Benvenuto Ospite

Forum Entomologi Italiani

www.entomologiitaliani.net/forum
 
Oggi è 27/10/2025, 11:42

Tutti gli orari sono UTC + 1 ora [ ora legale ]

 Forum   Argomenti   Messaggi   Ultimo messaggio 
Nessun messaggio da leggere
Filtro località
Carabidae indeterminati

906

4124

10/09/2025, 12:26

pietro lo cascio Vedi ultimo messaggio




 
nessun taxon determinato correttamente in questo archivio

Carabidae


[ AFROTROPICALE ] [ ANTARTICO ] [ AUSTRALASIANO ] [ NEARTICO ] [ NEOTROPICALE ] [ ORIENTALE ] [ PALEARTICO ]


nuovo argomento
Vai alla pagina Precedente  1 ... 59, 60, 61, 62, 63, 64, 65 ... 79  Prossimo
Pagina 62 di 79 [ 3922 argomenti ]
 Argomenti   Ordine   Autore   Risposte   Visite    Ultimo messaggio 
Annunci
Nessun messaggio da leggere
Allegato(i)
Incontri entomologici telematici organizzati dalla Società Entomologica Italiana nel 2022 e nel 2023

[ Vai alla paginaVai alla pagina: 1, 2, 3 ]

 

Velvet Ant

44

1380526

03/03/2023, 15:55

Velvet Ant Vedi ultimo messaggio

Nessun messaggio da leggere  
Allegato(i)
Sondaggio sul declino dell'entomofauna in Italia

[ Vai alla paginaVai alla pagina: 1, 2, 3, 4 ]

 

Velvet Ant

52

1700853

22/10/2022, 19:18

Acquarius Vedi ultimo messaggio

Nessun messaggio da leggere  
Allegato(i)
Progetto: Bibliografia ragionata dei lavori entomologici nei quali sono citati reperti apparsi su FEI

[ Vai alla paginaVai alla pagina: 1, 2, 3 ]

 

Velvet Ant

33

1133456

06/07/2023, 18:31

Orotrechus Vedi ultimo messaggio

Nessun messaggio da leggere
Allegato(i)
Mimesi, il primo documentario cinematografico sull’entomologia in Italia: casting
 

mazzeip

1

448653

28/02/2019, 20:26

mazzeip Vedi ultimo messaggio

Questo argomento è bloccato, non puoi modificare o inviare ulteriori messaggi.
Allegato(i)
ISTRUZIONI PUBBLICAZIONE NUOVI ARGOMENTI E FOTO

 
Altri Ordini di Insetti

Julodis

4

797364

13/05/2015, 19:37

Julodis Vedi ultimo messaggio

Nessun messaggio da leggere
Allegato(i)
Limitatore giornaliero di messaggi, uno strumento utile e ormai indispensabile

[ Vai alla paginaVai alla pagina: 1 ... 14, 15, 16 ]

 

Velvet Ant

233

8530407

25/09/2014, 14:31

Inachis Vedi ultimo messaggio

Nessun messaggio da leggere  
NORME PER I COLLABORATORI DEL FORUM

 
 

Velvet Ant

0

473668

02/06/2011, 12:05

Velvet Ant Vedi ultimo messaggio

Nessun messaggio da leggere
Allegato(i)
NORME PER GLI UTENTI DEL FORUM

[ Vai alla paginaVai alla pagina: 1, 2, 3 ]



 
 

Velvet Ant

30

2308909

23/09/2014, 23:54

Maurizio Bollino Vedi ultimo messaggio

Nessun messaggio da leggere  
Lista degli utenti del "Forum entomologi italiani" per campi di interesse e specializzazione

 
Altri Ordini di Insetti

Velvet Ant

13

929652

07/09/2023, 17:14

Roberto-07 Vedi ultimo messaggio

Argomenti
Nessun messaggio da leggere
Oedesis villosulus (Reiche, 1859) - Carabidae Toscana
9.IV.2011 - ITALIA - Toscana - GR
Allegato(i)
Oedesis villosulus (Reiche, 1859) - Carabidae Toscana

9.IV.2011 - ITALIA - Toscana - GR
Coleoptera

hypotyphlus

3

446

10/04/2011, 19:17

hypotyphlus Vedi ultimo messaggio

Nessun messaggio da leggere
Calathus (Neocalathus) cinctus Motschulsky, 1850 - Carabidae
8.IV.2011 - ITALIA - Sardegna - CA
Allegato(i)
Calathus (Neocalathus) cinctus Motschulsky, 1850 - Carabidae

8.IV.2011 - ITALIA - Sardegna - CA
Coleoptera

PierFrancescoMurgia

3

375

10/04/2011, 8:48

PierFrancescoMurgia Vedi ultimo messaggio

Nessun messaggio da leggere
Allegato(i)
Harpalus (Harpalus) attenuatus Stephens, 1828 (?) - Carabidae

7.IV.2011 - ITALIA - Lazio - LT
Coleoptera

ruzzpa

3

502

09/04/2011, 20:58

ruzzpa Vedi ultimo messaggio

Nessun messaggio da leggere
Paranchus albipes (Fabricius, 1796) - Carabidae
6.IV.2011 - ITALIA - Sardegna - CA
Allegato(i)
Paranchus albipes (Fabricius, 1796) - Carabidae

6.IV.2011 - ITALIA - Sardegna - CA
Coleoptera

Palaemonetes

6

822

09/04/2011, 18:53

Palaemonetes Vedi ultimo messaggio

Nessun messaggio da leggere
Nebria (Eunebria) psammodes (P. Rossi, 1792) - Carabidae
8.IV.2011 - ITALIA - Sicilia - PA
Allegato(i)
Nebria (Eunebria) psammodes (P. Rossi, 1792) - Carabidae

8.IV.2011 - ITALIA - Sicilia - PA
Coleoptera

carabus

4

854

09/04/2011, 16:30

Anillus Vedi ultimo messaggio

Nessun messaggio da leggere
Paranchus albipes (Fabricius, 1796) - Carabidae
8.IV.2011 - ITALIA - Sicilia - PA
Allegato(i)
Paranchus albipes (Fabricius, 1796) - Carabidae

8.IV.2011 - ITALIA - Sicilia - PA
Coleoptera

carabus

1

512

09/04/2011, 11:03

aug Vedi ultimo messaggio

Nessun messaggio da leggere
Tachyura (Tachyura) curvimana (Wollaston, 1854) - Carabidae
6.IV.2011 - ITALIA - Sardegna - CI
Allegato(i)
Tachyura (Tachyura) curvimana (Wollaston, 1854) - Carabidae

6.IV.2011 - ITALIA - Sardegna - CI
Coleoptera

Fumea crassiorella

2

938

08/04/2011, 23:54

Fumea crassiorella Vedi ultimo messaggio

Nessun messaggio da leggere
Allegato(i)
Anisodactylus (Pseudanisodactylus) signatus (Panzer, 1796) - Carabidae

2.III.2011 - ITALIA - Veneto - VE
Coleoptera

Effe Esse

6

743

08/04/2011, 16:50

gomphus Vedi ultimo messaggio

Nessun messaggio da leggere
Allegato(i)
Pterostichus (Pseudomaseus) cf. anthracinus hespericus (Bucciarelli & Sopracordevole, 1958) - Carabidae

14.III.2011 - ITALIA - Veneto - VE
Coleoptera

Effe Esse

6

522

08/04/2011, 16:18

Effe Esse Vedi ultimo messaggio

Nessun messaggio da leggere
Lophyra (Lophyra) flexuosa sardea Dejean, 1831 - Carabidae
7.IV.2011 - ITALIA - Sardegna - SS
Allegato(i)
Lophyra (Lophyra) flexuosa sardea Dejean, 1831 - Carabidae

7.IV.2011 - ITALIA - Sardegna - SS
Coleoptera

Pietro Niolu

3

361

07/04/2011, 21:27

elleelle Vedi ultimo messaggio

Nessun messaggio da leggere
Allegato(i)
Parophonus (Ophonomimus) hirsutulus (Dejean, 1829) - Carabidae

20.II.2011 - ITALIA - Veneto - VE
Coleoptera

Effe Esse

1

403

07/04/2011, 21:25

gabrif Vedi ultimo messaggio

Nessun messaggio da leggere
Allegato(i)
Parophonus (Parophonus) maculicornis (Duftschmid, 1812) - Carabidae

10.II.2011 - ITALIA - Veneto - VE
Coleoptera

Effe Esse

1

421

07/04/2011, 21:22

gabrif Vedi ultimo messaggio

Nessun messaggio da leggere
Allegato(i)
Cicindela (Cicindela) hybrida transversalis Dejean in Latreille & Dejean, 1822 ?? - Carabidae Cicindelinae

4.IV.2011 - ITALIA - Emilia-Romagna - BO
Coleoptera

Gian Luca Agnoli

8

1538

06/04/2011, 12:18

clido Vedi ultimo messaggio

Nessun messaggio da leggere
Harpalus (Harpalus) dimidiatus (Rossi, 1790) - Carabidae
3.IV.2011 - ITALIA - Emilia-Romagna - RE
Allegato(i)
Harpalus (Harpalus) dimidiatus (Rossi, 1790) - Carabidae

3.IV.2011 - ITALIA - Emilia-Romagna - RE
Coleoptera

Mikiphasmide

3

618

06/04/2011, 8:22

magosti Vedi ultimo messaggio

Nessun messaggio da leggere
Allegato(i)
Anchomenus (Anchomenus) dorsalis (Pontoppidan, 1763) - Carabidae

10.X.2010 - ITALIA - Lazio - RM
Coleoptera

Broc

1

531

05/04/2011, 19:13

alexaandru Vedi ultimo messaggio

Nessun messaggio da leggere
Allegato(i)
Pterostichus (Phonias) cf. strenuus (Panzer, 1796) - Carabidae

10.II.2011 - ITALIA - Veneto - VE
Coleoptera

Effe Esse

5

981

04/04/2011, 20:36

Effe Esse Vedi ultimo messaggio

Nessun messaggio da leggere
Amara (Amara) aenea (De Geer, 1774) - Carabidae
10.II.2011 - ITALIA - Veneto - VE
Allegato(i)
Amara (Amara) aenea (De Geer, 1774) - Carabidae

10.II.2011 - ITALIA - Veneto - VE
Coleoptera

Effe Esse

2

512

04/04/2011, 11:56

Effe Esse Vedi ultimo messaggio

Nessun messaggio da leggere
Zuphium (Zuphium) olens (P. Rossi, 1790) - Carabidae
31.III.2011 - ITALIA - Lazio - RM
Allegato(i)
Zuphium (Zuphium) olens (P. Rossi, 1790) - Carabidae

31.III.2011 - ITALIA - Lazio - RM
Coleoptera

elleelle

3

625

03/04/2011, 0:47

elleelle Vedi ultimo messaggio

Nessun messaggio da leggere
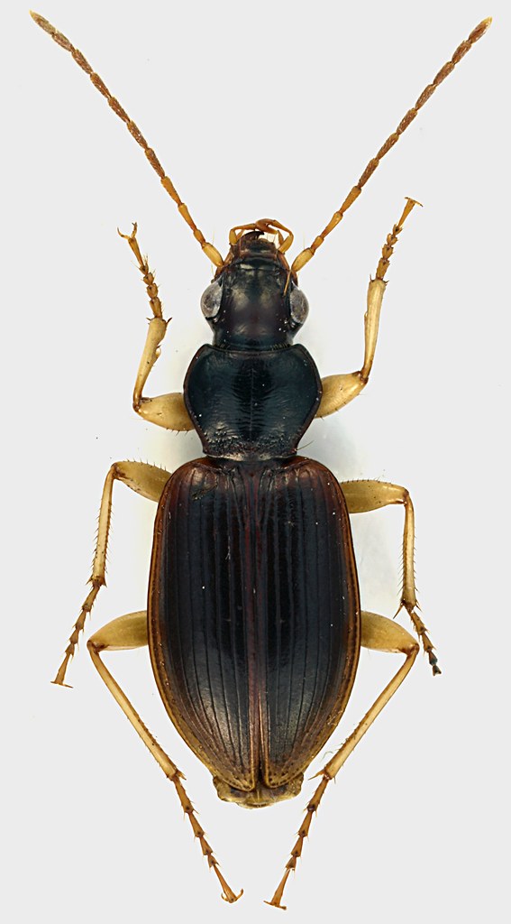
Paranchus albipes (Fabricius, 1796) - Platyninae, Platynini
17.III.2011 - ITALIA - Lazio - RM
Allegato(i)
Paranchus albipes (Fabricius, 1796) - Platyninae, Platynini

17.III.2011 - ITALIA - Lazio - RM
Coleoptera

Julodis

7

801

02/04/2011, 16:52

Orotrechus Vedi ultimo messaggio

Nessun messaggio da leggere
Allegato(i)
Anchomenus (Anchomenus) dorsalis (Pontoppidan, 1763) - Carabidae

21.II.2011 - ITALIA - Veneto - VE
Coleoptera

Effe Esse

1

435

02/04/2011, 11:03

gabrif Vedi ultimo messaggio

Nessun messaggio da leggere
Allegato(i)
Ocydromus (Peryphanes) deletus deletus (Audinet-Serville, 1821) - Carabidae

26.III.2011 - ITALIA - Lombardia - BS
Coleoptera

magosti

3

442

02/04/2011, 3:20

eurinomio Vedi ultimo messaggio

Nessun messaggio da leggere
Laemostenus algerinus - Carabidae
1.I.2011 - ITALIA - Sicilia - PA
Allegato(i)
Laemostenus algerinus - Carabidae

1.I.2011 - ITALIA - Sicilia - PA
Coleoptera

carabus

1

340

01/04/2011, 20:58

gabrif Vedi ultimo messaggio

Nessun messaggio da leggere
Allegato(i)
Harpalus (Harpalus) tardus (Panzer 1797) - Carabidae - Insetti della città di Roma

30.III.2011 - ITALIA - Lazio - RM
Coleoptera

Julodis

2

379

01/04/2011, 0:26

Julodis Vedi ultimo messaggio

Nessun messaggio da leggere
Allegato(i) Dettagli della specie
Brachinus (Brachynolomus) immaculicornis Dejean, 1826 cf.
Carabidae


28.III.2011 - ITALIA - Lazio - RM
Coleoptera

Julodis

3

484

31/03/2011, 23:12

Julodis Vedi ultimo messaggio

Nessun messaggio da leggere
Ophonus (Ophonus) sabulicola (Panzer, 1796) - Carabidae
25.III.2011 - ITALIA - Sicilia - PA
Allegato(i)
Ophonus (Ophonus) sabulicola (Panzer, 1796) - Carabidae

25.III.2011 - ITALIA - Sicilia - PA
Coleoptera

carabus

1

323

31/03/2011, 20:16

Notoxus59 Vedi ultimo messaggio

Nessun messaggio da leggere
Harpalus dimidiatus (Rossi, 1790) - Carabidae
26.III.2011 - ITALIA - Emilia-Romagna - MO
Allegato(i)
Harpalus dimidiatus (Rossi, 1790) - Carabidae

26.III.2011 - ITALIA - Emilia-Romagna - MO
Coleoptera

conan

1

406

30/03/2011, 23:40

ricdoc57 Vedi ultimo messaggio

Nessun messaggio da leggere
Laemostenus (Laemostenus) complanatus Dejean, 1828 - Carabidae
27.III.2011 - ITALIA - Sardegna - CA
Allegato(i)
Laemostenus (Laemostenus) complanatus Dejean, 1828 - Carabidae

27.III.2011 - ITALIA - Sardegna - CA
Coleoptera

PierFrancescoMurgia

8

708

30/03/2011, 21:19

eurinomio Vedi ultimo messaggio

Nessun messaggio da leggere
Laemostenus complanatus (Dejean, 1828) - Carabidae
30.III.2011 - ITALIA - Sardegna - CI
Allegato(i)
Laemostenus complanatus (Dejean, 1828) - Carabidae

30.III.2011 - ITALIA - Sardegna - CI
Coleoptera

Fumea crassiorella

0

354

30/03/2011, 18:14

Fumea crassiorella Vedi ultimo messaggio

Nessun messaggio da leggere
Parophonus (Parophonus) mendax (P. Rossi, 1790) - Carabidae
27.III.2011 - ITALIA - Emilia-Romagna - RE
Allegato(i)
Parophonus (Parophonus) mendax (P. Rossi, 1790) - Carabidae

27.III.2011 - ITALIA - Emilia-Romagna - RE
Coleoptera

Mikiphasmide

2

392

30/03/2011, 16:56

Mikiphasmide Vedi ultimo messaggio

Nessun messaggio da leggere
Amara (Amara) lunicollis Schiodte 1837 - Carabidae
26.III.2011 - ITALIA - Lombardia - BS
Allegato(i)
Amara (Amara) lunicollis Schiodte 1837 - Carabidae

26.III.2011 - ITALIA - Lombardia - BS
Coleoptera

magosti

2

499

29/03/2011, 23:06

magosti Vedi ultimo messaggio

Nessun messaggio da leggere
Ophonus (Metophonus) cf. ferrugatus Reitter, 1902 - Carabidae
25.III.2011 - ITALIA - Sicilia - PA
Allegato(i)
Ophonus (Metophonus) cf. ferrugatus Reitter, 1902 - Carabidae

25.III.2011 - ITALIA - Sicilia - PA
Coleoptera

carabus

1

392

29/03/2011, 17:38

gomphus Vedi ultimo messaggio

Nessun messaggio da leggere
Amara (Percosia) equestris equestris (Duftschmid 1812)
VIII.1994 - ITALIA - Marche - MC
Allegato(i)
Amara (Percosia) equestris equestris (Duftschmid 1812)

VIII.1994 - ITALIA - Marche - MC
Coleoptera

marco paglialunga

6

746

29/03/2011, 9:04

marco paglialunga Vedi ultimo messaggio

Nessun messaggio da leggere
Anillus florentinus Dieck, 1869 - Carabidae
27.III.2011 - ITALIA - Emilia-Romagna - BO
Allegato(i)
Anillus florentinus Dieck, 1869 - Carabidae

27.III.2011 - ITALIA - Emilia-Romagna - BO
Coleoptera

Loriscola

2

549

29/03/2011, 8:11

Loriscola Vedi ultimo messaggio

Nessun messaggio da leggere
Lymnastis paladinii Magrini, 2010 - Carabidae
26.III.2011 - ITALIA - Emilia-Romagna - BO
Allegato(i)
Lymnastis paladinii Magrini, 2010 - Carabidae

[ Vai alla paginaVai alla pagina: 1, 2 ]



26.III.2011 - ITALIA - Emilia-Romagna - BO
Coleoptera

Notoxus59

18

1617

29/03/2011, 3:45

eurinomio Vedi ultimo messaggio

Nessun messaggio da leggere
Licinus silphoides (P. Rossi, 1790) - Carabidae
20.III.2011 - ITALIA - Emilia-Romagna - BO
Allegato(i)
Licinus silphoides (P. Rossi, 1790) - Carabidae

20.III.2011 - ITALIA - Emilia-Romagna - BO
Coleoptera

Loriscola

2

363

28/03/2011, 22:58

Anillus Vedi ultimo messaggio

Nessun messaggio da leggere
Harpalus (Harpalus) honestus (Duftschmid, 1812) - Carabidae
27.III.2011 - ITALIA - Emilia-Romagna - BO
Allegato(i)
Harpalus (Harpalus) honestus (Duftschmid, 1812) - Carabidae

27.III.2011 - ITALIA - Emilia-Romagna - BO
Coleoptera

Loriscola

3

597

28/03/2011, 21:33

gomphus Vedi ultimo messaggio

Nessun messaggio da leggere
Allegato(i)
Cicindela (Cicindela) campestris campestris Linnaeus, 1758 - Carabidae Cicindelinae

25.III.2011 - ITALIA - Lombardia - PV
Coleoptera

ff57

3

774

28/03/2011, 1:10

Julodis Vedi ultimo messaggio

Nessun messaggio da leggere
Asaphidion flavipes (Linnaeus, 1761) - Carabidae
27.III.2011 - ITALIA - Friuli-Venezia Giulia - GO
Allegato(i)
Asaphidion flavipes (Linnaeus, 1761) - Carabidae

27.III.2011 - ITALIA - Friuli-Venezia Giulia - GO
Coleoptera

Agdistis

5

764

28/03/2011, 0:00

Agdistis Vedi ultimo messaggio

Nessun messaggio da leggere
Allegato(i)
Trechus (Trechus) gracilitarsis K. Daniel et J. Daniel, 1898 - Carabidae

4.VIII.2010 - ITALIA - Veneto - VI
Coleoptera

Andrea Pergine

3

624

27/03/2011, 23:25

Orotrechus Vedi ultimo messaggio

Nessun messaggio da leggere
Cicindela campestris campestris Linnaeus 1758 - Carabide
27.III.2011 - ITALIA - Basilicata - MT
Allegato(i)
Cicindela campestris campestris Linnaeus 1758 - Carabide

27.III.2011 - ITALIA - Basilicata - MT
Coleoptera

Mimmo011

4

776

27/03/2011, 23:01

Mimmo011 Vedi ultimo messaggio

Nessun messaggio da leggere
Amara (Amara) nitida Sturm, 1825 - Carabidae
10.VI.2010 - ITALIA - Veneto - BL
Allegato(i)
Amara (Amara) nitida Sturm, 1825 - Carabidae

[ Vai alla paginaVai alla pagina: 1, 2 ]



10.VI.2010 - ITALIA - Veneto - BL
Coleoptera

Maw89

27

2366

27/03/2011, 22:08

gabrif Vedi ultimo messaggio

Nessun messaggio da leggere
Elaphrus (Elaphroterus) aureus P. Müller, 1821 - Carabidae
27.III.2011 - ITALIA - Friuli-Venezia Giulia - GO
Allegato(i)
Elaphrus (Elaphroterus) aureus P. Müller, 1821 - Carabidae

27.III.2011 - ITALIA - Friuli-Venezia Giulia - GO
Coleoptera

Agdistis

4

752

27/03/2011, 18:34

gomphus Vedi ultimo messaggio

Nessun messaggio da leggere
Trechus (Trechus) obtusus Erichson 1837 - Carabidae
26.III.2011 - ITALIA - Lombardia - BS
Allegato(i)
Trechus (Trechus) obtusus Erichson 1837 - Carabidae

26.III.2011 - ITALIA - Lombardia - BS
Coleoptera

magosti

5

806

27/03/2011, 17:16

magosti Vedi ultimo messaggio

Nessun messaggio da leggere
Allegato(i)
Poecilus (Macropoecilus) koyi brutius (Straneo, 1935) - Carabidae

23.III.2011 - ITALIA - Lazio - RM
Coleoptera

soken

10

1189

26/03/2011, 1:11

soken Vedi ultimo messaggio

Nessun messaggio da leggere
Allegato(i)
Philochthus lunulatus (Geoffroy in Fourcroy, 1785) - Carabidae

4.II.2011 - ITALIA - Toscana - PI
Coleoptera

Stefano79

1

342

25/03/2011, 21:17

gomphus Vedi ultimo messaggio

Nessun messaggio da leggere
Notiophilus rufipes Curtis, 1829 - Carabidae
12.V.2007 - ITALIA - Marche - PU
Allegato(i)
Notiophilus rufipes Curtis, 1829 - Carabidae

12.V.2007 - ITALIA - Marche - PU
Coleoptera

marco paglialunga

2

347

25/03/2011, 14:58

FORBIX Vedi ultimo messaggio

Nessun messaggio da leggere
Notiophilus rufipes Curtis, 1829 - Carabidae
16.IV.1993 - ITALIA - Marche - PU
Allegato(i)
Notiophilus rufipes Curtis, 1829 - Carabidae

16.IV.1993 - ITALIA - Marche - PU
Coleoptera

marco paglialunga

1

275

25/03/2011, 14:48

Notoxus59 Vedi ultimo messaggio

Nessun messaggio da leggere
Allegato(i)
Carabus (Orinocarabus) alpestris dolomitanus Mandl,1956 - Carabidae

ITALIA - Trentino-Alto Adige - BZ
Coleoptera

papuina

14

1217

25/03/2011, 2:15

Andrea Pergine Vedi ultimo messaggio

Nessun messaggio da leggere
Allegato(i)
Princidium (Princidium) punctulatum (Drapiez, 1821) - Carabidae

23.III.2011 - ITALIA - Marche - PU
Coleoptera

StagBeetle

4

390

24/03/2011, 22:51

StagBeetle Vedi ultimo messaggio

Nessun messaggio da leggere
Amara (Amara) aenea (De Geer, 1774) - Carabidae
24.III.2011 - ITALIA - Sardegna - CA
Allegato(i)
Amara (Amara) aenea (De Geer, 1774) - Carabidae

24.III.2011 - ITALIA - Sardegna - CA
Coleoptera

Fumea crassiorella

2

416

24/03/2011, 20:53

Fumea crassiorella Vedi ultimo messaggio

Visualizza ultimi argomenti:  Ordina per  Ordine:  
nuovo argomento
Vai alla pagina Precedente  1 ... 59, 60, 61, 62, 63, 64, 65 ... 79  Prossimo
Pagina 62 di 79 [ 3922 argomenti ]

Tutti gli orari sono UTC + 1 ora [ ora legale ]


Chi c’è in linea

Visitano il forum: Nessuno e 6 ospiti


Legenda
Messaggi da leggere Messaggi da leggere Nessun messaggio da leggere Nessun messaggio da leggere Annuncio Annuncio
 
Specie indeterminata / discussione generica
Messaggi non letti [ Popolari ] Messaggi non letti [ Popolari ] Nessun messaggio da leggere [ Popolare ] Nessun messaggio da leggere [ Popolare ] Importante Importante
 
Specie determinata fino al genere o cf.
Messaggi non letti [ Bloccati ] Messaggi non letti [ Bloccati ] No messaggi non letti [ Bloccati ] No messaggi non letti [ Bloccati ] Argomento spostato Argomento spostato
 
Specie correttamente determinata
Permessi
Non puoi aprire nuovi argomenti
Non puoi rispondere negli argomenti
Non puoi modificare i tuoi messaggi
Non puoi cancellare i tuoi messaggi
Non puoi inviare allegati

Cerca per:
Vai a: