Benvenuto Ospite

Forum Entomologi Italiani

www.entomologiitaliani.net/forum
 
Oggi è 26/10/2025, 13:20

Tutti gli orari sono UTC + 1 ora [ ora legale ]

 Forum   Argomenti   Messaggi   Ultimo messaggio 
Nessun messaggio da leggere
Filtro località
Carabidae indeterminati

906

4124

10/09/2025, 12:26

pietro lo cascio Vedi ultimo messaggio




 
nessun taxon determinato correttamente in questo archivio

Carabidae


[ AFROTROPICALE ] [ ANTARTICO ] [ AUSTRALASIANO ] [ NEARTICO ] [ NEOTROPICALE ] [ ORIENTALE ] [ PALEARTICO ]


nuovo argomento
Vai alla pagina Precedente  1 ... 4, 5, 6, 7, 8, 9, 10 ... 79  Prossimo
Pagina 7 di 79 [ 3922 argomenti ]
 Argomenti   Ordine   Autore   Risposte   Visite    Ultimo messaggio 
Annunci
Nessun messaggio da leggere
Allegato(i)
Incontri entomologici telematici organizzati dalla Società Entomologica Italiana nel 2022 e nel 2023

[ Vai alla paginaVai alla pagina: 1, 2, 3 ]

 

Velvet Ant

44

1370320

03/03/2023, 15:55

Velvet Ant Vedi ultimo messaggio

Nessun messaggio da leggere  
Allegato(i)
Sondaggio sul declino dell'entomofauna in Italia

[ Vai alla paginaVai alla pagina: 1, 2, 3, 4 ]

 

Velvet Ant

52

1686503

22/10/2022, 19:18

Acquarius Vedi ultimo messaggio

Nessun messaggio da leggere  
Allegato(i)
Progetto: Bibliografia ragionata dei lavori entomologici nei quali sono citati reperti apparsi su FEI

[ Vai alla paginaVai alla pagina: 1, 2, 3 ]

 

Velvet Ant

33

1127017

06/07/2023, 18:31

Orotrechus Vedi ultimo messaggio

Nessun messaggio da leggere
Allegato(i)
Mimesi, il primo documentario cinematografico sull’entomologia in Italia: casting
 

mazzeip

1

445933

28/02/2019, 20:26

mazzeip Vedi ultimo messaggio

Questo argomento è bloccato, non puoi modificare o inviare ulteriori messaggi.
Allegato(i)
ISTRUZIONI PUBBLICAZIONE NUOVI ARGOMENTI E FOTO

 
Altri Ordini di Insetti

Julodis

4

790987

13/05/2015, 19:37

Julodis Vedi ultimo messaggio

Nessun messaggio da leggere
Allegato(i)
Limitatore giornaliero di messaggi, uno strumento utile e ormai indispensabile

[ Vai alla paginaVai alla pagina: 1 ... 14, 15, 16 ]

 

Velvet Ant

233

8369249

25/09/2014, 14:31

Inachis Vedi ultimo messaggio

Nessun messaggio da leggere  
NORME PER I COLLABORATORI DEL FORUM

 
 

Velvet Ant

0

472611

02/06/2011, 12:05

Velvet Ant Vedi ultimo messaggio

Nessun messaggio da leggere
Allegato(i)
NORME PER GLI UTENTI DEL FORUM

[ Vai alla paginaVai alla pagina: 1, 2, 3 ]



 
 

Velvet Ant

30

2303655

23/09/2014, 23:54

Maurizio Bollino Vedi ultimo messaggio

Nessun messaggio da leggere  
Lista degli utenti del "Forum entomologi italiani" per campi di interesse e specializzazione

 
Altri Ordini di Insetti

Velvet Ant

13

928699

07/09/2023, 17:14

Roberto-07 Vedi ultimo messaggio

Argomenti
Nessun messaggio da leggere
Allegato(i)
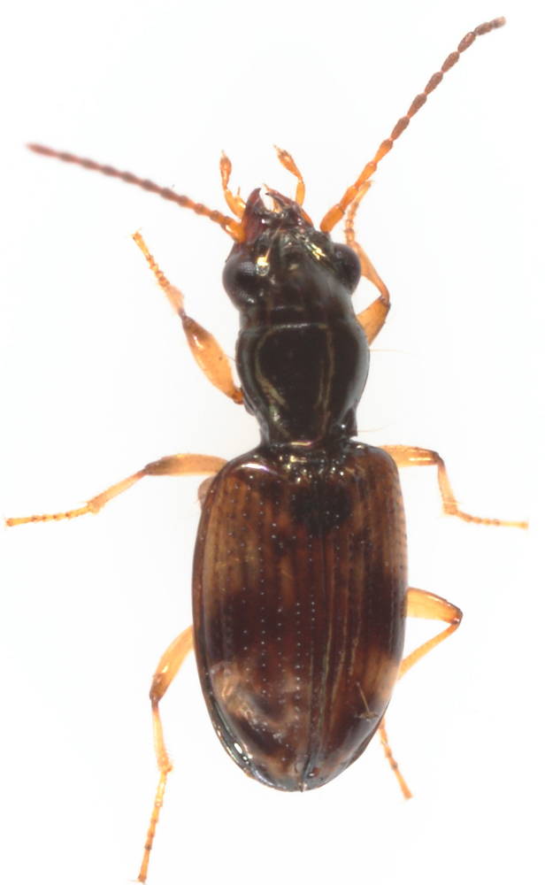
Asaphidion austriacum (Schweiger, 1975) - Carabidae, Trechinae, Bembidiina

13.III.2020 - ITALIA - Piemonte - TO
Coleoptera

37formichine

12

3208

08/05/2020, 19:39

37formichine Vedi ultimo messaggio

Nessun messaggio da leggere
Allegato(i)
Zabrus (Zabrus) tenebrioides (Goeze, 1777) - Carabidae, Pterostichinae, Zabrini

28.IX.1979 - ITALIA - Emilia-Romagna - FC
Coleoptera

Semanotus

6

1371

04/05/2020, 21:01

Semanotus Vedi ultimo messaggio

Nessun messaggio da leggere
Allegato(i)
Microlestes luctuosus Holdhaus in Apfelbeck, 1904 (cf.) - Carabidae

17.IV.2020 - ITALIA - Sardegna - CA
Coleoptera

Fumea crassiorella

2

539

24/04/2020, 19:13

Fumea crassiorella Vedi ultimo messaggio

Nessun messaggio da leggere
Acupalpus (Ancylostria) mediterraneus Csiki, 1932 - Carabidae
28.VI.2019 - ITALIA - Sicilia - AG
Allegato(i)
Acupalpus (Ancylostria) mediterraneus Csiki, 1932 - Carabidae

28.VI.2019 - ITALIA - Sicilia - AG
Coleoptera

Chalybion

0

715

24/04/2020, 12:14

Chalybion Vedi ultimo messaggio

Nessun messaggio da leggere
Pterostichus (Platypterus) truncatus (Dejean, 1828) - Carabidae
14.VI.2014 - ITALIA - Piemonte - CN
Allegato(i)
Pterostichus (Platypterus) truncatus (Dejean, 1828) - Carabidae

14.VI.2014 - ITALIA - Piemonte - CN
Coleoptera

checcapitipiti

3

1036

23/04/2020, 20:00

checcapitipiti Vedi ultimo messaggio

Nessun messaggio da leggere
Pterostichus (Pterostichus) micans Heer, 1841 - Carabidae
12.V.2018 - ITALIA - Toscana - MS
Allegato(i)
Pterostichus (Pterostichus) micans Heer, 1841 - Carabidae

12.V.2018 - ITALIA - Toscana - MS
Coleoptera

Francesco92

2

870

23/04/2020, 19:55

Francesco92 Vedi ultimo messaggio

Nessun messaggio da leggere
Acupalpus (Ancylostria) mediterraneus Csiki, 1932 - Carabidae
28.VI.2019 - ITALIA - Sicilia - AG
Allegato(i)
Acupalpus (Ancylostria) mediterraneus Csiki, 1932 - Carabidae

28.VI.2019 - ITALIA - Sicilia - AG
Coleoptera

Chalybion

5

1526

23/04/2020, 12:40

Chalybion Vedi ultimo messaggio

Nessun messaggio da leggere
Allegato(i)
Ocydromus (Ocydromus) decorus (Pazer, 1799) - Carabidae Trechinae Bembidiini Bembidiina

10.VI.2019 - ITALIA - Toscana - MS
Coleoptera

Francesco92

2

762

20/04/2020, 20:07

Francesco92 Vedi ultimo messaggio

Nessun messaggio da leggere
Allegato(i)
Pterostichus (Platypterus) truncatus dilatatus Deville, 1902 - Carabidae

19.VI.1972 - ITALIA - Piemonte - CN
Coleoptera

Fabio62

3

1117

13/04/2020, 19:36

Fabio62 Vedi ultimo messaggio

Nessun messaggio da leggere
Phyla tethys (Netolitzky, 1926) - Carabidae
15.V.1979 - ITALIA - Sardegna - NU
Allegato(i)
Phyla tethys (Netolitzky, 1926) - Carabidae

15.V.1979 - ITALIA - Sardegna - NU
Coleoptera

Fabio62

5

1349

12/04/2020, 21:48

Fabio62 Vedi ultimo messaggio

Nessun messaggio da leggere
Porotachys bisulcatus (Nicolai, 1822) - Carabidae
15.V.1979 - ITALIA - Sardegna - NU
Allegato(i)
Porotachys bisulcatus (Nicolai, 1822) - Carabidae

15.V.1979 - ITALIA - Sardegna - NU
Coleoptera

Fabio62

4

1213

12/04/2020, 20:04

Fabio62 Vedi ultimo messaggio

Nessun messaggio da leggere
Allegato(i)
Stenolophus (Stenolophus) teutonus (Schrank, 1781) - Carabidae

5.III.2020 - ITALIA - Lazio - RM
Coleoptera

soken

5

1655

11/04/2020, 0:39

soken Vedi ultimo messaggio

Nessun messaggio da leggere
Masoreus aegyptiacus Dejean, 1828 - Carabidae
28.VI.1989 - ITALIA - Sicilia - AG
Allegato(i)
Masoreus aegyptiacus Dejean, 1828 - Carabidae

28.VI.1989 - ITALIA - Sicilia - AG
Coleoptera

Fabio62

2

882

10/04/2020, 19:35

Fabio62 Vedi ultimo messaggio

Nessun messaggio da leggere
Agonum (Agonum) nigrum Dejean, 1828 (cf.) - Carabidae
16.III.2020 - ITALIA - Toscana - PI
Allegato(i)
Agonum (Agonum) nigrum Dejean, 1828 (cf.) - Carabidae

16.III.2020 - ITALIA - Toscana - PI
Coleoptera

Stefano79

2

1023

08/04/2020, 17:18

Stefano79 Vedi ultimo messaggio

Nessun messaggio da leggere
Metallina lampros (Herbst, 1784) - Carabidae
26.VII.1981 - ITALIA - Trentino-Alto Adige - TN
Allegato(i)
Metallina lampros (Herbst, 1784) - Carabidae

26.VII.1981 - ITALIA - Trentino-Alto Adige - TN
Coleoptera

Fabio62

8

2015

08/04/2020, 16:15

Fabio62 Vedi ultimo messaggio

Nessun messaggio da leggere
Allegato(i)
Harpalus (Harpalus) distinguendus (Duftschmid, 1812) - Carabidae

27.X.2019 - ITALIA - Toscana - PI
Coleoptera

Stefano79

2

856

06/04/2020, 10:42

Stefano79 Vedi ultimo messaggio

Nessun messaggio da leggere
Oedesis villosulus (Reiche, 1860) - Carabidae
28.VI.2019 - ITALIA - Sicilia - AG
Allegato(i)
Oedesis villosulus (Reiche, 1860) - Carabidae

28.VI.2019 - ITALIA - Sicilia - AG
Coleoptera

Chalybion

2

706

05/04/2020, 18:39

Chalybion Vedi ultimo messaggio

Nessun messaggio da leggere
Allegato(i)
Pseudoophonus (Pseudoophonus) rufipes (De Geer, 1774) - Carabidae Harpalinae

23.VIII.2019 - ITALIA - Emilia-Romagna - BO
Coleoptera

emmebix

4

1241

03/04/2020, 22:09

gomphus Vedi ultimo messaggio

Nessun messaggio da leggere
Allegato(i)
Carabus (Limnocarabus) clathratus antonellii Luigioni, 1921 - Carabidae

[ Vai alla paginaVai alla pagina: 1, 2 ]



20.XII.1994 - ITALIA - Toscana - PT
Coleoptera

Percus_paykulli

28

6827

03/04/2020, 21:25

Honza Vedi ultimo messaggio

Nessun messaggio da leggere
Allegato(i)
Laemostenus (Pristonychus) algerinus algerinus (Gory, 1833) - Carabidae

27.III.2020 - ITALIA - Toscana - PI
Coleoptera

Stefano79

6

1653

03/04/2020, 15:52

eurinomio Vedi ultimo messaggio

Nessun messaggio da leggere
Laemostenus (Laemostenus) complanatus (Dejean, 1828) - Carabidae
28.XII.2010 - ITALIA - Sardegna - CA
Allegato(i)
Laemostenus (Laemostenus) complanatus (Dejean, 1828) - Carabidae

28.XII.2010 - ITALIA - Sardegna - CA
Coleoptera

Stefano79

3

1094

03/04/2020, 12:35

Stefano79 Vedi ultimo messaggio

Nessun messaggio da leggere
Nebria (Nebria) brevicollis (Fabricius, 1792) - Carabidae
30.III.2020 - ITALIA - Toscana - MS
Allegato(i)
Nebria (Nebria) brevicollis (Fabricius, 1792) - Carabidae

30.III.2020 - ITALIA - Toscana - MS
Coleoptera

Francesco92

2

787

31/03/2020, 19:41

Francesco92 Vedi ultimo messaggio

Nessun messaggio da leggere
Ditomus clypeatus (Rossi, 1790) - Carabidae
28.VIII.2019 - ITALIA - Lazio - RM
Allegato(i)
Ditomus clypeatus (Rossi, 1790) - Carabidae

28.VIII.2019 - ITALIA - Lazio - RM
Coleoptera

Rothari

6

1368

31/03/2020, 11:30

gomphus Vedi ultimo messaggio

Nessun messaggio da leggere
Agonum (Olisares) sexpunctatum (Linnaeus, 1758) - Carabidae
VII.2001 - ITALIA - Piemonte - TO
Allegato(i)
Agonum (Olisares) sexpunctatum (Linnaeus, 1758) - Carabidae

VII.2001 - ITALIA - Piemonte - TO
Coleoptera

checcapitipiti

2

999

29/03/2020, 21:00

checcapitipiti Vedi ultimo messaggio

Nessun messaggio da leggere
Harpalus (Harpalus) distinguendus (Duftschmid, 1812) - Carabidae
19.III.2020 - ITALIA - Lombardia - LC
Allegato(i)
Harpalus (Harpalus) distinguendus (Duftschmid, 1812) - Carabidae

19.III.2020 - ITALIA - Lombardia - LC
Coleoptera

silviana

4

1368

23/03/2020, 9:59

silviana Vedi ultimo messaggio

Nessun messaggio da leggere
Allegato(i)
Pterostichus (Oreophilus) externepunctatus (Dejean, 1828) - Carabidae

VIII.2007 - ITALIA - Piemonte - TO
Coleoptera

checcapitipiti

2

1027

20/03/2020, 12:32

checcapitipiti Vedi ultimo messaggio

Nessun messaggio da leggere
Calathus (Calathus) montivagus Dejean, 1831 - Carabidae
17.V.2017 - ITALIA - Sicilia - CT
Allegato(i)
Calathus (Calathus) montivagus Dejean, 1831 - Carabidae

17.V.2017 - ITALIA - Sicilia - CT
Coleoptera

Rothari

1

2063

08/03/2020, 23:07

Mattia D'Amato Vedi ultimo messaggio

Nessun messaggio da leggere
Trepanes (Trepanes) articulatus (Panzer, 1796) - Carabidae
3.III.2020 - ITALIA - Lombardia - CO
Allegato(i)
Trepanes (Trepanes) articulatus (Panzer, 1796) - Carabidae

3.III.2020 - ITALIA - Lombardia - CO
Coleoptera

fasmidi

2

1988

07/03/2020, 8:37

fasmidi Vedi ultimo messaggio

Nessun messaggio da leggere
Acupalpus meridianus (Linnaeus, 1761) - Carabidae
20.II.2020 - ITALIA - Toscana - GR
Allegato(i)
Acupalpus meridianus (Linnaeus, 1761) - Carabidae

20.II.2020 - ITALIA - Toscana - GR
Coleoptera

Apoderus

5

1831

03/03/2020, 12:55

Apoderus Vedi ultimo messaggio

Nessun messaggio da leggere
Allegato(i)
Parophonus (Parophonus) mendax (P. Rossi, 1790) - Carabidae

III.2015 - ITALIA - Veneto - VI
Coleoptera

Rothari

3

1461

03/03/2020, 12:37

ricdoc57 Vedi ultimo messaggio

Nessun messaggio da leggere
Allegato(i)
Harpalus (Semiophonus) signaticornis (Duftschmid, 1812) - Carabidae

29.V.2004 - ITALIA - Lombardia - CR
Coleoptera

Adriana49

6

1838

03/03/2020, 12:35

ricdoc57 Vedi ultimo messaggio

Nessun messaggio da leggere
Carabus (Eucarabus) italicus Dejean, 1826 - Carabidae
28.II.2020 - ITALIA - Lombardia - SO
Allegato(i)
Carabus (Eucarabus) italicus Dejean, 1826 - Carabidae

28.II.2020 - ITALIA - Lombardia - SO
Coleoptera

marsal

13

2441

02/03/2020, 18:27

fabry80 Vedi ultimo messaggio

Nessun messaggio da leggere
Notaphus (Notaphus) varius (Olivier, 1795) - Carabidae
3.VIII.2011 - ITALIA - Lombardia - MN
Allegato(i)
Notaphus (Notaphus) varius (Olivier, 1795) - Carabidae

3.VIII.2011 - ITALIA - Lombardia - MN
Coleoptera

StagBeetle

0

2506

18/02/2020, 22:57

StagBeetle Vedi ultimo messaggio

Nessun messaggio da leggere
Ocydromus (Euperyphus) fulvipes (Sturm, 1827) - Carabidae
1.VIII.2011 - ITALIA - Friuli-Venezia Giulia - UD
Allegato(i)
Ocydromus (Euperyphus) fulvipes (Sturm, 1827) - Carabidae

1.VIII.2011 - ITALIA - Friuli-Venezia Giulia - UD
Coleoptera

StagBeetle

0

1703

17/02/2020, 22:57

StagBeetle Vedi ultimo messaggio

Nessun messaggio da leggere
Nebria (Oreonebria) macrodera K. Daniel, 1903 - Carabidae
20.IX.2009 - ITALIA - Emilia-Romagna - PR
Allegato(i)
Nebria (Oreonebria) macrodera K. Daniel, 1903 - Carabidae

20.IX.2009 - ITALIA - Emilia-Romagna - PR
Coleoptera

Adriana49

2

973

16/02/2020, 20:54

Adriana49 Vedi ultimo messaggio

Nessun messaggio da leggere
Trechus (Trechus) quadristriatus (Schrank, 1781) - Carabidae
30.V.2015 - ITALIA - Lombardia - CR
Allegato(i)
Trechus (Trechus) quadristriatus (Schrank, 1781) - Carabidae

30.V.2015 - ITALIA - Lombardia - CR
Coleoptera

Adriana49

4

1041

16/02/2020, 17:00

Adriana49 Vedi ultimo messaggio

Nessun messaggio da leggere
Harpalus (Harpalus) atratus Latreille, 1804 - Carabidae
6.VIII.2005 - ITALIA - Lombardia - BG
Allegato(i)
Harpalus (Harpalus) atratus Latreille, 1804 - Carabidae

6.VIII.2005 - ITALIA - Lombardia - BG
Coleoptera

Adriana49

2

932

15/02/2020, 17:20

Adriana49 Vedi ultimo messaggio

Nessun messaggio da leggere
Paranchus albipes (Fabricius, 1796) - Carabidae
15.IV.2016 - ITALIA - Lombardia - CR
Allegato(i)
Paranchus albipes (Fabricius, 1796) - Carabidae

15.IV.2016 - ITALIA - Lombardia - CR
Coleoptera

Adriana49

2

931

14/02/2020, 8:46

Adriana49 Vedi ultimo messaggio

Nessun messaggio da leggere
Allegato(i)
Anisodactylus (Pseudanisodactylus) signatus (Panzer, 1796) - Carabidae

30.VII.2004 - ITALIA - Lombardia - CR
Coleoptera

Adriana49

2

1124

14/02/2020, 8:34

Adriana49 Vedi ultimo messaggio

Nessun messaggio da leggere
Chaenius chrysocephalus (Rossi,1790) (cf.) - Carabidae
9.XII.2018 - ITALIA - Puglia - LE
Allegato(i)
Chaenius chrysocephalus (Rossi,1790) (cf.) - Carabidae

9.XII.2018 - ITALIA - Puglia - LE
Coleoptera

Charaxes

2

968

10/02/2020, 11:32

Charaxes Vedi ultimo messaggio

Nessun messaggio da leggere
Allegato(i)
Trichotichnus (Trichotichnus) laevicollis (Duftschmid, 1812) - Carabidae

8.VIII.2010 - ITALIA - Lombardia - SO
Coleoptera

Adriana49

2

939

09/02/2020, 19:02

Adriana49 Vedi ultimo messaggio

Nessun messaggio da leggere
Harpalus (Harpalus) subcylindricus Dejean, 1829 - Carabidae
17.III.2014 - ITALIA - Lombardia - CR
Allegato(i)
Harpalus (Harpalus) subcylindricus Dejean, 1829 - Carabidae

17.III.2014 - ITALIA - Lombardia - CR
Coleoptera

Adriana49

2

934

09/02/2020, 18:54

Adriana49 Vedi ultimo messaggio

Nessun messaggio da leggere
Harpalus (Harpalus) distinguendus (Duftschmid, 1812) - Carabidae
14.III.2014 - ITALIA - Lombardia - CR
Allegato(i)
Harpalus (Harpalus) distinguendus (Duftschmid, 1812) - Carabidae

14.III.2014 - ITALIA - Lombardia - CR
Coleoptera

Adriana49

2

1020

08/02/2020, 9:12

Adriana49 Vedi ultimo messaggio

Nessun messaggio da leggere
Harpalus (Harpalus) sulphuripes Germar, 1824 (cf.) - Carabidae
10.IX.2019 - ITALIA - Campania - SA
Allegato(i)
Harpalus (Harpalus) sulphuripes Germar, 1824 (cf.) - Carabidae

10.IX.2019 - ITALIA - Campania - SA
Coleoptera

Mattia D'Amato

3

991

06/02/2020, 18:01

Notoxus59 Vedi ultimo messaggio

Nessun messaggio da leggere
Harpalus (Harpalus) tardus (Panzer, 1797) - Carabidae
10.IX.2019 - ITALIA - Campania - SA
Allegato(i)
Harpalus (Harpalus) tardus (Panzer, 1797) - Carabidae

10.IX.2019 - ITALIA - Campania - SA
Coleoptera

Mattia D'Amato

4

988

06/02/2020, 18:00

Notoxus59 Vedi ultimo messaggio

Nessun messaggio da leggere
Harpalus (Harpalus) affinis (Schrank, 1781) - Carabidae
30.IV.2015 - ITALIA - Lombardia - CR
Allegato(i)
Harpalus (Harpalus) affinis (Schrank, 1781) - Carabidae

30.IV.2015 - ITALIA - Lombardia - CR
Coleoptera

Adriana49

3

867

06/02/2020, 17:54

Notoxus59 Vedi ultimo messaggio

Nessun messaggio da leggere
Allegato(i)
Pterostichus (Pseudomaseus) anthracinus hespericus (Bucciarelli & Sopracordevole, 1958) - Carabidae

3.I.2010 - ITALIA - Toscana - LU
Coleoptera

Adriana49

7

1121

06/02/2020, 17:52

Notoxus59 Vedi ultimo messaggio

Nessun messaggio da leggere
Harpalus (Harpalus) sulphuripes Germar, 1824 - Carabidae
10.IX.2019 - ITALIA - Campania - SA
Allegato(i)
Harpalus (Harpalus) sulphuripes Germar, 1824 - Carabidae

10.IX.2019 - ITALIA - Campania - SA
Coleoptera

Mattia D'Amato

2

737

05/02/2020, 23:04

Mattia D'Amato Vedi ultimo messaggio

Nessun messaggio da leggere
Allegato(i)
Pterostichus (Platysma) niger niger (Schaller, 1783) - Carabidae

10.X.2019 - ITALIA - Lazio - RM
Coleoptera

soken

2

794

03/02/2020, 23:29

soken Vedi ultimo messaggio

Nessun messaggio da leggere
Demetrias (Demetrias) atricapillus (Linnaeus, 1758) - Carabidae
4.VII.2019 - ITALIA - Lombardia - BS
Allegato(i)
Demetrias (Demetrias) atricapillus (Linnaeus, 1758) - Carabidae

4.VII.2019 - ITALIA - Lombardia - BS
Coleoptera

Livio

2

719

02/02/2020, 22:09

Livio Vedi ultimo messaggio

Visualizza ultimi argomenti:  Ordina per  Ordine:  
nuovo argomento
Vai alla pagina Precedente  1 ... 4, 5, 6, 7, 8, 9, 10 ... 79  Prossimo
Pagina 7 di 79 [ 3922 argomenti ]

Tutti gli orari sono UTC + 1 ora [ ora legale ]


Chi c’è in linea

Visitano il forum: Nessuno e 4 ospiti


Legenda
Messaggi da leggere Messaggi da leggere Nessun messaggio da leggere Nessun messaggio da leggere Annuncio Annuncio
 
Specie indeterminata / discussione generica
Messaggi non letti [ Popolari ] Messaggi non letti [ Popolari ] Nessun messaggio da leggere [ Popolare ] Nessun messaggio da leggere [ Popolare ] Importante Importante
 
Specie determinata fino al genere o cf.
Messaggi non letti [ Bloccati ] Messaggi non letti [ Bloccati ] No messaggi non letti [ Bloccati ] No messaggi non letti [ Bloccati ] Argomento spostato Argomento spostato
 
Specie correttamente determinata
Permessi
Non puoi aprire nuovi argomenti
Non puoi rispondere negli argomenti
Non puoi modificare i tuoi messaggi
Non puoi cancellare i tuoi messaggi
Non puoi inviare allegati

Cerca per:
Vai a: