Benvenuto Ospite

Forum Entomologi Italiani

www.entomologiitaliani.net/forum
 
Oggi è 26/10/2025, 13:20

Tutti gli orari sono UTC + 1 ora [ ora legale ]

 Forum   Argomenti   Messaggi   Ultimo messaggio 
Nessun messaggio da leggere
Filtro località
Carabidae indeterminati

906

4124

10/09/2025, 12:26

pietro lo cascio Vedi ultimo messaggio




100%
tutti i taxon di questo archivio sono stati determinati correttamente

Carabidae


[ AFROTROPICALE ] [ ANTARTICO ] [ AUSTRALASIANO ] [ NEARTICO ] [ NEOTROPICALE ] [ ORIENTALE ] [ PALEARTICO ]


nuovo argomento
Vai alla pagina Precedente  1 ... 4, 5, 6, 7, 8, 9, 10 ... 31  Prossimo
Pagina 7 di 31 [ 1517 argomenti ]
 Argomenti   Ordine   Autore   Risposte   Visite    Ultimo messaggio 
Annunci
Nessun messaggio da leggere
Allegato(i)
Incontri entomologici telematici organizzati dalla Società Entomologica Italiana nel 2022 e nel 2023

[ Vai alla paginaVai alla pagina: 1, 2, 3 ]

 

Velvet Ant

44

1370319

03/03/2023, 15:55

Velvet Ant Vedi ultimo messaggio

Nessun messaggio da leggere  
Allegato(i)
Sondaggio sul declino dell'entomofauna in Italia

[ Vai alla paginaVai alla pagina: 1, 2, 3, 4 ]

 

Velvet Ant

52

1686503

22/10/2022, 19:18

Acquarius Vedi ultimo messaggio

Nessun messaggio da leggere  
Allegato(i)
Progetto: Bibliografia ragionata dei lavori entomologici nei quali sono citati reperti apparsi su FEI

[ Vai alla paginaVai alla pagina: 1, 2, 3 ]

 

Velvet Ant

33

1127017

06/07/2023, 18:31

Orotrechus Vedi ultimo messaggio

Nessun messaggio da leggere
Allegato(i)
Mimesi, il primo documentario cinematografico sull’entomologia in Italia: casting
 

mazzeip

1

445933

28/02/2019, 20:26

mazzeip Vedi ultimo messaggio

Questo argomento è bloccato, non puoi modificare o inviare ulteriori messaggi.
Allegato(i)
ISTRUZIONI PUBBLICAZIONE NUOVI ARGOMENTI E FOTO

 
Altri Ordini di Insetti

Julodis

4

790987

13/05/2015, 19:37

Julodis Vedi ultimo messaggio

Nessun messaggio da leggere
Allegato(i)
Limitatore giornaliero di messaggi, uno strumento utile e ormai indispensabile

[ Vai alla paginaVai alla pagina: 1 ... 14, 15, 16 ]

 

Velvet Ant

233

8369249

25/09/2014, 14:31

Inachis Vedi ultimo messaggio

Nessun messaggio da leggere  
NORME PER I COLLABORATORI DEL FORUM

 
 

Velvet Ant

0

472611

02/06/2011, 12:05

Velvet Ant Vedi ultimo messaggio

Nessun messaggio da leggere
Allegato(i)
NORME PER GLI UTENTI DEL FORUM

[ Vai alla paginaVai alla pagina: 1, 2, 3 ]



 
 

Velvet Ant

30

2303655

23/09/2014, 23:54

Maurizio Bollino Vedi ultimo messaggio

Nessun messaggio da leggere  
Lista degli utenti del "Forum entomologi italiani" per campi di interesse e specializzazione

 
Altri Ordini di Insetti

Velvet Ant

13

928699

07/09/2023, 17:14

Roberto-07 Vedi ultimo messaggio

Argomenti
Nessun messaggio da leggere
Duvalius (Duvalius) landii Magrini, 2021 - Carabidae
21.XI.2021 - ITALIA - Marche - MC
Allegato(i) Dettagli della specie
Duvalius (Duvalius) landii Magrini, 2021
Carabidae


21.XI.2021 - ITALIA - Marche - MC
Coleoptera

StagBeetle

8

903

18/01/2022, 16:56

Anillus Vedi ultimo messaggio

Nessun messaggio da leggere
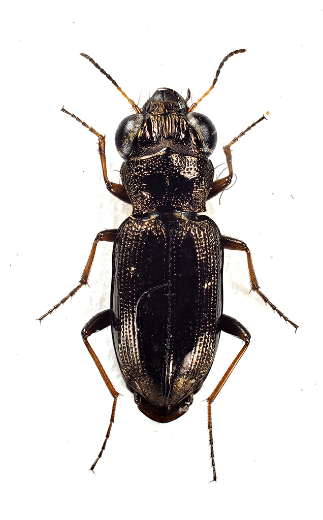
Broscus politus (Dejean, 1828) - Carabidae
30.X.2021 - ITALIA - Sicilia - TP
Allegato(i) Dettagli della specie
Broscus politus (Dejean, 1828)
Carabidae


30.X.2021 - ITALIA - Sicilia - TP
Coleoptera

Manuel02

0

338

14/01/2022, 12:09

Manuel02 Vedi ultimo messaggio

Nessun messaggio da leggere
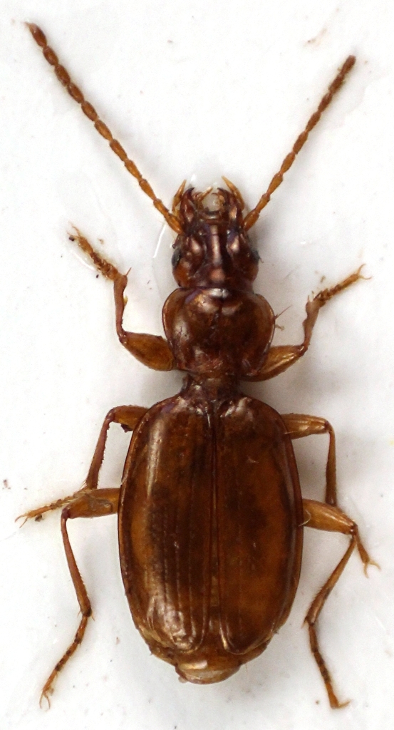
Trechus (Trechus) modestus Putzeys, 1874 - Carabidae
9.VII.2021 - ITALIA - Piemonte - BI
Allegato(i) Dettagli della specie
Trechus (Trechus) modestus Putzeys, 1874
Carabidae


9.VII.2021 - ITALIA - Piemonte - BI
Coleoptera

Rothari

0

378

07/01/2022, 21:49

Rothari Vedi ultimo messaggio

Nessun messaggio da leggere
Allegato(i) Dettagli della specie
Nebria (Nebriola) cordicollis kochi Schatzmayr, 1939
Carabidae


9.VII.2021 - ITALIA - Piemonte - BI
Coleoptera

Rothari

0

431

07/01/2022, 21:44

Rothari Vedi ultimo messaggio

Nessun messaggio da leggere
Bembidion (Diplocampa) fumigatus (Duftschmid, 1812) - Carabidae
30.IV.2018 - ITALIA - Emilia-Romagna - RA
Allegato(i) Dettagli della specie
Bembidion (Diplocampa) fumigatus (Duftschmid, 1812)
Carabidae


30.IV.2018 - ITALIA - Emilia-Romagna - RA
Coleoptera

marco villa

3

433

07/01/2022, 18:25

Chalybion Vedi ultimo messaggio

Nessun messaggio da leggere
Binaghites subalpinus (Baudi di Selve, 1871) - Carabidae
9.VII.2021 - ITALIA - Piemonte - BI
Allegato(i) Dettagli della specie
Binaghites subalpinus (Baudi di Selve, 1871)
Carabidae


9.VII.2021 - ITALIA - Piemonte - BI
Coleoptera

Rothari

1

511

06/01/2022, 21:45

Andrea Pergine Vedi ultimo messaggio

Nessun messaggio da leggere
Trechus (Trechus) caprai Jeannel, 1927 - Carabidae
9.VII.2021 - ITALIA - Piemonte - BI
Allegato(i) Dettagli della specie
Trechus (Trechus) caprai Jeannel, 1927
Carabidae


9.VII.2021 - ITALIA - Piemonte - BI
Coleoptera

Rothari

1

466

06/01/2022, 21:41

Andrea Pergine Vedi ultimo messaggio

Nessun messaggio da leggere
Bembidion (Phyla) tethys Netolitzky, 1926 - Carabidae
15.XII.2021 - ITALIA - Sicilia - PA
Allegato(i) Dettagli della specie
Bembidion (Phyla) tethys Netolitzky, 1926
Carabidae


15.XII.2021 - ITALIA - Sicilia - PA
Coleoptera

Lucanus tetraodon

4

516

30/12/2021, 11:57

Lucanus tetraodon Vedi ultimo messaggio

Nessun messaggio da leggere
Pterostichus (Pseudomaseus) oenotrius Ravizza, 1975 - Carabidae
2.III.2017 - ITALIA - Friuli-Venezia Giulia - GO
Allegato(i) Dettagli della specie
Pterostichus (Pseudomaseus) oenotrius Ravizza, 1975
Carabidae


2.III.2017 - ITALIA - Friuli-Venezia Giulia - GO
Coleoptera

Stefano79

3

587

24/12/2021, 16:55

Stefano79 Vedi ultimo messaggio

Nessun messaggio da leggere
Allegato(i) Dettagli della specie
Pterostichus (Oreophilus) externepunctatus (Dejean, 1828)
Carabidae


1.VIII.2021 - ITALIA - Piemonte - TO
Coleoptera

StagBeetle

4

698

23/12/2021, 23:05

StagBeetle Vedi ultimo messaggio

Nessun messaggio da leggere
Sphodropsis ghilianii ghilianii (Schaum, 1858) - Carabidae
IX.1995 - ITALIA - Piemonte - TO
Allegato(i) Dettagli della specie
Sphodropsis ghilianii ghilianii (Schaum, 1858)
Carabidae


IX.1995 - ITALIA - Piemonte - TO
Coleoptera

StagBeetle

0

306

22/12/2021, 20:50

StagBeetle Vedi ultimo messaggio

Nessun messaggio da leggere
Allegato(i) Dettagli della specie
Pterostichus (Oreophilus) externepunctatus (Dejean, 1828)
Carabidae


1.VIII.2021 - ITALIA - Piemonte - TO
Coleoptera

StagBeetle

3

519

21/12/2021, 22:23

StagBeetle Vedi ultimo messaggio

Nessun messaggio da leggere
Lionychus (Lionychus) maritimus Fairmaire, 1862 - Carabidae
13.VIII.1985 - ITALIA - Calabria - RC
Allegato(i) Dettagli della specie
Lionychus (Lionychus) maritimus Fairmaire, 1862
Carabidae


13.VIII.1985 - ITALIA - Calabria - RC
Coleoptera

gabrif

7

827

19/12/2021, 0:07

Notoxus59 Vedi ultimo messaggio

Nessun messaggio da leggere
Amblystomus niger (Heer, 1841) - Carabidae
28.VI.2019 - ITALIA - Emilia-Romagna - RA
Allegato(i) Dettagli della specie
Amblystomus niger (Heer, 1841)
Carabidae


28.VI.2019 - ITALIA - Emilia-Romagna - RA
Coleoptera

Chalybion

5

1337

18/12/2021, 23:56

Notoxus59 Vedi ultimo messaggio

Nessun messaggio da leggere
Allegato(i) Dettagli della specie
Carabus (Megodontus) violaceus picenus A. Villa & G.B. Villa, 1838
Carabidae


VIII.2021 - ITALIA - Marche - MC
Coleoptera

StagBeetle

3

481

14/12/2021, 13:58

StagBeetle Vedi ultimo messaggio

Nessun messaggio da leggere
Trechus (Trechus) gracilitarsis K. Daniel & J. Daniel, 1898 - Carabidae
9.VI.1994 - ITALIA - Trentino-Alto Adige - TN
Allegato(i) Dettagli della specie
Trechus (Trechus) gracilitarsis K. Daniel & J. Daniel, 1898
Carabidae


9.VI.1994 - ITALIA - Trentino-Alto Adige - TN
Coleoptera

StagBeetle

3

414

14/12/2021, 13:56

StagBeetle Vedi ultimo messaggio

Nessun messaggio da leggere
Allegato(i) Dettagli della specie
Pterostichus (Phonias) ovoideus mainardii Straneo, 1934
Carabidae


16.IV.2019 - ITALIA - Toscana - PI
Coleoptera

Stefano79

4

564

14/12/2021, 0:46

Stefano79 Vedi ultimo messaggio

Nessun messaggio da leggere
Trechus (Trechus) sinuatus Schaum, 1860 - Carabidae
27.VI.2004 - ITALIA - Lombardia - BS
Allegato(i) Dettagli della specie
Trechus (Trechus) sinuatus Schaum, 1860
Carabidae


27.VI.2004 - ITALIA - Lombardia - BS
Coleoptera

StagBeetle

0

274

12/12/2021, 23:05

StagBeetle Vedi ultimo messaggio

Nessun messaggio da leggere
Allegato(i) Dettagli della specie
Trechus (Trechus) schwienbacheri Donabauer & Lebenbauer, 2003
Carabidae


2.IV.2011 - ITALIA - Lombardia - BS
Coleoptera

StagBeetle

0

250

12/12/2021, 23:05

StagBeetle Vedi ultimo messaggio

Nessun messaggio da leggere
Philorhizus liguricus Sciaky, 1991 - Carabidae
8.XII.2007 - ITALIA - Liguria - SV
Allegato(i) Dettagli della specie
Philorhizus liguricus Sciaky, 1991
Carabidae


8.XII.2007 - ITALIA - Liguria - SV
Coleoptera

gabrif

3

441

11/12/2021, 23:27

gomphus Vedi ultimo messaggio

Nessun messaggio da leggere
Trechus (Trechus) binotatus Putzeys, 1870 - Carabidae
1.V.1986 - ITALIA - Lombardia - BS
Allegato(i) Dettagli della specie
Trechus (Trechus) binotatus Putzeys, 1870
Carabidae


1.V.1986 - ITALIA - Lombardia - BS
Coleoptera

StagBeetle

0

288

11/12/2021, 23:05

StagBeetle Vedi ultimo messaggio

Nessun messaggio da leggere
Allegato(i) Dettagli della specie
Calosoma (Calosoma) inquisitor inquisitor (Linnaeus, 1758)
Carabidae


29.V.2021 - ITALIA - Marche - MC
Coleoptera

StagBeetle

0

362

10/12/2021, 23:05

StagBeetle Vedi ultimo messaggio

Nessun messaggio da leggere
Allegato(i) Dettagli della specie
Dromius (Dromius) quadrimaculatus (Linnaeus, 1758)
Carabidae


3.VII.2021 - ITALIA - Marche - MC
Coleoptera

StagBeetle

0

326

08/12/2021, 23:05

StagBeetle Vedi ultimo messaggio

Nessun messaggio da leggere
Allegato(i) Dettagli della specie
Carabus (Megodontus) violaceus picenus A. Villa & G.B. Villa, 1838
Carabidae


18.VI.2017 - ITALIA - Marche - MC
Coleoptera

StagBeetle

9

2308

08/12/2021, 10:42

Enthomon Vedi ultimo messaggio

Nessun messaggio da leggere
Allegato(i) Dettagli della specie
Carabus (Megodontus) violaceus picenus A. Villa & G.B. Villa, 1838
Carabidae


5.VIII.2017 - ITALIA - Emilia-Romagna - BO
Coleoptera

stefania65

3

1033

07/12/2021, 20:24

daniel prunier Vedi ultimo messaggio

Nessun messaggio da leggere
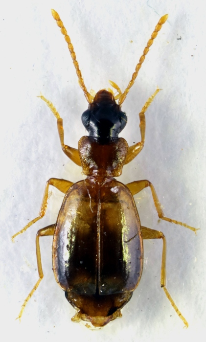
Dromius (Dromius) meridionalis Dejean, 1825 - Carabidae
30.XI.2021 - ITALIA - Lazio - RM
Allegato(i) Dettagli della specie
Dromius (Dromius) meridionalis Dejean, 1825
Carabidae


30.XI.2021 - ITALIA - Lazio - RM
Coleoptera

elleelle

2

424

05/12/2021, 23:46

elleelle Vedi ultimo messaggio

Nessun messaggio da leggere
Calathus (Neocalathus) cinctus Motschulsky, 1850 - Carabidae
11.VII.2021 - ITALIA - Marche - MC
Allegato(i) Dettagli della specie
Calathus (Neocalathus) cinctus Motschulsky, 1850
Carabidae


11.VII.2021 - ITALIA - Marche - MC
Coleoptera

StagBeetle

0

324

05/12/2021, 23:09

StagBeetle Vedi ultimo messaggio

Nessun messaggio da leggere
Parophonus (Parophonus) hispanus (Rambur, 1838) - Carabidae
16.VII.2021 - ITALIA - Marche - AN
Allegato(i) Dettagli della specie
Parophonus (Parophonus) hispanus (Rambur, 1838)
Carabidae


16.VII.2021 - ITALIA - Marche - AN
Coleoptera

StagBeetle

0

297

05/12/2021, 23:09

StagBeetle Vedi ultimo messaggio

Nessun messaggio da leggere
Ophonus (Hesperophonus) cribricollis (Dejean, 1829) - Carabidae
10.VI.2021 - ITALIA - Lombardia - MN
Allegato(i) Dettagli della specie
Ophonus (Hesperophonus) cribricollis (Dejean, 1829)
Carabidae


10.VI.2021 - ITALIA - Lombardia - MN
Coleoptera

N.antiopa

5

553

05/12/2021, 11:46

N.antiopa Vedi ultimo messaggio

Nessun messaggio da leggere
Allegato(i) Dettagli della specie
Harpalus (Harpalus) honestus (Duftschmid, 1812)
Carabidae


30.V.2021 - ITALIA - Umbria - PG
Coleoptera

wgliinsetti

3

554

04/12/2021, 12:30

wgliinsetti Vedi ultimo messaggio

Nessun messaggio da leggere
Notiophilus geminatus Dejean & Boisduval, 1830 - Carabidae
6.VI.2021 - ITALIA - Marche - MC
Allegato(i) Dettagli della specie
Notiophilus geminatus Dejean & Boisduval, 1830
Carabidae


6.VI.2021 - ITALIA - Marche - MC
Coleoptera

StagBeetle

0

254

03/12/2021, 23:09

StagBeetle Vedi ultimo messaggio

Nessun messaggio da leggere
Philorhizus melanocephalus (Dejean, 1825) - Carabidae
3.VII.2021 - ITALIA - Marche - MC
Allegato(i) Dettagli della specie
Philorhizus melanocephalus (Dejean, 1825)
Carabidae


3.VII.2021 - ITALIA - Marche - MC
Coleoptera

StagBeetle

0

325

03/12/2021, 23:09

StagBeetle Vedi ultimo messaggio

Nessun messaggio da leggere
Allegato(i) Dettagli della specie
Carabus (Macrothorax) morbillosus constantinus Kraatz, 1899
Carabidae


28.IV.2017 - ITALIA - Toscana - GR
Coleoptera

Chalybion

6

651

03/12/2021, 21:14

Chalybion Vedi ultimo messaggio

Nessun messaggio da leggere
Notiophilus rufipes Curtis, 1829 - Carabidae
23.V.2021 - ITALIA - Marche - MC
Allegato(i) Dettagli della specie
Notiophilus rufipes Curtis, 1829
Carabidae


23.V.2021 - ITALIA - Marche - MC
Coleoptera

StagBeetle

0

328

02/12/2021, 23:09

StagBeetle Vedi ultimo messaggio

Nessun messaggio da leggere
Allegato(i) Dettagli della specie
Laemostenus (Actenipus) latialis Leoni, 1907
Carabidae


VI.2021 - ITALIA - Marche - MC
Coleoptera

StagBeetle

0

374

01/12/2021, 23:09

StagBeetle Vedi ultimo messaggio

Nessun messaggio da leggere
Allegato(i) Dettagli della specie
Carabus (Macrothorax) morbillosus constantinus Kraatz, 1899
Carabidae


29.VIII.2021 - ITALIA - Sardegna - SS
Coleoptera

Michele A

2

464

01/12/2021, 12:19

fabry80 Vedi ultimo messaggio

Nessun messaggio da leggere
Oedesis caucasicus (Dejean, 1831) - Carabidae
12.VII.2021 - ITALIA - Marche - AN
Allegato(i) Dettagli della specie
Oedesis caucasicus (Dejean, 1831)
Carabidae


12.VII.2021 - ITALIA - Marche - AN
Coleoptera

StagBeetle

0

345

28/11/2021, 23:09

StagBeetle Vedi ultimo messaggio

Nessun messaggio da leggere
Notiophilus rufipes Curtis, 1829 - Carabidae
30.V.2021 - ITALIA - Umbria - PG
Allegato(i) Dettagli della specie
Notiophilus rufipes Curtis, 1829
Carabidae


30.V.2021 - ITALIA - Umbria - PG
Coleoptera

wgliinsetti

4

446

28/11/2021, 20:03

wgliinsetti Vedi ultimo messaggio

Nessun messaggio da leggere
Cryptophonus tenebrosus (Dejean, 1829) - Carabidae
4.IX.2011 - ITALIA - Sardegna - CA
Allegato(i) Dettagli della specie
Cryptophonus tenebrosus (Dejean, 1829)
Carabidae


4.IX.2011 - ITALIA - Sardegna - CA
Coleoptera

wgliinsetti

8

624

25/11/2021, 16:17

wgliinsetti Vedi ultimo messaggio

Nessun messaggio da leggere
Trichotichnus (Trichotichnus) laevicollis (Duftschmid, 1812) - Carabidae
20.VI.2021 - ITALIA - Emilia-Romagna - RE
Allegato(i) Dettagli della specie
Trichotichnus (Trichotichnus) laevicollis (Duftschmid, 1812)
Carabidae


20.VI.2021 - ITALIA - Emilia-Romagna - RE
Coleoptera

Mikiphasmide

5

588

25/11/2021, 13:58

Mikiphasmide Vedi ultimo messaggio

Nessun messaggio da leggere
Ophonus (Metophonus) puncticeps Stephens, 1828 - Carabidae
4.IX.2011 - ITALIA - Sardegna - CA
Allegato(i) Dettagli della specie
Ophonus (Metophonus) puncticeps Stephens, 1828
Carabidae


4.IX.2011 - ITALIA - Sardegna - CA
Coleoptera

wgliinsetti

2

341

24/11/2021, 19:03

wgliinsetti Vedi ultimo messaggio

Nessun messaggio da leggere
Olisthopus fuscatus Dejean, 1828 - Carabidae
IX.2010 - ITALIA - Sardegna - CA
Allegato(i) Dettagli della specie
Olisthopus fuscatus Dejean, 1828
Carabidae


IX.2010 - ITALIA - Sardegna - CA
Coleoptera

wgliinsetti

5

460

24/11/2021, 18:30

wgliinsetti Vedi ultimo messaggio

Nessun messaggio da leggere
Sphaerotachys hoemorrhoidalis (Ponza, 1805) - Carabidae
10.VIII.2021 - ITALIA - Lazio - RM
Allegato(i) Dettagli della specie
Sphaerotachys hoemorrhoidalis (Ponza, 1805)
Carabidae


10.VIII.2021 - ITALIA - Lazio - RM
Coleoptera

wgliinsetti

2

321

17/11/2021, 16:03

wgliinsetti Vedi ultimo messaggio

Nessun messaggio da leggere
Allegato(i) Dettagli della specie
Platyderus (Platyderus) neapolitanus (Reiche, 1855)
Carabidae


13.VI.2021 - ITALIA - Lazio - RI
Coleoptera

Robant

2

427

15/11/2021, 1:11

Robant Vedi ultimo messaggio

Nessun messaggio da leggere
Allegato(i) Dettagli della specie
Bembidion (Bembidionetolitzkya) geniculatum geniculatum Heer, 1837
Carabidae


2.VIII.2020 - ITALIA - Toscana - FI
Coleoptera

Stefano79

3

664

08/11/2021, 16:38

Stefano79 Vedi ultimo messaggio

Nessun messaggio da leggere
Allegato(i) Dettagli della specie
Anisodactylus (Anisodactylus) binotatus (Fabricius, 1787)
Carabidae


25.IV.2021 - ITALIA - Lombardia - MN
Coleoptera

Antonio Umberto

6

824

07/11/2021, 12:25

ricdoc57 Vedi ultimo messaggio

Nessun messaggio da leggere
Allegato(i) Dettagli della specie
Acupalpus (Acupalpus) meridianus (Linnaeus, 1761)
Carabidae


26.IV.2021 - ITALIA - Marche - AN
Coleoptera

StagBeetle

2

500

03/11/2021, 17:45

gomphus Vedi ultimo messaggio

Nessun messaggio da leggere
Pterostichus (Pterostichus) fasciatopunctatus (Creutzer, 1799) - Carabidae
14.VIII.2021 - ITALIA - Friuli-Venezia Giulia - UD
Allegato(i) Dettagli della specie
Pterostichus (Pterostichus) fasciatopunctatus (Creutzer, 1799)
Carabidae


14.VIII.2021 - ITALIA - Friuli-Venezia Giulia - UD
Coleoptera

Michele A

3

645

02/11/2021, 20:11

Michele A Vedi ultimo messaggio

Nessun messaggio da leggere
Abax (Abacopercus) carinatus sulcatus A. Fiori, 1899 - Carabidae
21.VIII.2011 - ITALIA - Friuli-Venezia Giulia - UD
Allegato(i) Dettagli della specie
Abax (Abacopercus) carinatus sulcatus A. Fiori, 1899
Carabidae


21.VIII.2011 - ITALIA - Friuli-Venezia Giulia - UD
Coleoptera

Stefano79

8

2812

30/10/2021, 9:09

Notoxus59 Vedi ultimo messaggio

Nessun messaggio da leggere
Abax (Abacopercus) carinatus sulcatus A. Fiori, 1899 - Carabidae
11.X.2021 - ITALIA - Friuli-Venezia Giulia - UD
Allegato(i) Dettagli della specie
Abax (Abacopercus) carinatus sulcatus A. Fiori, 1899
Carabidae


11.X.2021 - ITALIA - Friuli-Venezia Giulia - UD
Coleoptera

Simox

1

878

30/10/2021, 9:02

Notoxus59 Vedi ultimo messaggio

Visualizza ultimi argomenti:  Ordina per  Ordine:  
nuovo argomento
Vai alla pagina Precedente  1 ... 4, 5, 6, 7, 8, 9, 10 ... 31  Prossimo
Pagina 7 di 31 [ 1517 argomenti ]

Tutti gli orari sono UTC + 1 ora [ ora legale ]


Chi c’è in linea

Visitano il forum: Nessuno e 4 ospiti


Legenda
Messaggi da leggere Messaggi da leggere Nessun messaggio da leggere Nessun messaggio da leggere Annuncio Annuncio
 
Specie indeterminata / discussione generica
Messaggi non letti [ Popolari ] Messaggi non letti [ Popolari ] Nessun messaggio da leggere [ Popolare ] Nessun messaggio da leggere [ Popolare ] Importante Importante
 
Specie determinata fino al genere o cf.
Messaggi non letti [ Bloccati ] Messaggi non letti [ Bloccati ] No messaggi non letti [ Bloccati ] No messaggi non letti [ Bloccati ] Argomento spostato Argomento spostato
 
Specie correttamente determinata
Permessi
Non puoi aprire nuovi argomenti
Non puoi rispondere negli argomenti
Non puoi modificare i tuoi messaggi
Non puoi cancellare i tuoi messaggi
Non puoi inviare allegati

Cerca per:
Vai a: