Benvenuto Ospite

Forum Entomologi Italiani

www.entomologiitaliani.net/forum
 
Oggi è 05/11/2025, 5:23

Tutti gli orari sono UTC + 1 ora [ ora legale ]


70% 
186 taxa correttamente determinati su 266 presenti in archivio

Oedemeridae


[ AFROTROPICALE ] [ ANTARTICO ] [ AUSTRALASIANO ] [ NEARTICO ] [ NEOTROPICALE ] [ ORIENTALE ] [ PALEARTICO ]


nuovo argomento
Vai alla pagina Precedente  1, 2, 3, 4, 5, 6, 7, 8  Prossimo
Pagina 4 di 8 [ 352 argomenti ]
 Argomenti   Ordine   Autore   Risposte   Visite    Ultimo messaggio 
Annunci
Nessun messaggio da leggere
Allegato(i)
Incontri entomologici telematici organizzati dalla Società Entomologica Italiana nel 2022 e nel 2023

[ Vai alla paginaVai alla pagina: 1, 2, 3 ]

 

Velvet Ant

44

1409643

03/03/2023, 15:55

Velvet Ant Vedi ultimo messaggio

Nessun messaggio da leggere  
Allegato(i)
Sondaggio sul declino dell'entomofauna in Italia

[ Vai alla paginaVai alla pagina: 1, 2, 3, 4 ]

 

Velvet Ant

52

1734483

22/10/2022, 19:18

Acquarius Vedi ultimo messaggio

Nessun messaggio da leggere  
Allegato(i)
Progetto: Bibliografia ragionata dei lavori entomologici nei quali sono citati reperti apparsi su FEI

[ Vai alla paginaVai alla pagina: 1, 2, 3 ]

 

Velvet Ant

33

1155160

06/07/2023, 18:31

Orotrechus Vedi ultimo messaggio

Nessun messaggio da leggere
Anogcodes ruficollis (Fabricius, 1781) - Oedemeridae
27.V.2019 - ITALIA - Marche - AN
Allegato(i) Dettagli della specie
Anogcodes ruficollis (Fabricius, 1781)
Oedemeridae


27.V.2019 - ITALIA - Marche - AN
Coleoptera

StagBeetle

7

2133

12/06/2019, 14:51

Plagionotus Vedi ultimo messaggio

Nessun messaggio da leggere
Allegato(i)
Mimesi, il primo documentario cinematografico sull’entomologia in Italia: casting
 

mazzeip

1

454238

28/02/2019, 20:26

mazzeip Vedi ultimo messaggio

Questo argomento è bloccato, non puoi modificare o inviare ulteriori messaggi.
Allegato(i)
ISTRUZIONI PUBBLICAZIONE NUOVI ARGOMENTI E FOTO

 
Altri Ordini di Insetti

Julodis

4

879104

13/05/2015, 19:37

Julodis Vedi ultimo messaggio

Nessun messaggio da leggere
Allegato(i)
Limitatore giornaliero di messaggi, uno strumento utile e ormai indispensabile

[ Vai alla paginaVai alla pagina: 1 ... 14, 15, 16 ]

 

Velvet Ant

233

8731638

25/09/2014, 14:31

Inachis Vedi ultimo messaggio

Nessun messaggio da leggere  
NORME PER I COLLABORATORI DEL FORUM

 
 

Velvet Ant

0

477022

02/06/2011, 12:05

Velvet Ant Vedi ultimo messaggio

Nessun messaggio da leggere
Allegato(i)
NORME PER GLI UTENTI DEL FORUM

[ Vai alla paginaVai alla pagina: 1, 2, 3 ]



 
 

Velvet Ant

30

2331540

23/09/2014, 23:54

Maurizio Bollino Vedi ultimo messaggio

Nessun messaggio da leggere  
Lista degli utenti del "Forum entomologi italiani" per campi di interesse e specializzazione

 
Altri Ordini di Insetti

Velvet Ant

13

937799

07/09/2023, 17:14

Roberto-07 Vedi ultimo messaggio

Argomenti
Nessun messaggio da leggere
Oedemera (Oedemera) flavipes (Fabricius, 1792) - Oedemeridae
22.V.2011 - ITALIA - Sicilia - EN
Allegato(i) Dettagli della specie
Oedemera (Oedemera) flavipes (Fabricius, 1792)
Oedemeridae


22.V.2011 - ITALIA - Sicilia - EN
Coleoptera

Amata Ciro

3

1012

07/12/2016, 16:06

Amata Ciro Vedi ultimo messaggio

Nessun messaggio da leggere
Ischnomera sp. - Oedemeridae
17.IV.2016 - SLOVACCHIA - EE
Allegato(i)
Ischnomera sp. - Oedemeridae

17.IV.2016 - SLOVACCHIA - EE
Coleoptera

Karol Ox

2

806

30/10/2016, 20:07

Karol Ox Vedi ultimo messaggio

Nessun messaggio da leggere
Oedemera (Oedemera) pthysica (Scopoli, 1763) - Oedemeridae
22.VI.2016 - ITALIA - Lombardia - LC
Allegato(i) Dettagli della specie
Oedemera (Oedemera) pthysica (Scopoli, 1763)
Oedemeridae


22.VI.2016 - ITALIA - Lombardia - LC
Coleoptera

pinux

2

836

26/10/2016, 18:54

pinux Vedi ultimo messaggio

Nessun messaggio da leggere
Oedemera flavipes (Fabricius, 1792) (cf.) - Oedemeridae
3.VII.2016 - ITALIA - Lazio - RI
Allegato(i)
Oedemera flavipes (Fabricius, 1792) (cf.) - Oedemeridae

3.VII.2016 - ITALIA - Lazio - RI
Coleoptera

wgliinsetti

0

654

06/09/2016, 16:52

wgliinsetti Vedi ultimo messaggio

Nessun messaggio da leggere
Allegato(i)
Oedemera (Oedemera) nobilis (Scopoli, 1763) (cf.) - Oedemeridae

19.VI.2016 - ITALIA - Lazio - RM
Coleoptera

Marco73

2

932

05/09/2016, 19:36

Chalybion Vedi ultimo messaggio

Nessun messaggio da leggere
Oedemera sp. - Oedemeridae
1.VI.2013 - GERMANIA - EE
Allegato(i)
Oedemera sp. - Oedemeridae

1.VI.2013 - GERMANIA - EE
Coleoptera

gstalker

2

950

05/09/2016, 19:29

Chalybion Vedi ultimo messaggio

Nessun messaggio da leggere
Allegato(i) Dettagli della specie
Oedemera (Oedemera) flavipes (Fabricius, 1792)
Oedemeridae


4.VI.2016 - ITALIA - Lazio - RI
Coleoptera

wgliinsetti

1

1069

10/08/2016, 20:24

FORBIX Vedi ultimo messaggio

Nessun messaggio da leggere
Sparedrus orsinii A.Costa, 1852 - Oedemeridae
30.VII.2016 - ITALIA - Lazio - FR
Allegato(i) Dettagli della specie
Sparedrus orsinii A.Costa, 1852
Oedemeridae


30.VII.2016 - ITALIA - Lazio - FR
Coleoptera

Julodis

1

1381

31/07/2016, 20:54

Chalybion Vedi ultimo messaggio

Nessun messaggio da leggere
Oedemera flavipes (Fabricius, 1792) - Oedemeridae
11.VI.2016 - ITALIA - Sicilia - CT
Allegato(i)
Oedemera flavipes (Fabricius, 1792) - Oedemeridae

11.VI.2016 - ITALIA - Sicilia - CT
Coleoptera

skapc66

1

927

19/07/2016, 19:44

Maw89 Vedi ultimo messaggio

Nessun messaggio da leggere
Oedemera (Oedemera) barbara (Fabricius, 1792) - Oedemeridae
23.VI.2015 - ITALIA - Toscana - PI
Allegato(i) Dettagli della specie
Oedemera (Oedemera) barbara (Fabricius, 1792)
Oedemeridae


23.VI.2015 - ITALIA - Toscana - PI
Coleoptera

wgliinsetti

1

816

19/07/2016, 19:41

Maw89 Vedi ultimo messaggio

Nessun messaggio da leggere
Anogcodes sp. - Oedemeridae
19.VI.2016 - ITALIA - Lombardia - VA
Allegato(i)
Anogcodes sp. - Oedemeridae

19.VI.2016 - ITALIA - Lombardia - VA
Coleoptera

Magma

4

1272

17/07/2016, 1:43

Chalybion Vedi ultimo messaggio

Nessun messaggio da leggere
Sparedrus orsinii A.Costa, 1852 - Oedemeridae
VII.2016 - ITALIA - Lazio - RM
Allegato(i) Dettagli della specie
Sparedrus orsinii A.Costa, 1852
Oedemeridae


VII.2016 - ITALIA - Lazio - RM
Coleoptera

Julodis

0

1478

14/07/2016, 21:33

Julodis Vedi ultimo messaggio

Nessun messaggio da leggere
Chrysanthia viridissima (Linnaeus, 1758) (cf.) - Oedemeridae
18.VI.2016 - ITALIA - Sicilia - ME
Allegato(i)
Chrysanthia viridissima (Linnaeus, 1758) (cf.) - Oedemeridae

18.VI.2016 - ITALIA - Sicilia - ME
Coleoptera

skapc66

2

1337

22/06/2016, 19:26

Lucanus tetraodon Vedi ultimo messaggio

Nessun messaggio da leggere
Nacerdes (Nacerdes) melanura (Linnaeus, 1758) - Oedemeridae
4.VI.2016 - ITALIA - Sardegna - CI
Allegato(i) Dettagli della specie
Nacerdes (Nacerdes) melanura (Linnaeus, 1758)
Oedemeridae


4.VI.2016 - ITALIA - Sardegna - CI
Coleoptera

Fumea crassiorella

0

994

07/06/2016, 7:12

Fumea crassiorella Vedi ultimo messaggio

Nessun messaggio da leggere
Allegato(i) Dettagli della specie
Oedemera (Oedemera) nobilis (Scopoli, 1763) cf.
Oedemeridae


2.VI.2016 - ITALIA - Liguria - GE
Coleoptera

Antonio Pareto

3

1158

03/06/2016, 17:58

Antonio Pareto Vedi ultimo messaggio

Nessun messaggio da leggere
Allegato(i) Dettagli della specie
Oedemera (Oedemera) podagrariae podagrariae (Linnaeus, 1767)
Oedemeridae


28.IV.2016 - ITALIA - Sicilia - SR
Coleoptera

Gregorio

3

1244

08/05/2016, 17:48

Gregorio Vedi ultimo messaggio

Nessun messaggio da leggere
Oedemera sp. - Oedemeridae
9.IV.2016 - ITALIA - Lazio - RM
Allegato(i)
Oedemera sp. - Oedemeridae

9.IV.2016 - ITALIA - Lazio - RM
Coleoptera

Edo

5

1340

18/04/2016, 19:33

Edo Vedi ultimo messaggio

Nessun messaggio da leggere
Oedemera (Oedemera) barbara (Fabricius, 1792) - Oedemeridae
3.VI.2015 - ITALIA - Sardegna - VS
Allegato(i) Dettagli della specie
Oedemera (Oedemera) barbara (Fabricius, 1792)
Oedemeridae


3.VI.2015 - ITALIA - Sardegna - VS
Coleoptera

Fumea crassiorella

4

1466

11/01/2016, 15:51

Chalybion Vedi ultimo messaggio

Nessun messaggio da leggere
Oedemera sp. - Oedemeridae
30.VI.2013 - GRECIA - EE
Allegato(i)
Oedemera sp. - Oedemeridae

30.VI.2013 - GRECIA - EE
Coleoptera

paolofon

0

838

01/01/2016, 18:43

paolofon Vedi ultimo messaggio

Nessun messaggio da leggere
Sparedrus orsinii A. Costa, 1852 - Oedemeridae
30.VI.2012 - ITALIA - Toscana - FI
Allegato(i)
Sparedrus orsinii A. Costa, 1852 - Oedemeridae

30.VI.2012 - ITALIA - Toscana - FI
Coleoptera

Chalybion

0

2468

27/11/2015, 22:43

Chalybion Vedi ultimo messaggio

Nessun messaggio da leggere
Allegato(i) Dettagli della specie
Oedemera (Oedemera) podagrariae podagrariae (Linnaeus, 1767)
Oedemeridae


30.VI.2004 - ITALIA - Toscana - PO
Coleoptera

Andream

2

1238

25/10/2015, 15:31

Andream Vedi ultimo messaggio

Nessun messaggio da leggere
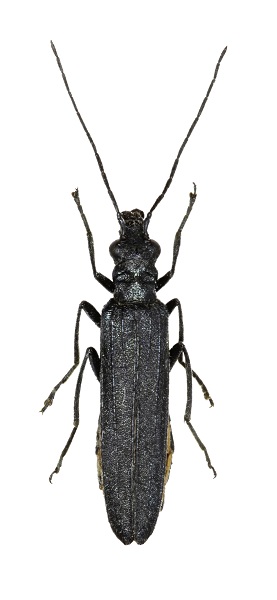
Anogcodes ruficollis (Fabricius, 1781) ♂ - Oedemeridae
20.VI.2003 - ITALIA - Toscana - PO
Allegato(i)
Anogcodes ruficollis (Fabricius, 1781) ♂ - Oedemeridae

20.VI.2003 - ITALIA - Toscana - PO
Coleoptera

Andream

2

1405

23/10/2015, 19:04

Andream Vedi ultimo messaggio

Nessun messaggio da leggere
Anogcodes ruficollis (Fabricius, 1781) ♀ - Oedemeridae
13.VI.2000 - ITALIA - Emilia-Romagna - BO
Allegato(i)
Anogcodes ruficollis (Fabricius, 1781) ♀ - Oedemeridae

13.VI.2000 - ITALIA - Emilia-Romagna - BO
Coleoptera

Andream

3

1282

23/10/2015, 18:54

Chalybion Vedi ultimo messaggio

Nessun messaggio da leggere
Allegato(i) Dettagli della specie
Oedemera (Oedemera) podagrariae podagrariae (Linnaeus, 1767)
Oedemeridae


1.VI.2015 - ITALIA - Lombardia - LC
Coleoptera

etguarna

6

1943

17/10/2015, 15:44

etguarna Vedi ultimo messaggio

Nessun messaggio da leggere
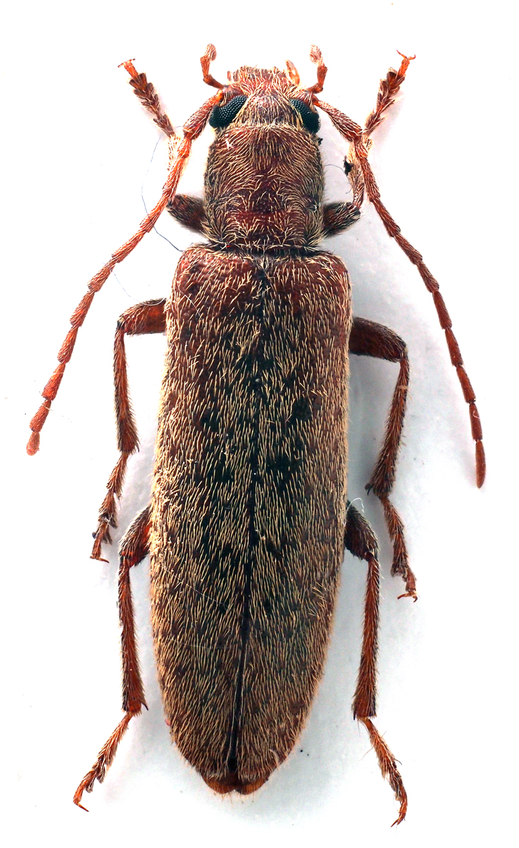
Sparedrus orsinii A.Costa, 1852 - Oedemeridae
10.VIII.2013 - ITALIA - Marche - MC
Allegato(i) Dettagli della specie
Sparedrus orsinii A.Costa, 1852
Oedemeridae


10.VIII.2013 - ITALIA - Marche - MC
Coleoptera

StagBeetle

8

2383

03/10/2015, 15:12

StagBeetle Vedi ultimo messaggio

Nessun messaggio da leggere
Allegato(i) Dettagli della specie
Oedemera (Oedemera) podagrariae podagrariae (Linnaeus, 1767)
Oedemeridae


18.VI.2015 - ITALIA - Lombardia - SO
Coleoptera

skip

4

1387

21/09/2015, 17:57

skip Vedi ultimo messaggio

Nessun messaggio da leggere
Anogcodes ruficollis (Fabricius, 1781) - Oedemeridae
9.V.2015 - ITALIA - Emilia-Romagna - MO
Allegato(i) Dettagli della specie
Anogcodes ruficollis (Fabricius, 1781)
Oedemeridae


9.V.2015 - ITALIA - Emilia-Romagna - MO
Coleoptera

Giadabas

3

1336

09/09/2015, 20:46

Giadabas Vedi ultimo messaggio

Nessun messaggio da leggere
Oedemera gr. virescens - Oedemeridae
30.III.2015 - MALTA - EE
Allegato(i)
Oedemera gr. virescens - Oedemeridae

30.III.2015 - MALTA - EE
Coleoptera

Fumea crassiorella

2

808

03/09/2015, 19:32

Fumea crassiorella Vedi ultimo messaggio

Nessun messaggio da leggere
Stenostoma rostratum (Fabricius, 1787) - Oedemeridae
2.VI.2015 - ITALIA - Sardegna - VS
Allegato(i) Dettagli della specie
Stenostoma rostratum (Fabricius, 1787)
Oedemeridae


2.VI.2015 - ITALIA - Sardegna - VS
Coleoptera

Fumea crassiorella

0

883

06/08/2015, 9:14

Fumea crassiorella Vedi ultimo messaggio

Nessun messaggio da leggere
Allegato(i)
Stenostoma melitense Cameron, 1907 - Oedemeridae

9.VI.2015 - MALTA - EE
Coleoptera

Fumea crassiorella

1

908

06/08/2015, 8:37

Glaphyrus Vedi ultimo messaggio

Nessun messaggio da leggere
Anogcodes rufiventris (Scopoli, 1763) (cf.) - Oedemeridae
22.VII.2015 - ITALIA - Trentino-Alto Adige - TN
Allegato(i)
Anogcodes rufiventris (Scopoli, 1763) (cf.) - Oedemeridae

22.VII.2015 - ITALIA - Trentino-Alto Adige - TN
Coleoptera

gigilmozzi

2

874

23/07/2015, 18:09

gigilmozzi Vedi ultimo messaggio

Nessun messaggio da leggere
Nacerdes carniolica (Gistl, 1832) - Oedemeridae
2.VI.2012 - ITALIA - Toscana - LU
Allegato(i)
Nacerdes carniolica (Gistl, 1832) - Oedemeridae

2.VI.2012 - ITALIA - Toscana - LU
Coleoptera

Michael

2

823

03/07/2015, 13:55

Michael Vedi ultimo messaggio

Nessun messaggio da leggere
Oedemera (Oedemera) nobilis (Scopoli, 1763) ♂ - Oedemeridae
22.VI.2015 - REGNO UNITO - Inghilterra - EE
Allegato(i)
Oedemera (Oedemera) nobilis (Scopoli, 1763) ♂ - Oedemeridae

22.VI.2015 - REGNO UNITO - Inghilterra - EE
Coleoptera

Markoo

4

913

27/06/2015, 21:17

Markoo Vedi ultimo messaggio

Nessun messaggio da leggere
Allegato(i) Dettagli della specie
Nacerdes (Nacerdes) melanura (Linnaeus, 1758)
Oedemeridae


14.V.2015 - FRANCIA - EE
Coleoptera

Andream

2

906

30/05/2015, 23:35

Andream Vedi ultimo messaggio

Nessun messaggio da leggere
Oedemera (Oedemera) nobilis (Scopoli, 1763) - Oedemeridae
24.V.2015 - ITALIA - Liguria - GE
Allegato(i) Dettagli della specie
Oedemera (Oedemera) nobilis (Scopoli, 1763)
Oedemeridae

[ Vai alla paginaVai alla pagina: 1, 2 ]



24.V.2015 - ITALIA - Liguria - GE
Coleoptera

Ayakuccia

17

3335

27/05/2015, 13:08

Tenebrio Vedi ultimo messaggio

Nessun messaggio da leggere
Nacerdes (Nacerdes) melanura (Linnaeus, 1758) - Oedemeridae
6.V.2015 - ITALIA - Lombardia - MI
Allegato(i) Dettagli della specie
Nacerdes (Nacerdes) melanura (Linnaeus, 1758)
Oedemeridae


6.V.2015 - ITALIA - Lombardia - MI
Coleoptera

ArhopalusJones

7

1817

22/05/2015, 7:51

hutia Vedi ultimo messaggio

Nessun messaggio da leggere
Anogcodes ruficollis (Fabricius, 1781) - Oedemeridae
19.V.2015 - ITALIA - Lombardia - CR
Allegato(i) Dettagli della specie
Anogcodes ruficollis (Fabricius, 1781)
Oedemeridae


19.V.2015 - ITALIA - Lombardia - CR
Coleoptera

betelges

3

1293

20/05/2015, 10:14

hutia Vedi ultimo messaggio

Nessun messaggio da leggere
Allegato(i) Dettagli della specie
Oedemera (Oedemera) croceicollis Gyllenhall, 1827
Oedemeridae


29.V.2011 - TURCHIA - EE
Coleoptera

Baris99

7

1902

23/02/2015, 23:16

strepens Vedi ultimo messaggio

Nessun messaggio da leggere
Anogcodes fulvicollis (Scopoli, 1763) var. medius - Oedemeridae
10.IX.2014 - ITALIA - Trentino-Alto Adige - TN
Allegato(i)
Anogcodes fulvicollis (Scopoli, 1763) var. medius - Oedemeridae

10.IX.2014 - ITALIA - Trentino-Alto Adige - TN
Coleoptera

gigilmozzi

4

954

02/01/2015, 17:16

gigilmozzi Vedi ultimo messaggio

Nessun messaggio da leggere
Anogcodes fulvicollis (Scopoli, 1763) (cf.) - Oedemeridae
10.IX.2014 - ITALIA - Trentino-Alto Adige - TN
Allegato(i)
Anogcodes fulvicollis (Scopoli, 1763) (cf.) - Oedemeridae

10.IX.2014 - ITALIA - Trentino-Alto Adige - TN
Coleoptera

gigilmozzi

3

1010

21/12/2014, 16:24

Chalybion Vedi ultimo messaggio

Nessun messaggio da leggere
Allegato(i)
Nacerdochroa (Holoxantha) concolor (Brullé, 1839) - Oedemeridae

17.VIII.1992 - SPAGNA - EE
Coleoptera

Davide Castelli

2

1100

07/11/2014, 14:40

Davide Castelli Vedi ultimo messaggio

Nessun messaggio da leggere
Anogcodes ruficollis (Fabricius, 1781) - Oedemeridae
31.V.2014 - ITALIA - Marche - MC
Allegato(i) Dettagli della specie
Anogcodes ruficollis (Fabricius, 1781)
Oedemeridae


31.V.2014 - ITALIA - Marche - MC
Coleoptera

StagBeetle

3

1336

07/08/2014, 21:55

StagBeetle Vedi ultimo messaggio

Nessun messaggio da leggere
Allegato(i)
Nacerdes (Xanthochroa) carniolica carniolica (Gistl, 1834) - Oedemeridae Nacerdini

26.VII.2014 - ITALIA - Toscana - PT
Coleoptera

baratti48

4

1454

07/08/2014, 16:10

baratti48 Vedi ultimo messaggio

Nessun messaggio da leggere
Allegato(i) Dettagli della specie
Oedemera (Oncomera) femoralis femoralis Olivier, 1803
Oedemeridae


21.VI.2014 - ITALIA - Sicilia - PA
Coleoptera

carabus

3

1264

22/06/2014, 19:23

carabus Vedi ultimo messaggio

Nessun messaggio da leggere
Anogcodes ustulatus (Scopoli, 1763) - Oedemeridae
1.VIII.2008 - BULGARIA - EE
Allegato(i) Dettagli della specie
Anogcodes ustulatus (Scopoli, 1763)
Oedemeridae


1.VIII.2008 - BULGARIA - EE
Coleoptera

Joro

4

1671

18/06/2014, 13:41

Honza Vedi ultimo messaggio

Nessun messaggio da leggere
Allegato(i)
Oedemera (Oedemera) lurida (Marsham, 1802) (cf.) - Oedemeridae

22.IV.2014 - ITALIA - Toscana - AR
Coleoptera

ff57

1

934

20/05/2014, 22:41

Chalybion Vedi ultimo messaggio

Nessun messaggio da leggere
Allegato(i) Dettagli della specie
Oedemera (Oedemera) podagrariae podagrariae (Linnaeus, 1767)
Oedemeridae


1.VI.2013 - ITALIA - Campania - SA
Coleoptera

francescoparisi

2

992

12/05/2014, 8:13

francescoparisi Vedi ultimo messaggio

Nessun messaggio da leggere
Allegato(i) Dettagli della specie
Oedemera (Oedemera) lurida lurida (Marsham, 1802)
Oedemeridae


VI.2013 - ITALIA - Veneto - BL
Coleoptera

Maw89

5

1416

23/04/2014, 15:42

Julodis Vedi ultimo messaggio

Nessun messaggio da leggere
Oedemera (Stenaxis) annulata German, 1824 - Oedemeridae
VII.2013 - ITALIA - Veneto - BL
Allegato(i) Dettagli della specie
Oedemera (Stenaxis) annulata German, 1824
Oedemeridae


VII.2013 - ITALIA - Veneto - BL
Coleoptera

Maw89

6

1665

17/04/2014, 19:53

Chalybion Vedi ultimo messaggio

Nessun messaggio da leggere
Allegato(i) Dettagli della specie
Oedemera (Oedemera) virescens (Linnaeus, 1767)
Oedemeridae


IV.2014 - ITALIA - Veneto - BL
Coleoptera

Maw89

2

1007

09/04/2014, 19:03

Maw89 Vedi ultimo messaggio

Visualizza ultimi argomenti:  Ordina per  Ordine:  
nuovo argomento
Vai alla pagina Precedente  1, 2, 3, 4, 5, 6, 7, 8  Prossimo
Pagina 4 di 8 [ 352 argomenti ]

Tutti gli orari sono UTC + 1 ora [ ora legale ]


Chi c’è in linea

Visitano il forum: Nessuno e 1 ospite


Legenda
Messaggi da leggere Messaggi da leggere Nessun messaggio da leggere Nessun messaggio da leggere Annuncio Annuncio
 
Specie indeterminata / discussione generica
Messaggi non letti [ Popolari ] Messaggi non letti [ Popolari ] Nessun messaggio da leggere [ Popolare ] Nessun messaggio da leggere [ Popolare ] Importante Importante
 
Specie determinata fino al genere o cf.
Messaggi non letti [ Bloccati ] Messaggi non letti [ Bloccati ] No messaggi non letti [ Bloccati ] No messaggi non letti [ Bloccati ] Argomento spostato Argomento spostato
 
Specie correttamente determinata
Permessi
Non puoi aprire nuovi argomenti
Non puoi rispondere negli argomenti
Non puoi modificare i tuoi messaggi
Non puoi cancellare i tuoi messaggi
Non puoi inviare allegati

Cerca per:
Vai a: