Benvenuto Ospite

Forum Entomologi Italiani

www.entomologiitaliani.net/forum
 
Oggi è 26/12/2025, 12:35

Tutti gli orari sono UTC + 1 ora [ ora legale ]

Dasytidae


[ AFROTROPICALE ] [ ANTARTICO ] [ AUSTRALASIANO ] [ NEARTICO ] [ NEOTROPICALE ] [ ORIENTALE ] [ PALEARTICO ]


nuovo argomento
Vai alla pagina Precedente  1, 2, 3, 4, 5, 6, 7  Prossimo
Pagina 3 di 7 [ 312 argomenti ]
 Argomenti   Ordine   Autore   Risposte   Visite    Ultimo messaggio 
Annunci
Nessun messaggio da leggere
Allegato(i)
Incontri entomologici della Società Entomologica Italiana 2025-2026
 

Velvet Ant

0

14732

17/11/2025, 19:41

Velvet Ant Vedi ultimo messaggio

Nessun messaggio da leggere
Allegato(i)
Incontri entomologici telematici organizzati dalla Società Entomologica Italiana nel 2022 e nel 2023

[ Vai alla paginaVai alla pagina: 1, 2, 3 ]

 

Velvet Ant

44

1710726

03/03/2023, 15:55

Velvet Ant Vedi ultimo messaggio

Nessun messaggio da leggere  
Allegato(i)
Sondaggio sul declino dell'entomofauna in Italia

[ Vai alla paginaVai alla pagina: 1, 2, 3, 4 ]

 

Velvet Ant

52

2336020

22/10/2022, 19:18

Acquarius Vedi ultimo messaggio

Nessun messaggio da leggere  
Allegato(i)
Progetto: Bibliografia ragionata dei lavori entomologici nei quali sono citati reperti apparsi su FEI

[ Vai alla paginaVai alla pagina: 1, 2, 3 ]

 

Velvet Ant

33

1373712

06/07/2023, 18:31

Orotrechus Vedi ultimo messaggio

Nessun messaggio da leggere
Allegato(i)
Mimesi, il primo documentario cinematografico sull’entomologia in Italia: casting
 

mazzeip

1

1089983

28/02/2019, 20:26

mazzeip Vedi ultimo messaggio

Questo argomento è bloccato, non puoi modificare o inviare ulteriori messaggi.
Allegato(i)
ISTRUZIONI PUBBLICAZIONE NUOVI ARGOMENTI E FOTO

 
Altri Ordini di Insetti

Julodis

4

2888940

13/05/2015, 19:37

Julodis Vedi ultimo messaggio

Nessun messaggio da leggere
Allegato(i)
Limitatore giornaliero di messaggi, uno strumento utile e ormai indispensabile

[ Vai alla paginaVai alla pagina: 1 ... 14, 15, 16 ]

 

Velvet Ant

233

12476646

25/09/2014, 14:31

Inachis Vedi ultimo messaggio

Nessun messaggio da leggere  
NORME PER I COLLABORATORI DEL FORUM

 
 

Velvet Ant

0

634230

02/06/2011, 12:05

Velvet Ant Vedi ultimo messaggio

Nessun messaggio da leggere
Allegato(i)
NORME PER GLI UTENTI DEL FORUM

[ Vai alla paginaVai alla pagina: 1, 2, 3 ]



 
 

Velvet Ant

30

3490290

23/09/2014, 23:54

Maurizio Bollino Vedi ultimo messaggio

Nessun messaggio da leggere  
Lista degli utenti del "Forum entomologi italiani" per campi di interesse e specializzazione

 
Altri Ordini di Insetti

Velvet Ant

13

1012821

07/09/2023, 17:14

Roberto-07 Vedi ultimo messaggio

Argomenti
Nessun messaggio da leggere
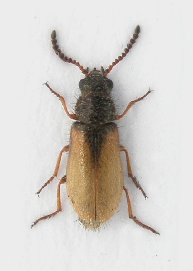
Aplocnemus jejunus Kiesenwetter, 1863 - Dasytidae
29.I.2017 - ITALIA - Sardegna - CA
Allegato(i)
Aplocnemus jejunus Kiesenwetter, 1863 - Dasytidae

29.I.2017 - ITALIA - Sardegna - CA
Coleoptera

Fumea crassiorella

2

902

29/01/2017, 23:50

Fumea crassiorella Vedi ultimo messaggio

Nessun messaggio da leggere
Aplocnemus (Aplocnemus) pectinatus (Küster, 1849) - Dasytidae
23.IV.2016 - ITALIA - Sardegna - SS
Allegato(i)
Aplocnemus (Aplocnemus) pectinatus (Küster, 1849) - Dasytidae

23.IV.2016 - ITALIA - Sardegna - SS
Coleoptera

Andrea Pergine

3

1028

16/01/2017, 17:45

Andrea Pergine Vedi ultimo messaggio

Nessun messaggio da leggere
Dasytes (Hypodasytes) coerulescens Kuster, 1852 - Dasytidae
23.IV.2016 - ITALIA - Sardegna - SS
Allegato(i)
Dasytes (Hypodasytes) coerulescens Kuster, 1852 - Dasytidae

23.IV.2016 - ITALIA - Sardegna - SS
Coleoptera

Andrea Pergine

4

1019

12/01/2017, 22:19

gabrif Vedi ultimo messaggio

Nessun messaggio da leggere
Psilothrix viridicoerulea (Geoffroy, 1785) - Dasytidae
14.IV.2016 - ITALIA - Calabria - CS
Allegato(i)
Psilothrix viridicoerulea (Geoffroy, 1785) - Dasytidae

14.IV.2016 - ITALIA - Calabria - CS
Coleoptera

Uvettino

4

882

31/12/2016, 18:43

Uvettino Vedi ultimo messaggio

Nessun messaggio da leggere
Dasytes sp. - Dasytidae
1.VI.2014 - ITALIA - Lombardia - BS
Allegato(i)
Dasytes sp. - Dasytidae

1.VI.2014 - ITALIA - Lombardia - BS
Coleoptera

Livio

3

537

02/10/2016, 15:51

Livio Vedi ultimo messaggio

Nessun messaggio da leggere
Amauronia sp. - Dasytidae
11.VI.2015 - BULGARIA - EE
Allegato(i)
Amauronia sp. - Dasytidae

11.VI.2015 - BULGARIA - EE
Coleoptera

togaspain

2

531

28/09/2016, 15:45

togaspain Vedi ultimo messaggio

Nessun messaggio da leggere
Allegato(i)
Dasytes (Dasytes) thoracicus thoracicus Mulsant & Rey 1868 - Dasytidae

17.VI.2016 - ITALIA - Liguria - SP
Coleoptera

gabrif

1

683

27/09/2016, 8:18

Loriscola Vedi ultimo messaggio

Nessun messaggio da leggere
Danacea marginata (Küster, 1851) - Dasytidae
23.V.2016 - ALBANIA - EE
Allegato(i)
Danacea marginata (Küster, 1851) - Dasytidae

23.V.2016 - ALBANIA - EE
Coleoptera

togaspain

3

1132

21/09/2016, 21:32

gabrif Vedi ultimo messaggio

Nessun messaggio da leggere
Psilothrix sp. - Dasytidae
3.VII.2016 - ITALIA - Lazio - RI
Allegato(i)
Psilothrix sp. - Dasytidae

3.VII.2016 - ITALIA - Lazio - RI
Coleoptera

wgliinsetti

3

916

10/09/2016, 8:54

wgliinsetti Vedi ultimo messaggio

Nessun messaggio da leggere
Allegato(i)
Dasytes (Hypodasytes) metallicus (Fabricius, 1792) - Dasytidae

27.IV.2015 - ITALIA - Sicilia - CT
Coleoptera

togaspain

7

1181

06/09/2016, 13:56

togaspain Vedi ultimo messaggio

Nessun messaggio da leggere
Aplocnemus sp. - Dasytidae
4.V.2016 - ITALIA - Veneto - VE
Allegato(i)
Aplocnemus sp. - Dasytidae

4.V.2016 - ITALIA - Veneto - VE
Coleoptera

ghebo

3

544

31/08/2016, 12:53

ghebo Vedi ultimo messaggio

Nessun messaggio da leggere
Dolichosoma lineare (Rossi, 1792) - Dasytidae
28.VI.2016 - ITALIA - Lombardia - BG
Allegato(i)
Dolichosoma lineare (Rossi, 1792) - Dasytidae

28.VI.2016 - ITALIA - Lombardia - BG
Coleoptera

Giuseppe Zanetti

2

387

17/07/2016, 17:21

gabrif Vedi ultimo messaggio

Nessun messaggio da leggere
Psilothrix sp. (cf.) - Dasytidae
14.V.2016 - ITALIA - Sicilia - PA
Allegato(i)
Psilothrix sp. (cf.) - Dasytidae

14.V.2016 - ITALIA - Sicilia - PA
Coleoptera

Roberto Viviano

2

429

16/07/2016, 1:09

Roberto Viviano Vedi ultimo messaggio

Nessun messaggio da leggere
Dasytes sp. - Dasytidae
3.VI.2015 - ITALIA - Lazio - RM
Allegato(i)
Dasytes sp. - Dasytidae

3.VI.2015 - ITALIA - Lazio - RM
Coleoptera

wgliinsetti

1

358

15/07/2016, 20:06

gabrif Vedi ultimo messaggio

Nessun messaggio da leggere
Enicopus sp. - Dasytidae
25.VI.2016 - ITALIA - Lazio - RM
Allegato(i)
Enicopus sp. - Dasytidae

25.VI.2016 - ITALIA - Lazio - RM
Coleoptera

Edo

2

483

13/07/2016, 10:20

Edo Vedi ultimo messaggio

Nessun messaggio da leggere
Dasytes sp. - Dasytidae
IV.2016 - ITALIA - Sicilia - PA
Allegato(i)
Dasytes sp. - Dasytidae

IV.2016 - ITALIA - Sicilia - PA
Coleoptera

Roberto Viviano

2

592

12/07/2016, 23:23

Roberto Viviano Vedi ultimo messaggio

Nessun messaggio da leggere
Enicopus ater (Fabricius, 1787) - Dasytidae
30.VI.2016 - ITALIA - Liguria - GE
Allegato(i)
Enicopus ater (Fabricius, 1787) - Dasytidae

30.VI.2016 - ITALIA - Liguria - GE
Coleoptera

Antonio Pareto

3

820

02/07/2016, 15:13

gabrif Vedi ultimo messaggio

Nessun messaggio da leggere
Psilothrix aureola (Kiesenwetter, 1859) - Dasytidae
10.VI.2016 - ITALIA - Toscana - LI
Allegato(i)
Psilothrix aureola (Kiesenwetter, 1859) - Dasytidae

10.VI.2016 - ITALIA - Toscana - LI
Coleoptera

FORBIX

7

826

27/06/2016, 20:31

gabrif Vedi ultimo messaggio

Nessun messaggio da leggere
Allegato(i)
Danacea (Danacea) nigritarsis alpina Pic 1894 - Dasytidae

VI.2016 - ITALIA - Veneto - BL
Coleoptera

Maw89

2

531

18/06/2016, 16:41

Maw89 Vedi ultimo messaggio

Nessun messaggio da leggere
Dasytes sp. - Dasitide
VI.2011 - ITALIA - Veneto - BL
Allegato(i)
Dasytes sp. - Dasitide

VI.2011 - ITALIA - Veneto - BL
Coleoptera

Maw89

2

473

13/06/2016, 23:19

Maw89 Vedi ultimo messaggio

Nessun messaggio da leggere
Dasytes sp. - Dasitide
VII.2013 - ITALIA - Veneto - BL
Allegato(i)
Dasytes sp. - Dasitide

VII.2013 - ITALIA - Veneto - BL
Coleoptera

Maw89

1

416

13/06/2016, 22:00

gabrif Vedi ultimo messaggio

Nessun messaggio da leggere
Danacea (Danacea) mitis (Küster, 1850) - Dasytidae
30.V.2016 - ITALIA - Sardegna - OT
Allegato(i)
Danacea (Danacea) mitis (Küster, 1850) - Dasytidae

30.V.2016 - ITALIA - Sardegna - OT
Coleoptera

gabrif

0

698

13/06/2016, 21:11

gabrif Vedi ultimo messaggio

Nessun messaggio da leggere
Danacea (Danacea) corsica Kiesenwetter, 1871 - Dasytidae
30.V.2016 - ITALIA - Sardegna - OT
Allegato(i)
Danacea (Danacea) corsica Kiesenwetter, 1871 - Dasytidae

30.V.2016 - ITALIA - Sardegna - OT
Coleoptera

gabrif

0

677

12/06/2016, 21:51

gabrif Vedi ultimo messaggio

Nessun messaggio da leggere
Dasytes (Dasytes) flavescens Gené, 1839 - Dasytidae
10.VI.2016 - ITALIA - Sardegna - CA
Allegato(i)
Dasytes (Dasytes) flavescens Gené, 1839 - Dasytidae

10.VI.2016 - ITALIA - Sardegna - CA
Coleoptera

Palaemonetes

2

475

11/06/2016, 21:59

Palaemonetes Vedi ultimo messaggio

Nessun messaggio da leggere
Dasytes (Mesodasytes) plumbeus (Muller, 1776) - Dasytidae
2.VI.2016 - ITALIA - Lombardia - BS
Allegato(i)
Dasytes (Mesodasytes) plumbeus (Muller, 1776) - Dasytidae

2.VI.2016 - ITALIA - Lombardia - BS
Coleoptera

Livio

2

519

05/06/2016, 18:11

Livio Vedi ultimo messaggio

Nessun messaggio da leggere
Dasytes sp. - Dasytidae
7.VI.2016 - ITALIA - Veneto - VE
Allegato(i)
Dasytes sp. - Dasytidae

7.VI.2016 - ITALIA - Veneto - VE
Coleoptera

ghebo

2

412

28/05/2016, 14:32

ghebo Vedi ultimo messaggio

Nessun messaggio da leggere
Allegato(i)
Dasytes (Mesodasytes) aeneiventris Kuster, 1850 (cf.) - Dasytidae

8.V.2016 - ITALIA - Toscana - GR
Coleoptera

hypotyphlus

2

508

24/05/2016, 20:53

hypotyphlus Vedi ultimo messaggio

Nessun messaggio da leggere
Dolichosoma lineare (Rossi, 1794) - Dasytidae
7.V.2016 - ITALIA - Lombardia - BS
Allegato(i)
Dolichosoma lineare (Rossi, 1794) - Dasytidae

7.V.2016 - ITALIA - Lombardia - BS
Coleoptera

Livio

2

481

14/05/2016, 14:13

Livio Vedi ultimo messaggio

Nessun messaggio da leggere
Psilothrix viridicoerulea (Geoffroy, 1785) - Dasytidae
7.V.2016 - ITALIA - Umbria - PG
Allegato(i)
Psilothrix viridicoerulea (Geoffroy, 1785) - Dasytidae

7.V.2016 - ITALIA - Umbria - PG
Coleoptera

stefanovet1958

2

426

09/05/2016, 21:43

stefanovet1958 Vedi ultimo messaggio

Nessun messaggio da leggere
Allegato(i)
Dasytes (Metadasytes) caeruleus (De Geer, 1774) - Dasytidae

1.V.2016 - BULGARIA - EE
Coleoptera

Joro

3

558

04/05/2016, 8:46

Joro Vedi ultimo messaggio

Nessun messaggio da leggere
Danacea (Allodanacaea) sulcitana (cf.) - Dasytidae
25.IV.2016 - ITALIA - Sardegna - CI
Allegato(i)
Danacea (Allodanacaea) sulcitana (cf.) - Dasytidae

25.IV.2016 - ITALIA - Sardegna - CI
Coleoptera

Fumea crassiorella

3

549

02/05/2016, 21:06

gabrif Vedi ultimo messaggio

Nessun messaggio da leggere
Aplocnemus (Aplocnemus) pectinatus (Küster, 1849) - Dasytidae
27.IV.2016 - ITALIA - Sardegna - CA
Allegato(i)
Aplocnemus (Aplocnemus) pectinatus (Küster, 1849) - Dasytidae

27.IV.2016 - ITALIA - Sardegna - CA
Coleoptera

cesare RBO

2

450

30/04/2016, 16:35

cesare RBO Vedi ultimo messaggio

Nessun messaggio da leggere
Dolichosoma simile (Brullè, 1832) - Dasytidae
27.IV.2016 - ITALIA - Sardegna - CA
Allegato(i)
Dolichosoma simile (Brullè, 1832) - Dasytidae

27.IV.2016 - ITALIA - Sardegna - CA
Coleoptera

cesare RBO

7

608

30/04/2016, 15:28

gabrif Vedi ultimo messaggio

Nessun messaggio da leggere
Aplocnemus (Aplocnemus) pectinatus (Küster, 1849) - Dasytidae
27.IV.2016 - ITALIA - Sardegna - CA
Allegato(i)
Aplocnemus (Aplocnemus) pectinatus (Küster, 1849) - Dasytidae

27.IV.2016 - ITALIA - Sardegna - CA
Coleoptera

cesare RBO

2

455

29/04/2016, 18:39

cesare RBO Vedi ultimo messaggio

Nessun messaggio da leggere
Dasytes sp. - Dasytidae
IV.2016 - ITALIA - Lazio - FR
Allegato(i)
Dasytes sp. - Dasytidae

IV.2016 - ITALIA - Lazio - FR
Coleoptera

Julodis

2

525

28/04/2016, 0:00

Julodis Vedi ultimo messaggio

Nessun messaggio da leggere
Psilothrix viridicoerulea (Geoffroy, 1785) – Dasytidae
17.IV.2016 - ITALIA - Sardegna - CA
Allegato(i)
Psilothrix viridicoerulea (Geoffroy, 1785) – Dasytidae

17.IV.2016 - ITALIA - Sardegna - CA
Coleoptera

cesare RBO

2

485

26/04/2016, 21:54

cesare RBO Vedi ultimo messaggio

Nessun messaggio da leggere
Dasytes (Hypodasytes) coerulescens Kuster 1852 - Dasytidae
16.IV.2016 - ITALIA - Sardegna - CA
Allegato(i)
Dasytes (Hypodasytes) coerulescens Kuster 1852 - Dasytidae

16.IV.2016 - ITALIA - Sardegna - CA
Coleoptera

cesare RBO

2

462

26/04/2016, 21:53

cesare RBO Vedi ultimo messaggio

Nessun messaggio da leggere
Psilothrix protensa (Gené, 1836) - Dasytidae
17.IV.2016 - ITALIA - Sardegna - CA
Allegato(i)
Psilothrix protensa (Gené, 1836) - Dasytidae

17.IV.2016 - ITALIA - Sardegna - CA
Coleoptera

cesare RBO

2

544

25/04/2016, 21:02

cesare RBO Vedi ultimo messaggio

Nessun messaggio da leggere
Psilothrix viridicoerulea (Geoffroy, 1785) - Dasytidae
3.IV.2016 - ITALIA - Sicilia - ME
Allegato(i)
Psilothrix viridicoerulea (Geoffroy, 1785) - Dasytidae

3.IV.2016 - ITALIA - Sicilia - ME
Coleoptera

Lucanus tetraodon

1

416

17/04/2016, 19:07

gabrif Vedi ultimo messaggio

Nessun messaggio da leggere
Allegato(i)
Dasytes (Mesodasytes) nigroaeneus Küster, 1850 - Dasytidae

12.IV.2016 - ITALIA - Lazio - RM
Coleoptera

aesalus37

2

467

15/04/2016, 21:15

aesalus37 Vedi ultimo messaggio

Nessun messaggio da leggere
Allegato(i)
Aplocnemus (Diplambe) duplicatus Kiesenwetter, 1871 - Dasytidae

2.IV.2016 - ITALIA - Sardegna - CA
Coleoptera

Fumea crassiorella

4

682

05/04/2016, 21:57

Fumea crassiorella Vedi ultimo messaggio

Nessun messaggio da leggere
Dasytes aeneiventris Küster, 1850 (cf.) - Dasytidae
10.III.2013 - ITALIA - Sardegna - CA
Allegato(i)
Dasytes aeneiventris Küster, 1850 (cf.) - Dasytidae

10.III.2013 - ITALIA - Sardegna - CA
Coleoptera

Fumea crassiorella

6

866

21/03/2016, 8:02

Fumea crassiorella Vedi ultimo messaggio

Nessun messaggio da leggere
Dasytes (Mesodasytes) nigroaeneus Küster, 1850 - Dasytidae
15.III.2016 - ITALIA - Sardegna - CA
Allegato(i)
Dasytes (Mesodasytes) nigroaeneus Küster, 1850 - Dasytidae

15.III.2016 - ITALIA - Sardegna - CA
Coleoptera

Fumea crassiorella

3

456

18/03/2016, 20:16

gabrif Vedi ultimo messaggio

Nessun messaggio da leggere
Dasytes aeneiventris Küster, 1850 - Dasytidae
13.III.2016 - ITALIA - Sardegna - CA
Allegato(i)
Dasytes aeneiventris Küster, 1850 - Dasytidae

13.III.2016 - ITALIA - Sardegna - CA
Coleoptera

Fumea crassiorella

2

463

18/03/2016, 11:16

Fumea crassiorella Vedi ultimo messaggio

Nessun messaggio da leggere
Dasytes (Dasytes) flavescens Gené, 1839 - Dasytidae
11.V.2013 - ITALIA - Sardegna - CA
Allegato(i)
Dasytes (Dasytes) flavescens Gené, 1839 - Dasytidae

11.V.2013 - ITALIA - Sardegna - CA
Coleoptera

Fumea crassiorella

2

549

14/03/2016, 23:06

FORBIX Vedi ultimo messaggio

Nessun messaggio da leggere
Allegato(i)
Dasytes (Mesodasytes) croceipes Kiesenwetter, 1865 aut D. (M.) iteratus Peyerimhoff, 1925 - Dasytidae

8.III.2016 - ITALIA - Sardegna - CA
Coleoptera

Fumea crassiorella

2

425

13/03/2016, 23:18

Fumea crassiorella Vedi ultimo messaggio

Nessun messaggio da leggere
Allegato(i)
Psilothrix viridicoerulea (Geoffroy, 1785) (cf.) - Dasytidae

III.2016 - ITALIA - Sicilia - SR
Coleoptera

Brachytron84

4

615

08/03/2016, 19:10

Brachytron84 Vedi ultimo messaggio

Nessun messaggio da leggere
Aplocnemus (Ischnopalpus) sp. - Dasytidae
11.III.2008 - MAROCCO - EE
Allegato(i)
Aplocnemus (Ischnopalpus) sp. - Dasytidae

11.III.2008 - MAROCCO - EE
Coleoptera

Fumea crassiorella

3

448

26/02/2016, 23:41

Fumea crassiorella Vedi ultimo messaggio

Nessun messaggio da leggere
Allegato(i)
Psilothrix aureola (Kiesenwetter, 1859) - Dasytidae

5.III.2015 - MALTA - EE
Coleoptera

Fumea crassiorella

2

448

08/02/2016, 22:17

Fumea crassiorella Vedi ultimo messaggio

Nessun messaggio da leggere
Allegato(i)
Aplocnemus (Aplocnemus) pectinatus (Küster, 1849) (cf.) - Dasytidae

1.III.2014 - ITALIA - Sardegna - CA
Coleoptera

Fumea crassiorella

1

409

21/01/2016, 22:47

gabrif Vedi ultimo messaggio

Visualizza ultimi argomenti:  Ordina per  Ordine:  
nuovo argomento
Vai alla pagina Precedente  1, 2, 3, 4, 5, 6, 7  Prossimo
Pagina 3 di 7 [ 312 argomenti ]

Tutti gli orari sono UTC + 1 ora [ ora legale ]


Chi c’è in linea

Visitano il forum: Nessuno e 1 ospite


Legenda
Messaggi da leggere Messaggi da leggere Nessun messaggio da leggere Nessun messaggio da leggere Annuncio Annuncio
 
Specie indeterminata / discussione generica
Messaggi non letti [ Popolari ] Messaggi non letti [ Popolari ] Nessun messaggio da leggere [ Popolare ] Nessun messaggio da leggere [ Popolare ] Importante Importante
 
Specie determinata fino al genere o cf.
Messaggi non letti [ Bloccati ] Messaggi non letti [ Bloccati ] No messaggi non letti [ Bloccati ] No messaggi non letti [ Bloccati ] Argomento spostato Argomento spostato
 
Specie correttamente determinata
Permessi
Non puoi aprire nuovi argomenti
Non puoi rispondere negli argomenti
Non puoi modificare i tuoi messaggi
Non puoi cancellare i tuoi messaggi
Non puoi inviare allegati

Cerca per:
Vai a: