Benvenuto Ospite

Forum Entomologi Italiani

www.entomologiitaliani.net/forum
 
Oggi è 27/10/2025, 0:34

Tutti gli orari sono UTC + 1 ora [ ora legale ]

 Forum   Argomenti   Messaggi   Ultimo messaggio 
Nessun messaggio da leggere
Filtro località
Carabidae indeterminati

906

4124

10/09/2025, 12:26

pietro lo cascio Vedi ultimo messaggio




100%
tutti i taxon di questo archivio sono stati determinati correttamente

Carabidae


[ AFROTROPICALE ] [ ANTARTICO ] [ AUSTRALASIANO ] [ NEARTICO ] [ NEOTROPICALE ] [ ORIENTALE ] [ PALEARTICO ]


nuovo argomento
Vai alla pagina Precedente  1 ... 18, 19, 20, 21, 22, 23, 24 ... 31  Prossimo
Pagina 21 di 31 [ 1517 argomenti ]
 Argomenti   Ordine   Autore   Risposte   Visite    Ultimo messaggio 
Annunci
Nessun messaggio da leggere
Allegato(i)
Incontri entomologici telematici organizzati dalla Società Entomologica Italiana nel 2022 e nel 2023

[ Vai alla paginaVai alla pagina: 1, 2, 3 ]

 

Velvet Ant

44

1374775

03/03/2023, 15:55

Velvet Ant Vedi ultimo messaggio

Nessun messaggio da leggere  
Allegato(i)
Sondaggio sul declino dell'entomofauna in Italia

[ Vai alla paginaVai alla pagina: 1, 2, 3, 4 ]

 

Velvet Ant

52

1692811

22/10/2022, 19:18

Acquarius Vedi ultimo messaggio

Nessun messaggio da leggere  
Allegato(i)
Progetto: Bibliografia ragionata dei lavori entomologici nei quali sono citati reperti apparsi su FEI

[ Vai alla paginaVai alla pagina: 1, 2, 3 ]

 

Velvet Ant

33

1130229

06/07/2023, 18:31

Orotrechus Vedi ultimo messaggio

Nessun messaggio da leggere
Allegato(i)
Mimesi, il primo documentario cinematografico sull’entomologia in Italia: casting
 

mazzeip

1

446893

28/02/2019, 20:26

mazzeip Vedi ultimo messaggio

Questo argomento è bloccato, non puoi modificare o inviare ulteriori messaggi.
Allegato(i)
ISTRUZIONI PUBBLICAZIONE NUOVI ARGOMENTI E FOTO

 
Altri Ordini di Insetti

Julodis

4

793571

13/05/2015, 19:37

Julodis Vedi ultimo messaggio

Nessun messaggio da leggere
Allegato(i)
Limitatore giornaliero di messaggi, uno strumento utile e ormai indispensabile

[ Vai alla paginaVai alla pagina: 1 ... 14, 15, 16 ]

 

Velvet Ant

233

8440979

25/09/2014, 14:31

Inachis Vedi ultimo messaggio

Nessun messaggio da leggere  
NORME PER I COLLABORATORI DEL FORUM

 
 

Velvet Ant

0

472983

02/06/2011, 12:05

Velvet Ant Vedi ultimo messaggio

Nessun messaggio da leggere
Allegato(i)
NORME PER GLI UTENTI DEL FORUM

[ Vai alla paginaVai alla pagina: 1, 2, 3 ]



 
 

Velvet Ant

30

2306070

23/09/2014, 23:54

Maurizio Bollino Vedi ultimo messaggio

Nessun messaggio da leggere  
Lista degli utenti del "Forum entomologi italiani" per campi di interesse e specializzazione

 
Altri Ordini di Insetti

Velvet Ant

13

929231

07/09/2023, 17:14

Roberto-07 Vedi ultimo messaggio

Argomenti
Nessun messaggio da leggere
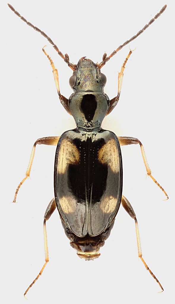
Callistus lunatus lunatus (Fabricius, 1775) - Carabidae
7.VI.2013 - ITALIA - Veneto - BL
Allegato(i) Dettagli della specie
Callistus lunatus lunatus (Fabricius, 1775)
Carabidae


7.VI.2013 - ITALIA - Veneto - BL
Coleoptera

Maw89

8

662

08/06/2013, 16:05

Stefano79 Vedi ultimo messaggio

Nessun messaggio da leggere
Percus (Percus) andreinii Mainardi, 1914 - Carabidae
2.VI.2013 - ITALIA - Marche - MC
Allegato(i) Dettagli della specie
Percus (Percus) andreinii Mainardi, 1914
Carabidae


2.VI.2013 - ITALIA - Marche - MC
Coleoptera

StagBeetle

3

614

06/06/2013, 20:46

StagBeetle Vedi ultimo messaggio

Nessun messaggio da leggere
Abax (Abax) pilleri Csiki, 1916 - Carabidae
16.IX.2004 - ITALIA - Trentino-Alto Adige - TN
Allegato(i) Dettagli della specie
Abax (Abax) pilleri Csiki, 1916
Carabidae


16.IX.2004 - ITALIA - Trentino-Alto Adige - TN
Coleoptera

Andrea Pergine

5

2443

05/06/2013, 14:23

Notoxus59 Vedi ultimo messaggio

Nessun messaggio da leggere
Abax (Abax) contractus (Heer, 1841) - Carabidae
1.VI.2013 - ITALIA - Liguria - GE
Allegato(i) Dettagli della specie
Abax (Abax) contractus (Heer, 1841)
Carabidae


1.VI.2013 - ITALIA - Liguria - GE
Coleoptera

Francesco Cassulo

14

4459

05/06/2013, 10:37

Francesco Cassulo Vedi ultimo messaggio

Nessun messaggio da leggere
Allegato(i) Dettagli della specie
Acupalpus (Acupalpus) puncticollis Coquerel, 1859
Carabidae


5.IV.2013 - ITALIA - Sicilia - PA
Coleoptera

Anillus

2

435

27/05/2013, 20:38

Anillus Vedi ultimo messaggio

Nessun messaggio da leggere
Amara (Celia) montana Dejean, 1828 - Carabidae
15.V.2013 - ITALIA - Marche - AN
Allegato(i) Dettagli della specie
Amara (Celia) montana Dejean, 1828
Carabidae


15.V.2013 - ITALIA - Marche - AN
Coleoptera

StagBeetle

13

1979

26/05/2013, 18:58

f.izzillo Vedi ultimo messaggio

Nessun messaggio da leggere
Abax (Abax) arerae Schauberger, 1927 - Carabidae
4.VIII.2012 - ITALIA - Lombardia - BG
Allegato(i) Dettagli della specie
Abax (Abax) arerae Schauberger, 1927
Carabidae


4.VIII.2012 - ITALIA - Lombardia - BG
Coleoptera

magosti

4

2028

23/05/2013, 18:38

Andrea Pergine Vedi ultimo messaggio

Nessun messaggio da leggere
Molops ovipennis medius Chaudoir, 1868 - Carabidae
19.V.2013 - ITALIA - Umbria - PG
Allegato(i) Dettagli della specie
Molops ovipennis medius Chaudoir, 1868
Carabidae


19.V.2013 - ITALIA - Umbria - PG
Coleoptera

StagBeetle

0

472

22/05/2013, 21:35

StagBeetle Vedi ultimo messaggio

Nessun messaggio da leggere
Allegato(i) Dettagli della specie
Typhloreicheia (Typhloreicheia) praecox praecox (Schaum, 1857)
Carabidae


3.IV.2013 - ITALIA - Sicilia - PA
Coleoptera

Loriscola

1

602

18/05/2013, 22:01

gomphus Vedi ultimo messaggio

Nessun messaggio da leggere
Demetrias (Aetophorus) imperialis (Germar, 1824) - Carabidae
12.V.2013 - ITALIA - Friuli-Venezia Giulia - GO
Allegato(i) Dettagli della specie
Demetrias (Aetophorus) imperialis (Germar, 1824)
Carabidae


12.V.2013 - ITALIA - Friuli-Venezia Giulia - GO
Coleoptera

Agdistis

1

403

13/05/2013, 21:58

Tenebrio Vedi ultimo messaggio

Nessun messaggio da leggere
Percus (Percus) strictus strictus (Dejean, 1828) - Carabidae
6.V.2013 - ITALIA - Sardegna - OT
Allegato(i) Dettagli della specie
Percus (Percus) strictus strictus (Dejean, 1828)
Carabidae


6.V.2013 - ITALIA - Sardegna - OT
Coleoptera

Fumea crassiorella

2

499

12/05/2013, 15:54

Fumea crassiorella Vedi ultimo messaggio

Nessun messaggio da leggere
Microlestes plagiatus (Duftschmid, 1812) - Carabidae
3.VI.2010 - ITALIA - Marche - AN
Allegato(i) Dettagli della specie
Microlestes plagiatus (Duftschmid, 1812)
Carabidae


3.VI.2010 - ITALIA - Marche - AN
Coleoptera

StagBeetle

11

1074

10/05/2013, 20:21

StagBeetle Vedi ultimo messaggio

Nessun messaggio da leggere
Allegato(i) Dettagli della specie
Laemostenus (Laemostenus) barbarus (P.H. Lucas, 1846)
Carabidae


6.IV.2013 - ITALIA - Sicilia - PA
Coleoptera

Loriscola

3

567

03/05/2013, 19:57

gomphus Vedi ultimo messaggio

Nessun messaggio da leggere
Nebria (Oreonebria) diaphana diaphana K. Daniel & J. Daniel, 1890 - Carabidae
8.VII.2012 - ITALIA - Trentino-Alto Adige - TN
Allegato(i) Dettagli della specie
Nebria (Oreonebria) diaphana diaphana K. Daniel & J. Daniel, 1890
Carabidae


8.VII.2012 - ITALIA - Trentino-Alto Adige - TN
Coleoptera

Mikiphasmide

4

649

31/03/2013, 18:49

Mikiphasmide Vedi ultimo messaggio

Nessun messaggio da leggere
Oodes gracilis A. Villa & G.B. Villa, 1833 - Carabidae
2.II.2013 - ITALIA - Emilia-Romagna - RA
Allegato(i) Dettagli della specie
Oodes gracilis A. Villa & G.B. Villa, 1833
Carabidae


2.II.2013 - ITALIA - Emilia-Romagna - RA
Coleoptera

Loriscola

2

673

18/03/2013, 9:20

Loriscola Vedi ultimo messaggio

Nessun messaggio da leggere
Allegato(i) Dettagli della specie
Carabus (Chrysocarabus) solieri liguranus Breuning, 1933
Carabidae


19.V.1991 - ITALIA - Liguria - SV
Coleoptera

StagBeetle

1

945

17/03/2013, 17:18

hypotyphlus Vedi ultimo messaggio

Nessun messaggio da leggere
Orotrechus fabianii (Gestro, 1900) - Carabidae
13.VI.1997 - ITALIA - Veneto - VI
Allegato(i) Dettagli della specie
Orotrechus fabianii (Gestro, 1900)
Carabidae


13.VI.1997 - ITALIA - Veneto - VI
Coleoptera

vittorino monzini

4

773

14/03/2013, 22:10

Agdistis Vedi ultimo messaggio

Nessun messaggio da leggere
Allegato(i) Dettagli della specie
Bembidion (Bembidion) quadripustulatum Audinet-Serville, 1821
Carabidae


26.II.2013 - ITALIA - Emilia-Romagna - FE
Coleoptera

Daniele Maccapani

2

537

12/03/2013, 18:51

Daniele Maccapani Vedi ultimo messaggio

Nessun messaggio da leggere
Allegato(i) Dettagli della specie
Pterostichus (Pseudomaseus) anthracinus hespericus (Bucciarelli & Sopracordevole, 1958)
Carabidae


3.III.2013 - ITALIA - Veneto - PD
Coleoptera

Umbro

2

482

08/03/2013, 22:40

Umbro Vedi ultimo messaggio

Nessun messaggio da leggere
Orotrechus muellerianus muellerianus (Schatzmayr, 1907) - Carabidae
23.II.2013 - ITALIA - Friuli-Venezia Giulia - TS
Allegato(i) Dettagli della specie
Orotrechus muellerianus muellerianus (Schatzmayr, 1907)
Carabidae

[ Vai alla paginaVai alla pagina: 1, 2 ]



23.II.2013 - ITALIA - Friuli-Venezia Giulia - TS
Coleoptera

Agdistis

19

2560

08/03/2013, 12:57

Andrea Pergine Vedi ultimo messaggio

Nessun messaggio da leggere
Allegato(i) Dettagli della specie
Bembidion (Nepha) genei illigeri Netolitzky, 1914
Carabidae


16.II.2013 - ITALIA - Lazio - RM
Coleoptera

Julodis

2

388

23/02/2013, 23:00

Julodis Vedi ultimo messaggio

Nessun messaggio da leggere
Calathus (Neocalathus) melanocephalus (Linnaeus, 1758) - Carabidae
7.VIII.2012 - ITALIA - Trentino-Alto Adige - BZ
Allegato(i) Dettagli della specie
Calathus (Neocalathus) melanocephalus (Linnaeus, 1758)
Carabidae


7.VIII.2012 - ITALIA - Trentino-Alto Adige - BZ
Coleoptera

StagBeetle

5

666

23/02/2013, 17:17

StagBeetle Vedi ultimo messaggio

Nessun messaggio da leggere
Amara (Curtonotus) aulica (Panzer, 1796) - Carabidae
7.VIII.2012 - ITALIA - Trentino-Alto Adige - BZ
Allegato(i) Dettagli della specie
Amara (Curtonotus) aulica (Panzer, 1796)
Carabidae


7.VIII.2012 - ITALIA - Trentino-Alto Adige - BZ
Coleoptera

StagBeetle

2

757

17/02/2013, 15:52

StagBeetle Vedi ultimo messaggio

Nessun messaggio da leggere
Chlaeniellus nigricornis (Fabricius, 1787) - Carabidae
8.IV.1983 - ITALIA - Lombardia - PV
Allegato(i) Dettagli della specie
Chlaeniellus nigricornis (Fabricius, 1787)
Carabidae


8.IV.1983 - ITALIA - Lombardia - PV
Coleoptera

vittorino monzini

1

664

17/02/2013, 15:17

Tc70 Vedi ultimo messaggio

Nessun messaggio da leggere
Bembidion (Diplocampa) assimilis Gyllenhal, 1810 - Carabidae
2.II.2013 - ITALIA - Emilia-Romagna - RA
Allegato(i) Dettagli della specie
Bembidion (Diplocampa) assimilis Gyllenhal, 1810
Carabidae


2.II.2013 - ITALIA - Emilia-Romagna - RA
Coleoptera

Loriscola

1

524

09/02/2013, 14:09

Notoxus59 Vedi ultimo messaggio

Nessun messaggio da leggere
Anthracus quarnerensis (Reitter, 1884) - Carabidae
2.II.2013 - ITALIA - Emilia-Romagna - RA
Allegato(i) Dettagli della specie
Anthracus quarnerensis (Reitter, 1884)
Carabidae


2.II.2013 - ITALIA - Emilia-Romagna - RA
Coleoptera

Loriscola

3

1009

08/02/2013, 12:09

Notoxus59 Vedi ultimo messaggio

Nessun messaggio da leggere
Anthracus transversalis (Schaum, 1862) - Carabidae
2.II.2013 - ITALIA - Emilia-Romagna - RA
Allegato(i) Dettagli della specie
Anthracus transversalis (Schaum, 1862)
Carabidae


2.II.2013 - ITALIA - Emilia-Romagna - RA
Coleoptera

Loriscola

3

1239

08/02/2013, 12:07

Notoxus59 Vedi ultimo messaggio

Nessun messaggio da leggere
Amara (Celia) praetermissa (C.R. Sahlberg, 1827) - Carabidae
7.VIII.2012 - ITALIA - Trentino-Alto Adige - BZ
Allegato(i) Dettagli della specie
Amara (Celia) praetermissa (C.R. Sahlberg, 1827)
Carabidae


7.VIII.2012 - ITALIA - Trentino-Alto Adige - BZ
Coleoptera

StagBeetle

11

1965

01/02/2013, 21:17

StagBeetle Vedi ultimo messaggio

Nessun messaggio da leggere
Pogonus (Pogonus) riparius Dejean, 1828 - Carabidae
21.IV.2012 - ITALIA - Marche - AP
Allegato(i) Dettagli della specie
Pogonus (Pogonus) riparius Dejean, 1828
Carabidae


21.IV.2012 - ITALIA - Marche - AP
Coleoptera

StagBeetle

2

430

29/01/2013, 22:37

StagBeetle Vedi ultimo messaggio

Nessun messaggio da leggere
Abax (Abax) pilleri Csiki, 1916 - Carabidae
10.VIII.2012 - ITALIA - Trentino-Alto Adige - TN
Allegato(i) Dettagli della specie
Abax (Abax) pilleri Csiki, 1916
Carabidae


10.VIII.2012 - ITALIA - Trentino-Alto Adige - TN
Coleoptera

StagBeetle

5

2040

24/01/2013, 15:22

StagBeetle Vedi ultimo messaggio

Nessun messaggio da leggere
Harpalus (Harpalus) latus (Linnaeus, 1758) - Carabidae
12.VIII.2012 - ITALIA - Trentino-Alto Adige - TN
Allegato(i) Dettagli della specie
Harpalus (Harpalus) latus (Linnaeus, 1758)
Carabidae


12.VIII.2012 - ITALIA - Trentino-Alto Adige - TN
Coleoptera

StagBeetle

2

388

19/01/2013, 11:22

StagBeetle Vedi ultimo messaggio

Nessun messaggio da leggere
Allegato(i) Dettagli della specie
Carabus (Macrothorax) morbillosus alternans Palliardi, 1825
Carabidae


29.X.2012 - ITALIA - Sicilia - ME
Coleoptera

Leotta Roberto

8

907

08/01/2013, 10:02

soken Vedi ultimo messaggio

Nessun messaggio da leggere
Allegato(i) Dettagli della specie
Pterostichus (Oreophilus) impressus ( Fairmaire & Laboulbène, 1854)
Carabidae


26.VI.1979 - ITALIA - Piemonte - CN
Coleoptera

hypotyphlus

0

476

04/01/2013, 22:27

hypotyphlus Vedi ultimo messaggio

Nessun messaggio da leggere
Pseudoophonus (Platus) calceatus (Duftschmid, 1812) - Carabidae
7.VIII.2012 - ITALIA - Trentino-Alto Adige - BZ
Allegato(i) Dettagli della specie
Pseudoophonus (Platus) calceatus (Duftschmid, 1812)
Carabidae


7.VIII.2012 - ITALIA - Trentino-Alto Adige - BZ
Coleoptera

StagBeetle

9

692

04/01/2013, 21:49

Notoxus59 Vedi ultimo messaggio

Nessun messaggio da leggere
Allegato(i) Dettagli della specie
Pterostichus (Adelosia) macer macer (Marsham, 1802)
Carabidae


11.X.2012 - ITALIA - Abruzzo - AQ
Coleoptera

Alessio89

3

548

04/01/2013, 19:11

Alessio89 Vedi ultimo messaggio

Nessun messaggio da leggere
Allegato(i) Dettagli della specie
Lebia scapularis (Geoffroy in Fourcroy, 1785)
Carabidae


1.I.2013 - ITALIA - Lazio - RM
Coleoptera

Julodis

2

420

03/01/2013, 9:18

Julodis Vedi ultimo messaggio

Nessun messaggio da leggere
Brachinus (Brachynidius) nigricornis Gebler, 1829 - Carabidae
30.XII.2012 - ITALIA - Toscana - GR
Allegato(i) Dettagli della specie
Brachinus (Brachynidius) nigricornis Gebler, 1829
Carabidae


30.XII.2012 - ITALIA - Toscana - GR
Coleoptera

hypotyphlus

0

524

01/01/2013, 11:53

hypotyphlus Vedi ultimo messaggio

Nessun messaggio da leggere
Allegato(i) Dettagli della specie
Carabus (Procrustes) coriaceus coriaceus Linnaeus, 1758
Carabidae


6.VIII.2012 - ITALIA - Calabria - CS
Coleoptera

Goliathus

8

971

31/12/2012, 15:48

Goliathus Vedi ultimo messaggio

Nessun messaggio da leggere
Brachinus (Brachynidius) explodens Duftschmid, 1812 - Carabidae
25.III.2012 - ITALIA - Sicilia - ME
Allegato(i) Dettagli della specie
Brachinus (Brachynidius) explodens Duftschmid, 1812
Carabidae


25.III.2012 - ITALIA - Sicilia - ME
Coleoptera

Lucanus tetraodon

3

712

29/12/2012, 16:05

Umbro Vedi ultimo messaggio

Nessun messaggio da leggere
Crisimus placidus besucheti Bucciarelli, 1958 - Carabidae
5.VI.2012 - ITALIA - Veneto - TV
Allegato(i) Dettagli della specie
Crisimus placidus besucheti Bucciarelli, 1958
Carabidae


5.VI.2012 - ITALIA - Veneto - TV
Coleoptera

Lymnastis

4

778

28/12/2012, 22:21

Lymnastis Vedi ultimo messaggio

Nessun messaggio da leggere
Nebria (Tyrrhenia) fulviventris Bassi, 1834 - Carabidae
15.X.2011 - ITALIA - Emilia-Romagna - BO
Allegato(i) Dettagli della specie
Nebria (Tyrrhenia) fulviventris Bassi, 1834
Carabidae


15.X.2011 - ITALIA - Emilia-Romagna - BO
Coleoptera

Agdistis

2

499

20/12/2012, 20:17

Agdistis Vedi ultimo messaggio

Nessun messaggio da leggere
Agonum (Olisares) lugens (Duftschmid, 1812) - Carabidae
11.XI.2012 - ITALIA - Friuli-Venezia Giulia - GO
Allegato(i) Dettagli della specie
Agonum (Olisares) lugens (Duftschmid, 1812)
Carabidae


11.XI.2012 - ITALIA - Friuli-Venezia Giulia - GO
Coleoptera

Agdistis

2

801

19/12/2012, 15:28

Agdistis Vedi ultimo messaggio

Nessun messaggio da leggere
Brachinus (Brachynolomus) immaculicornis Dejean, 1826 - Carabidae
10.VII.2012 - ITALIA - Emilia-Romagna - FE
Allegato(i) Dettagli della specie
Brachinus (Brachynolomus) immaculicornis Dejean, 1826
Carabidae


10.VII.2012 - ITALIA - Emilia-Romagna - FE
Coleoptera

Daniele Maccapani

11

2139

18/12/2012, 17:01

Daniele Maccapani Vedi ultimo messaggio

Nessun messaggio da leggere
Nebria (Boreonebria) rufescens rufescens (Stroem, 1768) - Carabidae
18.VIII.2011 - ITALIA - Trentino-Alto Adige - TN
Allegato(i) Dettagli della specie
Nebria (Boreonebria) rufescens rufescens (Stroem, 1768)
Carabidae


18.VIII.2011 - ITALIA - Trentino-Alto Adige - TN
Coleoptera

Agdistis

3

697

17/12/2012, 21:45

Agdistis Vedi ultimo messaggio

Nessun messaggio da leggere
Reicheia (Reicheia) corinna Holdhaus, 1924 - Carabidae
15.XII.2012 - ITALIA - Lazio - FR
Allegato(i) Dettagli della specie
Reicheia (Reicheia) corinna Holdhaus, 1924
Carabidae


15.XII.2012 - ITALIA - Lazio - FR
Coleoptera

Julodis

2

883

17/12/2012, 20:34

Julodis Vedi ultimo messaggio

Nessun messaggio da leggere
Abax (Abacopercus) carinatus sulcatus A. Fiori, 1899 - Carabidae
30.VIII.2012 - ITALIA - Friuli-Venezia Giulia - GO
Allegato(i) Dettagli della specie
Abax (Abacopercus) carinatus sulcatus A. Fiori, 1899
Carabidae


30.VIII.2012 - ITALIA - Friuli-Venezia Giulia - GO
Coleoptera

Agdistis

2

1900

16/12/2012, 12:08

Notoxus59 Vedi ultimo messaggio

Nessun messaggio da leggere
Bembidion (Philochthus) inoptatum Schaum, 1857 - Carabidae
1.XII.2012 - ITALIA - Lazio - RM
Allegato(i) Dettagli della specie
Bembidion (Philochthus) inoptatum Schaum, 1857
Carabidae


1.XII.2012 - ITALIA - Lazio - RM
Coleoptera

Julodis

4

493

07/12/2012, 19:39

Notoxus59 Vedi ultimo messaggio

Nessun messaggio da leggere
Allegato(i) Dettagli della specie
Poecilus (Ancholeus) gisellae gisellae (Csiki, 1930)
Carabidae


28.I.1990 - ITALIA - Sardegna - CA
Coleoptera

Tenebrio

1

541

06/12/2012, 10:15

Daniele Sechi Vedi ultimo messaggio

Nessun messaggio da leggere
Harpalus (Harpalus) oblitus oblitus Dejean, 1829 - Carabidae
25.XI.2012 - ITALIA - Toscana - LI
Allegato(i) Dettagli della specie
Harpalus (Harpalus) oblitus oblitus Dejean, 1829
Carabidae


25.XI.2012 - ITALIA - Toscana - LI
Coleoptera

FORBIX

2

538

05/12/2012, 16:20

FORBIX Vedi ultimo messaggio

Nessun messaggio da leggere
Harpalus (Artabas) punctatostriatus Dejean, 1829 - Carabidae
25.XI.2012 - ITALIA - Toscana - LI
Allegato(i) Dettagli della specie
Harpalus (Artabas) punctatostriatus Dejean, 1829
Carabidae


25.XI.2012 - ITALIA - Toscana - LI
Coleoptera

FORBIX

2

433

05/12/2012, 16:19

FORBIX Vedi ultimo messaggio

Visualizza ultimi argomenti:  Ordina per  Ordine:  
nuovo argomento
Vai alla pagina Precedente  1 ... 18, 19, 20, 21, 22, 23, 24 ... 31  Prossimo
Pagina 21 di 31 [ 1517 argomenti ]

Tutti gli orari sono UTC + 1 ora [ ora legale ]


Chi c’è in linea

Visitano il forum: Nessuno e 15 ospiti


Legenda
Messaggi da leggere Messaggi da leggere Nessun messaggio da leggere Nessun messaggio da leggere Annuncio Annuncio
 
Specie indeterminata / discussione generica
Messaggi non letti [ Popolari ] Messaggi non letti [ Popolari ] Nessun messaggio da leggere [ Popolare ] Nessun messaggio da leggere [ Popolare ] Importante Importante
 
Specie determinata fino al genere o cf.
Messaggi non letti [ Bloccati ] Messaggi non letti [ Bloccati ] No messaggi non letti [ Bloccati ] No messaggi non letti [ Bloccati ] Argomento spostato Argomento spostato
 
Specie correttamente determinata
Permessi
Non puoi aprire nuovi argomenti
Non puoi rispondere negli argomenti
Non puoi modificare i tuoi messaggi
Non puoi cancellare i tuoi messaggi
Non puoi inviare allegati

Cerca per:
Vai a: