Benvenuto Ospite

Forum Entomologi Italiani

www.entomologiitaliani.net/forum
 
Oggi è 03/11/2025, 11:07

Tutti gli orari sono UTC + 1 ora [ ora legale ]


51% 
133 taxa correttamente determinati su 263 presenti in archivio

Anthicidae


[ AFROTROPICALE ] [ ANTARTICO ] [ AUSTRALASIANO ] [ NEARTICO ] [ NEOTROPICALE ] [ ORIENTALE ] [ PALEARTICO ]


nuovo argomento
Vai alla pagina Precedente  1 ... 4, 5, 6, 7, 8  Prossimo
Pagina 7 di 8 [ 351 argomenti ]
 Argomenti   Ordine   Autore   Risposte   Visite    Ultimo messaggio 
Annunci
Nessun messaggio da leggere
Allegato(i)
Incontri entomologici telematici organizzati dalla Società Entomologica Italiana nel 2022 e nel 2023

[ Vai alla paginaVai alla pagina: 1, 2, 3 ]

 

Velvet Ant

44

1401958

03/03/2023, 15:55

Velvet Ant Vedi ultimo messaggio

Nessun messaggio da leggere  
Allegato(i)
Sondaggio sul declino dell'entomofauna in Italia

[ Vai alla paginaVai alla pagina: 1, 2, 3, 4 ]

 

Velvet Ant

52

1726288

22/10/2022, 19:18

Acquarius Vedi ultimo messaggio

Nessun messaggio da leggere  
Allegato(i)
Progetto: Bibliografia ragionata dei lavori entomologici nei quali sono citati reperti apparsi su FEI

[ Vai alla paginaVai alla pagina: 1, 2, 3 ]

 

Velvet Ant

33

1149300

06/07/2023, 18:31

Orotrechus Vedi ultimo messaggio

Nessun messaggio da leggere
Allegato(i)
Mimesi, il primo documentario cinematografico sull’entomologia in Italia: casting
 

mazzeip

1

453099

28/02/2019, 20:26

mazzeip Vedi ultimo messaggio

Questo argomento è bloccato, non puoi modificare o inviare ulteriori messaggi.
Allegato(i)
ISTRUZIONI PUBBLICAZIONE NUOVI ARGOMENTI E FOTO

 
Altri Ordini di Insetti

Julodis

4

861678

13/05/2015, 19:37

Julodis Vedi ultimo messaggio

Nessun messaggio da leggere
Allegato(i)
Limitatore giornaliero di messaggi, uno strumento utile e ormai indispensabile

[ Vai alla paginaVai alla pagina: 1 ... 14, 15, 16 ]

 

Velvet Ant

233

8705591

25/09/2014, 14:31

Inachis Vedi ultimo messaggio

Nessun messaggio da leggere  
NORME PER I COLLABORATORI DEL FORUM

 
 

Velvet Ant

0

476338

02/06/2011, 12:05

Velvet Ant Vedi ultimo messaggio

Nessun messaggio da leggere
Allegato(i)
NORME PER GLI UTENTI DEL FORUM

[ Vai alla paginaVai alla pagina: 1, 2, 3 ]



 
 

Velvet Ant

30

2326269

23/09/2014, 23:54

Maurizio Bollino Vedi ultimo messaggio

Nessun messaggio da leggere  
Lista degli utenti del "Forum entomologi italiani" per campi di interesse e specializzazione

 
Altri Ordini di Insetti

Velvet Ant

13

935336

07/09/2023, 17:14

Roberto-07 Vedi ultimo messaggio

Argomenti
Nessun messaggio da leggere
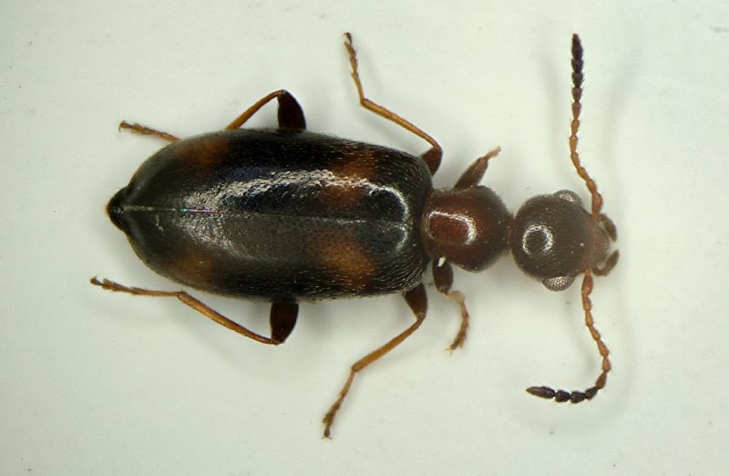
Omonadus floralis (Linnaeus, 1758) - Anthicidae
21.VIII.2010 - ITALIA - Lazio - FR
Allegato(i) Dettagli della specie
Omonadus floralis (Linnaeus, 1758)
Anthicidae


21.VIII.2010 - ITALIA - Lazio - FR
Coleoptera

Julodis

1

595

25/08/2010, 16:25

Notoxus59 Vedi ultimo messaggio

Nessun messaggio da leggere
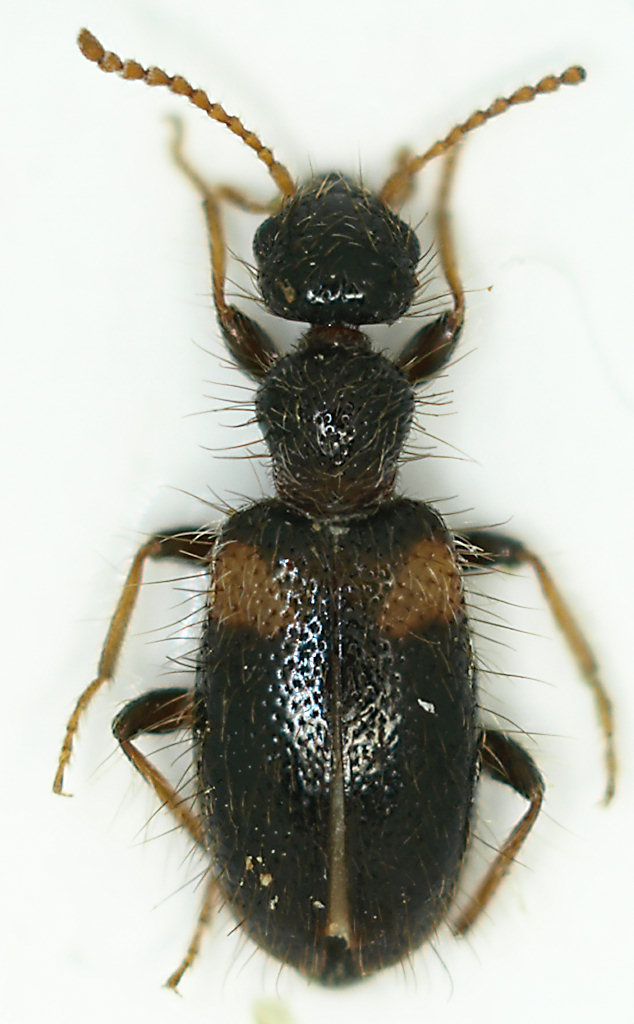
Stricticollis longicollis (W.L.E. Schmidt, 1842) - Sasso Marconi (BO)
VII.2010 - ITALIA - Emilia-Romagna - BO
Allegato(i)
Stricticollis longicollis (W.L.E. Schmidt, 1842) - Sasso Marconi (BO)

[ Vai alla paginaVai alla pagina: 1, 2 ]



VII.2010 - ITALIA - Emilia-Romagna - BO
Coleoptera

Loriscola

18

2261

06/08/2010, 19:57

Notoxus59 Vedi ultimo messaggio

Nessun messaggio da leggere
Allegato(i)
Microhoria terminata (W. L. E. Schmidt, 1842) - Anthicidae - Sasso Marconi (BO)

VII.2010 - ITALIA - Emilia-Romagna - BO
Coleoptera

Loriscola

5

916

28/07/2010, 18:57

Stefano79 Vedi ultimo messaggio

Nessun messaggio da leggere
Omonadus bifasciatus (P. Rossi, 1792) - Anthicidae
23.VII.2010 - ITALIA - Lazio - FR
Allegato(i) Dettagli della specie
Omonadus bifasciatus (P. Rossi, 1792)
Anthicidae


23.VII.2010 - ITALIA - Lazio - FR
Coleoptera

Julodis

4

1249

27/07/2010, 15:42

Stefano79 Vedi ultimo messaggio

Nessun messaggio da leggere
Allegato(i)
Microhoria terminata (W. L. E. Schmidt, 1842) - Anthicide - Sasso Marconi (BO)

VII.2010 - ITALIA - Emilia-Romagna - BO
Coleoptera

Loriscola

8

1472

16/07/2010, 16:12

giuseppe55 Vedi ultimo messaggio

Nessun messaggio da leggere
Allegato(i)
Omonadus floralis (Linnaeus, 1758), Anthicide al lume - Sasso Marconi (BO)

VII.2010 - ITALIA - Emilia-Romagna - BO
Coleoptera

Loriscola

6

1086

15/07/2010, 18:36

Notoxus59 Vedi ultimo messaggio

Nessun messaggio da leggere
Allegato(i)
Pseudotomoderus compressicollis compressicollis (Motschulsky, 1839) - Anthicidae - Sasso Marconi (BO)

VII.2010 - ITALIA - Emilia-Romagna - BO
Coleoptera

Loriscola

2

1009

12/07/2010, 22:37

Loriscola Vedi ultimo messaggio

Nessun messaggio da leggere
Allegato(i)
Hirticomus hispidus (Rossi, 1792) - Anthicidae - Roma città

30.IV.2010 - ITALIA - Lazio - RM
Coleoptera

Julodis

12

2514

12/06/2010, 15:31

Julodis Vedi ultimo messaggio

Nessun messaggio da leggere
Microhoria venusta (A. Villa & G.B. Villa, 1833) - Anthicidae
20.VI.1981 - ITALIA - Piemonte - BI
Allegato(i) Dettagli della specie
Microhoria venusta (A. Villa & G.B. Villa, 1833)
Anthicidae


20.VI.1981 - ITALIA - Piemonte - BI
Coleoptera

Loriscola

2

1209

17/05/2010, 9:12

Loriscola Vedi ultimo messaggio

Nessun messaggio da leggere
Allegato(i)
Microhoria chobauti (Pic, 1892) - Anthicidae - Tunisia

7.IV.2004 - TUNISIA - EE
Coleoptera

Julodis

8

1290

19/04/2010, 22:43

Julodis Vedi ultimo messaggio

Nessun messaggio da leggere
Omonadus bifasciatus (Rossi, 1792) - Anthicidae - Emilia Romagna
IV.2010 - ITALIA - Emilia-Romagna - BO
Allegato(i)
Omonadus bifasciatus (Rossi, 1792) - Anthicidae - Emilia Romagna

IV.2010 - ITALIA - Emilia-Romagna - BO
Coleoptera

Loriscola

2

759

19/04/2010, 21:27

Loriscola Vedi ultimo messaggio

Nessun messaggio da leggere
Endomia tenuicollis tenuicollis (Rossi, 1792) - Anthicidae
14.IV.2008 - ITALIA - Lazio - RM
Allegato(i)
Endomia tenuicollis tenuicollis (Rossi, 1792) - Anthicidae

14.IV.2008 - ITALIA - Lazio - RM
Coleoptera

Julodis

4

1003

17/04/2010, 16:36

Julodis Vedi ultimo messaggio

Nessun messaggio da leggere
Allegato(i)
Cordicomus instabilis instabilis (W.L.E. Schmidt, 1842) - Puglia

28.III.2010 - ITALIA - Puglia - FG
Coleoptera

Eopteryx

2

810

10/04/2010, 9:49

Eopteryx Vedi ultimo messaggio

Nessun messaggio da leggere
Allegato(i)
Hirticomus quadriguttatus (Rossi, 1792) - Anthicidae - Lazio

6.III.2010 - ITALIA - Lazio - RM
Coleoptera

Julodis

5

1274

13/03/2010, 20:35

Julodis Vedi ultimo messaggio

Nessun messaggio da leggere
Anthelephila pedestris (Rossi 1790) - Anthicidae - Lazio
8.II.2010 - ITALIA - Lazio - RM
Allegato(i)
Anthelephila pedestris (Rossi 1790) - Anthicidae - Lazio

8.II.2010 - ITALIA - Lazio - RM
Coleoptera

Julodis

6

1358

10/02/2010, 17:48

Julodis Vedi ultimo messaggio

Nessun messaggio da leggere
Anthicus czernohorskyi Pic, 1912 - Anthicidae
19.VII.2005 - ITALIA - Emilia-Romagna - RA
Allegato(i) Dettagli della specie
Anthicus czernohorskyi Pic, 1912
Anthicidae


19.VII.2005 - ITALIA - Emilia-Romagna - RA
Coleoptera

Notoxus59

0

690

10/02/2010, 14:08

Notoxus59 Vedi ultimo messaggio

Nessun messaggio da leggere
Cordicomus gracilis (Panzer, 1797) - Anthicidae
23.VI.1985 - ITALIA - Emilia-Romagna - BO
Allegato(i) Dettagli della specie
Cordicomus gracilis (Panzer, 1797)
Anthicidae


23.VI.1985 - ITALIA - Emilia-Romagna - BO
Coleoptera

Notoxus59

5

873

14/01/2010, 19:16

Notoxus59 Vedi ultimo messaggio

Nessun messaggio da leggere
Allegato(i)
Anthelephila pedestris (Rossi 1790) e Hirticomus hispidus (Rossi, 1792) - Anthicidae - Marche

IV.1993 - ITALIA - Marche - PU
Coleoptera

marco paglialunga

3

716

13/01/2010, 16:18

Tenebrio Vedi ultimo messaggio

Nessun messaggio da leggere
Allegato(i)
Cordicomus instabilis instabilis (W.L.E. Schmidt, 1842) - Anthicidae - Umbria

V.1993 - ITALIA - Umbria - PG
Coleoptera

marco paglialunga

1

452

13/01/2010, 14:53

Notoxus59 Vedi ultimo messaggio

Nessun messaggio da leggere
Allegato(i)
Omonadus floralis (Linnaeus, 1758) - Anthicidae - Marche

IX.1998 - ITALIA - Marche - PU
Coleoptera

marco paglialunga

1

433

13/01/2010, 14:51

Notoxus59 Vedi ultimo messaggio

Nessun messaggio da leggere
Allegato(i)
Stricticollis transversalis transversalis (A. Villa & G.B. Villa, 1833) - Anthicidae - Marche

VI.1997 - ITALIA - Marche - PU
Coleoptera

marco paglialunga

1

551

13/01/2010, 14:47

Notoxus59 Vedi ultimo messaggio

Nessun messaggio da leggere
Anthicus laeviceps Baudi, 1877 - Anthicidae - Marche
VII.2003 - ITALIA - Marche - PU
Allegato(i)
Anthicus laeviceps Baudi, 1877 - Anthicidae - Marche

VII.2003 - ITALIA - Marche - PU
Coleoptera

marco paglialunga

1

541

13/01/2010, 14:45

Notoxus59 Vedi ultimo messaggio

Nessun messaggio da leggere
Hirticomus hispidus (Rossi, 1792) - Anthicidae - Marche
VII.2007 - ITALIA - Marche - PU
Allegato(i)
Hirticomus hispidus (Rossi, 1792) - Anthicidae - Marche

VII.2007 - ITALIA - Marche - PU
Coleoptera

marco paglialunga

1

487

13/01/2010, 14:44

Notoxus59 Vedi ultimo messaggio

Nessun messaggio da leggere
Allegato(i)
Stricticollis tobias (De Marseul, 1879) - Anthicidae - Veneto

[ Vai alla paginaVai alla pagina: 1, 2 ]



11.XI.2008 - ITALIA - Veneto - VE
Coleoptera

Enrico Ruzzier

25

2249

12/01/2010, 19:35

Enrico Ruzzier Vedi ultimo messaggio

Nessun messaggio da leggere
Notoxus trifasciatus Rossi, 1792 - Anthicidae
VI.1997 - ITALIA - Marche - PU
Allegato(i)
Notoxus trifasciatus Rossi, 1792 - Anthicidae

VI.1997 - ITALIA - Marche - PU
Coleoptera

marco paglialunga

4

841

09/01/2010, 18:41

Notoxus59 Vedi ultimo messaggio

Nessun messaggio da leggere
Allegato(i)
Anthelephila pedestris (Rossi, 1790) con protuberanza sul torace - Anthicidae

26.II.2005 - ITALIA - Lombardia - MI
Coleoptera

salvo

1

864

30/12/2009, 22:38

Notoxus59 Vedi ultimo messaggio

Nessun messaggio da leggere
Allegato(i)
Anthicus tristis tristis W.L.E. Schmidt, 1842 - Anthicidae - Sicilia

VIII.2006 - ITALIA - Sicilia - CL
Coleoptera

salvo

2

1258

27/12/2009, 23:22

salvo Vedi ultimo messaggio

Nessun messaggio da leggere
Hirticomus quadriguttatus (Rossi, 1792) - Anthicidae
VIII.2006 - ITALIA - Sicilia - CL
Allegato(i)
Hirticomus quadriguttatus (Rossi, 1792) - Anthicidae

VIII.2006 - ITALIA - Sicilia - CL
Coleoptera

salvo

1

826

27/12/2009, 11:43

Notoxus59 Vedi ultimo messaggio

Nessun messaggio da leggere
Allegato(i)
Stricticollis transversalis transversalis (A. Villa & G.B. Villa, 1833) - Anthicidae

VIII.2006 - ITALIA - Sicilia - CL
Coleoptera

salvo

1

754

27/12/2009, 11:41

Notoxus59 Vedi ultimo messaggio

Nessun messaggio da leggere
Allegato(i) Dettagli della specie
Cordicomus instabilis instabilis (W.L.E. Schmidt, 1842)
Anthicidae


6.IV.1993 - ITALIA - Sardegna - SS
Coleoptera

Dilar

3

822

05/12/2009, 15:07

Dilar Vedi ultimo messaggio

Nessun messaggio da leggere
Endomia tenuicollis tenuicollis (Rossi, 1792) - Anthicidae
21.IV.1993 - ITALIA - Sardegna - SS
Allegato(i)
Endomia tenuicollis tenuicollis (Rossi, 1792) - Anthicidae

21.IV.1993 - ITALIA - Sardegna - SS
Coleoptera

Hemerobius

1

631

27/11/2009, 18:28

Notoxus59 Vedi ultimo messaggio

Nessun messaggio da leggere
Anthicus laeviceps Baudi, 1877
15.XI.2009 - ITALIA - Marche - AN
Allegato(i)
Anthicus laeviceps Baudi, 1877

15.XI.2009 - ITALIA - Marche - AN
Coleoptera

StagBeetle

5

770

21/11/2009, 19:10

StagBeetle Vedi ultimo messaggio

Nessun messaggio da leggere
Anthicus niger (Olivier, 1811)
17.XI.2009 - ITALIA - Marche - AN
Allegato(i)
Anthicus niger (Olivier, 1811)

17.XI.2009 - ITALIA - Marche - AN
Coleoptera

StagBeetle

3

786

19/11/2009, 22:03

StagBeetle Vedi ultimo messaggio

Nessun messaggio da leggere
Allegato(i) Dettagli della specie
Cordicomus instabilis instabilis (W.L.E. Schmidt, 1842)
Anthicidae


28.III.2009 - ITALIA - Sicilia - TP
Coleoptera

gigi58

5

769

27/10/2009, 21:02

gigi58 Vedi ultimo messaggio

Nessun messaggio da leggere
Anthicus tristis tristis W.L.E. Schmidt, 1842 - Anthicidae
5.IV.2009 - ITALIA - Emilia-Romagna - BO
Allegato(i) Dettagli della specie
Anthicus tristis tristis W.L.E. Schmidt, 1842
Anthicidae


5.IV.2009 - ITALIA - Emilia-Romagna - BO
Coleoptera

Loriscola

3

798

23/10/2009, 21:03

Notoxus59 Vedi ultimo messaggio

Nessun messaggio da leggere
Cyclodinus constrictus (Curtis, 1838) - Anthicidae
29.VII.2004 - ITALIA - Sardegna - SS
Allegato(i) Dettagli della specie
Cyclodinus constrictus (Curtis, 1838)
Anthicidae


29.VII.2004 - ITALIA - Sardegna - SS
Coleoptera

ESAPODA

2

563

21/10/2009, 13:39

Hemerobius Vedi ultimo messaggio

Nessun messaggio da leggere
Allegato(i)
Anthicus fenestratus W.L.E. Schmidt, 1842 e Hirticollis quadriguttatus (Rossi, 1792). Isola dell'Asinara

17.V.2004 - ITALIA - Sardegna - SS
Coleoptera

ESAPODA

5

841

21/10/2009, 13:03

Notoxus59 Vedi ultimo messaggio

Nessun messaggio da leggere
Allegato(i) Dettagli della specie
Hirticomus hispidus (P. Rossi, 1792)
Anthicidae


II - ITALIA - Sardegna
Coleoptera

ESAPODA

10

1266

14/10/2009, 19:14

Notoxus59 Vedi ultimo messaggio

Nessun messaggio da leggere
Stricticomus tobias (Marseul, 1879) - Anthicidae
X.2009 - ITALIA - Emilia-Romagna - BO
Allegato(i) Dettagli della specie
Stricticomus tobias (Marseul, 1879)
Anthicidae


X.2009 - ITALIA - Emilia-Romagna - BO
Coleoptera

Loriscola

2

623

10/10/2009, 22:51

Loriscola Vedi ultimo messaggio

Nessun messaggio da leggere
Hirticomus quadriguttatus (P. Rossi, 1792) - Anthicidae
30.VIII.2007 - ITALIA - Sardegna - NU
Allegato(i) Dettagli della specie
Hirticomus quadriguttatus (P. Rossi, 1792)
Anthicidae


30.VIII.2007 - ITALIA - Sardegna - NU
Coleoptera

Hemerobius

7

1207

15/09/2009, 20:23

Notoxus59 Vedi ultimo messaggio

Nessun messaggio da leggere
Anthicus invreai Koch, 1933 - Anthicidae
3.VII.2007 - ITALIA - Sardegna - CA
Allegato(i) Dettagli della specie
Anthicus invreai Koch, 1933
Anthicidae


3.VII.2007 - ITALIA - Sardegna - CA
Coleoptera

Daniele Sechi

10

1474

02/09/2009, 21:01

Daniele Sechi Vedi ultimo messaggio

Nessun messaggio da leggere
Allegato(i) Dettagli della specie
Pseudotomoderus compressicollis compressicollis (Motschulsky, 1839)
Anthicidae


3.VII.2007 - ITALIA - Sardegna - CA
Coleoptera

Daniele Sechi

3

984

25/08/2009, 22:53

gomphus Vedi ultimo messaggio

Nessun messaggio da leggere
Anthelephila pedestris (P. Rossi, 1790) - Anthicidae
3.VII.2007 - ITALIA - Sardegna - CA
Allegato(i) Dettagli della specie
Anthelephila pedestris (P. Rossi, 1790)
Anthicidae


3.VII.2007 - ITALIA - Sardegna - CA
Coleoptera

Daniele Sechi

1

736

25/08/2009, 22:52

Notoxus59 Vedi ultimo messaggio

Nessun messaggio da leggere
Allegato(i) Dettagli della specie
Cyclodinus bremei bremei (La Ferté-Sénectère, 1842)
Anthicidae


3.VII.2007 - ITALIA - Sardegna - CA
Coleoptera

Daniele Sechi

2

928

25/08/2009, 22:37

Notoxus59 Vedi ultimo messaggio

Nessun messaggio da leggere
Cyclodinus constrictus (Curtis, 1838) - Anthicidae
15.VIII.2009 - ITALIA - Sardegna - CA
Allegato(i) Dettagli della specie
Cyclodinus constrictus (Curtis, 1838)
Anthicidae


15.VIII.2009 - ITALIA - Sardegna - CA
Coleoptera

Daniele Sechi

2

647

25/08/2009, 22:33

Notoxus59 Vedi ultimo messaggio

Nessun messaggio da leggere
Allegato(i) Dettagli della specie
Cordicomus instabilis instabilis (W.L.E. Schmidt, 1842)
Anthicidae


28.VI.2007 - ITALIA - Sardegna - NU
Coleoptera

Hemerobius

8

1375

20/08/2009, 15:13

ESAPODA Vedi ultimo messaggio

Nessun messaggio da leggere
Anthicus rufivestis Marseul, 1879 - Anthicidae
28.V.2009 - ITALIA - Sardegna - CA
Allegato(i) Dettagli della specie
Anthicus rufivestis Marseul, 1879
Anthicidae


28.V.2009 - ITALIA - Sardegna - CA
Coleoptera

Daniele Sechi

4

664

19/08/2009, 17:16

Daniele Sechi Vedi ultimo messaggio

Nessun messaggio da leggere
Anthicus biguttatus La Ferté-Sénectère, 1849 - Anthicidae
28.V.2009 - ITALIA - Sardegna - CA
Allegato(i) Dettagli della specie
Anthicus biguttatus La Ferté-Sénectère, 1849
Anthicidae


28.V.2009 - ITALIA - Sardegna - CA
Coleoptera

Daniele Sechi

4

656

19/08/2009, 17:08

Daniele Sechi Vedi ultimo messaggio

Nessun messaggio da leggere
Microhoria mylabrina (Gené, 1839) - Anthicidae
19.VI.2007 - ITALIA - Sardegna - NU
Allegato(i) Dettagli della specie
Microhoria mylabrina (Gené, 1839)
Anthicidae


19.VI.2007 - ITALIA - Sardegna - NU
Coleoptera

Hemerobius

3

1073

29/04/2009, 22:29

Velvet Ant Vedi ultimo messaggio

Nessun messaggio da leggere
Endomia tenuicollis tenuicollis (P. Rossi, 1792) - Anthicidae
11.IV.2009 - ITALIA - Emilia-Romagna - BO
Allegato(i) Dettagli della specie
Endomia tenuicollis tenuicollis (P. Rossi, 1792)
Anthicidae


11.IV.2009 - ITALIA - Emilia-Romagna - BO
Coleoptera

Loriscola

1

733

16/04/2009, 19:24

Notoxus59 Vedi ultimo messaggio

Visualizza ultimi argomenti:  Ordina per  Ordine:  
nuovo argomento
Vai alla pagina Precedente  1 ... 4, 5, 6, 7, 8  Prossimo
Pagina 7 di 8 [ 351 argomenti ]

Tutti gli orari sono UTC + 1 ora [ ora legale ]


Chi c’è in linea

Visitano il forum: Nessuno e 1 ospite


Legenda
Messaggi da leggere Messaggi da leggere Nessun messaggio da leggere Nessun messaggio da leggere Annuncio Annuncio
 
Specie indeterminata / discussione generica
Messaggi non letti [ Popolari ] Messaggi non letti [ Popolari ] Nessun messaggio da leggere [ Popolare ] Nessun messaggio da leggere [ Popolare ] Importante Importante
 
Specie determinata fino al genere o cf.
Messaggi non letti [ Bloccati ] Messaggi non letti [ Bloccati ] No messaggi non letti [ Bloccati ] No messaggi non letti [ Bloccati ] Argomento spostato Argomento spostato
 
Specie correttamente determinata
Permessi
Non puoi aprire nuovi argomenti
Non puoi rispondere negli argomenti
Non puoi modificare i tuoi messaggi
Non puoi cancellare i tuoi messaggi
Non puoi inviare allegati

Cerca per:
Vai a: