Benvenuto Ospite

Forum Entomologi Italiani

www.entomologiitaliani.net/forum
 
Oggi è 07/11/2025, 14:08

Tutti gli orari sono UTC + 1 ora [ ora legale ]


70% 
186 taxa correttamente determinati su 266 presenti in archivio

Oedemeridae


[ AFROTROPICALE ] [ ANTARTICO ] [ AUSTRALASIANO ] [ NEARTICO ] [ NEOTROPICALE ] [ ORIENTALE ] [ PALEARTICO ]


nuovo argomento
Vai alla pagina Precedente  1 ... 3, 4, 5, 6, 7, 8  Prossimo
Pagina 6 di 8 [ 352 argomenti ]
 Argomenti   Ordine   Autore   Risposte   Visite    Ultimo messaggio 
Annunci
Nessun messaggio da leggere
Allegato(i)
Incontri entomologici telematici organizzati dalla Società Entomologica Italiana nel 2022 e nel 2023

[ Vai alla paginaVai alla pagina: 1, 2, 3 ]

 

Velvet Ant

44

1425551

03/03/2023, 15:55

Velvet Ant Vedi ultimo messaggio

Nessun messaggio da leggere  
Allegato(i)
Sondaggio sul declino dell'entomofauna in Italia

[ Vai alla paginaVai alla pagina: 1, 2, 3, 4 ]

 

Velvet Ant

52

1753143

22/10/2022, 19:18

Acquarius Vedi ultimo messaggio

Nessun messaggio da leggere  
Allegato(i)
Progetto: Bibliografia ragionata dei lavori entomologici nei quali sono citati reperti apparsi su FEI

[ Vai alla paginaVai alla pagina: 1, 2, 3 ]

 

Velvet Ant

33

1168005

06/07/2023, 18:31

Orotrechus Vedi ultimo messaggio

Nessun messaggio da leggere
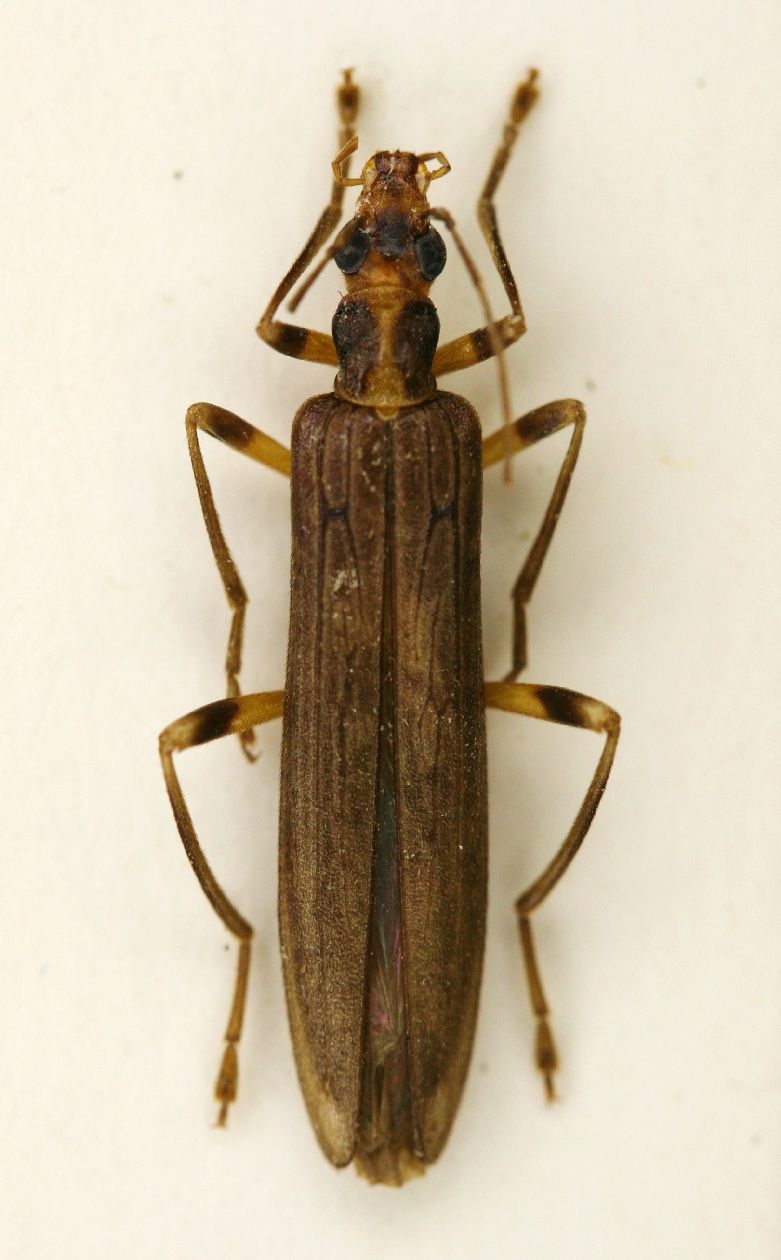
Anogcodes ruficollis (Fabricius, 1781) - Oedemeridae
27.V.2019 - ITALIA - Marche - AN
Allegato(i) Dettagli della specie
Anogcodes ruficollis (Fabricius, 1781)
Oedemeridae


27.V.2019 - ITALIA - Marche - AN
Coleoptera

StagBeetle

7

2135

12/06/2019, 14:51

Plagionotus Vedi ultimo messaggio

Nessun messaggio da leggere
Allegato(i)
Mimesi, il primo documentario cinematografico sull’entomologia in Italia: casting
 

mazzeip

1

456313

28/02/2019, 20:26

mazzeip Vedi ultimo messaggio

Questo argomento è bloccato, non puoi modificare o inviare ulteriori messaggi.
Allegato(i)
ISTRUZIONI PUBBLICAZIONE NUOVI ARGOMENTI E FOTO

 
Altri Ordini di Insetti

Julodis

4

897962

13/05/2015, 19:37

Julodis Vedi ultimo messaggio

Nessun messaggio da leggere
Allegato(i)
Limitatore giornaliero di messaggi, uno strumento utile e ormai indispensabile

[ Vai alla paginaVai alla pagina: 1 ... 14, 15, 16 ]

 

Velvet Ant

233

8807400

25/09/2014, 14:31

Inachis Vedi ultimo messaggio

Nessun messaggio da leggere  
NORME PER I COLLABORATORI DEL FORUM

 
 

Velvet Ant

0

478625

02/06/2011, 12:05

Velvet Ant Vedi ultimo messaggio

Nessun messaggio da leggere
Allegato(i)
NORME PER GLI UTENTI DEL FORUM

[ Vai alla paginaVai alla pagina: 1, 2, 3 ]



 
 

Velvet Ant

30

2343606

23/09/2014, 23:54

Maurizio Bollino Vedi ultimo messaggio

Nessun messaggio da leggere  
Lista degli utenti del "Forum entomologi italiani" per campi di interesse e specializzazione

 
Altri Ordini di Insetti

Velvet Ant

13

943171

07/09/2023, 17:14

Roberto-07 Vedi ultimo messaggio

Argomenti
Nessun messaggio da leggere
Allegato(i) Dettagli della specie
Oedemera (Oedemera) flavipes (Fabricius, 1792) cf.
Oedemeridae


1.V.2012 - ITALIA - Sicilia - TP
Coleoptera

Marco Ferrante

6

1325

03/06/2012, 21:30

Marco Ferrante Vedi ultimo messaggio

Nessun messaggio da leggere
Allegato(i) Dettagli della specie
Oedemera (Oedemera) nobilis (Scopoli, 1763) cf.
Oedemeridae


23.V.2012 - ITALIA - Campania - NA
Coleoptera

Pylio

7

1808

03/06/2012, 16:53

Pylio Vedi ultimo messaggio

Nessun messaggio da leggere
Oedemera (Oedemera) flavipes (Fabricius, 1792) - Oedemeridae
29.IV.2012 - ITALIA - Sicilia - CT
Allegato(i) Dettagli della specie
Oedemera (Oedemera) flavipes (Fabricius, 1792)
Oedemeridae


29.IV.2012 - ITALIA - Sicilia - CT
Coleoptera

Lucanus tetraodon

2

1339

08/05/2012, 21:27

Lucanus tetraodon Vedi ultimo messaggio

Nessun messaggio da leggere
Allegato(i) Dettagli della specie
Nacerdes (Nacerdes) melanura (Linnaeus, 1758)
Oedemeridae


VI.2009 - ITALIA - Sicilia - ME
Coleoptera

Lucanus tetraodon

2

994

02/03/2012, 21:08

Lucanus tetraodon Vedi ultimo messaggio

Nessun messaggio da leggere
Oedemera (Oedemera) simplex (Linnaeus, 1767) - Oedemeridae
2.VI.2011 - ITALIA - Sicilia - ME
Allegato(i) Dettagli della specie
Oedemera (Oedemera) simplex (Linnaeus, 1767)
Oedemeridae


2.VI.2011 - ITALIA - Sicilia - ME
Coleoptera

Lucanus tetraodon

3

1049

22/02/2012, 21:51

Lucanus tetraodon Vedi ultimo messaggio

Nessun messaggio da leggere
Oedemera (Oedemera) nobilis (Scopoli, 1763) - Oedemeridae
2.VI.2011 - ITALIA - Sicilia - ME
Allegato(i) Dettagli della specie
Oedemera (Oedemera) nobilis (Scopoli, 1763)
Oedemeridae


2.VI.2011 - ITALIA - Sicilia - ME
Coleoptera

Lucanus tetraodon

3

1216

22/02/2012, 10:48

Lucanus tetraodon Vedi ultimo messaggio

Nessun messaggio da leggere
Sparedrus orsinii A.Costa, 1852 - Oedemeridae
24.VI.2011 - ITALIA - Umbria - PG
Allegato(i) Dettagli della specie
Sparedrus orsinii A.Costa, 1852
Oedemeridae

[ Vai alla paginaVai alla pagina: 1, 2 ]



24.VI.2011 - ITALIA - Umbria - PG
Coleoptera

Maura

16

4532

13/02/2012, 19:23

Julodis Vedi ultimo messaggio

Nessun messaggio da leggere
Allegato(i) Dettagli della specie
Oedemera (Oedemera) podagrariae podagrariae (Linnaeus, 1767)
Oedemeridae


24.VII.2009 - ROMANIA - EE
Coleoptera

alexaandru

2

1220

07/02/2012, 3:14

Andricus Vedi ultimo messaggio

Nessun messaggio da leggere
Anogcodes fulvicollis (Scopoli, 1763) - Oedemeridae
29.VII.2011 - ITALIA - Trentino-Alto Adige - TN
Allegato(i) Dettagli della specie
Anogcodes fulvicollis (Scopoli, 1763)
Oedemeridae


29.VII.2011 - ITALIA - Trentino-Alto Adige - TN
Coleoptera

Olaffio

4

1592

20/12/2011, 19:38

FORBIX Vedi ultimo messaggio

Nessun messaggio da leggere
Chrysantia viridissima (Linnaeus, 1758) - Oedemeridae
5.V.2011 - ITALIA - Emilia-Romagna - PR
Allegato(i)
Chrysantia viridissima (Linnaeus, 1758) - Oedemeridae

5.V.2011 - ITALIA - Emilia-Romagna - PR
Coleoptera

antoEandrea

2

1178

14/12/2011, 22:34

Chrysanthia Vedi ultimo messaggio

Nessun messaggio da leggere
Nacerdes (Nacerdes) melanura (Linnaeus, 1758) - Oedemeridae
15.VI.2011 - ITALIA - Sicilia - ME
Allegato(i) Dettagli della specie
Nacerdes (Nacerdes) melanura (Linnaeus, 1758)
Oedemeridae


15.VI.2011 - ITALIA - Sicilia - ME
Coleoptera

Lucanus tetraodon

3

1252

08/12/2011, 19:06

Lucanus tetraodon Vedi ultimo messaggio

Nessun messaggio da leggere
Oedemera (Oedemera) flavipes (Fabricius, 1792) - Oedemeridae
2.VII.2011 - ITALIA - Emilia-Romagna - BO
Allegato(i) Dettagli della specie
Oedemera (Oedemera) flavipes (Fabricius, 1792)
Oedemeridae


2.VII.2011 - ITALIA - Emilia-Romagna - BO
Coleoptera

Olaffio

2

1069

10/11/2011, 23:13

Olaffio Vedi ultimo messaggio

Nessun messaggio da leggere
Oedemera (Oedemera) nobilis (Scopoli, 1763) - Oedemeridae
12.VII.2011 - ITALIA - Lazio - VT
Allegato(i) Dettagli della specie
Oedemera (Oedemera) nobilis (Scopoli, 1763)
Oedemeridae


12.VII.2011 - ITALIA - Lazio - VT
Coleoptera

Andricus

0

747

03/11/2011, 22:56

Andricus Vedi ultimo messaggio

Nessun messaggio da leggere
Oedemera (Oedemera) femorata (Scopoli, 1763) - Oedemeridae
4.VI.2011 - ITALIA - Abruzzo - AQ
Allegato(i) Dettagli della specie
Oedemera (Oedemera) femorata (Scopoli, 1763)
Oedemeridae


4.VI.2011 - ITALIA - Abruzzo - AQ
Coleoptera

Claude54

2

1105

30/10/2011, 20:54

Andricus Vedi ultimo messaggio

Nessun messaggio da leggere
Allegato(i) Dettagli della specie
Oedemera (Oedemera) flavipes (Fabricius, 1792)
Oedemeridae


VI.2011 - ITALIA - Lazio - VT
Coleoptera

Andricus

0

841

11/10/2011, 22:43

Andricus Vedi ultimo messaggio

Nessun messaggio da leggere
Allegato(i) Dettagli della specie
Oedemera (Oedemera) simplex (Linnaeus, 1767)
Oedemeridae


9.V.2011 - PORTOGALLO - EE
Coleoptera

sarahpogue

1

1007

10/10/2011, 22:50

Andricus Vedi ultimo messaggio

Nessun messaggio da leggere
Anogcodes ruficollis (Fabricius, 1781) - Oedemeridae
2.VII.2011 - ITALIA - Veneto - VE
Allegato(i) Dettagli della specie
Anogcodes ruficollis (Fabricius, 1781)
Oedemeridae


2.VII.2011 - ITALIA - Veneto - VE
Coleoptera

ghebo

4

1525

05/10/2011, 5:47

ghebo Vedi ultimo messaggio

Nessun messaggio da leggere
Chrisanthia geniculata (Heyden, 1877) - Oedemeridae
VII.2011 - ITALIA - Toscana - PI
Allegato(i)
Chrisanthia geniculata (Heyden, 1877) - Oedemeridae

VII.2011 - ITALIA - Toscana - PI
Coleoptera

FORBIX

3

1074

20/09/2011, 16:08

Enrico Ruzzier Vedi ultimo messaggio

Nessun messaggio da leggere
Oedemera (Oncomera) femoralis femoralis Olivier, 1803 - Oedemeridae
2.VIII.2011 - ITALIA - Trentino-Alto Adige - TN
Allegato(i) Dettagli della specie
Oedemera (Oncomera) femoralis femoralis Olivier, 1803
Oedemeridae


2.VIII.2011 - ITALIA - Trentino-Alto Adige - TN
Coleoptera

Sleepy Moose

6

1440

30/08/2011, 18:45

Sleepy Moose Vedi ultimo messaggio

Nessun messaggio da leggere
Allegato(i) Dettagli della specie
Oedemera (Oedemera) podagrariae podagrariae (Linnaeus, 1767)
Oedemeridae


5.VII.2011 - ROMANIA - EE
Coleoptera

cosmln

5

1618

25/07/2011, 13:48

FORBIX Vedi ultimo messaggio

Nessun messaggio da leggere
Allegato(i) Dettagli della specie
Oedemera (Oedemera) flavipes (Fabricius, 1792)
Oedemeridae


4.VII.2011 - ROMANIA - EE
Coleoptera

cosmln

2

1542

17/07/2011, 17:07

cosmln Vedi ultimo messaggio

Nessun messaggio da leggere
Ischnomera caerulea (Linnaeus, 1758) cf. - Oedemeridae
1.VII.2011 - ITALIA - Emilia-Romagna - FC
Allegato(i) Dettagli della specie
Ischnomera caerulea (Linnaeus, 1758) cf.
Oedemeridae


1.VII.2011 - ITALIA - Emilia-Romagna - FC
Coleoptera

Isotomus

3

1460

07/07/2011, 17:18

Isotomus Vedi ultimo messaggio

Nessun messaggio da leggere
Allegato(i) Dettagli della specie
Oedemera (Oedemera) croceicollis Gyllenhall, 1827
Oedemeridae


25.VI.2011 - ROMANIA - EE
Coleoptera

cosmln

2

1359

01/07/2011, 7:52

cosmln Vedi ultimo messaggio

Nessun messaggio da leggere
Allegato(i) Dettagli della specie
Oedemera (Oedemera) podagrariae podagrariae (Linnaeus, 1767)
Oedemeridae


23.VI.2011 - ITALIA - Sicilia - PA
Coleoptera

carabus

11

3436

26/06/2011, 14:21

Plagionotus Vedi ultimo messaggio

Nessun messaggio da leggere
Oedemera (Oedemera) nobilis (Scopoli, 1763) - Oedemeridae
28.V.2011 - ITALIA - Abruzzo - AQ
Allegato(i) Dettagli della specie
Oedemera (Oedemera) nobilis (Scopoli, 1763)
Oedemeridae


28.V.2011 - ITALIA - Abruzzo - AQ
Coleoptera

Claude54

2

1120

21/06/2011, 18:51

FORBIX Vedi ultimo messaggio

Nessun messaggio da leggere
Oedemeridae - Oedemera sp. ?
5.VI.2011 - ITALIA - Abruzzo - AQ
Allegato(i)
Oedemeridae - Oedemera sp. ?

5.VI.2011 - ITALIA - Abruzzo - AQ
Coleoptera

Claude54

0

695

21/06/2011, 13:28

Claude54 Vedi ultimo messaggio

Nessun messaggio da leggere
Oedemeridae - Chrysanthia viridissima ?
18.VI.2011 - ITALIA - Abruzzo - AQ
Allegato(i)
Oedemeridae - Chrysanthia viridissima ?

18.VI.2011 - ITALIA - Abruzzo - AQ
Coleoptera

Claude54

0

726

21/06/2011, 13:23

Claude54 Vedi ultimo messaggio

Nessun messaggio da leggere
Oedemera (Oncomera) femoralis femoralis Olivier, 1803 - Oedemeridae
15.V.2011 - ITALIA - Emilia-Romagna - BO
Allegato(i) Dettagli della specie
Oedemera (Oncomera) femoralis femoralis Olivier, 1803
Oedemeridae


15.V.2011 - ITALIA - Emilia-Romagna - BO
Coleoptera

Loriscola

1

940

11/06/2011, 7:06

Julodis Vedi ultimo messaggio

Nessun messaggio da leggere
Allegato(i) Dettagli della specie
Oedemera (Oedemera) podagrariae podagrariae (Linnaeus, 1767)
Oedemeridae


3.VI.2011 - ITALIA - Emilia-Romagna - BO
Coleoptera

Loriscola

0

757

11/06/2011, 0:03

Loriscola Vedi ultimo messaggio

Nessun messaggio da leggere
Allegato(i)
Oedemera (Oedemera) brevipennis Ganglbauer, 1881 - Oedemeridae Oedemerini

[ Vai alla paginaVai alla pagina: 1, 2 ]



26.V.2011 - TURCHIA - EE
Coleoptera

Fumea crassiorella

15

2387

10/06/2011, 12:23

Fumea crassiorella Vedi ultimo messaggio

Nessun messaggio da leggere
Anogcodes ruficollis (Fabricius, 1781) - Oedemeridae
28.V.2011 - ITALIA - Toscana - LI
Allegato(i) Dettagli della specie
Anogcodes ruficollis (Fabricius, 1781)
Oedemeridae


28.V.2011 - ITALIA - Toscana - LI
Coleoptera

FORBIX

2

1170

01/06/2011, 20:25

FORBIX Vedi ultimo messaggio

Nessun messaggio da leggere
Nacerdes (Nacerdes) melanura (Linnaeus, 1758) - Oedemeridae
28.V.2011 - ITALIA - Toscana - LI
Allegato(i) Dettagli della specie
Nacerdes (Nacerdes) melanura (Linnaeus, 1758)
Oedemeridae


28.V.2011 - ITALIA - Toscana - LI
Coleoptera

FORBIX

4

1656

01/06/2011, 20:13

FORBIX Vedi ultimo messaggio

Nessun messaggio da leggere
Allegato(i) Dettagli della specie
Oedemera (Oedemera) podagrariae podagrariae (Linnaeus, 1767)
Oedemeridae


29.V.2011 - ITALIA - Umbria - PG
Coleoptera

ilio

0

710

01/06/2011, 15:41

ilio Vedi ultimo messaggio

Nessun messaggio da leggere
Allegato(i) Dettagli della specie
Oedemera (Oedemera) podagrariae podagrariae (Linnaeus, 1767)
Oedemeridae


28.V.2011 - ITALIA - Umbria - PG
Coleoptera

ilio

0

772

29/05/2011, 11:55

ilio Vedi ultimo messaggio

Nessun messaggio da leggere
Oedemera (Oedemera) atrata W.Schmidt, 1846 - Oedemeridae
13.V.2011 - ITALIA - Umbria - PG
Allegato(i) Dettagli della specie
Oedemera (Oedemera) atrata W.Schmidt, 1846
Oedemeridae


13.V.2011 - ITALIA - Umbria - PG
Coleoptera

ilio

3

1239

28/05/2011, 19:41

Andricus Vedi ultimo messaggio

Nessun messaggio da leggere
Oedemera (Oedemera) nobilis (Scopoli, 1763) - Oedemeridae
18.V.2011 - REGNO UNITO - Inghilterra - EE
Allegato(i) Dettagli della specie
Oedemera (Oedemera) nobilis (Scopoli, 1763)
Oedemeridae


18.V.2011 - REGNO UNITO - Inghilterra - EE
Coleoptera

matthew gandy

2

953

28/05/2011, 19:39

Andricus Vedi ultimo messaggio

Nessun messaggio da leggere
Allegato(i) Dettagli della specie
Oedemera (Oedemera) atrata W.Schmidt, 1846 cf.
Oedemeridae


23.IV.2011 - ITALIA - Lazio - RM
Coleoptera

Julodis

1

894

22/05/2011, 15:08

Livio Vedi ultimo messaggio

Nessun messaggio da leggere
Ischnomera cyanea (Fabricius, 1792) cf. - Oedemeridae
21.V.2011 - ITALIA - Basilicata - MT
Allegato(i) Dettagli della specie
Ischnomera cyanea (Fabricius, 1792) cf.
Oedemeridae


21.V.2011 - ITALIA - Basilicata - MT
Coleoptera

Mimmo011

2

961

21/05/2011, 23:21

Mimmo011 Vedi ultimo messaggio

Nessun messaggio da leggere
Oedemera (Oedemera) atrata W.Schmidt, 1846 cf. - Oedemeridae
21.V.2011 - ITALIA - Basilicata - MT
Allegato(i) Dettagli della specie
Oedemera (Oedemera) atrata W.Schmidt, 1846 cf.
Oedemeridae


21.V.2011 - ITALIA - Basilicata - MT
Coleoptera

Mimmo011

2

1053

21/05/2011, 22:09

Mimmo011 Vedi ultimo messaggio

Nessun messaggio da leggere
Oedemera (Oedemera) nobilis (Scopoli, 1763) - Oedemeridae
21.V.2011 - ITALIA - Basilicata - MT
Allegato(i) Dettagli della specie
Oedemera (Oedemera) nobilis (Scopoli, 1763)
Oedemeridae


21.V.2011 - ITALIA - Basilicata - MT
Coleoptera

Mimmo011

2

1048

21/05/2011, 21:35

Mimmo011 Vedi ultimo messaggio

Nessun messaggio da leggere
Oedemera (Oedemera) nobilis (Scopoli, 1763) - Oedemeridae
14.V.2011 - ITALIA - Umbria - PG
Allegato(i) Dettagli della specie
Oedemera (Oedemera) nobilis (Scopoli, 1763)
Oedemeridae


14.V.2011 - ITALIA - Umbria - PG
Coleoptera

ilio

4

1416

17/05/2011, 19:07

ilio Vedi ultimo messaggio

Nessun messaggio da leggere
Ischnomera sp. - Oedemeridae
5.V.2011 - ITALIA - Umbria - PG
Allegato(i)
Ischnomera sp. - Oedemeridae

5.V.2011 - ITALIA - Umbria - PG
Coleoptera

ilio

2

948

07/05/2011, 23:28

ilio Vedi ultimo messaggio

Nessun messaggio da leggere
Allegato(i) Dettagli della specie
Oedemera (Oncomera) femoralis femoralis Olivier, 1803
Oedemeridae


30.IV.2011 - ITALIA - Marche - AN
Coleoptera

StagBeetle

7

1548

02/05/2011, 16:13

StagBeetle Vedi ultimo messaggio

Nessun messaggio da leggere
Oedemera (Oedemera) atrata W.Schmidt, 1846 - Oedemeridae
20.IV.2011 - ITALIA - Toscana - LI
Allegato(i) Dettagli della specie
Oedemera (Oedemera) atrata W.Schmidt, 1846
Oedemeridae


20.IV.2011 - ITALIA - Toscana - LI
Coleoptera

FORBIX

3

1055

30/04/2011, 19:23

FORBIX Vedi ultimo messaggio

Nessun messaggio da leggere
Oedemera sp. - Oedemeridae
20.IV.2011 - ITALIA - Toscana - LI
Allegato(i)
Oedemera sp. - Oedemeridae

20.IV.2011 - ITALIA - Toscana - LI
Coleoptera

FORBIX

1

877

26/04/2011, 23:49

Andricus Vedi ultimo messaggio

Nessun messaggio da leggere
Allegato(i) Dettagli della specie
Nacerdes (Xanthochroa) carniolica carniolica (Gistl, 1834)
Oedemeridae


19.VII.2010 - ITALIA - Toscana - FI
Coleoptera

Sleepy Moose

4

1499

12/04/2011, 17:27

Sleepy Moose Vedi ultimo messaggio

Nessun messaggio da leggere
Ischnomera sicula Vázquez, Bologna & Poloni - Oedemeridae
20.VI.1998 - ITALIA - Sicilia - PA
Allegato(i)
Ischnomera sicula Vázquez, Bologna & Poloni - Oedemeridae
Oedemeridae


20.VI.1998 - ITALIA - Sicilia - PA
Coleoptera

Velvet Ant

6

1822

19/03/2011, 0:30

Chrysanthia Vedi ultimo messaggio

Nessun messaggio da leggere
Oedemera (Oedemera) pthysica (Scopoli, 1763) - Oedemeridae
10.V.2009 - ITALIA - Lombardia - SO
Allegato(i) Dettagli della specie
Oedemera (Oedemera) pthysica (Scopoli, 1763)
Oedemeridae


10.V.2009 - ITALIA - Lombardia - SO
Coleoptera

Luciano Menghi

1

909

19/03/2011, 0:23

Chrysanthia Vedi ultimo messaggio

Nessun messaggio da leggere
Oedemera (Oedemera) pthysica (Scopoli, 1763) - Oedemeridae
3.VI.2007 - ITALIA - Lombardia - SO
Allegato(i) Dettagli della specie
Oedemera (Oedemera) pthysica (Scopoli, 1763)
Oedemeridae


3.VI.2007 - ITALIA - Lombardia - SO
Coleoptera

Luciano Menghi

1

977

19/03/2011, 0:17

Chrysanthia Vedi ultimo messaggio

Nessun messaggio da leggere
Oedemera (Oedemera) pthysica (Scopoli, 1763) - Oedemeridae
22.V.2007 - ITALIA - Lombardia - SO
Allegato(i) Dettagli della specie
Oedemera (Oedemera) pthysica (Scopoli, 1763)
Oedemeridae


22.V.2007 - ITALIA - Lombardia - SO
Coleoptera

Luciano Menghi

3

1106

28/02/2011, 17:53

elleelle Vedi ultimo messaggio

Visualizza ultimi argomenti:  Ordina per  Ordine:  
nuovo argomento
Vai alla pagina Precedente  1 ... 3, 4, 5, 6, 7, 8  Prossimo
Pagina 6 di 8 [ 352 argomenti ]

Tutti gli orari sono UTC + 1 ora [ ora legale ]


Chi c’è in linea

Visitano il forum: Nessuno e 1 ospite


Legenda
Messaggi da leggere Messaggi da leggere Nessun messaggio da leggere Nessun messaggio da leggere Annuncio Annuncio
 
Specie indeterminata / discussione generica
Messaggi non letti [ Popolari ] Messaggi non letti [ Popolari ] Nessun messaggio da leggere [ Popolare ] Nessun messaggio da leggere [ Popolare ] Importante Importante
 
Specie determinata fino al genere o cf.
Messaggi non letti [ Bloccati ] Messaggi non letti [ Bloccati ] No messaggi non letti [ Bloccati ] No messaggi non letti [ Bloccati ] Argomento spostato Argomento spostato
 
Specie correttamente determinata
Permessi
Non puoi aprire nuovi argomenti
Non puoi rispondere negli argomenti
Non puoi modificare i tuoi messaggi
Non puoi cancellare i tuoi messaggi
Non puoi inviare allegati

Cerca per:
Vai a: