Benvenuto Ospite

Forum Entomologi Italiani

www.entomologiitaliani.net/forum
 
Oggi è 10/03/2026, 9:41

Tutti gli orari sono UTC + 1 ora [ ora legale ]

 Forum   Argomenti   Messaggi   Ultimo messaggio 
Nessun messaggio da leggere
Filtro località
Carabidae indeterminati

905

4121

25/01/2026, 13:32

angelo.ditta Vedi ultimo messaggio




28% 
1524 taxa correttamente determinati su 5461 presenti in archivio

Carabidae


[ AFROTROPICALE ] [ ANTARTICO ] [ AUSTRALASIANO ] [ NEARTICO ] [ NEOTROPICALE ] [ ORIENTALE ] [ PALEARTICO ]


nuovo argomento
Vai alla pagina Precedente  1, 2, 3, 4, 5, 6 ... 154  Prossimo
Pagina 3 di 154 [ 7681 argomenti ]
 Argomenti   Ordine   Autore   Risposte   Visite    Ultimo messaggio 
Annunci
Nessun messaggio da leggere
Allegato(i)
Incontri entomologici della Società Entomologica Italiana 2025-2026
 

Velvet Ant

0

32091

17/11/2025, 19:41

Velvet Ant Vedi ultimo messaggio

Nessun messaggio da leggere
Allegato(i)
Incontri entomologici telematici organizzati dalla Società Entomologica Italiana nel 2022 e nel 2023

[ Vai alla paginaVai alla pagina: 1, 2, 3 ]

 

Velvet Ant

44

1864859

03/03/2023, 15:55

Velvet Ant Vedi ultimo messaggio

Nessun messaggio da leggere  
Allegato(i)
Sondaggio sul declino dell'entomofauna in Italia

[ Vai alla paginaVai alla pagina: 1, 2, 3, 4 ]

 

Velvet Ant

52

2512914

22/10/2022, 19:18

Acquarius Vedi ultimo messaggio

Nessun messaggio da leggere  
Allegato(i)
Progetto: Bibliografia ragionata dei lavori entomologici nei quali sono citati reperti apparsi su FEI

[ Vai alla paginaVai alla pagina: 1, 2, 3 ]

 

Velvet Ant

33

1497912

06/07/2023, 18:31

Orotrechus Vedi ultimo messaggio

Nessun messaggio da leggere
Allegato(i)
Mimesi, il primo documentario cinematografico sull’entomologia in Italia: casting
 

mazzeip

1

1114959

28/02/2019, 20:26

mazzeip Vedi ultimo messaggio

Questo argomento è bloccato, non puoi modificare o inviare ulteriori messaggi.
Allegato(i)
ISTRUZIONI PUBBLICAZIONE NUOVI ARGOMENTI E FOTO

 
Altri Ordini di Insetti

Julodis

4

2923500

13/05/2015, 19:37

Julodis Vedi ultimo messaggio

Nessun messaggio da leggere
Allegato(i)
Limitatore giornaliero di messaggi, uno strumento utile e ormai indispensabile

[ Vai alla paginaVai alla pagina: 1 ... 14, 15, 16 ]

 

Velvet Ant

233

13161857

25/09/2014, 14:31

Inachis Vedi ultimo messaggio

Nessun messaggio da leggere  
NORME PER I COLLABORATORI DEL FORUM

 
 

Velvet Ant

0

653392

02/06/2011, 12:05

Velvet Ant Vedi ultimo messaggio

Nessun messaggio da leggere
Allegato(i)
NORME PER GLI UTENTI DEL FORUM

[ Vai alla paginaVai alla pagina: 1, 2, 3 ]



 
 

Velvet Ant

30

3611589

23/09/2014, 23:54

Maurizio Bollino Vedi ultimo messaggio

Nessun messaggio da leggere  
Lista degli utenti del "Forum entomologi italiani" per campi di interesse e specializzazione

 
Altri Ordini di Insetti

Velvet Ant

13

1072165

07/09/2023, 17:14

Roberto-07 Vedi ultimo messaggio

Argomenti
Nessun messaggio da leggere
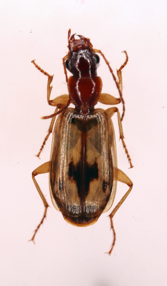
Acupalpus (Acupalpus) maculatus (Schaum, 1860) - Carabidae
7.V.2011 - ITALIA - Sardegna - CA
Allegato(i) Dettagli della specie
Acupalpus (Acupalpus) maculatus (Schaum, 1860)
Carabidae


7.V.2011 - ITALIA - Sardegna - CA
Coleoptera

Fumea crassiorella

4

1493

16/05/2025, 8:48

Notoxus59 Vedi ultimo messaggio

Nessun messaggio da leggere
Myas (Myas) chalybaeus (Palliardi, 1825) - Carabidae
18.IX.2024 - ITALIA - Friuli-Venezia Giulia - TS
Allegato(i) Dettagli della specie
Myas (Myas) chalybaeus (Palliardi, 1825)
Carabidae


18.IX.2024 - ITALIA - Friuli-Venezia Giulia - TS
Coleoptera

UlpiNov

8

1191

12/05/2025, 13:44

UlpiNov Vedi ultimo messaggio

Nessun messaggio da leggere
Amara (Amara) aenea (De Geer, 1774) cf. - Carabidae
5.IV.2025 - ITALIA - Toscana - MS
Allegato(i) Dettagli della specie
Amara (Amara) aenea (De Geer, 1774) cf.
Carabidae


5.IV.2025 - ITALIA - Toscana - MS
Coleoptera

Syrio

2

608

08/04/2025, 17:01

Syrio Vedi ultimo messaggio

Nessun messaggio da leggere
Microlestes luctuosus Holdhaus in Apfelbeck, 1904 - Carabidae
9.III.2025 - ITALIA - Sicilia - TP
Allegato(i) Dettagli della specie
Microlestes luctuosus Holdhaus in Apfelbeck, 1904
Carabidae


9.III.2025 - ITALIA - Sicilia - TP
Coleoptera

angelo.ditta

4

742

13/03/2025, 17:16

angelo.ditta Vedi ultimo messaggio

Nessun messaggio da leggere
Allegato(i) Dettagli della specie
Duvalius (Duvalius) baldensis cartolarii Pomini, 1936
Carabidae


4.VII.2020 - ITALIA - Veneto - VR
Coleoptera

Matteo Remigio 01

2

633

27/02/2025, 22:08

Matteo Remigio 01 Vedi ultimo messaggio

Nessun messaggio da leggere
Bembidion (Peryphus) incognitum G. Müller, 1931 - Carabidae
9.VIII.2022 - ITALIA - Friuli-Venezia Giulia - PN
Allegato(i) Dettagli della specie
Bembidion (Peryphus) incognitum G. Müller, 1931
Carabidae


9.VIII.2022 - ITALIA - Friuli-Venezia Giulia - PN
Coleoptera

Gabriele

3

820

23/02/2025, 19:26

Max10 Vedi ultimo messaggio

Nessun messaggio da leggere
Molops ovipennis medius Chaudoir, 1868 - Carabidae
9.VII.2024 - ITALIA - Toscana - LU
Allegato(i) Dettagli della specie
Molops ovipennis medius Chaudoir, 1868
Carabidae


9.VII.2024 - ITALIA - Toscana - LU
Coleoptera

Lorenzo Tagliaferri

3

818

22/02/2025, 13:09

Max10 Vedi ultimo messaggio

Nessun messaggio da leggere
Allegato(i)
Amara (Percosia) equestris (Duftschmid, 1812) - Carabidae
Carabidae


1989 - ANDORRA - EE
Coleoptera

Calathus

8

1534

18/02/2025, 17:42

Calathus Vedi ultimo messaggio

Nessun messaggio da leggere
Allegato(i) Dettagli della specie
Bembidion (Peryphus) andreae (Fabricius, 1787) cf.
Carabidae


3.II.2025 - ITALIA - Toscana - LU
Coleoptera

Max10

3

646

18/02/2025, 11:49

Max10 Vedi ultimo messaggio

Nessun messaggio da leggere
Harpalus (Harpalus) atratus Latreille, 1804 - Carabidae
22.VII.2024 - ITALIA - Toscana - LU
Allegato(i) Dettagli della specie
Harpalus (Harpalus) atratus Latreille, 1804
Carabidae


22.VII.2024 - ITALIA - Toscana - LU
Coleoptera

Lorenzo Tagliaferri

3

743

13/02/2025, 23:10

Lorenzo Tagliaferri Vedi ultimo messaggio

Nessun messaggio da leggere
Tanythrix edura (Dejean, 1828) - Carabidae
16.VII.2024 - ITALIA - Lombardia - BG
Allegato(i) Dettagli della specie
Tanythrix edura (Dejean, 1828)
Carabidae


16.VII.2024 - ITALIA - Lombardia - BG
Coleoptera

UlpiNov

3

753

11/02/2025, 22:38

UlpiNov Vedi ultimo messaggio

Nessun messaggio da leggere
Allegato(i)
Sphodrus leucophthalmus (Linnaeus, 1758) - Carabidae

30.XI.2024 - EGITTO - EE
Coleoptera

ff57

3

1264

08/02/2025, 20:41

elleelle Vedi ultimo messaggio

Nessun messaggio da leggere
Allegato(i)
Cymindis (Iscariotes) hierichontica (Reiche & Saulcy, 1855) (cf.) - Carabidae
Carabidae


26.XI.2024 - EGITTO - EE
Coleoptera

ff57

2

706

08/02/2025, 12:35

vittorino monzini Vedi ultimo messaggio

Nessun messaggio da leggere
Allegato(i) Dettagli della specie
Cymindis (Cymindis) suturalis Dejean, 1825
Carabidae


26.XI.2024 - EGITTO - EE
Coleoptera

ff57

2

321

08/02/2025, 12:35

vittorino monzini Vedi ultimo messaggio

Nessun messaggio da leggere
Pterostichus (Pterostichus) micans Heer, 1841 - Carabidae
4.IX.2024 - ITALIA - Toscana - LU
Allegato(i) Dettagli della specie
Pterostichus (Pterostichus) micans Heer, 1841
Carabidae


4.IX.2024 - ITALIA - Toscana - LU
Coleoptera

Lorenzo Tagliaferri

0

796

05/02/2025, 17:36

Lorenzo Tagliaferri Vedi ultimo messaggio

Nessun messaggio da leggere
Pterostichus (Pterostichus) micans Heer, 1841 - Carabidae
11.IX.2024 - ITALIA - Toscana - LU
Allegato(i) Dettagli della specie
Pterostichus (Pterostichus) micans Heer, 1841
Carabidae


11.IX.2024 - ITALIA - Toscana - LU
Coleoptera

Bracco

3

861

05/02/2025, 16:46

Lorenzo Tagliaferri Vedi ultimo messaggio

Nessun messaggio da leggere
Orotrechus frassanellicus Piva, 2018 - Carabidae
9.IV.1987 - ITALIA - Veneto - PD
Allegato(i) Dettagli della specie
Orotrechus frassanellicus Piva, 2018
Carabidae


9.IV.1987 - ITALIA - Veneto - PD
Coleoptera

hypotyphlus

2

1430

03/02/2025, 23:05

Andrea Pergine Vedi ultimo messaggio

Nessun messaggio da leggere
Allegato(i) Dettagli della specie
Brachinus (Brachynidius) explodens Duftschmid, 1812
Carabidae


23.V.2006 - ITALIA - Veneto - VI
Coleoptera

Andrea Pergine

5

1298

01/02/2025, 22:36

Andrea Pergine Vedi ultimo messaggio

Nessun messaggio da leggere
Allegato(i) Dettagli della specie
Abax (Abax) parallelepipedus parallelepipedus (Piller & Mitterpacher, 1783) cf.
Carabidae


9.VII.2024 - ITALIA - Toscana - LU
Coleoptera

Bracco

1

586

31/01/2025, 18:38

pedux Vedi ultimo messaggio

Nessun messaggio da leggere
Bembidion (Bembidionetolitzkya) complanatum Heer, 1837 - Carabidae
23.VIII.2001 - ITALIA - Trentino-Alto Adige - TN
Allegato(i) Dettagli della specie
Bembidion (Bembidionetolitzkya) complanatum Heer, 1837
Carabidae


23.VIII.2001 - ITALIA - Trentino-Alto Adige - TN
Coleoptera

Andrea Pergine

6

1083

30/01/2025, 12:34

Andrea Pergine Vedi ultimo messaggio

Nessun messaggio da leggere
Trechus (Trechus) longulus K. Daniel & J. Daniel, 1898 - Carabidae
9.VIII.2005 - ITALIA - Friuli-Venezia Giulia - UD
Allegato(i) Dettagli della specie
Trechus (Trechus) longulus K. Daniel & J. Daniel, 1898
Carabidae


9.VIII.2005 - ITALIA - Friuli-Venezia Giulia - UD
Coleoptera

Andrea Pergine

2

708

25/01/2025, 18:29

Andrea Pergine Vedi ultimo messaggio

Nessun messaggio da leggere
Trechus (Trechus) andreinii Jeannel, 1921 - Carabidae
11.IV.2015 - ITALIA - Friuli-Venezia Giulia - UD
Allegato(i) Dettagli della specie
Trechus (Trechus) andreinii Jeannel, 1921
Carabidae


11.IV.2015 - ITALIA - Friuli-Venezia Giulia - UD
Coleoptera

Agdistis

1

732

25/01/2025, 11:32

Notoxus59 Vedi ultimo messaggio

Nessun messaggio da leggere
Harpalus serripes (Quensel in Schönherr, 1806) (cf.) - Carabidae
12.III.2021 - ITALIA - Lombardia - SO
Allegato(i)
Harpalus serripes (Quensel in Schönherr, 1806) (cf.) - Carabidae

12.III.2021 - ITALIA - Lombardia - SO
Coleoptera

marsal

4

903

23/01/2025, 19:40

Stefano79 Vedi ultimo messaggio

Nessun messaggio da leggere
Trechus (Trechus) pallidulus pallidulus Ganglbauer, 1891 - Carabidae
13.VII.2003 - ITALIA - Trentino-Alto Adige - TN
Allegato(i) Dettagli della specie
Trechus (Trechus) pallidulus pallidulus Ganglbauer, 1891
Carabidae


13.VII.2003 - ITALIA - Trentino-Alto Adige - TN
Coleoptera

Andrea Pergine

0

919

19/01/2025, 16:30

Andrea Pergine Vedi ultimo messaggio

Nessun messaggio da leggere
Allegato(i) Dettagli della specie
Pterostichus (Bothriopterus) oblongopunctatus (Fabricius, 1787)
Carabidae


30.IV.2023 - ROMANIA - EE
Coleoptera

cosmln

1

739

14/01/2025, 20:58

Rafał Celadyn Vedi ultimo messaggio

Nessun messaggio da leggere
Molops piceus (Panzer, 1793) - Carabidae
30.IV.2023 - ROMANIA - EE
Allegato(i)
Molops piceus (Panzer, 1793) - Carabidae
Carabidae


30.IV.2023 - ROMANIA - EE
Coleoptera

cosmln

1

756

14/01/2025, 20:26

Rafał Celadyn Vedi ultimo messaggio

Nessun messaggio da leggere
Dromius (Dromius) meridionalis Dejean, 1825 - Carabidae
2.I.2025 - ITALIA - Lazio - RM
Allegato(i) Dettagli della specie
Dromius (Dromius) meridionalis Dejean, 1825
Carabidae


2.I.2025 - ITALIA - Lazio - RM
Coleoptera

elleelle

2

715

13/01/2025, 12:38

elleelle Vedi ultimo messaggio

Nessun messaggio da leggere
Phyla tethys (Netolitzky, 1926) (cf.) - Carabidae
6.VI.2021 - ITALIA - Sardegna - VS
Allegato(i)
Phyla tethys (Netolitzky, 1926) (cf.) - Carabidae

6.VI.2021 - ITALIA - Sardegna - VS
Coleoptera

Adriana49

2

683

09/01/2025, 20:02

Adriana49 Vedi ultimo messaggio

Nessun messaggio da leggere
Platynus teriolensis K. Daniel & J. Daniel, 1898 - Carabidae
6.VII.1981 - ITALIA - Trentino-Alto Adige - TN
Allegato(i) Dettagli della specie
Platynus teriolensis K. Daniel & J. Daniel, 1898
Carabidae


6.VII.1981 - ITALIA - Trentino-Alto Adige - TN
Coleoptera

StagBeetle

3

684

08/01/2025, 21:02

Andrea Pergine Vedi ultimo messaggio

Nessun messaggio da leggere
Allegato(i)
Platynus (Batenus) maritimus Giachino, Casale, Allegro, 2023 - Carabidae
Carabidae


30.V.1981 - ITALIA - Liguria - IM
Coleoptera

StagBeetle

1

543

08/01/2025, 21:00

Andrea Pergine Vedi ultimo messaggio

Nessun messaggio da leggere
Amara (Amara) ovata (Fabricius, 1792) - Carabidae
6.IV.2024 - ITALIA - Abruzzo - AQ
Allegato(i) Dettagli della specie
Amara (Amara) ovata (Fabricius, 1792)
Carabidae


6.IV.2024 - ITALIA - Abruzzo - AQ
Coleoptera

StagBeetle

0

995

08/01/2025, 20:57

StagBeetle Vedi ultimo messaggio

Nessun messaggio da leggere
Limodromus assimilis (Paykull, 1790) cf. - Carabidae
3.VI.2023 - ITALIA - Trentino-Alto Adige - TN
Allegato(i) Dettagli della specie
Limodromus assimilis (Paykull, 1790) cf.
Carabidae


3.VI.2023 - ITALIA - Trentino-Alto Adige - TN
Coleoptera

Adriana49

2

585

07/01/2025, 20:42

Adriana49 Vedi ultimo messaggio

Nessun messaggio da leggere
Amara (Amara) convexior Stephens, 1828 cf. - Carabidae
6.VIII.2024 - ITALIA - Veneto - VR
Allegato(i) Dettagli della specie
Amara (Amara) convexior Stephens, 1828 cf.
Carabidae


6.VIII.2024 - ITALIA - Veneto - VR
Coleoptera

Stefano79

2

712

07/01/2025, 11:07

Stefano79 Vedi ultimo messaggio

Nessun messaggio da leggere
Agonum (Melanagonum) permoestum Puel 1938 (cf.) - Carabidae
16.VI.2020 - ITALIA - Friuli-Venezia Giulia - GO
Allegato(i)
Agonum (Melanagonum) permoestum Puel 1938 (cf.) - Carabidae

16.VI.2020 - ITALIA - Friuli-Venezia Giulia - GO
Coleoptera

StagBeetle

2

836

04/01/2025, 19:10

marco villa Vedi ultimo messaggio

Nessun messaggio da leggere
Platyderus rufus transalpinus Breit, 1914 - Carabidae
18.III.2020 - ITALIA - Friuli-Venezia Giulia - UD
Allegato(i)
Platyderus rufus transalpinus Breit, 1914 - Carabidae

18.III.2020 - ITALIA - Friuli-Venezia Giulia - UD
Coleoptera

Simox

2

604

03/01/2025, 20:31

Simox Vedi ultimo messaggio

Nessun messaggio da leggere
Calathus (Calathus) montivagus Dejean, 1831 - Carabidae
VIII.1982 - ITALIA - Campania - SA
Allegato(i)
Calathus (Calathus) montivagus Dejean, 1831 - Carabidae

VIII.1982 - ITALIA - Campania - SA
Coleoptera

marsal

8

1019

03/01/2025, 18:21

Calathus Vedi ultimo messaggio

Nessun messaggio da leggere
Allegato(i)
Trechus (Trechus) quadristriatus (Schrank, 1781) - Carabidae Trechinae
Carabidae


30.XII.2024 - ITALIA - Lazio - RM
Coleoptera

elleelle

4

753

03/01/2025, 13:53

Matteo Remigio 01 Vedi ultimo messaggio

Nessun messaggio da leggere
Allegato(i) Dettagli della specie
Harpalus (Harpalus) distinguendus distinguendus (Duftschmid, 1812) cf.
Carabidae


7.V.2022 - ITALIA - Piemonte - TO
Coleoptera

checcapitipiti

2

680

29/12/2024, 20:06

checcapitipiti Vedi ultimo messaggio

Nessun messaggio da leggere
Amara (Celia) erratica (Duftschmid, 1812) - Carabidae
3.VI.2022 - ITALIA - Piemonte - CN
Allegato(i) Dettagli della specie
Amara (Celia) erratica (Duftschmid, 1812)
Carabidae


3.VI.2022 - ITALIA - Piemonte - CN
Coleoptera

checcapitipiti

2

610

29/12/2024, 17:39

checcapitipiti Vedi ultimo messaggio

Nessun messaggio da leggere
Allegato(i) Dettagli della specie
Pterostichus (Melanius) elongatus (Duftschmid, 1812)
Carabidae


5.X.2024 - ROMANIA - EE
Coleoptera

alexaandru

2

711

17/12/2024, 14:50

alexaandru Vedi ultimo messaggio

Nessun messaggio da leggere
Platynus teriolensis K. Daniel & J. Daniel, 1898 - Carabidae
20.VI.2006 - ITALIA - Trentino-Alto Adige - TN
Allegato(i) Dettagli della specie
Platynus teriolensis K. Daniel & J. Daniel, 1898
Carabidae


20.VI.2006 - ITALIA - Trentino-Alto Adige - TN
Coleoptera

Andrea Pergine

2

758

12/12/2024, 20:14

Andrea Pergine Vedi ultimo messaggio

Nessun messaggio da leggere
Allegato(i)
Pogonistes gracilis (Dejean, 1828) - Carabidae di Tunisia

29.III.2014 - TUNISIA - EE
Coleoptera

pietro lo cascio

2

517

11/12/2024, 15:44

pietro lo cascio Vedi ultimo messaggio

Nessun messaggio da leggere
Allegato(i)
Sirdenus grayii (Wollaston, 1862) - Carabidae Trechinae

29.III.2014 - TUNISIA - EE
Coleoptera

pietro lo cascio

2

519

11/12/2024, 12:09

pietro lo cascio Vedi ultimo messaggio

Nessun messaggio da leggere
Pterostichus (Pterostichus) schaschli Marseul, 1880 - Carabidae Pterostichini
30.VIII.2024 - ITALIA - Friuli-Venezia Giulia - UD
Allegato(i)
Pterostichus (Pterostichus) schaschli Marseul, 1880 - Carabidae Pterostichini

30.VIII.2024 - ITALIA - Friuli-Venezia Giulia - UD
Coleoptera

Michele A

2

558

10/12/2024, 19:24

Michele A Vedi ultimo messaggio

Nessun messaggio da leggere
Allegato(i)
Percus dejeanii (Dejean, 1831) f.ma robustus Straneo, 1941 (cf.) - Carabidae

15.VI.1989 - ITALIA - Emilia-Romagna - FC
Coleoptera

Semanotus

3

693

09/12/2024, 23:13

Semanotus Vedi ultimo messaggio

Nessun messaggio da leggere
Allegato(i)
Platynus (Batenus) maritimus Giachino, Casale, Allegro, 2023 (cf.) - Carabidae
Carabidae


18.VI.2002 - ITALIA - Liguria - IM
Coleoptera

Andrea Pergine

2

636

09/12/2024, 0:04

Andrea Pergine Vedi ultimo messaggio

Nessun messaggio da leggere
Allegato(i)
Troglopatrobus zhouchaoi Deuve, He & Tian, 2020 - Carabidae

IV.2023 - CINA - EE
Coleoptera

Notoxus59

5

886

03/12/2024, 18:16

Matteo Remigio 01 Vedi ultimo messaggio

Nessun messaggio da leggere
Bembidion (Diplocampa) assimilis Gyllenhal, 1810 - Carabidae
4.VII.2016 - ITALIA - Sardegna - CI
Allegato(i) Dettagli della specie
Bembidion (Diplocampa) assimilis Gyllenhal, 1810
Carabidae


4.VII.2016 - ITALIA - Sardegna - CI
Coleoptera

Stefano79

6

1703

29/11/2024, 21:25

Notoxus59 Vedi ultimo messaggio

Nessun messaggio da leggere
Allegato(i)
Scarites (Scarites) bucida (Pallas, 1776) - Carabidae Scaritini

30.III.2006 - TAGIKISTAN - EE
Coleoptera

Calathus

2

705

22/11/2024, 12:28

Calathus Vedi ultimo messaggio

Nessun messaggio da leggere
Allegato(i)
Scarites (Scarites) procerus eurytus Fischer von Waldheim, 1828 - Carabidae Scaritini

9.VII.2019 - ARMENIA - EE
Coleoptera

Calathus

2

723

21/11/2024, 16:40

Calathus Vedi ultimo messaggio

Visualizza ultimi argomenti:  Ordina per  Ordine:  
nuovo argomento
Vai alla pagina Precedente  1, 2, 3, 4, 5, 6 ... 154  Prossimo
Pagina 3 di 154 [ 7681 argomenti ]

Tutti gli orari sono UTC + 1 ora [ ora legale ]


Chi c’è in linea

Visitano il forum: Nessuno e 6 ospiti


Legenda
Messaggi da leggere Messaggi da leggere Nessun messaggio da leggere Nessun messaggio da leggere Annuncio Annuncio
 
Specie indeterminata / discussione generica
Messaggi non letti [ Popolari ] Messaggi non letti [ Popolari ] Nessun messaggio da leggere [ Popolare ] Nessun messaggio da leggere [ Popolare ] Importante Importante
 
Specie determinata fino al genere o cf.
Messaggi non letti [ Bloccati ] Messaggi non letti [ Bloccati ] No messaggi non letti [ Bloccati ] No messaggi non letti [ Bloccati ] Argomento spostato Argomento spostato
 
Specie correttamente determinata
Permessi
Non puoi aprire nuovi argomenti
Non puoi rispondere negli argomenti
Non puoi modificare i tuoi messaggi
Non puoi cancellare i tuoi messaggi
Non puoi inviare allegati

Cerca per:
Vai a: