Benvenuto Ospite

Forum Entomologi Italiani

www.entomologiitaliani.net/forum
 
Oggi è 04/11/2025, 4:05

Tutti gli orari sono UTC + 1 ora [ ora legale ]

Lygaeidae


[ AFROTROPICALE ] [ ANTARTICO ] [ AUSTRALASIANO ] [ NEARTICO ] [ NEOTROPICALE ] [ ORIENTALE ] [ PALEARTICO ]


nuovo argomento
Vai alla pagina Precedente  1 ... 3, 4, 5, 6, 7, 8, 9 ... 12  Prossimo
Pagina 6 di 12 [ 569 argomenti ]
 Argomenti   Ordine   Autore   Risposte   Visite    Ultimo messaggio 
Annunci
Nessun messaggio da leggere
Allegato(i)
Incontri entomologici telematici organizzati dalla Società Entomologica Italiana nel 2022 e nel 2023

[ Vai alla paginaVai alla pagina: 1, 2, 3 ]

 

Velvet Ant

44

1404646

03/03/2023, 15:55

Velvet Ant Vedi ultimo messaggio

Nessun messaggio da leggere  
Allegato(i)
Sondaggio sul declino dell'entomofauna in Italia

[ Vai alla paginaVai alla pagina: 1, 2, 3, 4 ]

 

Velvet Ant

52

1729195

22/10/2022, 19:18

Acquarius Vedi ultimo messaggio

Nessun messaggio da leggere  
Allegato(i)
Progetto: Bibliografia ragionata dei lavori entomologici nei quali sono citati reperti apparsi su FEI

[ Vai alla paginaVai alla pagina: 1, 2, 3 ]

 

Velvet Ant

33

1151529

06/07/2023, 18:31

Orotrechus Vedi ultimo messaggio

Nessun messaggio da leggere
Allegato(i)
Mimesi, il primo documentario cinematografico sull’entomologia in Italia: casting
 

mazzeip

1

453594

28/02/2019, 20:26

mazzeip Vedi ultimo messaggio

Questo argomento è bloccato, non puoi modificare o inviare ulteriori messaggi.
Allegato(i)
ISTRUZIONI PUBBLICAZIONE NUOVI ARGOMENTI E FOTO

 
Altri Ordini di Insetti

Julodis

4

869989

13/05/2015, 19:37

Julodis Vedi ultimo messaggio

Nessun messaggio da leggere
Allegato(i)
Limitatore giornaliero di messaggi, uno strumento utile e ormai indispensabile

[ Vai alla paginaVai alla pagina: 1 ... 14, 15, 16 ]

 

Velvet Ant

233

8712866

25/09/2014, 14:31

Inachis Vedi ultimo messaggio

Nessun messaggio da leggere  
NORME PER I COLLABORATORI DEL FORUM

 
 

Velvet Ant

0

476589

02/06/2011, 12:05

Velvet Ant Vedi ultimo messaggio

Nessun messaggio da leggere
Allegato(i)
NORME PER GLI UTENTI DEL FORUM

[ Vai alla paginaVai alla pagina: 1, 2, 3 ]



 
 

Velvet Ant

30

2328099

23/09/2014, 23:54

Maurizio Bollino Vedi ultimo messaggio

Nessun messaggio da leggere  
Lista degli utenti del "Forum entomologi italiani" per campi di interesse e specializzazione

 
Altri Ordini di Insetti

Velvet Ant

13

936231

07/09/2023, 17:14

Roberto-07 Vedi ultimo messaggio

Argomenti
Nessun messaggio da leggere
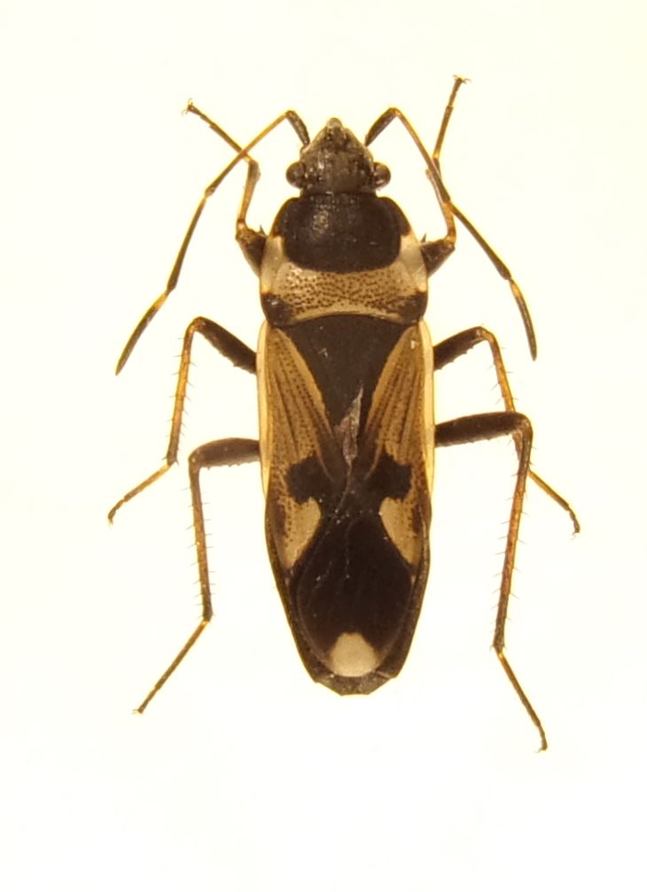
Raglius confusus (Reuter, 1886) - Lygaeidae
21.II.2016 - ITALIA - Emilia-Romagna - RA
Allegato(i)
Raglius confusus (Reuter, 1886) - Lygaeidae

21.II.2016 - ITALIA - Emilia-Romagna - RA
Hemiptera

Chalybion

3

946

09/03/2016, 23:04

Chalybion Vedi ultimo messaggio

Nessun messaggio da leggere
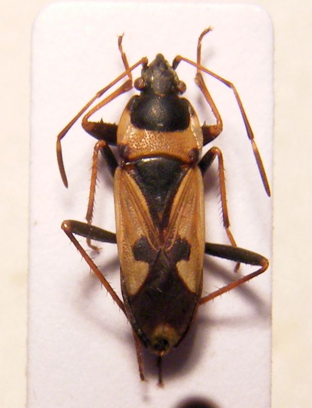
Raglius confusus (Reuter, 1886) - Lygaeidae
26.V.1976 - ITALIA - Emilia-Romagna - BO
Allegato(i)
Raglius confusus (Reuter, 1886) - Lygaeidae

26.V.1976 - ITALIA - Emilia-Romagna - BO
Hemiptera

Palaemonetes

3

959

01/03/2016, 22:43

Palaemonetes Vedi ultimo messaggio

Nessun messaggio da leggere
Geocoris (Geocoris) ater (Fabricius, 1787) - Lygaeidae
1.VII.1988 - ITALIA - Emilia-Romagna - BO
Allegato(i)
Geocoris (Geocoris) ater (Fabricius, 1787) - Lygaeidae

1.VII.1988 - ITALIA - Emilia-Romagna - BO
Hemiptera

Palaemonetes

2

752

29/02/2016, 15:58

Palaemonetes Vedi ultimo messaggio

Nessun messaggio da leggere
Stygnocoris rusticus (Fallén, 1807) - Lygaeidae
30.IX.2012 - ITALIA - Marche - PU
Allegato(i)
Stygnocoris rusticus (Fallén, 1807) - Lygaeidae

30.IX.2012 - ITALIA - Marche - PU
Hemiptera

marco paglialunga

2

736

29/02/2016, 9:54

marco paglialunga Vedi ultimo messaggio

Nessun messaggio da leggere
Raglius alboacuminatus (Goeze, 1778) - Lygaeidae
1.VI.2007 - AZERBAIJAN - EE
Allegato(i)
Raglius alboacuminatus (Goeze, 1778) - Lygaeidae

1.VI.2007 - AZERBAIJAN - EE
Hemiptera

ivo

4

1027

24/02/2016, 19:11

ivo Vedi ultimo messaggio

Nessun messaggio da leggere
Allegato(i)
Geocoris (Geocoris) ater (Fabricius, 1787) - Lygaeidae

19.V.2005 - TURCHIA - EE
Hemiptera

ivo

3

928

24/02/2016, 16:03

ivo Vedi ultimo messaggio

Nessun messaggio da leggere
Trapezonotus sp. - Lygaeidae
16.VIII.1990 - ITALIA - Valle d'Aosta - AO
Allegato(i)
Trapezonotus sp. - Lygaeidae

16.VIII.1990 - ITALIA - Valle d'Aosta - AO
Hemiptera

Palaemonetes

2

811

16/02/2016, 18:45

Palaemonetes Vedi ultimo messaggio

Nessun messaggio da leggere
Allegato(i)
Spilostethus saxatilis (Scopoli, 1763) - Lygaeidae

13.V.2015 - BULGARIA - EE
Hemiptera

matthew gandy

2

808

09/02/2016, 14:48

matthew gandy Vedi ultimo messaggio

Nessun messaggio da leggere
Rhyparochromus pini (Linnaeus, 1758) ♀ - Lygaeidae
VII.1978 - ITALIA - Valle d'Aosta - AO
Allegato(i)
Rhyparochromus pini (Linnaeus, 1758) ♀ - Lygaeidae

VII.1978 - ITALIA - Valle d'Aosta - AO
Hemiptera

Palaemonetes

2

737

03/02/2016, 17:23

Palaemonetes Vedi ultimo messaggio

Nessun messaggio da leggere
Kleidocerys resedae (Panzer, 1797) - Lygaeidae
21.VIII.2012 - ITALIA - Lombardia - BS
Allegato(i)
Kleidocerys resedae (Panzer, 1797) - Lygaeidae

21.VIII.2012 - ITALIA - Lombardia - BS
Hemiptera

Palaemonetes

6

1448

02/02/2016, 19:19

Palaemonetes Vedi ultimo messaggio

Nessun messaggio da leggere
Gastrodes abietum Bergroth, 1914 - Lygaeidae
15.VII.1978 - ITALIA - Valle d'Aosta - AO
Allegato(i)
Gastrodes abietum Bergroth, 1914 - Lygaeidae

15.VII.1978 - ITALIA - Valle d'Aosta - AO
Hemiptera

Palaemonetes

2

1028

02/02/2016, 16:55

Palaemonetes Vedi ultimo messaggio

Nessun messaggio da leggere
Brachyplax tenuis (Mulsant & Rey, 1852) - Lygaeidae
22.VIII.2015 - ITALIA - Sicilia - CL
Allegato(i)
Brachyplax tenuis (Mulsant & Rey, 1852) - Lygaeidae

22.VIII.2015 - ITALIA - Sicilia - CL
Hemiptera

salvo

7

2117

30/01/2016, 10:55

Baris99 Vedi ultimo messaggio

Nessun messaggio da leggere
Raglius confusus (Reuter, 1886) - Lygaeidae
30.V.2015 - REPUBBLICA CECA - EE
Allegato(i)
Raglius confusus (Reuter, 1886) - Lygaeidae

30.V.2015 - REPUBBLICA CECA - EE
Hemiptera

ivo

2

969

28/01/2016, 22:33

ivo Vedi ultimo messaggio

Nessun messaggio da leggere
Macroplax preyssleri (Fieber, 1837) - Lygaeidae
8.VII.2015 - ITALIA - Abruzzo - AQ
Allegato(i)
Macroplax preyssleri (Fieber, 1837) - Lygaeidae

8.VII.2015 - ITALIA - Abruzzo - AQ
Hemiptera

giuseppe55

5

1560

27/01/2016, 11:07

ivo Vedi ultimo messaggio

Nessun messaggio da leggere
Macroplax fasciata (Herrich-Schäffer, 1835) - Lygaeidae
18.IV.2011 - ITALIA - Sardegna - CA
Allegato(i)
Macroplax fasciata (Herrich-Schäffer, 1835) - Lygaeidae

18.IV.2011 - ITALIA - Sardegna - CA
Hemiptera

Palaemonetes

3

1099

27/01/2016, 11:05

ivo Vedi ultimo messaggio

Nessun messaggio da leggere
Ischnodemus sp. - Lygaeidae
9.IV.2011 - ITALIA - Friuli-Venezia Giulia - GO
Allegato(i)
Ischnodemus sp. - Lygaeidae

9.IV.2011 - ITALIA - Friuli-Venezia Giulia - GO
Hemiptera

Agdistis

4

1059

13/01/2016, 23:03

Livio Vedi ultimo messaggio

Nessun messaggio da leggere
Allegato(i)
Eremocoris plebejus (Fallen, 1807) - Lygaeidae

4.V.2013 - POLONIA - EE
Hemiptera

GrzegorzG

1

658

28/11/2015, 9:29

Baris99 Vedi ultimo messaggio

Nessun messaggio da leggere
Trapezonotus sp. - Lygaeidae
4.V.2013 - POLONIA - EE
Allegato(i)
Trapezonotus sp. - Lygaeidae

4.V.2013 - POLONIA - EE
Hemiptera

GrzegorzG

1

617

27/11/2015, 17:05

Baris99 Vedi ultimo messaggio

Nessun messaggio da leggere
Spilostethus pandurus (Scopoli, 1763) - Lygeidae
26.VIII.2012 - CROAZIA - EE
Allegato(i)
Spilostethus pandurus (Scopoli, 1763) - Lygeidae

26.VIII.2012 - CROAZIA - EE
Hemiptera

GrzegorzG

2

881

26/11/2015, 12:53

GrzegorzG Vedi ultimo messaggio

Nessun messaggio da leggere
Dieuches syriacus (Dhorn, 1860) - Lygaeidae
27.VIII.2014 - GRECIA - EE
Allegato(i)
Dieuches syriacus (Dhorn, 1860) - Lygaeidae

27.VIII.2014 - GRECIA - EE
Hemiptera

GrzegorzG

3

1015

25/11/2015, 23:19

Baris99 Vedi ultimo messaggio

Nessun messaggio da leggere
Raglius confusus (Reuter, 1886) - Lygaeidae
19.XI.2015 - ITALIA - Liguria - SV
Allegato(i)
Raglius confusus (Reuter, 1886) - Lygaeidae

19.XI.2015 - ITALIA - Liguria - SV
Hemiptera

fabio.aste

2

867

23/11/2015, 19:29

fabio.aste Vedi ultimo messaggio

Nessun messaggio da leggere
Allegato(i)
Oxycarenus (Oxycarenus) hyalinipennis (A. Costa, 1843) - Lygaeidae

6.V.2015 - ITALIA - Sardegna - CA
Hemiptera

Palaemonetes

2

906

22/11/2015, 19:53

Julodis Vedi ultimo messaggio

Nessun messaggio da leggere
Lygaeus equestris (Linnaeus, 1758) - Lygaeidae
29.VIII.2015 - POLONIA - EE
Allegato(i)
Lygaeus equestris (Linnaeus, 1758) - Lygaeidae

29.VIII.2015 - POLONIA - EE
Hemiptera

GrzegorzG

1

665

19/11/2015, 22:26

Baris99 Vedi ultimo messaggio

Nessun messaggio da leggere
Geocoris lineola (Rambur, 1839) - Lygaeidae
17.X.2015 - ITALIA - Emilia-Romagna - BO
Allegato(i)
Geocoris lineola (Rambur, 1839) - Lygaeidae

17.X.2015 - ITALIA - Emilia-Romagna - BO
Hemiptera

Loriscola

1

623

21/10/2015, 17:07

marsal Vedi ultimo messaggio

Nessun messaggio da leggere
ninfa di Lygaeidae sp.
23.VII.2015 - POLONIA - EE
Allegato(i)
ninfa di Lygaeidae sp.

23.VII.2015 - POLONIA - EE
Hemiptera

GrzegorzG

3

743

20/10/2015, 15:17

GrzegorzG Vedi ultimo messaggio

Nessun messaggio da leggere
Allegato(i)
Rhyparochromus vulgaris (Schilling, 1829) - Lygaeidae

8.X.2015 - POLONIA - EE
Hemiptera

GrzegorzG

2

470

17/10/2015, 18:21

GrzegorzG Vedi ultimo messaggio

Nessun messaggio da leggere
Allegato(i)
Scolopostethus thomsoni Reuter, 1875 (cf.) - Lygaeidae

16.VIII.2015 - POLONIA - EE
Hemiptera

GrzegorzG

0

409

15/10/2015, 11:53

GrzegorzG Vedi ultimo messaggio

Nessun messaggio da leggere
Geocoris (Geocoris) lineola (Rambur, 1839) - Lygaeidae
6.IX.2015 - ITALIA - Lazio - RM
Allegato(i)
Geocoris (Geocoris) lineola (Rambur, 1839) - Lygaeidae

6.IX.2015 - ITALIA - Lazio - RM
Hemiptera

Elena Regina

3

798

13/10/2015, 19:40

Baris99 Vedi ultimo messaggio

Nessun messaggio da leggere
Ninfa di Lygaeidae sp.
16.VII.2015 - POLONIA - EE
Allegato(i)
Ninfa di Lygaeidae sp.

16.VII.2015 - POLONIA - EE
Hemiptera

GrzegorzG

0

528

09/10/2015, 10:38

GrzegorzG Vedi ultimo messaggio

Nessun messaggio da leggere
Allegato(i)
Eremocoris abietis (Linnaeus, 1758) - Lygaeidae

2.V.2015 - POLONIA - EE
Hemiptera

GrzegorzG

1

474

01/10/2015, 4:37

Baris99 Vedi ultimo messaggio

Nessun messaggio da leggere
Nysius graminicola (Kolenati, 1845) - Lygaeidae
6.IX.2015 - ITALIA - Lazio - RM
Allegato(i)
Nysius graminicola (Kolenati, 1845) - Lygaeidae

6.IX.2015 - ITALIA - Lazio - RM
Hemiptera

Elena Regina

10

1639

29/09/2015, 19:02

Baris99 Vedi ultimo messaggio

Nessun messaggio da leggere
Allegato(i)
Taphropeltus nervosus (Fieber, 1861) - Lygaeidae

14.IV.2014 - SPAGNA - EE
Hemiptera

Michael Becker

5

978

20/09/2015, 17:46

magosti Vedi ultimo messaggio

Nessun messaggio da leggere
Scolopostethus thomsoni Reuter, 1875 - Lygaeidae
3.VIII.2015 - POLONIA - EE
Allegato(i)
Scolopostethus thomsoni Reuter, 1875 - Lygaeidae

3.VIII.2015 - POLONIA - EE
Hemiptera

GrzegorzG

2

633

18/09/2015, 10:03

GrzegorzG Vedi ultimo messaggio

Nessun messaggio da leggere
Scolopostethus thomsoni Reuter, 1875 - Lygaeidae
8.VIII.2015 - POLONIA - EE
Allegato(i)
Scolopostethus thomsoni Reuter, 1875 - Lygaeidae

8.VIII.2015 - POLONIA - EE
Hemiptera

GrzegorzG

1

609

18/09/2015, 8:21

Baris99 Vedi ultimo messaggio

Nessun messaggio da leggere
Lygaeus equestris (Linnaeus, 1758) - Lygaeidae
21.VI.2015 - ITALIA - Lombardia - LC
Allegato(i)
Lygaeus equestris (Linnaeus, 1758) - Lygaeidae

21.VI.2015 - ITALIA - Lombardia - LC
Hemiptera

michelebutta

3

754

26/06/2015, 12:43

Baris99 Vedi ultimo messaggio

Nessun messaggio da leggere
Rhyparochromus pini (Linnaeus, 1758) - Lygaeidae
25.IV.2015 - SLOVACCHIA - EE
Allegato(i)
Rhyparochromus pini (Linnaeus, 1758) - Lygaeidae

25.IV.2015 - SLOVACCHIA - EE
Hemiptera

GrzegorzG

2

689

07/05/2015, 23:18

marsal Vedi ultimo messaggio

Nessun messaggio da leggere
Megalonotus emarginatus (Rey, 1888) - Lygaeidae
1.IV.2015 - ITALIA - Toscana - GR
Allegato(i)
Megalonotus emarginatus (Rey, 1888) - Lygaeidae

1.IV.2015 - ITALIA - Toscana - GR
Hemiptera

pipine26

4

933

04/05/2015, 20:25

pipine26 Vedi ultimo messaggio

Nessun messaggio da leggere
Allegato(i)
Spilostethus pandurus (Scopoli 1763) - Lygaeidae

24.V.2014 - SPAGNA - EE
Hemiptera

ivo

2

675

02/05/2015, 11:22

ivo Vedi ultimo messaggio

Nessun messaggio da leggere
Aellopus atratus (Goeze, 1778) - Lygaeidae
15.III.2015 - MALTA - EE
Allegato(i)
Aellopus atratus (Goeze, 1778) - Lygaeidae

15.III.2015 - MALTA - EE
Hemiptera

Palaemonetes

2

739

11/04/2015, 17:14

Palaemonetes Vedi ultimo messaggio

Nessun messaggio da leggere
Allegato(i)
Tropidothorax leucopterus (Goeze 1778) - Lygaeidae

1.VI.2014 - SPAGNA - EE
Hemiptera

ivo

2

679

07/04/2015, 13:03

ivo Vedi ultimo messaggio

Nessun messaggio da leggere
Arocatus longiceps Stål, 1872 - Lygaeidae
23.III.2015 - GERMANIA - EE
Allegato(i)
Arocatus longiceps Stål, 1872 - Lygaeidae

23.III.2015 - GERMANIA - EE
Hemiptera

gstalker

2

698

03/04/2015, 8:30

gstalker Vedi ultimo messaggio

Nessun messaggio da leggere
Nysius sp. - Lygaeidae
25.III.2015 - SPAGNA - EE
Allegato(i)
Nysius sp. - Lygaeidae

25.III.2015 - SPAGNA - EE
Hemiptera

Isidro

4

811

02/04/2015, 18:24

Isidro Vedi ultimo messaggio

Nessun messaggio da leggere
Lygaeus sp. - Lygaeidae
2.VII.2014 - SVIZZERA - EE
Allegato(i)
Lygaeus sp. - Lygaeidae

2.VII.2014 - SVIZZERA - EE
Hemiptera

matthew gandy

2

677

01/01/2015, 18:49

matthew gandy Vedi ultimo messaggio

Nessun messaggio da leggere
Nithecus jacobeae (Schilling, 1829) - Lygaeidae
28.VIII.2014 - POLONIA - EE
Allegato(i)
Nithecus jacobeae (Schilling, 1829) - Lygaeidae

28.VIII.2014 - POLONIA - EE
Hemiptera

GrzegorzG

2

673

19/12/2014, 18:02

marsal Vedi ultimo messaggio

Nessun messaggio da leggere
Heterogaster urticae (Fabricius, 1775) - Lygaeidae
29.VIII.2014 - POLONIA - EE
Allegato(i)
Heterogaster urticae (Fabricius, 1775) - Lygaeidae

29.VIII.2014 - POLONIA - EE
Hemiptera

GrzegorzG

2

780

25/11/2014, 18:21

GrzegorzG Vedi ultimo messaggio

Nessun messaggio da leggere
Raglius confusus (Reuter, 1886) - Lygaeidae
9.XI.2014 - ITALIA - Sardegna - OT
Allegato(i)
Raglius confusus (Reuter, 1886) - Lygaeidae

9.XI.2014 - ITALIA - Sardegna - OT
Hemiptera

Mauro

4

1581

11/11/2014, 11:14

Mauro Vedi ultimo messaggio

Nessun messaggio da leggere
Scolopostethus sp. - Lygaeidae
26.IV.2012 - TURCHIA - EE
Allegato(i)
Scolopostethus sp. - Lygaeidae

26.IV.2012 - TURCHIA - EE
Hemiptera

Baris99

4

1389

10/11/2014, 18:10

eremicus Vedi ultimo messaggio

Nessun messaggio da leggere
Allegato(i)
Belonochilus numenius (Say, 1832) - Lygaeidae (ninfa)

10.VIII.2014 - UNGHERIA - EE
Hemiptera

GrzegorzG

1

1234

10/11/2014, 16:53

eremicus Vedi ultimo messaggio

Nessun messaggio da leggere
Spilostethus pandurus (Scopoli, 1763) - Lygaeidae
25.XI.2012 - ITALIA - Sicilia - SR
Allegato(i)
Spilostethus pandurus (Scopoli, 1763) - Lygaeidae

25.XI.2012 - ITALIA - Sicilia - SR
Hemiptera

Gregorio

2

908

07/11/2014, 21:13

Gregorio Vedi ultimo messaggio

Nessun messaggio da leggere
Rhyparochromus pini (Linnaeus, 1758) - Lygaeidae
1.XI.2014 - SLOVACCHIA - EE
Allegato(i)
Rhyparochromus pini (Linnaeus, 1758) - Lygaeidae

1.XI.2014 - SLOVACCHIA - EE
Hemiptera

GrzegorzG

1

783

05/11/2014, 19:33

giuseppe55 Vedi ultimo messaggio

Visualizza ultimi argomenti:  Ordina per  Ordine:  
nuovo argomento
Vai alla pagina Precedente  1 ... 3, 4, 5, 6, 7, 8, 9 ... 12  Prossimo
Pagina 6 di 12 [ 569 argomenti ]

Tutti gli orari sono UTC + 1 ora [ ora legale ]


Chi c’è in linea

Visitano il forum: Nessuno e 3 ospiti


Legenda
Messaggi da leggere Messaggi da leggere Nessun messaggio da leggere Nessun messaggio da leggere Annuncio Annuncio
 
Specie indeterminata / discussione generica
Messaggi non letti [ Popolari ] Messaggi non letti [ Popolari ] Nessun messaggio da leggere [ Popolare ] Nessun messaggio da leggere [ Popolare ] Importante Importante
 
Specie determinata fino al genere o cf.
Messaggi non letti [ Bloccati ] Messaggi non letti [ Bloccati ] No messaggi non letti [ Bloccati ] No messaggi non letti [ Bloccati ] Argomento spostato Argomento spostato
 
Specie correttamente determinata
Permessi
Non puoi aprire nuovi argomenti
Non puoi rispondere negli argomenti
Non puoi modificare i tuoi messaggi
Non puoi cancellare i tuoi messaggi
Non puoi inviare allegati

Cerca per:
Vai a:  
cron