Benvenuto Ospite

Forum Entomologi Italiani

www.entomologiitaliani.net/forum
 
Oggi è 04/11/2025, 4:05

Tutti gli orari sono UTC + 1 ora [ ora legale ]

Lygaeidae


[ AFROTROPICALE ] [ ANTARTICO ] [ AUSTRALASIANO ] [ NEARTICO ] [ NEOTROPICALE ] [ ORIENTALE ] [ PALEARTICO ]


nuovo argomento
Vai alla pagina Precedente  1 ... 6, 7, 8, 9, 10, 11, 12  Prossimo
Pagina 9 di 12 [ 569 argomenti ]
 Argomenti   Ordine   Autore   Risposte   Visite    Ultimo messaggio 
Annunci
Nessun messaggio da leggere
Allegato(i)
Incontri entomologici telematici organizzati dalla Società Entomologica Italiana nel 2022 e nel 2023

[ Vai alla paginaVai alla pagina: 1, 2, 3 ]

 

Velvet Ant

44

1404646

03/03/2023, 15:55

Velvet Ant Vedi ultimo messaggio

Nessun messaggio da leggere  
Allegato(i)
Sondaggio sul declino dell'entomofauna in Italia

[ Vai alla paginaVai alla pagina: 1, 2, 3, 4 ]

 

Velvet Ant

52

1729195

22/10/2022, 19:18

Acquarius Vedi ultimo messaggio

Nessun messaggio da leggere  
Allegato(i)
Progetto: Bibliografia ragionata dei lavori entomologici nei quali sono citati reperti apparsi su FEI

[ Vai alla paginaVai alla pagina: 1, 2, 3 ]

 

Velvet Ant

33

1151529

06/07/2023, 18:31

Orotrechus Vedi ultimo messaggio

Nessun messaggio da leggere
Allegato(i)
Mimesi, il primo documentario cinematografico sull’entomologia in Italia: casting
 

mazzeip

1

453594

28/02/2019, 20:26

mazzeip Vedi ultimo messaggio

Questo argomento è bloccato, non puoi modificare o inviare ulteriori messaggi.
Allegato(i)
ISTRUZIONI PUBBLICAZIONE NUOVI ARGOMENTI E FOTO

 
Altri Ordini di Insetti

Julodis

4

869989

13/05/2015, 19:37

Julodis Vedi ultimo messaggio

Nessun messaggio da leggere
Allegato(i)
Limitatore giornaliero di messaggi, uno strumento utile e ormai indispensabile

[ Vai alla paginaVai alla pagina: 1 ... 14, 15, 16 ]

 

Velvet Ant

233

8712866

25/09/2014, 14:31

Inachis Vedi ultimo messaggio

Nessun messaggio da leggere  
NORME PER I COLLABORATORI DEL FORUM

 
 

Velvet Ant

0

476589

02/06/2011, 12:05

Velvet Ant Vedi ultimo messaggio

Nessun messaggio da leggere
Allegato(i)
NORME PER GLI UTENTI DEL FORUM

[ Vai alla paginaVai alla pagina: 1, 2, 3 ]



 
 

Velvet Ant

30

2328099

23/09/2014, 23:54

Maurizio Bollino Vedi ultimo messaggio

Nessun messaggio da leggere  
Lista degli utenti del "Forum entomologi italiani" per campi di interesse e specializzazione

 
Altri Ordini di Insetti

Velvet Ant

13

936231

07/09/2023, 17:14

Roberto-07 Vedi ultimo messaggio

Argomenti
Nessun messaggio da leggere
Megalonotus sabulicola (Thomson, 1870) - Lygaeidae
29.V.2012 - SLOVACCHIA - EE
Allegato(i)
Megalonotus sabulicola (Thomson, 1870) - Lygaeidae

29.V.2012 - SLOVACCHIA - EE
Hemiptera

Karol Ox

2

595

04/09/2012, 19:20

Karol Ox Vedi ultimo messaggio

Nessun messaggio da leggere
Nithecus jacobeae (Schilling, 1829) - Lygaeidae
4.VIII.2012 - SPAGNA - EE
Allegato(i)
Nithecus jacobeae (Schilling, 1829) - Lygaeidae

4.VIII.2012 - SPAGNA - EE
Hemiptera

Isidro

2

848

29/08/2012, 14:15

Isidro Vedi ultimo messaggio

Nessun messaggio da leggere
Lygaeus equestris (Linnaeus, 1758) - Lygaeidae
5.VIII.2012 - ITALIA - Sardegna - SS
Allegato(i)
Lygaeus equestris (Linnaeus, 1758) - Lygaeidae

5.VIII.2012 - ITALIA - Sardegna - SS
Hemiptera

Hemerobius

6

1717

15/08/2012, 1:02

Andricus Vedi ultimo messaggio

Nessun messaggio da leggere
Aellopus atratus (Goeze, 1778) - Lygaeidae
16.VII.2012 - ITALIA - Lazio - VT
Allegato(i)
Aellopus atratus (Goeze, 1778) - Lygaeidae

16.VII.2012 - ITALIA - Lazio - VT
Hemiptera

Andricus

0

931

21/07/2012, 0:06

Andricus Vedi ultimo messaggio

Nessun messaggio da leggere
Allegato(i)
Apterola (Apterola) kuenckeli kuenckeli Mulsant & Rey, 1866 - Lygaeidae

30.VI.2012 - ITALIA - Sicilia - TP
Hemiptera

Marco Ferrante

2

871

17/07/2012, 14:43

Marco Ferrante Vedi ultimo messaggio

Nessun messaggio da leggere
Metopoplax ditomoides (Costa, 1843) - Lygaeidae Oxycareninae
9.VII.2012 - ITALIA - Veneto - PD
Allegato(i)
Metopoplax ditomoides (Costa, 1843) - Lygaeidae Oxycareninae

9.VII.2012 - ITALIA - Veneto - PD
Hemiptera

Golia

3

1147

16/07/2012, 13:05

Livio Vedi ultimo messaggio

Nessun messaggio da leggere
Peritrechus gracilicornis Puton, 1877 - Lygaeidae
13.VII.2012 - ITALIA - Marche - PU
Allegato(i)
Peritrechus gracilicornis Puton, 1877 - Lygaeidae

13.VII.2012 - ITALIA - Marche - PU
Hemiptera

marco paglialunga

3

673

16/07/2012, 11:57

ghebo Vedi ultimo messaggio

Nessun messaggio da leggere
Lygaeosoma sardeum Spinola, 1837 - Lygaeidae
14.VII.2012 - ITALIA - Veneto - VE
Allegato(i)
Lygaeosoma sardeum Spinola, 1837 - Lygaeidae

14.VII.2012 - ITALIA - Veneto - VE
Hemiptera

ghebo

2

598

14/07/2012, 17:47

ghebo Vedi ultimo messaggio

Nessun messaggio da leggere
Thaumastopus marginicollis (Lucas, 1849) - Lygaeidae
9.VII.2012 - ITALIA - Marche - PU
Allegato(i)
Thaumastopus marginicollis (Lucas, 1849) - Lygaeidae

9.VII.2012 - ITALIA - Marche - PU
Hemiptera

marco paglialunga

2

709

12/07/2012, 1:04

marco paglialunga Vedi ultimo messaggio

Nessun messaggio da leggere
Lygaeus simulans Deckert, 1985 - Lygaeidae
1.VII.2012 - ITALIA - Piemonte - CN
Allegato(i)
Lygaeus simulans Deckert, 1985 - Lygaeidae

1.VII.2012 - ITALIA - Piemonte - CN
Hemiptera

Bosu

10

2923

09/07/2012, 2:51

Dioli Vedi ultimo messaggio

Nessun messaggio da leggere
Belonochilus numenius (Say, 1832) - Lygaeidae Orsillinae
26.VI.2012 - ITALIA - Marche - PU
Allegato(i)
Belonochilus numenius (Say, 1832) - Lygaeidae Orsillinae

26.VI.2012 - ITALIA - Marche - PU
Hemiptera

marco paglialunga

2

1184

05/07/2012, 7:30

marco paglialunga Vedi ultimo messaggio

Nessun messaggio da leggere
Allegato(i)
Hyalochilus ovatulus (A. Costa, 1853) - Lygaeidae Rhyparochrominae

27.VI.2012 - ITALIA - Campania - NA
Hemiptera

clido

0

724

30/06/2012, 13:29

clido Vedi ultimo messaggio

Nessun messaggio da leggere
Emblethis sp. - Lygaeidae
29.III.2012 - ITALIA - Lazio - VT
Allegato(i)
Emblethis sp. - Lygaeidae

29.III.2012 - ITALIA - Lazio - VT
Hemiptera

Andricus

4

824

26/06/2012, 18:47

Palaemonetes Vedi ultimo messaggio

Nessun messaggio da leggere
Ischnodemus sp. - Lygaeidae (da confermare)
1.IV.2012 - ITALIA - Lazio - VT
Allegato(i)
Ischnodemus sp. - Lygaeidae (da confermare)

1.IV.2012 - ITALIA - Lazio - VT
Hemiptera

Andricus

2

586

26/06/2012, 0:06

Andricus Vedi ultimo messaggio

Nessun messaggio da leggere
Lygaeus creticus Lucas, 1854 - Lygaeidae
8.VI.2012 - ITALIA - Sicilia - TP
Allegato(i)
Lygaeus creticus Lucas, 1854 - Lygaeidae

8.VI.2012 - ITALIA - Sicilia - TP
Hemiptera

gigi58

5

959

25/06/2012, 22:26

gigi58 Vedi ultimo messaggio

Nessun messaggio da leggere
Scolopostethus affinis (Schilling, 1829) - Lygaeidae
13.VI.2012 - ITALIA - Marche - PU
Allegato(i)
Scolopostethus affinis (Schilling, 1829) - Lygaeidae

13.VI.2012 - ITALIA - Marche - PU
Hemiptera

marco paglialunga

2

517

19/06/2012, 8:04

marco paglialunga Vedi ultimo messaggio

Nessun messaggio da leggere
Raglius confusus (Reuter, 1886) - Lygaeidae
31.V.2012 - ITALIA - Campania - SA
Allegato(i)
Raglius confusus (Reuter, 1886) - Lygaeidae

31.V.2012 - ITALIA - Campania - SA
Hemiptera

Enzo.C

2

651

14/06/2012, 22:44

Enzo.C Vedi ultimo messaggio

Nessun messaggio da leggere
Allegato(i)
Dimorphopterus blissoides (Baeresprung, 1859) - Lygaeidae Blissinae

26.V.2012 - ITALIA - Veneto - VE
Hemiptera

ghebo

2

849

06/06/2012, 7:33

ghebo Vedi ultimo messaggio

Nessun messaggio da leggere
Heterogaster urticae (Fabricius, 1775) - Lygaeidae
18.V.2010 - ITALIA - Lazio - RM
Allegato(i)
Heterogaster urticae (Fabricius, 1775) - Lygaeidae

18.V.2010 - ITALIA - Lazio - RM
Hemiptera

soken

4

939

30/05/2012, 17:48

soken Vedi ultimo messaggio

Nessun messaggio da leggere
Allegato(i)
Rhyparochromus (Rhyparochromus) phoeniceus (Rossi, 1794) - Lygaeidae

SPAGNA - EE
Hemiptera

Isidro

2

505

29/05/2012, 18:38

Isidro Vedi ultimo messaggio

Nessun messaggio da leggere
Allegato(i)
Rhyparochromus (Rhyparochromus) pini (Linnaeus, 1758) - Lygaeidae

26.V.2012 - SPAGNA - EE
Hemiptera

Isidro

3

540

29/05/2012, 18:35

Isidro Vedi ultimo messaggio

Nessun messaggio da leggere
Scolopostethus sp. - Lygaeidae
10.XII.2011 - ITALIA - Veneto - VE
Allegato(i)
Scolopostethus sp. - Lygaeidae

10.XII.2011 - ITALIA - Veneto - VE
Hemiptera

ghebo

2

480

29/05/2012, 17:26

ghebo Vedi ultimo messaggio

Nessun messaggio da leggere
Nysius sp. - Lygaeidae
27.V.2012 - ITALIA - Veneto - VE
Allegato(i)
Nysius sp. - Lygaeidae

27.V.2012 - ITALIA - Veneto - VE
Hemiptera

ghebo

2

1921

28/05/2012, 13:47

ghebo Vedi ultimo messaggio

Nessun messaggio da leggere
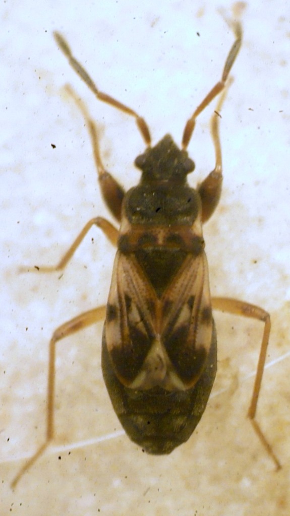
Lygaeidae
21.III.2012 - ITALIA - Lazio - RM
Allegato(i)
Lygaeidae

21.III.2012 - ITALIA - Lazio - RM
Hemiptera

soken

4

656

17/05/2012, 19:35

soken Vedi ultimo messaggio

Nessun messaggio da leggere
Paromius gracilis (Rambur, 1839) - Lygaeidae
26.IV.2012 - ITALIA - Campania - NA
Allegato(i)
Paromius gracilis (Rambur, 1839) - Lygaeidae

26.IV.2012 - ITALIA - Campania - NA
Hemiptera

clido

3

748

05/05/2012, 12:16

clido Vedi ultimo messaggio

Nessun messaggio da leggere
Allegato(i)
Geocoris (Piocoris) erythrocephala (Le Peletier & Serville, 1825) - Lygaeidae

21.IV.2012 - ITALIA - Lazio - VT
Hemiptera

Andricus

1

455

04/05/2012, 23:56

marsal Vedi ultimo messaggio

Nessun messaggio da leggere
Aphanus rolandri (Linnaeus, 1758) - Lygaeidae
25.IV.2012 - ITALIA - Lazio - VT
Allegato(i)
Aphanus rolandri (Linnaeus, 1758) - Lygaeidae

25.IV.2012 - ITALIA - Lazio - VT
Hemiptera

Andricus

2

570

04/05/2012, 23:33

Andricus Vedi ultimo messaggio

Nessun messaggio da leggere
Allegato(i)
Dimorphopterus blissoides (Bärensprung, 1859) – Hemiptera da confermare

30.IV.2012 - ITALIA - Veneto - VE
Hemiptera

ghebo

2

600

02/05/2012, 18:33

ghebo Vedi ultimo messaggio

Nessun messaggio da leggere
Ischnodemus quadratus Fieber, 1837 - Lygaeidae
25.IV.2012 - ITALIA - Marche - PU
Allegato(i)
Ischnodemus quadratus Fieber, 1837 - Lygaeidae

25.IV.2012 - ITALIA - Marche - PU
Hemiptera

marco paglialunga

0

566

26/04/2012, 21:30

marco paglialunga Vedi ultimo messaggio

Nessun messaggio da leggere
Allegato(i)
Geocoris (Geocoris) lineola lineola (Rambur, 1839) - Lygaeidae

7.VII.2011 - ITALIA - Lazio - RM
Hemiptera

soken

4

1190

26/04/2012, 10:04

soken Vedi ultimo messaggio

Nessun messaggio da leggere
Taphropeltus nervosus (Fieber, 1861) - Lygaeidae
26.III.2012 - ITALIA - Lazio - RM
Allegato(i)
Taphropeltus nervosus (Fieber, 1861) - Lygaeidae

26.III.2012 - ITALIA - Lazio - RM
Hemiptera

soken

4

924

24/04/2012, 16:57

soken Vedi ultimo messaggio

Nessun messaggio da leggere
Lygaeidae
4.XI.2006 - CINA - EE
Allegato(i)
Lygaeidae

4.XI.2006 - CINA - EE
Hemiptera

Isidro

4

2342

20/04/2012, 21:11

giuseppe55 Vedi ultimo messaggio

Nessun messaggio da leggere
Plinthisus brevipennis (Latreille, 1807) - Lygaeidae
22.III.2012 - ITALIA - Emilia-Romagna - RE
Allegato(i)
Plinthisus brevipennis (Latreille, 1807) - Lygaeidae

22.III.2012 - ITALIA - Emilia-Romagna - RE
Hemiptera

Mikiphasmide

2

674

15/04/2012, 11:15

eremicus Vedi ultimo messaggio

Nessun messaggio da leggere
Allegato(i)
Oxycarenus (Oxycarenus) hyalinipennis (A. Costa 1843) - Lygaeidae Oxycareninae

22.III.2012 - ITALIA - Lazio - VT
Hemiptera

Andricus

6

915

06/04/2012, 20:55

Andricus Vedi ultimo messaggio

Nessun messaggio da leggere
Nysius sp. - Lygaeidae
4.IX.2011 - ITALIA - Emilia-Romagna - BO
Allegato(i)
Nysius sp. - Lygaeidae

4.IX.2011 - ITALIA - Emilia-Romagna - BO
Hemiptera

Menhit

2

585

03/04/2012, 22:53

Menhit Vedi ultimo messaggio

Nessun messaggio da leggere
Lygaeus creticus Lucas, 1854 - Lygaeidae
1.IV.2012 - ITALIA - Lazio - VT
Allegato(i)
Lygaeus creticus Lucas, 1854 - Lygaeidae

1.IV.2012 - ITALIA - Lazio - VT
Hemiptera

Andricus

2

781

03/04/2012, 22:39

Andricus Vedi ultimo messaggio

Nessun messaggio da leggere
Aellopus atratus (Goeze, 1778) - Lygaeidae
21.III.2012 - ITALIA - Lazio - LT
Allegato(i)
Aellopus atratus (Goeze, 1778) - Lygaeidae

21.III.2012 - ITALIA - Lazio - LT
Hemiptera

ruzzpa

2

950

01/04/2012, 23:25

ruzzpa Vedi ultimo messaggio

Nessun messaggio da leggere
Arocatus melanocephalus (Fabricius, 1798) - Lygaeidae
17.III.2012 - ITALIA - Friuli-Venezia Giulia - GO
Allegato(i)
Arocatus melanocephalus (Fabricius, 1798) - Lygaeidae

17.III.2012 - ITALIA - Friuli-Venezia Giulia - GO
Hemiptera

Agdistis

3

874

29/03/2012, 17:31

Agdistis Vedi ultimo messaggio

Nessun messaggio da leggere
Megalonotus sabulicola (Thomson, 1870) - Lygaeidae
6.III.2012 - ITALIA - Lazio - VT
Allegato(i)
Megalonotus sabulicola (Thomson, 1870) - Lygaeidae

6.III.2012 - ITALIA - Lazio - VT
Hemiptera

Andricus

5

895

28/03/2012, 1:56

Dioli Vedi ultimo messaggio

Nessun messaggio da leggere
Raglius alboacuminatus (Goeze, 1778) - Lygaeidae
22.III.2012 - ITALIA - Lazio - VT
Allegato(i)
Raglius alboacuminatus (Goeze, 1778) - Lygaeidae

22.III.2012 - ITALIA - Lazio - VT
Hemiptera

Andricus

3

689

23/03/2012, 22:13

Andricus Vedi ultimo messaggio

Nessun messaggio da leggere
Beosus quadripunctatus (Muller, 1766) - Lygaeidae
17.III.2012 - ITALIA - Emilia-Romagna - RE
Allegato(i)
Beosus quadripunctatus (Muller, 1766) - Lygaeidae

17.III.2012 - ITALIA - Emilia-Romagna - RE
Hemiptera

Mikiphasmide

2

755

20/03/2012, 23:18

Mikiphasmide Vedi ultimo messaggio

Nessun messaggio da leggere
Allegato(i)
Taphropeltus contractus (Herrich-Schäffer, 1835) - Lygaeidae

6.III.2012 - ITALIA - Lazio - VT
Hemiptera

Andricus

4

842

19/03/2012, 21:47

Andricus Vedi ultimo messaggio

Nessun messaggio da leggere
Arocatus melanocephalus (Fabricius, 1798) - Lygaeidae
1.III.2012 - ITALIA - Veneto - VR
Allegato(i)
Arocatus melanocephalus (Fabricius, 1798) - Lygaeidae

1.III.2012 - ITALIA - Veneto - VR
Hemiptera

Umbro

4

800

12/03/2012, 19:49

Umbro Vedi ultimo messaggio

Nessun messaggio da leggere
Spilostethus pandurus (Scopoli, 1763) - Lygaeidae
6.III.2012 - ITALIA - Sardegna - CA
Allegato(i)
Spilostethus pandurus (Scopoli, 1763) - Lygaeidae

6.III.2012 - ITALIA - Sardegna - CA
Hemiptera

ruzzpa

1

456

09/03/2012, 11:40

FORBIX Vedi ultimo messaggio

Nessun messaggio da leggere
Allegato(i)
Rhyparochromus vulgaris (Schilling, 1829) - Lygaeidae - Heteroptera

3.III.2012 - ITALIA - Veneto - VE
Hemiptera

ghebo

2

356

06/03/2012, 21:51

ghebo Vedi ultimo messaggio

Nessun messaggio da leggere
Allegato(i)
Holcocranum saturejae (Kolenati, 1845) - Lygaeidae

19.I.2012 - SPAGNA - EE
Hemiptera

Isidro

6

541

02/03/2012, 6:49

Isidro Vedi ultimo messaggio

Nessun messaggio da leggere
Orsillus reyi Puton, 1871 (cf.) - Lygaeidae
21.II.2012 - ITALIA - Marche - AN
Allegato(i)
Orsillus reyi Puton, 1871 (cf.) - Lygaeidae

21.II.2012 - ITALIA - Marche - AN
Hemiptera

StagBeetle

8

824

28/02/2012, 10:42

FORBIX Vedi ultimo messaggio

Nessun messaggio da leggere
Allegato(i)
Oxycarenus (Oxycarenus) lavaterae (Fabricius, 1787) - Lygaeidae

26.I.2012 - ITALIA - Piemonte - VC
Hemiptera

Livio

2

2478

23/02/2012, 1:29

Livio Vedi ultimo messaggio

Nessun messaggio da leggere
Allegato(i)
Gastrodes grossipes grossipes (De Geer, 1773) - Lygaeidae

21.II.2012 - SLOVACCHIA - EE
Hemiptera

Karol Ox

3

921

22/02/2012, 17:25

Karol Ox Vedi ultimo messaggio

Nessun messaggio da leggere
Scolopostethus sp. (cf.) - Lygaeidae
26.I.2012 - ITALIA - Veneto - RO
Allegato(i)
Scolopostethus sp. (cf.) - Lygaeidae

26.I.2012 - ITALIA - Veneto - RO
Hemiptera

Umbro

3

2133

22/02/2012, 14:25

Umbro Vedi ultimo messaggio

Visualizza ultimi argomenti:  Ordina per  Ordine:  
nuovo argomento
Vai alla pagina Precedente  1 ... 6, 7, 8, 9, 10, 11, 12  Prossimo
Pagina 9 di 12 [ 569 argomenti ]

Tutti gli orari sono UTC + 1 ora [ ora legale ]


Chi c’è in linea

Visitano il forum: Nessuno e 3 ospiti


Legenda
Messaggi da leggere Messaggi da leggere Nessun messaggio da leggere Nessun messaggio da leggere Annuncio Annuncio
 
Specie indeterminata / discussione generica
Messaggi non letti [ Popolari ] Messaggi non letti [ Popolari ] Nessun messaggio da leggere [ Popolare ] Nessun messaggio da leggere [ Popolare ] Importante Importante
 
Specie determinata fino al genere o cf.
Messaggi non letti [ Bloccati ] Messaggi non letti [ Bloccati ] No messaggi non letti [ Bloccati ] No messaggi non letti [ Bloccati ] Argomento spostato Argomento spostato
 
Specie correttamente determinata
Permessi
Non puoi aprire nuovi argomenti
Non puoi rispondere negli argomenti
Non puoi modificare i tuoi messaggi
Non puoi cancellare i tuoi messaggi
Non puoi inviare allegati

Cerca per:
Vai a:  
cron