Benvenuto Ospite

Forum Entomologi Italiani

www.entomologiitaliani.net/forum
 
Oggi è 27/10/2025, 15:19

Tutti gli orari sono UTC + 1 ora [ ora legale ]

 Forum   Argomenti   Messaggi   Ultimo messaggio 
Nessun messaggio da leggere
Filtro località
Carabidae indeterminati

906

4124

10/09/2025, 12:26

pietro lo cascio Vedi ultimo messaggio




 
nessun taxon determinato correttamente in questo archivio

Carabidae


[ AFROTROPICALE ] [ ANTARTICO ] [ AUSTRALASIANO ] [ NEARTICO ] [ NEOTROPICALE ] [ ORIENTALE ] [ PALEARTICO ]


nuovo argomento
Vai alla pagina Precedente  1 ... 45, 46, 47, 48, 49, 50, 51 ... 79  Prossimo
Pagina 48 di 79 [ 3922 argomenti ]
 Argomenti   Ordine   Autore   Risposte   Visite    Ultimo messaggio 
Annunci
Nessun messaggio da leggere
Allegato(i)
Incontri entomologici telematici organizzati dalla Società Entomologica Italiana nel 2022 e nel 2023

[ Vai alla paginaVai alla pagina: 1, 2, 3 ]

 

Velvet Ant

44

1383143

03/03/2023, 15:55

Velvet Ant Vedi ultimo messaggio

Nessun messaggio da leggere  
Allegato(i)
Sondaggio sul declino dell'entomofauna in Italia

[ Vai alla paginaVai alla pagina: 1, 2, 3, 4 ]

 

Velvet Ant

52

1704524

22/10/2022, 19:18

Acquarius Vedi ultimo messaggio

Nessun messaggio da leggere  
Allegato(i)
Progetto: Bibliografia ragionata dei lavori entomologici nei quali sono citati reperti apparsi su FEI

[ Vai alla paginaVai alla pagina: 1, 2, 3 ]

 

Velvet Ant

33

1134885

06/07/2023, 18:31

Orotrechus Vedi ultimo messaggio

Nessun messaggio da leggere
Allegato(i)
Mimesi, il primo documentario cinematografico sull’entomologia in Italia: casting
 

mazzeip

1

449482

28/02/2019, 20:26

mazzeip Vedi ultimo messaggio

Questo argomento è bloccato, non puoi modificare o inviare ulteriori messaggi.
Allegato(i)
ISTRUZIONI PUBBLICAZIONE NUOVI ARGOMENTI E FOTO

 
Altri Ordini di Insetti

Julodis

4

799139

13/05/2015, 19:37

Julodis Vedi ultimo messaggio

Nessun messaggio da leggere
Allegato(i)
Limitatore giornaliero di messaggi, uno strumento utile e ormai indispensabile

[ Vai alla paginaVai alla pagina: 1 ... 14, 15, 16 ]

 

Velvet Ant

233

8573270

25/09/2014, 14:31

Inachis Vedi ultimo messaggio

Nessun messaggio da leggere  
NORME PER I COLLABORATORI DEL FORUM

 
 

Velvet Ant

0

474013

02/06/2011, 12:05

Velvet Ant Vedi ultimo messaggio

Nessun messaggio da leggere
Allegato(i)
NORME PER GLI UTENTI DEL FORUM

[ Vai alla paginaVai alla pagina: 1, 2, 3 ]



 
 

Velvet Ant

30

2310183

23/09/2014, 23:54

Maurizio Bollino Vedi ultimo messaggio

Nessun messaggio da leggere  
Lista degli utenti del "Forum entomologi italiani" per campi di interesse e specializzazione

 
Altri Ordini di Insetti

Velvet Ant

13

929843

07/09/2023, 17:14

Roberto-07 Vedi ultimo messaggio

Argomenti
Nessun messaggio da leggere
Ophonus (Ophonus) sabulicola (Panzer, 1796) - Carabidae
10.VII.2012 - ITALIA - Molise - IS
Allegato(i)
Ophonus (Ophonus) sabulicola (Panzer, 1796) - Carabidae

10.VII.2012 - ITALIA - Molise - IS
Coleoptera

Franco ROSSI

2

404

16/07/2012, 10:23

Franco ROSSI Vedi ultimo messaggio

Nessun messaggio da leggere
Allegato(i)
Stenolophus (Stenolophus) mixtus (Herbst, 1784) (cf.) - Carabidae

21.VI.2012 - ITALIA - Veneto - VE
Coleoptera

ghebo

4

630

15/07/2012, 23:37

gomphus Vedi ultimo messaggio

Nessun messaggio da leggere
Brachinus (Brachinus) crepitans (Linnaeus, 1758) - Carabidae
19.VI.2012 - ITALIA - Emilia-Romagna - MO
Allegato(i)
Brachinus (Brachinus) crepitans (Linnaeus, 1758) - Carabidae

19.VI.2012 - ITALIA - Emilia-Romagna - MO
Coleoptera

Marco23

6

878

15/07/2012, 18:42

gomphus Vedi ultimo messaggio

Nessun messaggio da leggere
Amara (Celia) erratica (Duftschmid, 1812) - Carabidae
21.VI.2012 - ITALIA - Lombardia - SO
Allegato(i)
Amara (Celia) erratica (Duftschmid, 1812) - Carabidae

21.VI.2012 - ITALIA - Lombardia - SO
Coleoptera

Lele

2

700

14/07/2012, 20:26

gomphus Vedi ultimo messaggio

Nessun messaggio da leggere
Allegato(i)
Princidium (Testedium) bipunctatum nivale (Heer, 1837) - Carabidae

18.VI.2012 - ITALIA - Lombardia - SO
Coleoptera

Lele

11

886

12/07/2012, 23:27

Paolo Bonavita Vedi ultimo messaggio

Nessun messaggio da leggere
Trechicus nigriceps (Dejean, 1831) - Carabidae
9.VII.2012 - ITALIA - Marche - PU
Allegato(i)
Trechicus nigriceps (Dejean, 1831) - Carabidae

9.VII.2012 - ITALIA - Marche - PU
Coleoptera

marco paglialunga

0

279

12/07/2012, 1:47

marco paglialunga Vedi ultimo messaggio

Nessun messaggio da leggere
Amara (Celia) erratica (Duftschmid, 1812) (cf.) - Carabidae
21.VI.2012 - ITALIA - Lombardia - SO
Allegato(i)
Amara (Celia) erratica (Duftschmid, 1812) (cf.) - Carabidae

21.VI.2012 - ITALIA - Lombardia - SO
Coleoptera

Lele

2

545

10/07/2012, 19:10

Lele Vedi ultimo messaggio

Nessun messaggio da leggere
Carabus (Archicarabus) rossii Dejean, 1826 - Carabidae
VI.2012 - ITALIA - Lazio - VT
Allegato(i)
Carabus (Archicarabus) rossii Dejean, 1826 - Carabidae

VI.2012 - ITALIA - Lazio - VT
Coleoptera

Andricus

2

358

08/07/2012, 14:19

Andricus Vedi ultimo messaggio

Nessun messaggio da leggere
Allegato(i)
Laemostenus (Actenipus) latialis (Leoni, 1907) - Carabidae

VI.2012 - ITALIA - Lazio - VT
Coleoptera

Andricus

6

510

07/07/2012, 14:59

Andricus Vedi ultimo messaggio

Nessun messaggio da leggere
Allegato(i)
Pterostichus (Oreophilus) multipunctatus (Dejean, 1828) - Carabidae

18.VI.2012 - ITALIA - Lombardia - SO
Coleoptera

Lele

1

304

07/07/2012, 9:06

magosti Vedi ultimo messaggio

Nessun messaggio da leggere
Pterostichus (Oreophilus) jurinei (Panzer, 1803) - Carabidae
20.VI.2012 - ITALIA - Lombardia - SO
Allegato(i)
Pterostichus (Oreophilus) jurinei (Panzer, 1803) - Carabidae

20.VI.2012 - ITALIA - Lombardia - SO
Coleoptera

Lele

1

344

07/07/2012, 9:06

magosti Vedi ultimo messaggio

Nessun messaggio da leggere
Calathus fuscipes graecus Dejean, 1831 - Carabidae
18.VI.2012 - ITALIA - Veneto - RO
Allegato(i)
Calathus fuscipes graecus Dejean, 1831 - Carabidae

18.VI.2012 - ITALIA - Veneto - RO
Coleoptera

Umbro

1

366

07/07/2012, 9:05

magosti Vedi ultimo messaggio

Nessun messaggio da leggere
Carabus (Archicarabus) rossii Dejean, 1826 - Carabidae
V.2012 - ITALIA - Campania - SA
Allegato(i)
Carabus (Archicarabus) rossii Dejean, 1826 - Carabidae

V.2012 - ITALIA - Campania - SA
Coleoptera

gdefilippo

2

723

01/07/2012, 10:08

Fabio Turchetti Vedi ultimo messaggio

Nessun messaggio da leggere
Allegato(i)
Pseudoophonus (Pseudoophonus) rufipes (De Geer, 1774) - Carabidae

28.V.2010 - ITALIA - Veneto - VE
Coleoptera

Golia

7

768

29/06/2012, 13:49

gomphus Vedi ultimo messaggio

Nessun messaggio da leggere
Trechus (Trechus) croaticus Dejean, 1831 - Carabidae
11.V.2012 - ITALIA - Friuli-Venezia Giulia - UD
Allegato(i)
Trechus (Trechus) croaticus Dejean, 1831 - Carabidae

11.V.2012 - ITALIA - Friuli-Venezia Giulia - UD
Coleoptera

Lymnastis

6

737

27/06/2012, 23:19

gomphus Vedi ultimo messaggio

Nessun messaggio da leggere
Carterus (Carterus) fulvipes (Latreille, 1817) - Carabidae
26.VI.2012 - ITALIA - Marche - PU
Allegato(i)
Carterus (Carterus) fulvipes (Latreille, 1817) - Carabidae

26.VI.2012 - ITALIA - Marche - PU
Coleoptera

marco paglialunga

3

480

27/06/2012, 13:44

FORBIX Vedi ultimo messaggio

Nessun messaggio da leggere
Pogonus (Pogonus) littoralis (Duftschmid, 1812) - Carabidae
23.VI.2012 - ITALIA - Sardegna - CA
Allegato(i)
Pogonus (Pogonus) littoralis (Duftschmid, 1812) - Carabidae

23.VI.2012 - ITALIA - Sardegna - CA
Coleoptera

ruzzpa

3

420

25/06/2012, 11:17

vittorino monzini Vedi ultimo messaggio

Nessun messaggio da leggere
Calomera littoralis nemoralis (Olivier, 1790) - Cicindelidae
24.VI.2012 - ITALIA - Friuli-Venezia Giulia - GO
Allegato(i)
Calomera littoralis nemoralis (Olivier, 1790) - Cicindelidae

24.VI.2012 - ITALIA - Friuli-Venezia Giulia - GO
Coleoptera

Agdistis

2

473

24/06/2012, 20:23

Agdistis Vedi ultimo messaggio

Nessun messaggio da leggere
Allegato(i)
Cylindera (Eugrapha) trisignata trisignata (Dejean in Latreille & Dejean, 1822) - Carabidae Cicindelinae

24.VI.2012 - ITALIA - Friuli-Venezia Giulia - GO
Coleoptera

Agdistis

2

445

24/06/2012, 20:22

Agdistis Vedi ultimo messaggio

Nessun messaggio da leggere
Allegato(i)
Notaphus (Notaphus) semipunctatus (Donovan, 1806) - Carabidae

21.II.2011 - ITALIA - Veneto - VE
Coleoptera

Effe Esse

6

789

24/06/2012, 18:23

eurinomio Vedi ultimo messaggio

Nessun messaggio da leggere
Dyschiriodes (Dyschiriodes) apicalis (Putzeys, 1846) (cf.) - Carabidae
26.V.2012 - ITALIA - Friuli-Venezia Giulia - GO
Allegato(i)
Dyschiriodes (Dyschiriodes) apicalis (Putzeys, 1846) (cf.) - Carabidae

26.V.2012 - ITALIA - Friuli-Venezia Giulia - GO
Coleoptera

Stefano79

2

441

24/06/2012, 9:36

Stefano79 Vedi ultimo messaggio

Nessun messaggio da leggere
Pogonus (Pogonus) riparius Dejean, 1828 - Carabidae
26.V.2012 - ITALIA - Friuli-Venezia Giulia - GO
Allegato(i)
Pogonus (Pogonus) riparius Dejean, 1828 - Carabidae

26.V.2012 - ITALIA - Friuli-Venezia Giulia - GO
Coleoptera

Stefano79

2

421

23/06/2012, 13:35

Stefano79 Vedi ultimo messaggio

Nessun messaggio da leggere
Notaphus (Notaphus) varius (Olivier, 1795) - Carabidae
26.V.2012 - ITALIA - Friuli-Venezia Giulia - GO
Allegato(i)
Notaphus (Notaphus) varius (Olivier, 1795) - Carabidae

26.V.2012 - ITALIA - Friuli-Venezia Giulia - GO
Coleoptera

Stefano79

5

636

23/06/2012, 12:51

Stefano79 Vedi ultimo messaggio

Nessun messaggio da leggere
Dicheirotrichus (Dicheirotrichus) obsoletus (Dejean, 1829) - Carabidae
26.V.2012 - ITALIA - Friuli-Venezia Giulia - GO
Allegato(i)
Dicheirotrichus (Dicheirotrichus) obsoletus (Dejean, 1829) - Carabidae

26.V.2012 - ITALIA - Friuli-Venezia Giulia - GO
Coleoptera

Stefano79

2

440

23/06/2012, 12:46

Stefano79 Vedi ultimo messaggio

Nessun messaggio da leggere
Daptus vittatus Fischer von Waldheim, 1824 - Carabidae
26.V.2012 - ITALIA - Friuli-Venezia Giulia - GO
Allegato(i)
Daptus vittatus Fischer von Waldheim, 1824 - Carabidae

26.V.2012 - ITALIA - Friuli-Venezia Giulia - GO
Coleoptera

Stefano79

2

546

21/06/2012, 22:50

Stefano79 Vedi ultimo messaggio

Nessun messaggio da leggere
Allegato(i)
Cylindera germanica germanica (Linnaeus, 1758) - Carabidae Cicindelinae

21.VI.2012 - ITALIA - Veneto - VE
Coleoptera

ghebo

2

474

21/06/2012, 19:05

ghebo Vedi ultimo messaggio

Nessun messaggio da leggere
Calathus (Bedelinus) circumseptus Germar, 1824 - Carabidae
30.V.2012 - ITALIA - Toscana - PI
Allegato(i)
Calathus (Bedelinus) circumseptus Germar, 1824 - Carabidae

30.V.2012 - ITALIA - Toscana - PI
Coleoptera

Stefano79

1

343

21/06/2012, 12:38

gomphus Vedi ultimo messaggio

Nessun messaggio da leggere
Philochthus lunulatus (Geffroy in Fourcroy, 1785) - Carabide
13.IV.2012 - ITALIA - Toscana - PI
Allegato(i)
Philochthus lunulatus (Geffroy in Fourcroy, 1785) - Carabide

13.IV.2012 - ITALIA - Toscana - PI
Coleoptera

Stefano79

2

294

20/06/2012, 11:36

Stefano79 Vedi ultimo messaggio

Nessun messaggio da leggere
Tachyura sexstriata (Duftschmid, 1812) - Carabide
27.IV.2012 - ITALIA - Toscana - LI
Allegato(i)
Tachyura sexstriata (Duftschmid, 1812) - Carabide

27.IV.2012 - ITALIA - Toscana - LI
Coleoptera

Stefano79

2

329

20/06/2012, 11:33

Stefano79 Vedi ultimo messaggio

Nessun messaggio da leggere
Allegato(i)
Ocydromus (Ocydromus) decorus decorus (Panzer, 1799) - Carabidae

22.IV.2012 - ITALIA - Toscana - PI
Coleoptera

Stefano79

3

382

20/06/2012, 11:24

Stefano79 Vedi ultimo messaggio

Nessun messaggio da leggere
Paratachys fulvicollis (Dejean, 1831) - Carabidae
23.V.2012 - ITALIA - Toscana - LI
Allegato(i)
Paratachys fulvicollis (Dejean, 1831) - Carabidae

23.V.2012 - ITALIA - Toscana - LI
Coleoptera

FORBIX

2

374

18/06/2012, 23:03

FORBIX Vedi ultimo messaggio

Nessun messaggio da leggere
Allegato(i)
Dromius (Dromius) meridionalis Dejean, 1825 - Carabidae Gigliese

18.V.2012 - ITALIA - Toscana - GR
Coleoptera

FORBIX

4

440

18/06/2012, 22:55

FORBIX Vedi ultimo messaggio

Nessun messaggio da leggere
Carabus (Archicarabus) rossii Dejean, 1826 - Carabidae
16.VII.2009 - ITALIA - Marche - PU
Allegato(i)
Carabus (Archicarabus) rossii Dejean, 1826 - Carabidae

16.VII.2009 - ITALIA - Marche - PU
Coleoptera

T_18

4

583

18/06/2012, 20:54

T_18 Vedi ultimo messaggio

Nessun messaggio da leggere
Acupalpus meridianus (Linnaeus, 1761) - Carabidae
13.IV.2012 - ITALIA - Toscana - PI
Allegato(i)
Acupalpus meridianus (Linnaeus, 1761) - Carabidae

13.IV.2012 - ITALIA - Toscana - PI
Coleoptera

Stefano79

3

974

17/06/2012, 21:19

Stefano79 Vedi ultimo messaggio

Nessun messaggio da leggere
Allegato(i)
Ocydromus (Ocydromus) decorus decorus (Panzer, 1799) - Carabidae

22.IV.2012 - ITALIA - Toscana - PI
Coleoptera

Stefano79

8

905

17/06/2012, 21:09

Stefano79 Vedi ultimo messaggio

Nessun messaggio da leggere
Olisthopus fuscatus Dejean, 1828 - Carabidae
13.IV.2012 - ITALIA - Toscana - PI
Allegato(i)
Olisthopus fuscatus Dejean, 1828 - Carabidae

13.IV.2012 - ITALIA - Toscana - PI
Coleoptera

Stefano79

3

334

17/06/2012, 10:44

Stefano79 Vedi ultimo messaggio

Nessun messaggio da leggere
Microlestes corticalis (L. Dufour, 1820) - Carabidae
27.X.2010 - ITALIA - Calabria - RC
Allegato(i)
Microlestes corticalis (L. Dufour, 1820) - Carabidae

27.X.2010 - ITALIA - Calabria - RC
Coleoptera

ruzzpa

1

375

16/06/2012, 23:16

Tenebrio Vedi ultimo messaggio

Nessun messaggio da leggere
Nebria (Nebria) fulviventris Bassi, 1834 - Carabidae
8.VI.2012 - ITALIA - Umbria - PG
Allegato(i)
Nebria (Nebria) fulviventris Bassi, 1834 - Carabidae

8.VI.2012 - ITALIA - Umbria - PG
Coleoptera

Maura

3

501

13/06/2012, 14:20

Maura Vedi ultimo messaggio

Nessun messaggio da leggere
Allegato(i)
Orotrechus gracilis Meggiolaro, 1961 - Carabidae Trechinae

1.V.2004 - ITALIA - Veneto - TV
Coleoptera

Tc70

1

524

12/06/2012, 22:20

gomphus Vedi ultimo messaggio

Nessun messaggio da leggere
Chlaenius (Chlaenius) velutinus auricollis Gené, 1839 - Carabidae
12.VIII.2011 - ITALIA - Sardegna - SS
Allegato(i)
Chlaenius (Chlaenius) velutinus auricollis Gené, 1839 - Carabidae

12.VIII.2011 - ITALIA - Sardegna - SS
Coleoptera

soken

3

492

11/06/2012, 17:28

soken Vedi ultimo messaggio

Nessun messaggio da leggere
Allegato(i)
Trechus (Trechus) quadristriatus (Schrank 1781) - Carabide Trechinae

16.IV.2012 - ITALIA - Toscana - PI
Coleoptera

Stefano79

1

296

11/06/2012, 12:33

magosti Vedi ultimo messaggio

Nessun messaggio da leggere
Harpalus honestus (Duftschmid, 1812) - Carabidae
18.V.2012 - ITALIA - Basilicata - PZ
Allegato(i)
Harpalus honestus (Duftschmid, 1812) - Carabidae

18.V.2012 - ITALIA - Basilicata - PZ
Coleoptera

Mimmo011

4

566

11/06/2012, 10:26

Mimmo011 Vedi ultimo messaggio

Nessun messaggio da leggere
Stenolophus (Egadroma) marginatus Dejean, 1829 - Carabidae
18.V.2012 - ITALIA - Toscana - PI
Allegato(i)
Stenolophus (Egadroma) marginatus Dejean, 1829 - Carabidae

18.V.2012 - ITALIA - Toscana - PI
Coleoptera

Stefano79

2

540

10/06/2012, 15:03

Stefano79 Vedi ultimo messaggio

Nessun messaggio da leggere
Allegato(i)
Diachromus germanus (Linnaeus, 1758) - Carabidae Harpalinae Anisodactylini

7.V.2012 - ITALIA - Toscana - PI
Coleoptera

Stefano79

1

421

10/06/2012, 12:31

Tenebrio Vedi ultimo messaggio

Nessun messaggio da leggere
Allegato(i)
Cicindela (Cicindela) campestris campestris Linnaeus, 1758 - Carabidae - larve e adulto

8.VI.2012 - ITALIA - Lazio - RI
Coleoptera

Julodis

2

449

08/06/2012, 20:54

Julodis Vedi ultimo messaggio

Nessun messaggio da leggere
Notiophilus rufipes Curtis, 1829 - Carabidae
22.IV.2012 - ITALIA - Toscana - PI
Allegato(i)
Notiophilus rufipes Curtis, 1829 - Carabidae

22.IV.2012 - ITALIA - Toscana - PI
Coleoptera

Stefano79

1

312

08/06/2012, 9:25

magosti Vedi ultimo messaggio

Nessun messaggio da leggere
Stenolophus (Egadroma) marginatus Dejean, 1829 - Carabidae
7.V.2012 - ITALIA - Toscana - PI
Allegato(i)
Stenolophus (Egadroma) marginatus Dejean, 1829 - Carabidae

7.V.2012 - ITALIA - Toscana - PI
Coleoptera

Stefano79

1

480

07/06/2012, 18:39

Tenebrio Vedi ultimo messaggio

Nessun messaggio da leggere
Ocys harpaloides (Audinet-Serville, 1821) - Carabidae
22.IV.2012 - ITALIA - Toscana - PI
Allegato(i)
Ocys harpaloides (Audinet-Serville, 1821) - Carabidae

22.IV.2012 - ITALIA - Toscana - PI
Coleoptera

Stefano79

1

396

06/06/2012, 20:53

magosti Vedi ultimo messaggio

Nessun messaggio da leggere
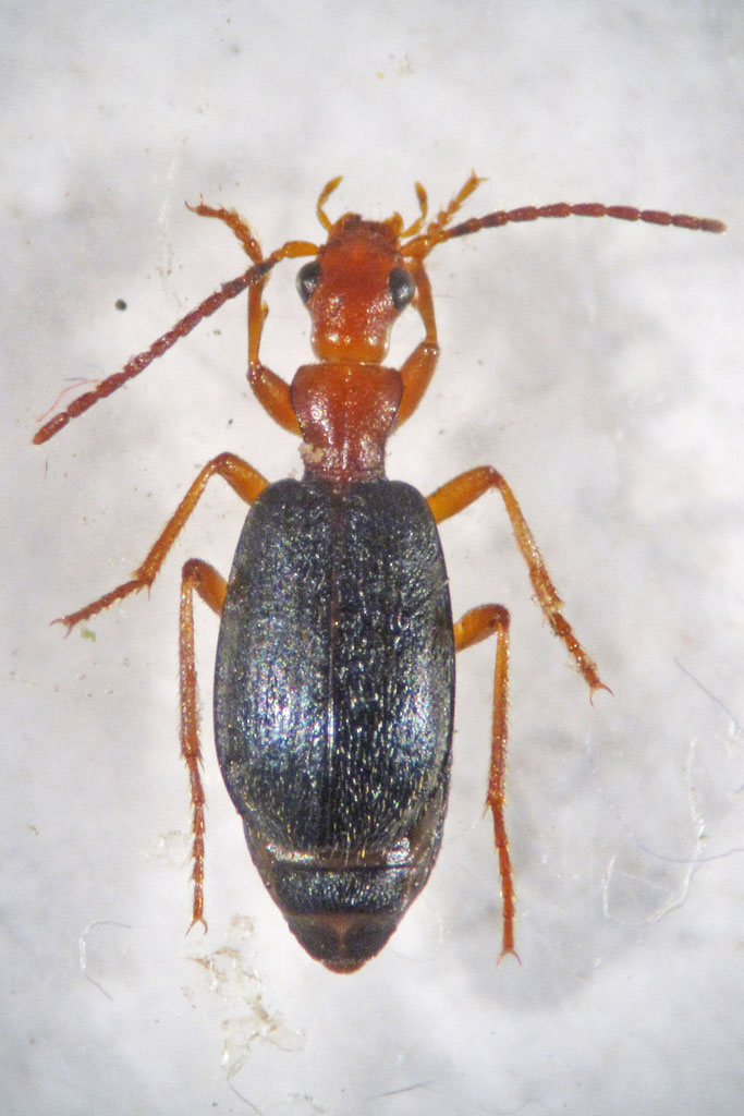
Zuphium (Zuphium) olens (P. Rossi, 1790) - Carabidae
30.IV.2012 - ITALIA - Toscana - PI
Allegato(i)
Zuphium (Zuphium) olens (P. Rossi, 1790) - Carabidae

30.IV.2012 - ITALIA - Toscana - PI
Coleoptera

Stefano79

1

473

05/06/2012, 18:01

Tenebrio Vedi ultimo messaggio

Nessun messaggio da leggere
Poecilus (Poecilus) cupreus (Linnaeus, 1758) - Carabidae
2.VI.2012 - ITALIA - Lazio - VT
Allegato(i)
Poecilus (Poecilus) cupreus (Linnaeus, 1758) - Carabidae

2.VI.2012 - ITALIA - Lazio - VT
Coleoptera

Andricus

5

478

05/06/2012, 10:02

vittorino monzini Vedi ultimo messaggio

Visualizza ultimi argomenti:  Ordina per  Ordine:  
nuovo argomento
Vai alla pagina Precedente  1 ... 45, 46, 47, 48, 49, 50, 51 ... 79  Prossimo
Pagina 48 di 79 [ 3922 argomenti ]

Tutti gli orari sono UTC + 1 ora [ ora legale ]


Chi c’è in linea

Visitano il forum: Calathus e 21 ospiti


Legenda
Messaggi da leggere Messaggi da leggere Nessun messaggio da leggere Nessun messaggio da leggere Annuncio Annuncio
 
Specie indeterminata / discussione generica
Messaggi non letti [ Popolari ] Messaggi non letti [ Popolari ] Nessun messaggio da leggere [ Popolare ] Nessun messaggio da leggere [ Popolare ] Importante Importante
 
Specie determinata fino al genere o cf.
Messaggi non letti [ Bloccati ] Messaggi non letti [ Bloccati ] No messaggi non letti [ Bloccati ] No messaggi non letti [ Bloccati ] Argomento spostato Argomento spostato
 
Specie correttamente determinata
Permessi
Non puoi aprire nuovi argomenti
Non puoi rispondere negli argomenti
Non puoi modificare i tuoi messaggi
Non puoi cancellare i tuoi messaggi
Non puoi inviare allegati

Cerca per:
Vai a: