Benvenuto Ospite

Forum Entomologi Italiani

www.entomologiitaliani.net/forum
 
Oggi è 04/11/2025, 4:05

Tutti gli orari sono UTC + 1 ora [ ora legale ]

Lygaeidae


[ AFROTROPICALE ] [ ANTARTICO ] [ AUSTRALASIANO ] [ NEARTICO ] [ NEOTROPICALE ] [ ORIENTALE ] [ PALEARTICO ]


nuovo argomento
Vai alla pagina Precedente  1 ... 8, 9, 10, 11, 12
Pagina 12 di 12 [ 569 argomenti ]
 Argomenti   Ordine   Autore   Risposte   Visite    Ultimo messaggio 
Annunci
Nessun messaggio da leggere
Allegato(i)
Incontri entomologici telematici organizzati dalla Società Entomologica Italiana nel 2022 e nel 2023

[ Vai alla paginaVai alla pagina: 1, 2, 3 ]

 

Velvet Ant

44

1404646

03/03/2023, 15:55

Velvet Ant Vedi ultimo messaggio

Nessun messaggio da leggere  
Allegato(i)
Sondaggio sul declino dell'entomofauna in Italia

[ Vai alla paginaVai alla pagina: 1, 2, 3, 4 ]

 

Velvet Ant

52

1729195

22/10/2022, 19:18

Acquarius Vedi ultimo messaggio

Nessun messaggio da leggere  
Allegato(i)
Progetto: Bibliografia ragionata dei lavori entomologici nei quali sono citati reperti apparsi su FEI

[ Vai alla paginaVai alla pagina: 1, 2, 3 ]

 

Velvet Ant

33

1151529

06/07/2023, 18:31

Orotrechus Vedi ultimo messaggio

Nessun messaggio da leggere
Allegato(i)
Mimesi, il primo documentario cinematografico sull’entomologia in Italia: casting
 

mazzeip

1

453594

28/02/2019, 20:26

mazzeip Vedi ultimo messaggio

Questo argomento è bloccato, non puoi modificare o inviare ulteriori messaggi.
Allegato(i)
ISTRUZIONI PUBBLICAZIONE NUOVI ARGOMENTI E FOTO

 
Altri Ordini di Insetti

Julodis

4

869989

13/05/2015, 19:37

Julodis Vedi ultimo messaggio

Nessun messaggio da leggere
Allegato(i)
Limitatore giornaliero di messaggi, uno strumento utile e ormai indispensabile

[ Vai alla paginaVai alla pagina: 1 ... 14, 15, 16 ]

 

Velvet Ant

233

8712866

25/09/2014, 14:31

Inachis Vedi ultimo messaggio

Nessun messaggio da leggere  
NORME PER I COLLABORATORI DEL FORUM

 
 

Velvet Ant

0

476589

02/06/2011, 12:05

Velvet Ant Vedi ultimo messaggio

Nessun messaggio da leggere
Allegato(i)
NORME PER GLI UTENTI DEL FORUM

[ Vai alla paginaVai alla pagina: 1, 2, 3 ]



 
 

Velvet Ant

30

2328099

23/09/2014, 23:54

Maurizio Bollino Vedi ultimo messaggio

Nessun messaggio da leggere  
Lista degli utenti del "Forum entomologi italiani" per campi di interesse e specializzazione

 
Altri Ordini di Insetti

Velvet Ant

13

936231

07/09/2023, 17:14

Roberto-07 Vedi ultimo messaggio

Argomenti
Nessun messaggio da leggere
Cymus sp. - Lygaeidae
IV.2010 - ITALIA - Emilia-Romagna - BO
Allegato(i)
Cymus sp. - Lygaeidae

IV.2010 - ITALIA - Emilia-Romagna - BO
Hemiptera

Loriscola

2

584

20/04/2010, 0:12

marsal Vedi ultimo messaggio

Nessun messaggio da leggere
Dimorphopterus doriae (Ferrari, 1874) ♂ - Lygaeidae
11.IV.2010 - ITALIA - Emilia-Romagna - BO
Allegato(i)
Dimorphopterus doriae (Ferrari, 1874) ♂ - Lygaeidae

11.IV.2010 - ITALIA - Emilia-Romagna - BO
Hemiptera

Notoxus59

2

639

13/04/2010, 20:16

Notoxus59 Vedi ultimo messaggio

Nessun messaggio da leggere
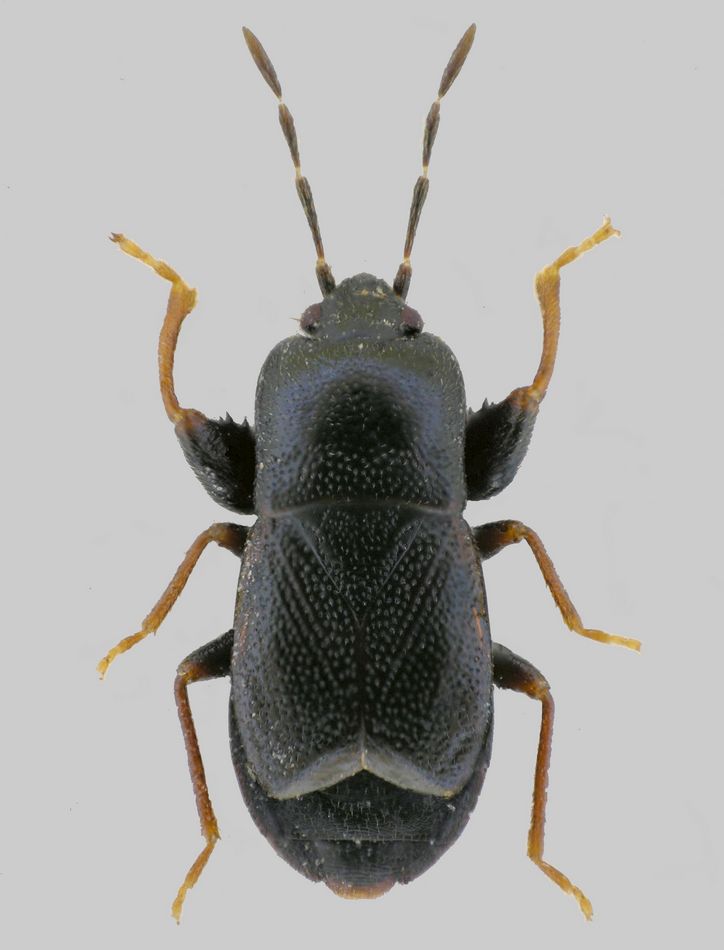
Plinthisus (s. str.) brevipennis (Latreille,1807) - Lygaeidae.
11.IV.2010 - ITALIA - Emilia-Romagna - BO
Allegato(i)
Plinthisus (s. str.) brevipennis (Latreille,1807) - Lygaeidae.

11.IV.2010 - ITALIA - Emilia-Romagna - BO
Hemiptera

Notoxus59

3

939

13/04/2010, 20:11

Notoxus59 Vedi ultimo messaggio

Nessun messaggio da leggere
Eremocoris podagricus (Fabricius, 1775) - Lygaeidae - Sasso Marconi (BO)
20.III.2010 - ITALIA - Emilia-Romagna - BO
Allegato(i)
Eremocoris podagricus (Fabricius, 1775) - Lygaeidae - Sasso Marconi (BO)

20.III.2010 - ITALIA - Emilia-Romagna - BO
Hemiptera

Loriscola

1

538

13/04/2010, 19:22

eremicus Vedi ultimo messaggio

Nessun messaggio da leggere
Megalonotus emarginatus (Rey, 1888). Sasso Marconi (BO)
20.III.2010 - ITALIA - Emilia-Romagna - BO
Allegato(i)
Megalonotus emarginatus (Rey, 1888). Sasso Marconi (BO)

20.III.2010 - ITALIA - Emilia-Romagna - BO
Hemiptera

Loriscola

1

429

13/04/2010, 19:21

eremicus Vedi ultimo messaggio

Nessun messaggio da leggere
Tropistethus sp. - Lygaeidae - Sasso Marconi (BO)
15.III.2010 - ITALIA - Emilia-Romagna - BO
Allegato(i)
Tropistethus sp. - Lygaeidae - Sasso Marconi (BO)

15.III.2010 - ITALIA - Emilia-Romagna - BO
Hemiptera

Loriscola

1

398

19/03/2010, 2:19

eremicus Vedi ultimo messaggio

Nessun messaggio da leggere
Ischnodemus quadratus Fieber, 1837 - Lygaeidae - Sasso Marconi (BO)
15.III.2010 - ITALIA - Emilia-Romagna - BO
Allegato(i)
Ischnodemus quadratus Fieber, 1837 - Lygaeidae - Sasso Marconi (BO)

15.III.2010 - ITALIA - Emilia-Romagna - BO
Hemiptera

Loriscola

1

446

19/03/2010, 2:16

eremicus Vedi ultimo messaggio

Nessun messaggio da leggere
Allegato(i)
Plinthisus (s. str.) cf. brevipennis (Latreille,1807) - Lygaeidae - Lazio

6.III.2010 - ITALIA - Lazio - RM
Hemiptera

Julodis

5

518

09/03/2010, 22:38

Julodis Vedi ultimo messaggio

Nessun messaggio da leggere
Megalonotus emarginatus (Rey, 1888) - Lygaeidae
IV.1993 - ITALIA - Marche - PU
Allegato(i)
Megalonotus emarginatus (Rey, 1888) - Lygaeidae

IV.1993 - ITALIA - Marche - PU
Hemiptera

marco paglialunga

1

338

03/03/2010, 0:11

marsal Vedi ultimo messaggio

Nessun messaggio da leggere
Allegato(i)
Eremocoris fenestratus (Herrich-Schäffer, 1839) - Lygaeidae

II.2001 - ITALIA - Marche - PU
Hemiptera

marco paglialunga

7

650

24/02/2010, 20:52

eremicus Vedi ultimo messaggio

Nessun messaggio da leggere
Aphanus rolandri (Linnaeus, 1758) - Lygaeidae
IV.1993 - ITALIA - Marche - PU
Allegato(i)
Aphanus rolandri (Linnaeus, 1758) - Lygaeidae

IV.1993 - ITALIA - Marche - PU
Hemiptera

marco paglialunga

1

377

24/02/2010, 20:43

eremicus Vedi ultimo messaggio

Nessun messaggio da leggere
Lygaeus creticus Lucas 1854 - Lygaeidae
IV.1998 - ITALIA - Calabria - RC
Allegato(i)
Lygaeus creticus Lucas 1854 - Lygaeidae

IV.1998 - ITALIA - Calabria - RC
Hemiptera

marco paglialunga

2

428

21/02/2010, 20:29

StagBeetle Vedi ultimo messaggio

Nessun messaggio da leggere
Gastrodes grossipes grossipes (De Geer, 1773) - Lygaeidae
III.1995 - ITALIA - Marche - PU
Allegato(i)
Gastrodes grossipes grossipes (De Geer, 1773) - Lygaeidae

III.1995 - ITALIA - Marche - PU
Hemiptera

marco paglialunga

0

527

04/01/2010, 13:21

marco paglialunga Vedi ultimo messaggio

Nessun messaggio da leggere
Caenocoris (Caenocoris) nerii (Germar, 1847) - Lygaeidae
VII.1998 - ITALIA - Sicilia - AG
Allegato(i)
Caenocoris (Caenocoris) nerii (Germar, 1847) - Lygaeidae

VII.1998 - ITALIA - Sicilia - AG
Hemiptera

marco paglialunga

0

582

04/01/2010, 13:15

marco paglialunga Vedi ultimo messaggio

Nessun messaggio da leggere
Lamprodema maura (Fabricius 1803) - Lygaeidae
21.X.2009 - ITALIA - Marche - AN
Allegato(i)
Lamprodema maura (Fabricius 1803) - Lygaeidae

21.X.2009 - ITALIA - Marche - AN
Hemiptera

StagBeetle

2

480

29/10/2009, 21:34

StagBeetle Vedi ultimo messaggio

Nessun messaggio da leggere
Plinthisus (s. str.) longicollis Fieber, 1861 - Lygaeidae
30.IX.2009 - ITALIA - Lazio - RM
Allegato(i)
Plinthisus (s. str.) longicollis Fieber, 1861 - Lygaeidae

30.IX.2009 - ITALIA - Lazio - RM
Hemiptera

soken

11

1319

01/10/2009, 9:58

soken Vedi ultimo messaggio

Nessun messaggio da leggere
Lygaeus equestris (Linnaeus 1758) - Lygaeidae
1.III.2009 - ITALIA - Lazio - RM
Allegato(i)
Lygaeus equestris (Linnaeus 1758) - Lygaeidae

1.III.2009 - ITALIA - Lazio - RM
Hemiptera

soken

1

529

24/08/2009, 14:04

eremicus Vedi ultimo messaggio

Nessun messaggio da leggere
Geocoris (s. str.) pallidipennis (Costa, 1843) - Lygaeidae
27.IX.2008 - ITALIA - Sicilia - RG
Allegato(i)
Geocoris (s. str.) pallidipennis (Costa, 1843) - Lygaeidae

27.IX.2008 - ITALIA - Sicilia - RG
Hemiptera

soken

11

2369

22/08/2009, 19:00

soken Vedi ultimo messaggio

Nessun messaggio da leggere
Hyalochilus ovatulus (A. Costa, 1853), Lygaeidae, Campania
2.IV.2008 - ITALIA - Campania - NA
Allegato(i)
Hyalochilus ovatulus (A. Costa, 1853), Lygaeidae, Campania

2.IV.2008 - ITALIA - Campania - NA
Hemiptera

Eopteryx

3

973

06/03/2009, 13:58

clido Vedi ultimo messaggio

Visualizza ultimi argomenti:  Ordina per  Ordine:  
nuovo argomento
Vai alla pagina Precedente  1 ... 8, 9, 10, 11, 12
Pagina 12 di 12 [ 569 argomenti ]

Tutti gli orari sono UTC + 1 ora [ ora legale ]


Chi c’è in linea

Visitano il forum: Nessuno e 3 ospiti


Legenda
Messaggi da leggere Messaggi da leggere Nessun messaggio da leggere Nessun messaggio da leggere Annuncio Annuncio
 
Specie indeterminata / discussione generica
Messaggi non letti [ Popolari ] Messaggi non letti [ Popolari ] Nessun messaggio da leggere [ Popolare ] Nessun messaggio da leggere [ Popolare ] Importante Importante
 
Specie determinata fino al genere o cf.
Messaggi non letti [ Bloccati ] Messaggi non letti [ Bloccati ] No messaggi non letti [ Bloccati ] No messaggi non letti [ Bloccati ] Argomento spostato Argomento spostato
 
Specie correttamente determinata
Permessi
Non puoi aprire nuovi argomenti
Non puoi rispondere negli argomenti
Non puoi modificare i tuoi messaggi
Non puoi cancellare i tuoi messaggi
Non puoi inviare allegati

Cerca per:
Vai a:  
cron