Benvenuto Ospite

Forum Entomologi Italiani

www.entomologiitaliani.net/forum
 
Oggi è 26/12/2025, 19:09

Tutti gli orari sono UTC + 1 ora [ ora legale ]

 Forum   Argomenti   Messaggi   Ultimo messaggio 
Nessun messaggio da leggere
Filtro località
Carabidae indeterminati

907

4125

18/11/2025, 19:46

Andrea Pergine Vedi ultimo messaggio




 
nessun taxon determinato correttamente in questo archivio

Carabidae


[ AFROTROPICALE ] [ ANTARTICO ] [ AUSTRALASIANO ] [ NEARTICO ] [ NEOTROPICALE ] [ ORIENTALE ] [ PALEARTICO ]


nuovo argomento
Vai alla pagina Precedente  1 ... 66, 67, 68, 69, 70, 71, 72 ... 79  Prossimo
Pagina 69 di 79 [ 3931 argomenti ]
 Argomenti   Ordine   Autore   Risposte   Visite    Ultimo messaggio 
Annunci
Nessun messaggio da leggere
Allegato(i)
Incontri entomologici della Società Entomologica Italiana 2025-2026
 

Velvet Ant

0

14759

17/11/2025, 19:41

Velvet Ant Vedi ultimo messaggio

Nessun messaggio da leggere
Allegato(i)
Incontri entomologici telematici organizzati dalla Società Entomologica Italiana nel 2022 e nel 2023

[ Vai alla paginaVai alla pagina: 1, 2, 3 ]

 

Velvet Ant

44

1711298

03/03/2023, 15:55

Velvet Ant Vedi ultimo messaggio

Nessun messaggio da leggere  
Allegato(i)
Sondaggio sul declino dell'entomofauna in Italia

[ Vai alla paginaVai alla pagina: 1, 2, 3, 4 ]

 

Velvet Ant

52

2336718

22/10/2022, 19:18

Acquarius Vedi ultimo messaggio

Nessun messaggio da leggere  
Allegato(i)
Progetto: Bibliografia ragionata dei lavori entomologici nei quali sono citati reperti apparsi su FEI

[ Vai alla paginaVai alla pagina: 1, 2, 3 ]

 

Velvet Ant

33

1374200

06/07/2023, 18:31

Orotrechus Vedi ultimo messaggio

Nessun messaggio da leggere
Allegato(i)
Mimesi, il primo documentario cinematografico sull’entomologia in Italia: casting
 

mazzeip

1

1090074

28/02/2019, 20:26

mazzeip Vedi ultimo messaggio

Questo argomento è bloccato, non puoi modificare o inviare ulteriori messaggi.
Allegato(i)
ISTRUZIONI PUBBLICAZIONE NUOVI ARGOMENTI E FOTO

 
Altri Ordini di Insetti

Julodis

4

2889064

13/05/2015, 19:37

Julodis Vedi ultimo messaggio

Nessun messaggio da leggere
Allegato(i)
Limitatore giornaliero di messaggi, uno strumento utile e ormai indispensabile

[ Vai alla paginaVai alla pagina: 1 ... 14, 15, 16 ]

 

Velvet Ant

233

12479990

25/09/2014, 14:31

Inachis Vedi ultimo messaggio

Nessun messaggio da leggere  
NORME PER I COLLABORATORI DEL FORUM

 
 

Velvet Ant

0

634323

02/06/2011, 12:05

Velvet Ant Vedi ultimo messaggio

Nessun messaggio da leggere
Allegato(i)
NORME PER GLI UTENTI DEL FORUM

[ Vai alla paginaVai alla pagina: 1, 2, 3 ]



 
 

Velvet Ant

30

3490736

23/09/2014, 23:54

Maurizio Bollino Vedi ultimo messaggio

Nessun messaggio da leggere  
Lista degli utenti del "Forum entomologi italiani" per campi di interesse e specializzazione

 
Altri Ordini di Insetti

Velvet Ant

13

1012995

07/09/2023, 17:14

Roberto-07 Vedi ultimo messaggio

Argomenti
Nessun messaggio da leggere
Allegato(i)
Carabus (Platycarabus) creutzeri kircheri Geermar, 1824 - Carabidae

V.2010 - ITALIA - Veneto - BL
Coleoptera

StagBeetle

5

678

20/10/2010, 19:38

eurinomio Vedi ultimo messaggio

Nessun messaggio da leggere
Harpalus (Harpalus) dimidiatus (P. Rossi 1790) - Carabidae
31.V.2010 - ITALIA - Abruzzo - PE
Allegato(i)
Harpalus (Harpalus) dimidiatus (P. Rossi 1790) - Carabidae

31.V.2010 - ITALIA - Abruzzo - PE
Coleoptera

Mugy

2

582

20/10/2010, 16:33

Mugy Vedi ultimo messaggio

Nessun messaggio da leggere
Allegato(i)
Carabus (Tomocarabus) convexus Fabricius, 1775 - Carabidae - Eremo di San Bartolomeo, Majella, Abruzzo

3.VI.2010 - ITALIA - Abruzzo - PE
Coleoptera

Mugy

5

901

20/10/2010, 15:37

eurinomio Vedi ultimo messaggio

Nessun messaggio da leggere
Allegato(i)
Laemostenus (Pristonychus) cimmerius (Fischer-Waldheim, 1823) - Carabidae

X.1995 - ITALIA - Basilicata - PZ
Coleoptera

Stefano79

10

1213

19/10/2010, 14:29

Stefano79 Vedi ultimo messaggio

Nessun messaggio da leggere
Allegato(i)
Pterostichus impressicollis (Fairmaire & Laboulbene, 1854) - Carabidae

21.V.2000 - ITALIA - Toscana - PT
Coleoptera

Stefano79

2

620

19/10/2010, 14:28

Stefano79 Vedi ultimo messaggio

Nessun messaggio da leggere
Allegato(i)
Scarites (Scallophorites) buparius (Forster, 1771) - Carabidae

26.VII.2010 - ITALIA - Puglia - FG
Coleoptera

Mugy

6

788

19/10/2010, 9:52

Mugy Vedi ultimo messaggio

Nessun messaggio da leggere
Allegato(i)
Carabus (Tachypus) cancellatus emarginatus Duftschmid, 1812 - Carabidae

ITALIA - Emilia-Romagna - FE
Coleoptera

papuina

12

1604

18/10/2010, 21:45

papuina Vedi ultimo messaggio

Nessun messaggio da leggere
Allegato(i)
Zabrus (Zabrus) ignavus Csiki, 1907 (cfr.) - Carabidae Pterostichinae Zabrini

9.X.2010 - ITALIA - Umbria - PG
Coleoptera

lillo

7

1282

18/10/2010, 21:17

lillo Vedi ultimo messaggio

Nessun messaggio da leggere
Allegato(i)
Percus (Percus) strictus oberleitneri Kraatz, 1858 - Carabidae - Sardegna

18.X.2010 - ITALIA - Sardegna - CA
Coleoptera

Fumea crassiorella

2

511

18/10/2010, 20:23

Fumea crassiorella Vedi ultimo messaggio

Nessun messaggio da leggere
Allegato(i)
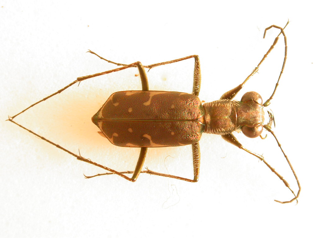
Cicindela (Cicindela) campestris nigrita Dejean, 1825 - Carabidae

18.X.2010 - ITALIA - Sardegna - CA
Coleoptera

Fumea crassiorella

2

541

18/10/2010, 19:54

Fumea crassiorella Vedi ultimo messaggio

Nessun messaggio da leggere
Allegato(i)
Dicheirotrichus (Pelagophilus) punicus Bedel, 1899 - Carabidae

18.X.2010 - ITALIA - Sardegna - CA
Coleoptera

Fumea crassiorella

1

478

18/10/2010, 18:15

Anillus Vedi ultimo messaggio

Nessun messaggio da leggere
Allegato(i)
Myriochila (Myriochila) melancholica (Fabricius 1798) - Carabidae

12.X.2010 - ITALIA - Sardegna - CA
Coleoptera

Fumea crassiorella

1

597

18/10/2010, 9:43

roberto.lisa Vedi ultimo messaggio

Nessun messaggio da leggere
Allegato(i)
Syntomus truncatellus (Linnaeus, 1761) - Carabidae

ITALIA - Lombardia - SO
Coleoptera

marsal

5

830

17/10/2010, 23:21

marsal Vedi ultimo messaggio

Nessun messaggio da leggere
Paradromius linearis (Olivier, 1795) - Carabidae
9.X.2010 - ITALIA - Sardegna - CA
Allegato(i)
Paradromius linearis (Olivier, 1795) - Carabidae

9.X.2010 - ITALIA - Sardegna - CA
Coleoptera

Fumea crassiorella

8

688

16/10/2010, 21:22

Plagionotus Vedi ultimo messaggio

Nessun messaggio da leggere
Allegato(i)
Nebria (Nebria) brevicollis (Fabricius, 1792) - Carabidae. Nebriinae, Nebriini

13.X.2010 - ITALIA - Sardegna - CA
Coleoptera

Fumea crassiorella

2

412

15/10/2010, 18:52

Fumea crassiorella Vedi ultimo messaggio

Nessun messaggio da leggere
Agonum lugens (Duftschmid, 1812) - Carabidae - Pisa, Toscana
12.XII.1968 - ITALIA - Toscana - PI
Allegato(i)
Agonum lugens (Duftschmid, 1812) - Carabidae - Pisa, Toscana

12.XII.1968 - ITALIA - Toscana - PI
Coleoptera

Stefano79

3

742

14/10/2010, 14:39

Notoxus59 Vedi ultimo messaggio

Nessun messaggio da leggere
Trechus (Trechus) quadristriatus (Schrank, 1781) - Carabidae
25.IX.2010 - ITALIA - Marche - PU
Allegato(i)
Trechus (Trechus) quadristriatus (Schrank, 1781) - Carabidae

25.IX.2010 - ITALIA - Marche - PU
Coleoptera

marco paglialunga

5

724

13/10/2010, 21:28

marco paglialunga Vedi ultimo messaggio

Nessun messaggio da leggere
Trechus (Trechus) quadristriatus (Schrank, 1781) - Carabidae
10.X.2010 - ITALIA - Toscana - LI
Allegato(i)
Trechus (Trechus) quadristriatus (Schrank, 1781) - Carabidae

10.X.2010 - ITALIA - Toscana - LI
Coleoptera

FORBIX

2

440

12/10/2010, 16:46

FORBIX Vedi ultimo messaggio

Nessun messaggio da leggere
Allegato(i)
Ophonus (Metophonus) puncticeps Stephens, 1828 - Harpalinae Harpalini Harpalina

10.X.2010 - ITALIA - Toscana - LI
Coleoptera

FORBIX

2

407

12/10/2010, 16:44

FORBIX Vedi ultimo messaggio

Nessun messaggio da leggere
Pterostichus (Cheporus) burmeisteri Heer, 1838 - Carabidae
16.IX.2002 - ITALIA - Toscana - FI
Allegato(i)
Pterostichus (Cheporus) burmeisteri Heer, 1838 - Carabidae

16.IX.2002 - ITALIA - Toscana - FI
Coleoptera

Stefano79

6

787

11/10/2010, 18:20

Honza Vedi ultimo messaggio

Nessun messaggio da leggere
Nebria (Nebria) genei Gené, 1839
9.X.2010 - ITALIA - Sardegna - CA
Allegato(i)
Nebria (Nebria) genei Gené, 1839

9.X.2010 - ITALIA - Sardegna - CA
Coleoptera

Fumea crassiorella

1

484

11/10/2010, 13:59

Plagionotus Vedi ultimo messaggio

Nessun messaggio da leggere
Allegato(i)
Cicindela (Cicindela) campestris nigrita Dejean, 1825 - Carabidae

10.X.2010 - ITALIA - Sardegna - CI
Coleoptera

ruzzpa

2

860

11/10/2010, 0:13

Tenebrio Vedi ultimo messaggio

Nessun messaggio da leggere
Allegato(i)
Platyderus (Platyderus) neapolitanus (Reiche, 1855) - Carabidae

22.I.1969 - ITALIA - Toscana - PI
Coleoptera

Stefano79

2

493

08/10/2010, 15:05

Anillus Vedi ultimo messaggio

Nessun messaggio da leggere
Allegato(i)
Carabus (Chaetocarabus) lefebvrei bayardi Solier 1835 - Carabidae

17.IX.2010 - ITALIA - Abruzzo - TE
Coleoptera

giovanni carotti

10

1391

07/10/2010, 23:53

eurinomio Vedi ultimo messaggio

Nessun messaggio da leggere
Cymindis (Cymindis) etrusca Bassi, 1834 - Carabidae
VIII.2010 - ITALIA - Abruzzo - AQ
Allegato(i)
Cymindis (Cymindis) etrusca Bassi, 1834 - Carabidae

VIII.2010 - ITALIA - Abruzzo - AQ
Coleoptera

conan

4

685

06/10/2010, 23:08

Notoxus59 Vedi ultimo messaggio

Nessun messaggio da leggere
Allegato(i)
Pterostichus (s.str.) micans Heer, 1841 - Pterostichinae Pterostichini Pterostichina

1.X.2010 - ITALIA - Toscana - LI
Coleoptera

FORBIX

3

558

05/10/2010, 10:07

FORBIX Vedi ultimo messaggio

Nessun messaggio da leggere
Allegato(i)
Percus (Percus) strictus oberleitneri (Dejean, 1831) - Carabidae

VI.2010 - ITALIA - Sardegna - CA
Coleoptera

ruzzpa

2

398

04/10/2010, 19:40

ruzzpa Vedi ultimo messaggio

Nessun messaggio da leggere
Allegato(i)
Paradromius linearis (Olivier, 1795) - Carabidae, Lebiinae, Lebiini, Metadromiina

2.X.2010 - ITALIA - Sardegna - CA
Coleoptera

ruzzpa

1

380

02/10/2010, 23:01

Joro Vedi ultimo messaggio

Nessun messaggio da leggere
Acinopus (Acinopus) picipes (Olivier, 1795) - Carabidae
IX.2010 - ITALIA - Sardegna - CA
Allegato(i)
Acinopus (Acinopus) picipes (Olivier, 1795) - Carabidae

IX.2010 - ITALIA - Sardegna - CA
Coleoptera

ruzzpa

4

1149

02/10/2010, 10:27

Tenebrio Vedi ultimo messaggio

Nessun messaggio da leggere
Laemostenus complanatus (Dejean, 1828) - Carabidae
IX.2010 - ITALIA - Sardegna - CA
Allegato(i)
Laemostenus complanatus (Dejean, 1828) - Carabidae

IX.2010 - ITALIA - Sardegna - CA
Coleoptera

ruzzpa

1

508

02/10/2010, 8:41

aug Vedi ultimo messaggio

Nessun messaggio da leggere
Licinus punctatulus (Fabricius, 1792) - Carabidae
IX.2010 - ITALIA - Sardegna - CA
Allegato(i)
Licinus punctatulus (Fabricius, 1792) - Carabidae

IX.2010 - ITALIA - Sardegna - CA
Coleoptera

ruzzpa

1

411

02/10/2010, 8:33

aug Vedi ultimo messaggio

Nessun messaggio da leggere
Allegato(i)
Chlaeniellus tristis tristis (Schaller, 1783) - Carabidae

ITALIA - Umbria - PG
Coleoptera

young beetle

1

425

01/10/2010, 18:11

gomphus Vedi ultimo messaggio

Nessun messaggio da leggere
Allegato(i)
Asaphidion stierlini (Heyden, 1880) - Carabidae, Trechinae, Bembidiini, Bembidiina

25.XI.1974 - ITALIA - Toscana - PI
Coleoptera

Stefano79

6

797

30/09/2010, 13:47

gomphus Vedi ultimo messaggio

Nessun messaggio da leggere
Laemostenus (Actenipus) latialis Leoni, 1907 - Carabidae
12.VI.1987 - ITALIA - Toscana - LI
Allegato(i)
Laemostenus (Actenipus) latialis Leoni, 1907 - Carabidae

12.VI.1987 - ITALIA - Toscana - LI
Coleoptera

Stefano79

6

814

29/09/2010, 20:50

gabrif Vedi ultimo messaggio

Nessun messaggio da leggere
Cymindis (Tarulus) vaporariorum (Linnaeus, 1758) - Carabidae
7.VIII.1960 - ITALIA - Valle d'Aosta - AO
Allegato(i)
Cymindis (Tarulus) vaporariorum (Linnaeus, 1758) - Carabidae

7.VIII.1960 - ITALIA - Valle d'Aosta - AO
Coleoptera

Stefano79

4

764

29/09/2010, 19:29

pedux Vedi ultimo messaggio

Nessun messaggio da leggere
Amara (s. str.) eurynota (Panzer, 1796) - Carabidae
3.I.1957 - ITALIA - Liguria - SV
Allegato(i)
Amara (s. str.) eurynota (Panzer, 1796) - Carabidae

3.I.1957 - ITALIA - Liguria - SV
Coleoptera

Stefano79

3

1152

29/09/2010, 18:14

Stefano79 Vedi ultimo messaggio

Nessun messaggio da leggere
Allegato(i)
Cicindela (Cicindela) campestris campestris Linnaeus, 1758 - Carabidae Cicindelinae

IX.2010 - ITALIA - Lombardia - PV
Coleoptera

carlos

1

560

29/09/2010, 14:25

AdYRuicanescu Vedi ultimo messaggio

Nessun messaggio da leggere
Carabus (Archicarabus) rossii Dejean, 1826 - Carabidae
4.IX.2010 - ITALIA - Basilicata - PZ
Allegato(i)
Carabus (Archicarabus) rossii Dejean, 1826 - Carabidae

4.IX.2010 - ITALIA - Basilicata - PZ
Coleoptera

Ric

2

998

28/09/2010, 22:04

Ric Vedi ultimo messaggio

Nessun messaggio da leggere
Acinopus (s. str.) picipes (Olivier, 1795) - Carabidae
10.IX.2010 - ITALIA - Lazio - FR
Allegato(i)
Acinopus (s. str.) picipes (Olivier, 1795) - Carabidae

10.IX.2010 - ITALIA - Lazio - FR
Coleoptera

Goliathus

4

1588

27/09/2010, 23:07

Goliathus Vedi ultimo messaggio

Nessun messaggio da leggere
Cychrus angustatus Hoppe, 1825 - Carabidae
3.VIII.2010 - ITALIA - Lombardia - BS
Allegato(i)
Cychrus angustatus Hoppe, 1825 - Carabidae

3.VIII.2010 - ITALIA - Lombardia - BS
Coleoptera

pedux

2

470

27/09/2010, 15:30

pedux Vedi ultimo messaggio

Nessun messaggio da leggere
Nebria (Nebria) germari Heer, 1837 - Carabidae
24.VI.2010 - ITALIA - Lombardia - BS
Allegato(i)
Nebria (Nebria) germari Heer, 1837 - Carabidae

24.VI.2010 - ITALIA - Lombardia - BS
Coleoptera

pedux

5

587

27/09/2010, 15:10

Plagionotus Vedi ultimo messaggio

Nessun messaggio da leggere
Licinus (Neorescius) hoffmanseggii (Panzer, 1803) - Carabidae
3.VIII.2010 - ITALIA - Lombardia - BS
Allegato(i)
Licinus (Neorescius) hoffmanseggii (Panzer, 1803) - Carabidae

3.VIII.2010 - ITALIA - Lombardia - BS
Coleoptera

pedux

0

356

27/09/2010, 11:03

pedux Vedi ultimo messaggio

Nessun messaggio da leggere
Tanythrix edura (Dejean, 1828) - Carabidae
3.VIII.2010 - ITALIA - Lombardia - BS
Allegato(i)
Tanythrix edura (Dejean, 1828) - Carabidae

3.VIII.2010 - ITALIA - Lombardia - BS
Coleoptera

pedux

0

640

27/09/2010, 11:00

pedux Vedi ultimo messaggio

Nessun messaggio da leggere
Acinopus picipes (Olivier, 1795) - Carabidae
19.IX.2010 - ITALIA - Sicilia - SR
Allegato(i)
Acinopus picipes (Olivier, 1795) - Carabidae

19.IX.2010 - ITALIA - Sicilia - SR
Coleoptera

Ric

3

1188

27/09/2010, 9:42

Ric Vedi ultimo messaggio

Nessun messaggio da leggere
Allegato(i)
Ocydromus (Peryphanes) latinus (Netolitzky, 1911) - Carabidae Trechinae

29.V.2010 - ITALIA - Marche - AN
Coleoptera

StagBeetle

1

444

26/09/2010, 12:32

neri Vedi ultimo messaggio

Nessun messaggio da leggere
Cicindela (Cicindela) campestris Linnaeus, 1758 - Carabidae
VII.1974 - ITALIA - Valle d'Aosta - AO
Allegato(i)
Cicindela (Cicindela) campestris Linnaeus, 1758 - Carabidae

VII.1974 - ITALIA - Valle d'Aosta - AO
Coleoptera

Carlo Monari

7

847

26/09/2010, 8:23

Julodis Vedi ultimo messaggio

Nessun messaggio da leggere
Amara (Amara) cf.aenea (De Geer, 1774) - Carabidae
19.IX.2010 - ITALIA - Sardegna - VS
Allegato(i)
Amara (Amara) cf.aenea (De Geer, 1774) - Carabidae

19.IX.2010 - ITALIA - Sardegna - VS
Coleoptera

ruzzpa

1

919

25/09/2010, 11:30

gabrif Vedi ultimo messaggio

Nessun messaggio da leggere
Allegato(i)
Lionychus (Lionychus) sturmii (Gené, 1836) - Carabidae Lebiinae Dromiini Lionychina

19.IX.2010 - ITALIA - Sardegna - VS
Coleoptera

ruzzpa

1

629

25/09/2010, 10:10

Tenebrio Vedi ultimo messaggio

Nessun messaggio da leggere
Allegato(i)
Carabus (s.str) granulatus interstitialis Duftschmidt, 1812 - Carabidae

23.XII.1968 - ITALIA - Toscana - PI
Coleoptera

Stefano79

6

753

24/09/2010, 20:43

eurinomio Vedi ultimo messaggio

Nessun messaggio da leggere
Carabus (Orinocarabus) silvestris Panzer, 1793 - Carabidae
2.VIII.1973 - ITALIA - Lombardia - SO
Allegato(i)
Carabus (Orinocarabus) silvestris Panzer, 1793 - Carabidae

2.VIII.1973 - ITALIA - Lombardia - SO
Coleoptera

Stefano79

3

683

24/09/2010, 15:57

Stefano79 Vedi ultimo messaggio

Visualizza ultimi argomenti:  Ordina per  Ordine:  
nuovo argomento
Vai alla pagina Precedente  1 ... 66, 67, 68, 69, 70, 71, 72 ... 79  Prossimo
Pagina 69 di 79 [ 3931 argomenti ]

Tutti gli orari sono UTC + 1 ora [ ora legale ]


Chi c’è in linea

Visitano il forum: Nessuno e 3 ospiti


Legenda
Messaggi da leggere Messaggi da leggere Nessun messaggio da leggere Nessun messaggio da leggere Annuncio Annuncio
 
Specie indeterminata / discussione generica
Messaggi non letti [ Popolari ] Messaggi non letti [ Popolari ] Nessun messaggio da leggere [ Popolare ] Nessun messaggio da leggere [ Popolare ] Importante Importante
 
Specie determinata fino al genere o cf.
Messaggi non letti [ Bloccati ] Messaggi non letti [ Bloccati ] No messaggi non letti [ Bloccati ] No messaggi non letti [ Bloccati ] Argomento spostato Argomento spostato
 
Specie correttamente determinata
Permessi
Non puoi aprire nuovi argomenti
Non puoi rispondere negli argomenti
Non puoi modificare i tuoi messaggi
Non puoi cancellare i tuoi messaggi
Non puoi inviare allegati

Cerca per:
Vai a: