae


7.IX.1991 - ITALIA - Friuli-Venezia Giulia - GO
Coleoptera

StagBeetle

3

613

14/02/2015, 17:18

Alessio89 Vedi ultimo messaggio

Nessun messaggio da leggere
Amara (Zezea) kulti Fassati, 1947 - Carabidae
22.V.2012 - ITALIA - Toscana - LU
Allegato(i)
Amara (Zezea) kulti Fassati, 1947 - Carabidae

22.V.2012 - ITALIA - Toscana - LU
Coleoptera

Michael

6

1074

14/02/2015, 16:05

gomphus Vedi ultimo messaggio

Nessun messaggio da leggere
Allegato(i)
Gynandromorphus etruscus (Quensel in Schonherr, 1806) - Carabidae

2.X.2011 - TURCHIA - EE
Coleoptera

Baris99

4

494

14/02/2015, 8:09

Baris99 Vedi ultimo messaggio

Nessun messaggio da leggere
Brachinus (Brachynidius) sclopeta (Fabricius, 1792) - Carabidae
27.XII.2014 - ITALIA - Sicilia - CT
Allegato(i) Dettagli della specie
Brachinus (Brachynidius) sclopeta (Fabricius, 1792)
Carabidae


27.XII.2014 - ITALIA - Sicilia - CT
Coleoptera

Lucanus tetraodon

2

476

13/02/2015, 18:08

Lucanus tetraodon Vedi ultimo messaggio

Nessun messaggio da leggere
Allegato(i)
Poecilus (Poecilus) cupreus cupreus (Linnaeus, 1758) - Carabidae

1.I.2015 - ITALIA - Sicilia - CT
Coleoptera

Lucanus tetraodon

6

882

13/02/2015, 18:07

Lucanus tetraodon Vedi ultimo messaggio

Nessun messaggio da leggere
Allegato(i)
Paradromius (Manodromius) linearis (Olivier, 1795) - Carabidae

21.IX.2014 - ITALIA - Sicilia - CT
Coleoptera

Lucanus tetraodon

4

544

13/02/2015, 18:06

Lucanus tetraodon Vedi ultimo messaggio

Nessun messaggio da leggere
Acupalpus meridianus (Linnaeus, 1761) - Carabidae
21.III.2013 - ITALIA - Toscana - LU
Allegato(i)
Acupalpus meridianus (Linnaeus, 1761) - Carabidae

21.III.2013 - ITALIA - Toscana - LU
Coleoptera

Michael

2

752

13/02/2015, 17:37

Michael Vedi ultimo messaggio

Nessun messaggio da leggere
Allegato(i)
Carabus (Morphocarabus) regalis regalis Fischer, 1822 - Carabidae

15.VI.1956 - FEDERAZIONE RUSSA - EE
Coleoptera

StagBeetle

2

697

12/02/2015, 23:20

StagBeetle Vedi ultimo messaggio

Nessun messaggio da leggere
Parophonus (Parophonus) mendax (P. Rossi, 1790) - Carabidae
29.IV.2013 - ITALIA - Toscana - LU
Allegato(i)
Parophonus (Parophonus) mendax (P. Rossi, 1790) - Carabidae

29.IV.2013 - ITALIA - Toscana - LU
Coleoptera

Michael

2

502

12/02/2015, 21:15

Michael Vedi ultimo messaggio

Nessun messaggio da leggere
Molops ovipennis medius Chaudoir, 1868 - Carabidae
2.XI.2014 - ITALIA - Toscana - LU
Allegato(i)
Molops ovipennis medius Chaudoir, 1868 - Carabidae

2.XI.2014 - ITALIA - Toscana - LU
Coleoptera

Michael

2

487

12/02/2015, 21:14

Michael Vedi ultimo messaggio

Nessun messaggio da leggere
Allegato(i)
Carabus (Procerus) bulgharmaadensis Bodemeyer, 1915 - Carabidae

7.VII.1970 - TURCHIA - EE
Coleoptera

Andrea C

8

1283

12/02/2015, 17:19

Andrea C Vedi ultimo messaggio

Nessun messaggio da leggere
Notiophilus substriatus G.R. Waterhouse, 1833 (cf.) - Carabidae
28.XII.2013 - ITALIA - Sicilia - CT
Allegato(i)
Notiophilus substriatus G.R. Waterhouse, 1833 (cf.) - Carabidae

28.XII.2013 - ITALIA - Sicilia - CT
Coleoptera

Lucanus tetraodon

0

378

12/02/2015, 15:42

Lucanus tetraodon Vedi ultimo messaggio

Nessun messaggio da leggere
Allegato(i)
Harpalus distinguendus (Duftschmid, 1812) - Carabidae - Turchia

9.II.2015 - TURCHIA - EE
Coleoptera

Baris99

5

578

12/02/2015, 5:42

Baris99 Vedi ultimo messaggio

Nessun messaggio da leggere
Allegato(i)
Harpalus distinguendus (Duftschmid, 1812) - Carabidae - Turchia

9.II.2015 - TURCHIA - EE
Coleoptera

Baris99

4

411

11/02/2015, 20:01

Baris99 Vedi ultimo messaggio

Nessun messaggio da leggere
Harpalus oblitus oblitus Dejean, 1829 - Carabidae
13.VI.2014 - ITALIA - Marche - MC
Allegato(i)
Harpalus oblitus oblitus Dejean, 1829 - Carabidae

13.VI.2014 - ITALIA - Marche - MC
Coleoptera

Andream

2

378

11/02/2015, 16:44

Andream Vedi ultimo messaggio

Nessun messaggio da leggere
Harpalus dimidiatus (P. Rossi, 1790) - Carabidae
15.VII.2014 - ITALIA - Marche - FM
Allegato(i)
Harpalus dimidiatus (P. Rossi, 1790) - Carabidae

15.VII.2014 - ITALIA - Marche - FM
Coleoptera

Andream

3

560

11/02/2015, 15:35

Andream Vedi ultimo messaggio

Nessun messaggio da leggere
Carabus (Procerus) gigas gigas Creutzer 1799 - Carabidae
VII.2000 - ITALIA - Friuli-Venezia Giulia - UD
Allegato(i)
Carabus (Procerus) gigas gigas Creutzer 1799 - Carabidae

VII.2000 - ITALIA - Friuli-Venezia Giulia - UD
Coleoptera

StagBeetle

2

1002

11/02/2015, 14:05

Daniele Maccapani Vedi ultimo messaggio

Nessun messaggio da leggere
Harpalus (Harpalus) dimidiatus (P. Rossi, 1790) - Carabidae
30.III.2014 - ITALIA - Toscana - LU
Allegato(i)
Harpalus (Harpalus) dimidiatus (P. Rossi, 1790) - Carabidae

30.III.2014 - ITALIA - Toscana - LU
Coleoptera

Michael

4

412

10/02/2015, 22:39

Michael Vedi ultimo messaggio

Nessun messaggio da leggere
Harpalus (Harpalus) dimidiatus (Rossi, 1790) - Carabidae
3.XI.2013 - ITALIA - Toscana - LU
Allegato(i)
Harpalus (Harpalus) dimidiatus (Rossi, 1790) - Carabidae

3.XI.2013 - ITALIA - Toscana - LU
Coleoptera

Michael

2

339

10/02/2015, 18:16

Michael Vedi ultimo messaggio

Nessun messaggio da leggere
Allegato(i)
Carabus (Pachystus) cavernosus variolatus Costa, 1839 - Carabidae

VIII.1971 - ITALIA - Abruzzo - AQ
Coleoptera

StagBeetle

0

715

10/02/2015, 13:40

StagBeetle Vedi ultimo messaggio

Nessun messaggio da leggere
Trechus rufulus Dejean, 1831 - Carabidae
31.V.2014 - ITALIA - Sicilia - ME
Allegato(i)
Trechus rufulus Dejean, 1831 - Carabidae

31.V.2014 - ITALIA - Sicilia - ME
Coleoptera

Lucanus tetraodon

2

785

09/02/2015, 19:13

Lucanus tetraodon Vedi ultimo messaggio

Nessun messaggio da leggere
Allegato(i)
Carabus (Megodontus) septemcarinatus Motschulsky, 1840 - Carabidae

VII.2003 - TURCHIA - EE
Coleoptera

StagBeetle

0

320

09/02/2015, 13:40

StagBeetle Vedi ultimo messaggio

Nessun messaggio da leggere
Allegato(i)
Carabus (Mesocarabus) macrocephalus Dejean, 1826 - Carabidae

13.VII.1975 - SPAGNA - EE
Coleoptera

StagBeetle

0

330

09/02/2015, 13:40

StagBeetle Vedi ultimo messaggio

Nessun messaggio da leggere
Allegato(i)
Carabus (Eucarabus) deyrollei Gory, 1839 - Carabidae

24.VII.1975 - SPAGNA - EE
Coleoptera

StagBeetle

0

383

08/02/2015, 13:51

StagBeetle Vedi ultimo messaggio

Nessun messaggio da leggere
Cicindela (Cicindela) hybrida Linnaeus 1758 - Carabidae Cicindelinae
17.V.2009 - ITALIA - Emilia-Romagna - BO
Allegato(i)
Cicindela (Cicindela) hybrida Linnaeus 1758 - Carabidae Cicindelinae

17.V.2009 - ITALIA - Emilia-Romagna - BO
Coleoptera

Palaemonetes

5

785

06/02/2015, 23:53

Palaemonetes Vedi ultimo messaggio

Nessun messaggio da leggere
Allegato(i)
Amara (Amara) aenea (De Geer, 1774) (cf.) - Carabidae

5.VII.2013 - GERMANIA - EE
Coleoptera

gstalker

2

591

06/02/2015, 22:29

gstalker Vedi ultimo messaggio

Nessun messaggio da leggere
Pterostichus (Feronidius) melas (Creutzer, 1799) - Carabidae
25.VII.1997 - ITALIA - Toscana - PO
Allegato(i)
Pterostichus (Feronidius) melas (Creutzer, 1799) - Carabidae

25.VII.1997 - ITALIA - Toscana - PO
Coleoptera

Andream

2

601

06/02/2015, 14:57

Andream Vedi ultimo messaggio

Nessun messaggio da leggere
Allegato(i)
Cicindela (Cicindela) herbacea Klug, 1832 cf. - Carabide

TURCHIA - EE
Coleoptera

Palaemonetes

2

483

05/02/2015, 21:00

Palaemonetes Vedi ultimo messaggio

Nessun messaggio da leggere
Siagona europaea Dejean, 1826 - Carabidae
21.I.2015 - ITALIA - Lazio - RM
Allegato(i)
Siagona europaea Dejean, 1826 - Carabidae

21.I.2015 - ITALIA - Lazio - RM
Coleoptera

Julodis

7

1161

05/02/2015, 13:32

Julodis Vedi ultimo messaggio

Nessun messaggio da leggere
Cicindela (Cicindela) sylvicola Dejean, 1822 - Carabidae
23.VII.1990 - ITALIA - Veneto - BL
Allegato(i)
Cicindela (Cicindela) sylvicola Dejean, 1822 - Carabidae

23.VII.1990 - ITALIA - Veneto - BL
Coleoptera

Palaemonetes

9

1595

04/02/2015, 22:55

Andrea Pergine Vedi ultimo messaggio

Nessun messaggio da leggere
Ocydromus (Peryphanes) stephensii (Crotch 1866) (cf.) - Carabidae
15.VI.2013 - ITALIA - Friuli-Venezia Giulia - GO
Allegato(i)
Ocydromus (Peryphanes) stephensii (Crotch 1866) (cf.) - Carabidae

15.VI.2013 - ITALIA - Friuli-Venezia Giulia - GO
Coleoptera

Palaemonetes

1

483

03/02/2015, 19:59

pedux Vedi ultimo messaggio

Nessun messaggio da leggere
Ocydromus (Peryphanes) stephensii (Crotch 1866) (cf.) - Carabidae
15.VI.2013 - ITALIA - Friuli-Venezia Giulia - GO
Allegato(i)
Ocydromus (Peryphanes) stephensii (Crotch 1866) (cf.) - Carabidae

15.VI.2013 - ITALIA - Friuli-Venezia Giulia - GO
Coleoptera

Palaemonetes

4

690

03/02/2015, 10:39

Palaemonetes Vedi ultimo messaggio

Nessun messaggio da leggere
Paratachys bistriatus (Duftschmid, 1812) - Carabidae
29.X.2014 - ITALIA - Toscana - GR
Allegato(i)
Paratachys bistriatus (Duftschmid, 1812) - Carabidae

29.X.2014 - ITALIA - Toscana - GR
Coleoptera

pipine26

4

1018

01/02/2015, 21:40

aug Vedi ultimo messaggio

Nessun messaggio da leggere
Bembidion articulatum (Panzer, 1796) - Carabidae
4.V.2013 - ITALIA - Friuli-Venezia Giulia - GO
Allegato(i)
Bembidion articulatum (Panzer, 1796) - Carabidae

4.V.2013 - ITALIA - Friuli-Venezia Giulia - GO
Coleoptera

Palaemonetes

4

1312

01/02/2015, 17:50

Palaemonetes Vedi ultimo messaggio

Nessun messaggio da leggere
Demetrias atricapillus (L., 1758) - Carabidae
6.VII.2013 - ITALIA - Friuli-Venezia Giulia - GO
Allegato(i)
Demetrias atricapillus (L., 1758) - Carabidae

6.VII.2013 - ITALIA - Friuli-Venezia Giulia - GO
Coleoptera

Palaemonetes

2

749

01/02/2015, 17:50

Palaemonetes Vedi ultimo messaggio

Nessun messaggio da leggere
Notaphus (Notaphus) varius (Olivier, 1795) - Carabidae
23.VI.2013 - ITALIA - Friuli-Venezia Giulia - GO
Allegato(i)
Notaphus (Notaphus) varius (Olivier, 1795) - Carabidae

23.VI.2013 - ITALIA - Friuli-Venezia Giulia - GO
Coleoptera

Palaemonetes

2

503

31/01/2015, 19:08

Palaemonetes Vedi ultimo messaggio

Nessun messaggio da leggere
Ophonus (Metophonus) puncticeps Stephens, 1828 - Carabidae
5.X.2014 - ITALIA - Toscana - PI
Allegato(i)
Ophonus (Metophonus) puncticeps Stephens, 1828 - Carabidae

5.X.2014 - ITALIA - Toscana - PI
Coleoptera

Stefano79

2

523

31/01/2015, 9:05

Stefano79 Vedi ultimo messaggio

Nessun messaggio da leggere
Metallina (Neja) ambigua (Dejean, 1831) - Carabidae
5.X.2014 - ITALIA - Toscana - PI
Allegato(i)
Metallina (Neja) ambigua (Dejean, 1831) - Carabidae

5.X.2014 - ITALIA - Toscana - PI
Coleoptera

Stefano79

5

1052

31/01/2015, 9:04

Stefano79 Vedi ultimo messaggio

Nessun messaggio da leggere
Acupalpus (Acupalpus) elegans (Dejean, 1829) - Carabidae
23.VI.2013 - ITALIA - Friuli-Venezia Giulia - GO
Allegato(i) Dettagli della specie
Acupalpus (Acupalpus) elegans (Dejean, 1829)
Carabidae


23.VI.2013 - ITALIA - Friuli-Venezia Giulia - GO
Coleoptera

Palaemonetes

4

1586

30/01/2015, 23:24

Palaemonetes Vedi ultimo messaggio

Nessun messaggio da leggere
Ocydromus (Ocydromus) decorus (Panzer, 1799) - Carabidae
4.V.2013 - ITALIA - Friuli-Venezia Giulia - GO
Allegato(i)
Ocydromus (Ocydromus) decorus (Panzer, 1799) - Carabidae

4.V.2013 - ITALIA - Friuli-Venezia Giulia - GO
Coleoptera

Palaemonetes

10

1921

30/01/2015, 17:23

Palaemonetes Vedi ultimo messaggio

Nessun messaggio da leggere
Princidium punctulatum (Drapiez, 1821) - Carabidae
4.V.2013 - ITALIA - Friuli-Venezia Giulia - GO
Allegato(i)
Princidium punctulatum (Drapiez, 1821) - Carabidae

4.V.2013 - ITALIA - Friuli-Venezia Giulia - GO
Coleoptera

Palaemonetes

2

523

30/01/2015, 13:11

Palaemonetes Vedi ultimo messaggio

Nessun messaggio da leggere
Allegato(i)
Pterostichus (Feronidius) melas (Creutzer, 1799) - Carabidae

4.I.2015 - ITALIA - Lazio - RM
Coleoptera

Broc

1

360

29/01/2015, 23:22

magosti Vedi ultimo messaggio

Nessun messaggio da leggere
Bembidion (Peryphus) bualei Jacquelin du Val, 1852 - Carabidae
4.V.2013 - ITALIA - Friuli-Venezia Giulia - GO
Allegato(i) Dettagli della specie
Bembidion (Peryphus) bualei Jacquelin du Val, 1852
Carabidae


4.V.2013 - ITALIA - Friuli-Venezia Giulia - GO
Coleoptera

Palaemonetes

2

479

29/01/2015, 13:27

Palaemonetes Vedi ultimo messaggio

Nessun messaggio da leggere
Agonum nigrum Dejean, 1828 - Carabidae
4.I.2015 - ITALIA - Lazio - RM
Allegato(i)
Agonum nigrum Dejean, 1828 - Carabidae

4.I.2015 - ITALIA - Lazio - RM
Coleoptera

Broc

1

456

29/01/2015, 11:54

magosti Vedi ultimo messaggio

Nessun messaggio da leggere
Allegato(i) Dettagli della specie
Pterostichus (Argutor) cursor (Dejean, 1828)
Carabidae


4.I.2015 - ITALIA - Lazio - RM
Coleoptera

Broc

1

451

29/01/2015, 0:47

magosti Vedi ultimo messaggio

Nessun messaggio da leggere
Allegato(i) Dettagli della specie
Calathus (Bedelinus) circumseptus Germar, 1824
Carabidae


4.I.2015 - ITALIA - Lazio - RM
Coleoptera

Broc

2

489

28/01/2015, 23:37

Broc Vedi ultimo messaggio

Nessun messaggio da leggere
Harpalus oblitus oblitus Dejean, 1829 - Carabidae
29.X.2014 - ITALIA - Toscana - GR
Allegato(i)
Harpalus oblitus oblitus Dejean, 1829 - Carabidae

29.X.2014 - ITALIA - Toscana - GR
Coleoptera

pipine26

5

778

28/01/2015, 17:52

pipine26 Vedi ultimo messaggio

Nessun messaggio da leggere
Allegato(i) Dettagli della specie
Calathus (Neocalathus) cinctus Motschulsky, 1850
Carabidae


4.I.2015 - ITALIA - Lazio - RM
Coleoptera

Broc

1

535

28/01/2015, 0:12

magosti Vedi ultimo messaggio

Visualizza ultimi argomenti:  Ordina per  Ordine:  
nuovo argomento
Vai alla pagina Precedente  1 ... 61, 62, 63, 64, 65, 66, 67 ... 145  Prossimo
Pagina 64 di 145 [ 7203 argomenti ]

Tutti gli orari sono UTC + 1 ora [ ora legale ]


Chi c’è in linea

Visitano il forum: Nessuno e 21 ospiti


Legenda
Messaggi da leggere Messaggi da leggere Nessun messaggio da leggere Nessun messaggio da leggere Annuncio Annuncio
 
Specie indeterminata / discussione generica
Messaggi non letti [ Popolari ] Messaggi non letti [ Popolari ] Nessun messaggio da leggere [ Popolare ] Nessun messaggio da leggere [ Popolare ] Importante Importante
 
Specie determinata fino al genere o cf.
Messaggi non letti [ Bloccati ] Messaggi non letti [ Bloccati ] No messaggi non letti [ Bloccati ] No messaggi non letti [ Bloccati ] Argomento spostato Argomento spostato
 
Specie correttamente determinata
Permessi
Non puoi aprire nuovi argomenti
Non puoi rispondere negli argomenti
Non puoi modificare i tuoi messaggi
Non puoi cancellare i tuoi messaggi
Non puoi inviare allegati

Cerca per:
Vai a: