Benvenuto Ospite

Forum Entomologi Italiani

www.entomologiitaliani.net/forum
 
Oggi è 26/12/2025, 19:10

Tutti gli orari sono UTC + 1 ora [ ora legale ]

Lygaeidae


[ AFROTROPICALE ] [ ANTARTICO ] [ AUSTRALASIANO ] [ NEARTICO ] [ NEOTROPICALE ] [ ORIENTALE ] [ PALEARTICO ]


nuovo argomento
Vai alla pagina Precedente  1 ... 4, 5, 6, 7, 8, 9, 10 ... 12  Prossimo
Pagina 7 di 12 [ 570 argomenti ]
 Argomenti   Ordine   Autore   Risposte   Visite    Ultimo messaggio 
Annunci
Nessun messaggio da leggere
Allegato(i)
Incontri entomologici della Società Entomologica Italiana 2025-2026
 

Velvet Ant

0

14759

17/11/2025, 19:41

Velvet Ant Vedi ultimo messaggio

Nessun messaggio da leggere
Allegato(i)
Incontri entomologici telematici organizzati dalla Società Entomologica Italiana nel 2022 e nel 2023

[ Vai alla paginaVai alla pagina: 1, 2, 3 ]

 

Velvet Ant

44

1711298

03/03/2023, 15:55

Velvet Ant Vedi ultimo messaggio

Nessun messaggio da leggere  
Allegato(i)
Sondaggio sul declino dell'entomofauna in Italia

[ Vai alla paginaVai alla pagina: 1, 2, 3, 4 ]

 

Velvet Ant

52

2336718

22/10/2022, 19:18

Acquarius Vedi ultimo messaggio

Nessun messaggio da leggere  
Allegato(i)
Progetto: Bibliografia ragionata dei lavori entomologici nei quali sono citati reperti apparsi su FEI

[ Vai alla paginaVai alla pagina: 1, 2, 3 ]

 

Velvet Ant

33

1374200

06/07/2023, 18:31

Orotrechus Vedi ultimo messaggio

Nessun messaggio da leggere
Allegato(i)
Mimesi, il primo documentario cinematografico sull’entomologia in Italia: casting
 

mazzeip

1

1090074

28/02/2019, 20:26

mazzeip Vedi ultimo messaggio

Questo argomento è bloccato, non puoi modificare o inviare ulteriori messaggi.
Allegato(i)
ISTRUZIONI PUBBLICAZIONE NUOVI ARGOMENTI E FOTO

 
Altri Ordini di Insetti

Julodis

4

2889064

13/05/2015, 19:37

Julodis Vedi ultimo messaggio

Nessun messaggio da leggere
Allegato(i)
Limitatore giornaliero di messaggi, uno strumento utile e ormai indispensabile

[ Vai alla paginaVai alla pagina: 1 ... 14, 15, 16 ]

 

Velvet Ant

233

12479990

25/09/2014, 14:31

Inachis Vedi ultimo messaggio

Nessun messaggio da leggere  
NORME PER I COLLABORATORI DEL FORUM

 
 

Velvet Ant

0

634323

02/06/2011, 12:05

Velvet Ant Vedi ultimo messaggio

Nessun messaggio da leggere
Allegato(i)
NORME PER GLI UTENTI DEL FORUM

[ Vai alla paginaVai alla pagina: 1, 2, 3 ]



 
 

Velvet Ant

30

3490736

23/09/2014, 23:54

Maurizio Bollino Vedi ultimo messaggio

Nessun messaggio da leggere  
Lista degli utenti del "Forum entomologi italiani" per campi di interesse e specializzazione

 
Altri Ordini di Insetti

Velvet Ant

13

1012995

07/09/2023, 17:14

Roberto-07 Vedi ultimo messaggio

Argomenti
Nessun messaggio da leggere
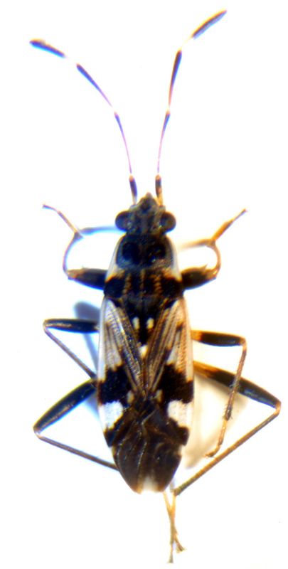
Rhyparochromus pini (Linnaeus, 1758) - Lygaeidae
1.XI.2014 - SLOVACCHIA - EE
Allegato(i)
Rhyparochromus pini (Linnaeus, 1758) - Lygaeidae

1.XI.2014 - SLOVACCHIA - EE
Hemiptera

GrzegorzG

1

841

05/11/2014, 19:33

giuseppe55 Vedi ultimo messaggio

Nessun messaggio da leggere
Megalonotus colon Puton, 1874 - Lygeidae
24.X.2014 - TURCHIA - EE
Allegato(i)
Megalonotus colon Puton, 1874 - Lygeidae

24.X.2014 - TURCHIA - EE
Hemiptera

Baris99

2

943

27/10/2014, 17:28

Baris99 Vedi ultimo messaggio

Nessun messaggio da leggere
Allegato(i)
Spilostethus longulus (Dallas, 1852) - Lygaeidae

24.V.2014 - MAROCCO - EE
Hemiptera

Palaemonetes

2

900

23/10/2014, 21:44

Palaemonetes Vedi ultimo messaggio

Nessun messaggio da leggere
Nysius sp. ninfa - Lygaeidae
15.X.2014 - ITALIA - Veneto - VE
Allegato(i)
Nysius sp. ninfa - Lygaeidae

15.X.2014 - ITALIA - Veneto - VE
Hemiptera

ghebo

2

732

16/10/2014, 17:09

ghebo Vedi ultimo messaggio

Nessun messaggio da leggere
Lygaeus creticus Lucas, 1854 - Lygaeidae
31.VIII.2014 - ITALIA - Veneto - PD
Allegato(i)
Lygaeus creticus Lucas, 1854 - Lygaeidae

31.VIII.2014 - ITALIA - Veneto - PD
Hemiptera

mcbresy

4

1279

15/09/2014, 8:41

eremicus Vedi ultimo messaggio

Nessun messaggio da leggere
Drymus sp. - Lygaeidae
5.IX.2014 - ITALIA - Lombardia - CO
Allegato(i)
Drymus sp. - Lygaeidae

5.IX.2014 - ITALIA - Lombardia - CO
Hemiptera

fasmidi

3

1341

14/09/2014, 8:21

fasmidi Vedi ultimo messaggio

Nessun messaggio da leggere
Eremocoris fenestratus (Herrich-Schaeffer, 1839) - Lygaeidae
31.VIII.2014 - ITALIA - Sardegna - OG
Allegato(i)
Eremocoris fenestratus (Herrich-Schaeffer, 1839) - Lygaeidae

31.VIII.2014 - ITALIA - Sardegna - OG
Hemiptera

Gianni Lai

5

1287

01/09/2014, 23:29

Gianni Lai Vedi ultimo messaggio

Nessun messaggio da leggere
Lygaeus simulans Deckert, 1985 - Lygaeidae
28.VI.2014 - ITALIA - Campania - SA
Allegato(i)
Lygaeus simulans Deckert, 1985 - Lygaeidae

28.VI.2014 - ITALIA - Campania - SA
Hemiptera

giuseppe55

3

1637

29/07/2014, 18:31

giuseppe55 Vedi ultimo messaggio

Nessun messaggio da leggere
Rhyparochromus sanguineus (Douglas & Scott 1868) - Lygaeidae
10.V.2014 - ITALIA - Toscana - FI
Allegato(i)
Rhyparochromus sanguineus (Douglas & Scott 1868) - Lygaeidae

10.V.2014 - ITALIA - Toscana - FI
Hemiptera

Chalybion

4

1124

17/07/2014, 19:21

Chalybion Vedi ultimo messaggio

Nessun messaggio da leggere
Lasiocoris anomalus (Kolenati, 1845) - Lygaeidae
25.V.2014 - ITALIA - Emilia-Romagna - RA
Allegato(i)
Lasiocoris anomalus (Kolenati, 1845) - Lygaeidae

25.V.2014 - ITALIA - Emilia-Romagna - RA
Hemiptera

Chalybion

3

979

17/07/2014, 19:03

Chalybion Vedi ultimo messaggio

Nessun messaggio da leggere
Melanocoryphus albomaculatus (Goeze, 1778) - Lygaeidae
1.V.2014 - ITALIA - Sicilia - ME
Allegato(i)
Melanocoryphus albomaculatus (Goeze, 1778) - Lygaeidae

1.V.2014 - ITALIA - Sicilia - ME
Hemiptera

Lucanus tetraodon

2

842

16/05/2014, 18:22

Lucanus tetraodon Vedi ultimo messaggio

Nessun messaggio da leggere
Megalonotus sabulicola (Thomson, 1870) - Lygaeidae
7.V.2014 - ITALIA - Sardegna - CA
Allegato(i)
Megalonotus sabulicola (Thomson, 1870) - Lygaeidae

7.V.2014 - ITALIA - Sardegna - CA
Hemiptera

Palaemonetes

3

827

13/05/2014, 19:17

Palaemonetes Vedi ultimo messaggio

Nessun messaggio da leggere
Pachybrachius fracticollis (Schilling, 1829) - Lygaeidae
7.V.2014 - ITALIA - Sardegna - CA
Allegato(i)
Pachybrachius fracticollis (Schilling, 1829) - Lygaeidae

7.V.2014 - ITALIA - Sardegna - CA
Hemiptera

Palaemonetes

4

1003

13/05/2014, 19:16

Palaemonetes Vedi ultimo messaggio

Nessun messaggio da leggere
Beosus maritimus (Scopoli, 1763) - Lygaeidae
7.V.2014 - ITALIA - Sardegna - CA
Allegato(i)
Beosus maritimus (Scopoli, 1763) - Lygaeidae

7.V.2014 - ITALIA - Sardegna - CA
Hemiptera

Palaemonetes

2

683

12/05/2014, 12:14

Palaemonetes Vedi ultimo messaggio

Nessun messaggio da leggere
Lygaeosoma sardeum Spinola, 1837 - Lygaeidae
7.V.2014 - ITALIA - Sardegna - CA
Allegato(i)
Lygaeosoma sardeum Spinola, 1837 - Lygaeidae

7.V.2014 - ITALIA - Sardegna - CA
Hemiptera

Palaemonetes

3

796

12/05/2014, 12:14

Palaemonetes Vedi ultimo messaggio

Nessun messaggio da leggere
Allegato(i)
Oxycarenus (Oxycarenus) hyalinipennis (A. Costa, 1843) - Lygaeidae

28.IV.2014 - ITALIA - Abruzzo - PE
Hemiptera

Alessio89

4

1067

08/05/2014, 15:36

Alessio89 Vedi ultimo messaggio

Nessun messaggio da leggere
Spilostethus pandurus (Scopoli 1763) - Lygaeidae
21.IV.2014 - ITALIA - Toscana - GR
Allegato(i)
Spilostethus pandurus (Scopoli 1763) - Lygaeidae

21.IV.2014 - ITALIA - Toscana - GR
Hemiptera

babunco

2

805

30/04/2014, 9:40

babunco Vedi ultimo messaggio

Nessun messaggio da leggere
Ischnocoris hemipterus (Schilling, 1829) - Lygaeidae
21.IV.2014 - ITALIA - Marche - PU
Allegato(i)
Ischnocoris hemipterus (Schilling, 1829) - Lygaeidae

21.IV.2014 - ITALIA - Marche - PU
Hemiptera

marco paglialunga

0

596

23/04/2014, 8:37

marco paglialunga Vedi ultimo messaggio

Nessun messaggio da leggere
Rhyparochromus vulgaris (Schilling 1829) (cf.) - Lygaeidae
15.II.2014 - ITALIA - Lombardia - BS
Allegato(i)
Rhyparochromus vulgaris (Schilling 1829) (cf.) - Lygaeidae

15.II.2014 - ITALIA - Lombardia - BS
Hemiptera

Livio

3

1111

31/03/2014, 19:49

Palaemonetes Vedi ultimo messaggio

Nessun messaggio da leggere
Raglius confusus (Reuter, 1886) - Lygaeidae
20.II.2012 - ITALIA - Liguria - SP
Allegato(i)
Raglius confusus (Reuter, 1886) - Lygaeidae

20.II.2012 - ITALIA - Liguria - SP
Hemiptera

Marco Fortunato

8

3101

22/03/2014, 0:58

Dioli Vedi ultimo messaggio

Nessun messaggio da leggere
Lygaeus creticus Lucas, 1854 - Lygeidae
26.II.2014 - ITALIA - Calabria - CS
Allegato(i)
Lygaeus creticus Lucas, 1854 - Lygeidae

26.II.2014 - ITALIA - Calabria - CS
Hemiptera

nandopaglia

8

2336

09/03/2014, 0:25

magosti Vedi ultimo messaggio

Nessun messaggio da leggere
Caenocoris nerii (Germar 1847) - Lygaeidae
7.I.2000 - JORDAN - EE
Allegato(i)
Caenocoris nerii (Germar 1847) - Lygaeidae

7.I.2000 - JORDAN - EE
Hemiptera

Chalybion

4

1418

05/03/2014, 12:00

Chalybion Vedi ultimo messaggio

Nessun messaggio da leggere
Allegato(i)
Spilostethus pandurus (Scopoli, 1763) - Ligeidae

7.I.2000 - JORDAN - EE
Hemiptera

Chalybion

2

949

01/03/2014, 19:51

Chalybion Vedi ultimo messaggio

Nessun messaggio da leggere
Henestaris laticeps (Curtis 1836) - Lygaeidae Henestarinae
14.II.2014 - ITALIA - Toscana - LI
Allegato(i)
Henestaris laticeps (Curtis 1836) - Lygaeidae Henestarinae

14.II.2014 - ITALIA - Toscana - LI
Hemiptera

FORBIX

2

896

23/02/2014, 21:39

FORBIX Vedi ultimo messaggio

Nessun messaggio da leggere
Anomaloptera helianthemi Amyot & Serville, 1843 - Lygaeidae
2.XI.2013 - ITALIA - Toscana - LI
Allegato(i)
Anomaloptera helianthemi Amyot & Serville, 1843 - Lygaeidae

2.XI.2013 - ITALIA - Toscana - LI
Hemiptera

FORBIX

10

1935

21/02/2014, 20:06

giuseppe55 Vedi ultimo messaggio

Nessun messaggio da leggere
Allegato(i)
Paraparomius leptopoides (Baeresprung, 1859) - Lygaeidae

21.I.2014 - SVIZZERA - EE
Hemiptera

gio

3

952

03/02/2014, 16:13

Dioli Vedi ultimo messaggio

Nessun messaggio da leggere
Remaudiereana annulipes (Bärensprung, 1859) - Lygaeidae
18.I.2014 - ITALIA - Lazio - RM
Allegato(i)
Remaudiereana annulipes (Bärensprung, 1859) - Lygaeidae

18.I.2014 - ITALIA - Lazio - RM
Hemiptera

giuseppe55

2

863

27/01/2014, 19:40

giuseppe55 Vedi ultimo messaggio

Nessun messaggio da leggere
Plinthisus sp. - Lygaeidae
12.I.2014 - ITALIA - Lombardia - BS
Allegato(i)
Plinthisus sp. - Lygaeidae

12.I.2014 - ITALIA - Lombardia - BS
Hemiptera

Livio

2

790

14/01/2014, 20:27

giuseppe55 Vedi ultimo messaggio

Nessun messaggio da leggere
Allegato(i)
Geocoris (Geocoris) lineola lineola (Rambur, 1839) - Lygaeidae

22.X.2013 - ITALIA - Toscana - GR
Hemiptera

pipine26

3

1024

19/12/2013, 9:53

FORBIX Vedi ultimo messaggio

Nessun messaggio da leggere
Raglius alboacuminatus (Goeze, 1778) - Lygaeidae
2.XII.2013 - ROMANIA - EE
Allegato(i)
Raglius alboacuminatus (Goeze, 1778) - Lygaeidae

2.XII.2013 - ROMANIA - EE
Hemiptera

cosmln

0

616

17/12/2013, 18:58

cosmln Vedi ultimo messaggio

Nessun messaggio da leggere
Lygaeus equestris (Linnaeus, 1758) - Lygaeidae
2.XII.2013 - ROMANIA - EE
Allegato(i)
Lygaeus equestris (Linnaeus, 1758) - Lygaeidae

2.XII.2013 - ROMANIA - EE
Hemiptera

cosmln

4

1745

17/12/2013, 14:02

cosmln Vedi ultimo messaggio

Nessun messaggio da leggere
Lethaeus cribratissimus (Stål 1859) - Lygaeidae
10.IX.2013 - TURCHIA - EE
Allegato(i)
Lethaeus cribratissimus (Stål 1859) - Lygaeidae

10.IX.2013 - TURCHIA - EE
Hemiptera

ozgur70

2

796

16/12/2013, 9:17

ozgur70 Vedi ultimo messaggio

Nessun messaggio da leggere
Allegato(i)
Rhyparochromus (Xanthochilus) saturnius (Rossi, 1790) (cf.) - Lygaeidae

ITALIA - Toscana
Hemiptera

elisa73

4

965

29/11/2013, 17:43

eurinomio Vedi ultimo messaggio

Nessun messaggio da leggere
Peritrechus gracilicornis Puton, 1877 - Lygaeidae
18.X.2013 - ITALIA - Lombardia - BG
Allegato(i)
Peritrechus gracilicornis Puton, 1877 - Lygaeidae

18.X.2013 - ITALIA - Lombardia - BG
Hemiptera

ff57

1

709

24/10/2013, 21:48

FORBIX Vedi ultimo messaggio

Nessun messaggio da leggere
Spilostethus pandurus (Scopoli, 1763) - Lygaeidae
4.X.2013 - ITALIA - Sicilia - SR
Allegato(i)
Spilostethus pandurus (Scopoli, 1763) - Lygaeidae

4.X.2013 - ITALIA - Sicilia - SR
Hemiptera

Parisi Sebastiano

1

689

20/10/2013, 15:14

Seraph Vedi ultimo messaggio

Nessun messaggio da leggere
Nysius graminicola (Kolenati 1845) (cf) - Lygaeidae
21.VIII.2012 - ITALIA - Lombardia - MI
Allegato(i)
Nysius graminicola (Kolenati 1845) (cf) - Lygaeidae

21.VIII.2012 - ITALIA - Lombardia - MI
Hemiptera

ff57

1

803

10/10/2013, 20:16

ff57 Vedi ultimo messaggio

Nessun messaggio da leggere
Aoploscelis bivirgata (A. Costa 1853) - Lygaeidae
31.VIII.2008 - ITALIA - Lazio - LT
Allegato(i)
Aoploscelis bivirgata (A. Costa 1853) - Lygaeidae

31.VIII.2008 - ITALIA - Lazio - LT
Hemiptera

giuseppe55

2

1137

04/10/2013, 19:21

giuseppe55 Vedi ultimo messaggio

Nessun messaggio da leggere
Macropternella bicolor conica (Rey, 1888) - Lygaeidae
10.V.2009 - ITALIA - Lazio - LT
Allegato(i)
Macropternella bicolor conica (Rey, 1888) - Lygaeidae

10.V.2009 - ITALIA - Lazio - LT
Hemiptera

giuseppe55

2

1077

04/10/2013, 19:19

giuseppe55 Vedi ultimo messaggio

Nessun messaggio da leggere
Lygaeus equestris (Linnaeus 1758) - Lygaeidae
18.VIII.2013 - ITALIA - Friuli-Venezia Giulia - PN
Allegato(i)
Lygaeus equestris (Linnaeus 1758) - Lygaeidae

18.VIII.2013 - ITALIA - Friuli-Venezia Giulia - PN
Hemiptera

andreah

2

939

03/10/2013, 21:11

Rik72 Vedi ultimo messaggio

Nessun messaggio da leggere
Allegato(i)
Beosus maritimus (Scopoli, 1763) - Lygaeidae Rhyparochrominae Rhyparochromini

24.VIII.2013 - ITALIA - Lombardia - BG
Hemiptera

nicoletta

2

1049

02/10/2013, 8:27

nicoletta Vedi ultimo messaggio

Nessun messaggio da leggere
Allegato(i)
Geocoris (Piocoris) erythrocephalus (Lepeletier & Serville 1825) - Lygaeidae (ninfa)

28.IX.2013 - ITALIA - Marche - PU
Hemiptera

marco paglialunga

2

914

02/10/2013, 8:16

marco paglialunga Vedi ultimo messaggio

Nessun messaggio da leggere
Spilostethus pandurus (Scopoli, 1763) - Lygaeidae
1.X.2013 - ITALIA - Lazio - RM
Allegato(i)
Spilostethus pandurus (Scopoli, 1763) - Lygaeidae

1.X.2013 - ITALIA - Lazio - RM
Hemiptera

monica-v

4

1064

02/10/2013, 7:12

monica-v Vedi ultimo messaggio

Nessun messaggio da leggere
Allegato(i)
Liolobus walkeri (Saunders, 1876) - Lygaeidae

1.V.2013 - GRECIA - EE
Hemiptera

Mantispid

2

924

07/08/2013, 11:30

eremicus Vedi ultimo messaggio

Nessun messaggio da leggere
che insetto è?
18.V.2013 - ITALIA - Emilia-Romagna - FE
Allegato(i)
che insetto è?

18.V.2013 - ITALIA - Emilia-Romagna - FE
Hemiptera

gigicroce

5

1412

20/05/2013, 11:37

Mauro Vedi ultimo messaggio

Nessun messaggio da leggere
Allegato(i)
Spilostethus pandurus (Scopoli, 1763) (cf.) - Lygaeidae

V.2010 - MAROCCO - EE
Hemiptera

pipine26

2

805

28/03/2013, 16:11

pipine26 Vedi ultimo messaggio

Nessun messaggio da leggere
Raglius alboacuminatus (Goeze, 1778) - Lygaeidae
15.III.2012 - ITALIA - Veneto - RO
Allegato(i)
Raglius alboacuminatus (Goeze, 1778) - Lygaeidae

15.III.2012 - ITALIA - Veneto - RO
Hemiptera

Umbro

1

775

24/03/2013, 19:57

eremicus Vedi ultimo messaggio

Nessun messaggio da leggere
Notochylus damryi Puton, 1871 - Lygaeidae (f. brachittera)
3.III.2013 - ITALIA - Toscana - LI
Allegato(i)
Notochylus damryi Puton, 1871 - Lygaeidae (f. brachittera)

3.III.2013 - ITALIA - Toscana - LI
Hemiptera

FORBIX

2

841

23/03/2013, 21:24

FORBIX Vedi ultimo messaggio

Nessun messaggio da leggere
Aphanus rolandri (Linnaeus, 1758) - Lygaeidae
13.XI.2012 - ITALIA - Veneto - VR
Allegato(i)
Aphanus rolandri (Linnaeus, 1758) - Lygaeidae

13.XI.2012 - ITALIA - Veneto - VR
Hemiptera

Umbro

1

809

21/03/2013, 20:45

giuseppe55 Vedi ultimo messaggio

Nessun messaggio da leggere
Lygaeidae - Ninfa
7.VII.2012 - ITALIA - Sicilia - ME
Allegato(i)
Lygaeidae - Ninfa

7.VII.2012 - ITALIA - Sicilia - ME
Hemiptera

Lucanus tetraodon

2

893

20/03/2013, 21:44

Lucanus tetraodon Vedi ultimo messaggio

Nessun messaggio da leggere
Allegato(i)
Rhyparochromus (Xantochilus) minusculus (Reuter, 1885) - Lygaeidae

6.I.2013 - ITALIA - Sicilia - CT
Hemiptera

Lucanus tetraodon

2

1044

20/03/2013, 21:42

Lucanus tetraodon Vedi ultimo messaggio

Visualizza ultimi argomenti:  Ordina per  Ordine:  
nuovo argomento
Vai alla pagina Precedente  1 ... 4, 5, 6, 7, 8, 9, 10 ... 12  Prossimo
Pagina 7 di 12 [ 570 argomenti ]

Tutti gli orari sono UTC + 1 ora [ ora legale ]


Chi c’è in linea

Visitano il forum: Nessuno e 1 ospite


Legenda
Messaggi da leggere Messaggi da leggere Nessun messaggio da leggere Nessun messaggio da leggere Annuncio Annuncio
 
Specie indeterminata / discussione generica
Messaggi non letti [ Popolari ] Messaggi non letti [ Popolari ] Nessun messaggio da leggere [ Popolare ] Nessun messaggio da leggere [ Popolare ] Importante Importante
 
Specie determinata fino al genere o cf.
Messaggi non letti [ Bloccati ] Messaggi non letti [ Bloccati ] No messaggi non letti [ Bloccati ] No messaggi non letti [ Bloccati ] Argomento spostato Argomento spostato
 
Specie correttamente determinata
Permessi
Non puoi aprire nuovi argomenti
Non puoi rispondere negli argomenti
Non puoi modificare i tuoi messaggi
Non puoi cancellare i tuoi messaggi
Non puoi inviare allegati

Cerca per:
Vai a: