Benvenuto Ospite

Forum Entomologi Italiani

www.entomologiitaliani.net/forum
 
Oggi è 26/10/2025, 13:20

Tutti gli orari sono UTC + 1 ora [ ora legale ]

 Forum   Argomenti   Messaggi   Ultimo messaggio 
Nessun messaggio da leggere
Filtro località
Carabidae indeterminati

906

4124

10/09/2025, 12:26

pietro lo cascio Vedi ultimo messaggio




100%
tutti i taxon di questo archivio sono stati determinati correttamente

Carabidae


[ AFROTROPICALE ] [ ANTARTICO ] [ AUSTRALASIANO ] [ NEARTICO ] [ NEOTROPICALE ] [ ORIENTALE ] [ PALEARTICO ]


nuovo argomento
Vai alla pagina Precedente  1 ... 7, 8, 9, 10, 11, 12, 13 ... 31  Prossimo
Pagina 10 di 31 [ 1517 argomenti ]
 Argomenti   Ordine   Autore   Risposte   Visite    Ultimo messaggio 
Annunci
Nessun messaggio da leggere
Allegato(i)
Incontri entomologici telematici organizzati dalla Società Entomologica Italiana nel 2022 e nel 2023

[ Vai alla paginaVai alla pagina: 1, 2, 3 ]

 

Velvet Ant

44

1370326

03/03/2023, 15:55

Velvet Ant Vedi ultimo messaggio

Nessun messaggio da leggere  
Allegato(i)
Sondaggio sul declino dell'entomofauna in Italia

[ Vai alla paginaVai alla pagina: 1, 2, 3, 4 ]

 

Velvet Ant

52

1686505

22/10/2022, 19:18

Acquarius Vedi ultimo messaggio

Nessun messaggio da leggere  
Allegato(i)
Progetto: Bibliografia ragionata dei lavori entomologici nei quali sono citati reperti apparsi su FEI

[ Vai alla paginaVai alla pagina: 1, 2, 3 ]

 

Velvet Ant

33

1127020

06/07/2023, 18:31

Orotrechus Vedi ultimo messaggio

Nessun messaggio da leggere
Allegato(i)
Mimesi, il primo documentario cinematografico sull’entomologia in Italia: casting
 

mazzeip

1

445933

28/02/2019, 20:26

mazzeip Vedi ultimo messaggio

Questo argomento è bloccato, non puoi modificare o inviare ulteriori messaggi.
Allegato(i)
ISTRUZIONI PUBBLICAZIONE NUOVI ARGOMENTI E FOTO

 
Altri Ordini di Insetti

Julodis

4

790987

13/05/2015, 19:37

Julodis Vedi ultimo messaggio

Nessun messaggio da leggere
Allegato(i)
Limitatore giornaliero di messaggi, uno strumento utile e ormai indispensabile

[ Vai alla paginaVai alla pagina: 1 ... 14, 15, 16 ]

 

Velvet Ant

233

8369299

25/09/2014, 14:31

Inachis Vedi ultimo messaggio

Nessun messaggio da leggere  
NORME PER I COLLABORATORI DEL FORUM

 
 

Velvet Ant

0

472611

02/06/2011, 12:05

Velvet Ant Vedi ultimo messaggio

Nessun messaggio da leggere
Allegato(i)
NORME PER GLI UTENTI DEL FORUM

[ Vai alla paginaVai alla pagina: 1, 2, 3 ]



 
 

Velvet Ant

30

2303662

23/09/2014, 23:54

Maurizio Bollino Vedi ultimo messaggio

Nessun messaggio da leggere  
Lista degli utenti del "Forum entomologi italiani" per campi di interesse e specializzazione

 
Altri Ordini di Insetti

Velvet Ant

13

928699

07/09/2023, 17:14

Roberto-07 Vedi ultimo messaggio

Argomenti
Nessun messaggio da leggere
Allegato(i) Dettagli della specie
Calathus (Calathus) fracassii fracassii Heyden, 1908
Carabidae


30.IV.2021 - ITALIA - Lazio - RM
Coleoptera

wgliinsetti

6

633

05/05/2021, 21:27

gomphus Vedi ultimo messaggio

Nessun messaggio da leggere
Nebria (Nebria) brevicollis (Fabricius, 1792) - Carabidae
21.IV.2021 - ITALIA - Lombardia - LC
Allegato(i) Dettagli della specie
Nebria (Nebria) brevicollis (Fabricius, 1792)
Carabidae


21.IV.2021 - ITALIA - Lombardia - LC
Coleoptera

RicPan

3

431

04/05/2021, 14:12

Belcarletto Vedi ultimo messaggio

Nessun messaggio da leggere
Poecilus (Macropoecilus) striatopunctatus (Duftschmid, 1812) - Carabidae
20.III.2016 - ITALIA - Emilia-Romagna - FE
Allegato(i) Dettagli della specie
Poecilus (Macropoecilus) striatopunctatus (Duftschmid, 1812)
Carabidae


20.III.2016 - ITALIA - Emilia-Romagna - FE
Coleoptera

marco villa

8

1234

03/05/2021, 22:52

gomphus Vedi ultimo messaggio

Nessun messaggio da leggere
Stomis (Stomis) rostratus ceresae Schatzmayr, 1925 - Carabidae
VII.2020 - ITALIA - Trentino-Alto Adige - TN
Allegato(i) Dettagli della specie
Stomis (Stomis) rostratus ceresae Schatzmayr, 1925
Carabidae


VII.2020 - ITALIA - Trentino-Alto Adige - TN
Coleoptera

StagBeetle

0

421

03/05/2021, 18:41

StagBeetle Vedi ultimo messaggio

Nessun messaggio da leggere
Allegato(i) Dettagli della specie
Abax (Pterostichoabax) ecchelii ecchelii Bertolini, 1887
Carabidae


VIII.2020 - ITALIA - Veneto - VI
Coleoptera

StagBeetle

0

483

03/05/2021, 18:31

StagBeetle Vedi ultimo messaggio

Nessun messaggio da leggere
Brachinus (Brachynidius) explodens Duftschmid, 1812 - Carabidae
21.IV.2021 - ITALIA - Lombardia - LC
Allegato(i) Dettagli della specie
Brachinus (Brachynidius) explodens Duftschmid, 1812
Carabidae


21.IV.2021 - ITALIA - Lombardia - LC
Coleoptera

RicPan

3

521

03/05/2021, 16:34

RicPan Vedi ultimo messaggio

Nessun messaggio da leggere
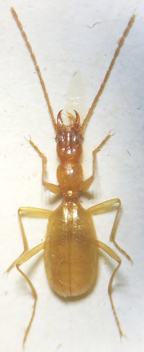
Siagona europea Dejean, 1826 - Carabidae
15.IV.2021 - ITALIA - Sicilia - EN
Allegato(i) Dettagli della specie
Siagona europea Dejean, 1826
Carabidae


15.IV.2021 - ITALIA - Sicilia - EN
Coleoptera

Amata Ciro

1

434

30/04/2021, 18:38

gomphus Vedi ultimo messaggio

Nessun messaggio da leggere
Harpalus (Harpalus) albanicus Reitter, 1900 - Carabidae
29.III.2021 - ITALIA - Lombardia - LC
Allegato(i) Dettagli della specie
Harpalus (Harpalus) albanicus Reitter, 1900
Carabidae


29.III.2021 - ITALIA - Lombardia - LC
Coleoptera

RicPan

6

653

30/04/2021, 12:37

RicPan Vedi ultimo messaggio

Nessun messaggio da leggere
Nebria (Nebria) brevicollis (Fabricius, 1792) - Carabidae
24.IV.2021 - ITALIA - Piemonte - TO
Allegato(i) Dettagli della specie
Nebria (Nebria) brevicollis (Fabricius, 1792)
Carabidae


24.IV.2021 - ITALIA - Piemonte - TO
Coleoptera

checcapitipiti

6

473

30/04/2021, 8:36

checcapitipiti Vedi ultimo messaggio

Nessun messaggio da leggere
Tachyta (Tachyta) nana (Gyllenhal, 1810) - Carabidae
24.IV.2021 - ITALIA - Trentino-Alto Adige - TN
Allegato(i) Dettagli della specie
Tachyta (Tachyta) nana (Gyllenhal, 1810)
Carabidae


24.IV.2021 - ITALIA - Trentino-Alto Adige - TN
Coleoptera

Andrea Pergine

2

350

26/04/2021, 16:59

Andrea Pergine Vedi ultimo messaggio

Nessun messaggio da leggere
Stenolophus (Stenolophus) teutonus (Schrank, 1781) - Carabidae
17.IV.2021 - ITALIA - Piemonte - TO
Allegato(i) Dettagli della specie
Stenolophus (Stenolophus) teutonus (Schrank, 1781)
Carabidae


17.IV.2021 - ITALIA - Piemonte - TO
Coleoptera

checcapitipiti

2

409

25/04/2021, 9:10

checcapitipiti Vedi ultimo messaggio

Nessun messaggio da leggere
Cryptophonus tenebrosus (Dejean, 1829) - Carabidae
28.III.2021 - ITALIA - Piemonte - TO
Allegato(i) Dettagli della specie
Cryptophonus tenebrosus (Dejean, 1829)
Carabidae


28.III.2021 - ITALIA - Piemonte - TO
Coleoptera

checcapitipiti

7

763

17/04/2021, 10:11

checcapitipiti Vedi ultimo messaggio

Nessun messaggio da leggere
Allegato(i) Dettagli della specie
Pterostichus (Pterostichus) phaeopus (Marseul, 1882)
Carabidae


1.VI.2020 - ITALIA - Lombardia - PV
Coleoptera

fdany

3

566

11/04/2021, 15:59

gabrif Vedi ultimo messaggio

Nessun messaggio da leggere
Allegato(i) Dettagli della specie
Parophonus (Parophonus) maculicornis (Duftschmid, 1812)
Carabidae


14.II.2021 - ITALIA - Toscana - MS
Coleoptera

Francesco92

2

464

09/04/2021, 16:31

Francesco92 Vedi ultimo messaggio

Nessun messaggio da leggere
Allegato(i) Dettagli della specie
Abax (Abax) parallelepipedus curtulus Fairmaire, 1856
Carabidae


1.VI.2020 - ITALIA - Lombardia - PV
Coleoptera

fdany

2

730

08/04/2021, 18:15

fdany Vedi ultimo messaggio

Nessun messaggio da leggere
Allegato(i) Dettagli della specie
Harpalus (Harpalus) distinguendus distinguendus (Duftschmid, 1812)
Carabidae


28.III.2021 - ITALIA - Lazio - RM
Coleoptera

wgliinsetti

2

429

07/04/2021, 20:10

wgliinsetti Vedi ultimo messaggio

Nessun messaggio da leggere
Amara (Amara) subconvexa Putzeys, 1865 - Carabidae
2.IV.2021 - ITALIA - Sardegna - CA
Allegato(i) Dettagli della specie
Amara (Amara) subconvexa Putzeys, 1865
Carabidae


2.IV.2021 - ITALIA - Sardegna - CA
Coleoptera

Fumea crassiorella

2

536

06/04/2021, 22:05

Fumea crassiorella Vedi ultimo messaggio

Nessun messaggio da leggere
Amara (Amara) aenea (De Geer, 1774) - Carabidae
28.III.2021 - ITALIA - Piemonte - TO
Allegato(i) Dettagli della specie
Amara (Amara) aenea (De Geer, 1774)
Carabidae


28.III.2021 - ITALIA - Piemonte - TO
Coleoptera

checcapitipiti

2

618

06/04/2021, 20:36

checcapitipiti Vedi ultimo messaggio

Nessun messaggio da leggere
Abax (Abax) contractus (Heer, 1841) - Carabidae
29.III.2021 - ITALIA - Lombardia - LC
Allegato(i) Dettagli della specie
Abax (Abax) contractus (Heer, 1841)
Carabidae


29.III.2021 - ITALIA - Lombardia - LC
Coleoptera

RicPan

12

1684

06/04/2021, 13:13

RicPan Vedi ultimo messaggio

Nessun messaggio da leggere
Allegato(i) Dettagli della specie
Anisodactylus (Pseudanisodactylus) signatus (Panzer, 1796)
Carabidae


28.III.2021 - ITALIA - Lombardia - LC
Coleoptera

RicPan

5

625

03/04/2021, 18:09

RicPan Vedi ultimo messaggio

Nessun messaggio da leggere
Harpalus (Harpalus) dimidiatus (P. Rossi, 1790) - Carabidae
28.III.2021 - ITALIA - Lazio - RM
Allegato(i) Dettagli della specie
Harpalus (Harpalus) dimidiatus (P. Rossi, 1790)
Carabidae


28.III.2021 - ITALIA - Lazio - RM
Coleoptera

wgliinsetti

3

436

01/04/2021, 13:59

gomphus Vedi ultimo messaggio

Nessun messaggio da leggere
Harpalus (Harpalus) affinis (Schrank, 1781) - Carabidae
25.III.2021 - ITALIA - Lombardia - LC
Allegato(i) Dettagli della specie
Harpalus (Harpalus) affinis (Schrank, 1781)
Carabidae


25.III.2021 - ITALIA - Lombardia - LC
Coleoptera

RicPan

3

526

29/03/2021, 11:39

RicPan Vedi ultimo messaggio

Nessun messaggio da leggere
Harpalus (Harpalus) affinis (Schrank, 1781) - Carabidae
16.X.2020 - ITALIA - Piemonte - CN
Allegato(i) Dettagli della specie
Harpalus (Harpalus) affinis (Schrank, 1781)
Carabidae


16.X.2020 - ITALIA - Piemonte - CN
Coleoptera

checcapitipiti

2

472

28/03/2021, 11:28

checcapitipiti Vedi ultimo messaggio

Nessun messaggio da leggere
Allegato(i) Dettagli della specie
Carabus (Orinocarabus) pedemontanus omensis Born, 1901
Carabidae


16.VII.1983 - ITALIA - Piemonte - CN
Coleoptera

Honza

2

685

22/03/2021, 10:26

gabrif Vedi ultimo messaggio

Nessun messaggio da leggere
Allegato(i) Dettagli della specie
Carabus (Macrothorax) morbillosus lampedusae Born, 1906
Carabidae


XI.2003 - ITALIA - Sicilia - AG
Coleoptera

eurinomio

2

650

21/03/2021, 19:49

Belcarletto Vedi ultimo messaggio

Nessun messaggio da leggere
Harpalus (Harpalus) dimidiatus (P. Rossi, 1790) - Carabidae
14.III.2021 - ITALIA - Lazio - RM
Allegato(i) Dettagli della specie
Harpalus (Harpalus) dimidiatus (P. Rossi, 1790)
Carabidae


14.III.2021 - ITALIA - Lazio - RM
Coleoptera

wgliinsetti

5

607

20/03/2021, 16:56

gabrif Vedi ultimo messaggio

Nessun messaggio da leggere
Amara (Amara) aenea (De Geer, 1774) - Carabidae
19.III.2021 - ITALIA - Lombardia - LC
Allegato(i) Dettagli della specie
Amara (Amara) aenea (De Geer, 1774)
Carabidae


19.III.2021 - ITALIA - Lombardia - LC
Coleoptera

RicPan

2

555

20/03/2021, 16:36

RicPan Vedi ultimo messaggio

Nessun messaggio da leggere
Harpalus (Harpalus) rubripes (Duftschmid, 1812) - Carabidae
13.III.2021 - ITALIA - Lombardia - LC
Allegato(i) Dettagli della specie
Harpalus (Harpalus) rubripes (Duftschmid, 1812)
Carabidae


13.III.2021 - ITALIA - Lombardia - LC
Coleoptera

RicPan

3

570

17/03/2021, 17:52

RicPan Vedi ultimo messaggio

Nessun messaggio da leggere
Amara (Amara) aenea (De Geer, 1774) - Carabidae
11.III.2021 - ITALIA - Lazio - RM
Allegato(i) Dettagli della specie
Amara (Amara) aenea (De Geer, 1774)
Carabidae


11.III.2021 - ITALIA - Lazio - RM
Coleoptera

wgliinsetti

2

524

17/03/2021, 15:01

wgliinsetti Vedi ultimo messaggio

Nessun messaggio da leggere
Allegato(i) Dettagli della specie
Parazuphium (Parazuphium) damascenum damascenum (Fairmaire, 1897)
Carabidae


21.VIII.2020 - ITALIA - Sardegna - CA
Coleoptera

Fumea crassiorella

10

1177

15/03/2021, 21:04

eurinomio Vedi ultimo messaggio

Nessun messaggio da leggere
Allegato(i) Dettagli della specie
Ophonus (Hesperophonus) cribricollis (Dejean, 1829)
Carabidae


XI.2020 - ITALIA - Lombardia - MN
Coleoptera

Antonio Umberto

8

888

12/03/2021, 18:19

gomphus Vedi ultimo messaggio

Nessun messaggio da leggere
Pterostichus (Pterostichus) micans Heer, 1841 - Carabidae
23.IX.2018 - ITALIA - Veneto - BL
Allegato(i) Dettagli della specie
Pterostichus (Pterostichus) micans Heer, 1841
Carabidae

[ Vai alla paginaVai alla pagina: 1, 2 ]



23.IX.2018 - ITALIA - Veneto - BL
Coleoptera

silviastef

23

1944

08/03/2021, 23:06

gomphus Vedi ultimo messaggio

Nessun messaggio da leggere
Allegato(i) Dettagli della specie
Harpalus (Harpalus) luteicornis (Duftschmid, 1812)
Carabidae


5.VII.2019 - ITALIA - Veneto - BL
Coleoptera

silviastef

2

409

05/03/2021, 17:44

silviastef Vedi ultimo messaggio

Nessun messaggio da leggere
Amara (Bradytus) consularis (Duftschmid, 1812) - Carabidae
3.VII.2020 - ITALIA - Umbria - PG
Allegato(i) Dettagli della specie
Amara (Bradytus) consularis (Duftschmid, 1812)
Carabidae


3.VII.2020 - ITALIA - Umbria - PG
Coleoptera

StagBeetle

0

397

28/02/2021, 22:54

StagBeetle Vedi ultimo messaggio

Nessun messaggio da leggere
Allegato(i) Dettagli della specie
Pterostichus (Pterostichus) focarilei Casale, & Giachino, 1985
Carabidae


23.V.1989 - ITALIA - Basilicata - PZ
Coleoptera

hypotyphlus

2

476

27/02/2021, 21:01

hypotyphlus Vedi ultimo messaggio

Nessun messaggio da leggere
Pterostichus (Oreophilus) ziegleri (Duftschmid, 1812) - Carabidae
13.VII.1999 - ITALIA - Friuli-Venezia Giulia - UD
Allegato(i) Dettagli della specie
Pterostichus (Oreophilus) ziegleri (Duftschmid, 1812)
Carabidae


13.VII.1999 - ITALIA - Friuli-Venezia Giulia - UD
Coleoptera

hypotyphlus

2

452

27/02/2021, 21:00

hypotyphlus Vedi ultimo messaggio

Nessun messaggio da leggere
Allegato(i) Dettagli della specie
Pterostichus (Feronidius) melas melas (Creutzer, 1799)
Carabidae


18.II.2021 - ITALIA - Lazio - RM
Coleoptera

wgliinsetti

10

954

22/02/2021, 11:54

wgliinsetti Vedi ultimo messaggio

Nessun messaggio da leggere
Harpalus (Harpalus) atratus Latreille, 1804 - Carabidae
12.II.2021 - ITALIA - Lazio - RM
Allegato(i) Dettagli della specie
Harpalus (Harpalus) atratus Latreille, 1804
Carabidae


12.II.2021 - ITALIA - Lazio - RM
Coleoptera

wgliinsetti

3

593

20/02/2021, 22:36

gomphus Vedi ultimo messaggio

Nessun messaggio da leggere
Amara (Amara) aenea (De Geer, 1774) - Carabidae
10.II.2021 - ITALIA - Lazio - RM
Allegato(i) Dettagli della specie
Amara (Amara) aenea (De Geer, 1774)
Carabidae


10.II.2021 - ITALIA - Lazio - RM
Coleoptera

wgliinsetti

3

712

15/02/2021, 18:04

wgliinsetti Vedi ultimo messaggio

Nessun messaggio da leggere
Pterostichus (Haptoderus) josephi Csiki, 1930 - Carabidae
6.VII.2019 - ITALIA - Veneto - BL
Allegato(i) Dettagli della specie
Pterostichus (Haptoderus) josephi Csiki, 1930
Carabidae


6.VII.2019 - ITALIA - Veneto - BL
Coleoptera

silviastef

11

1246

14/02/2021, 19:19

silviastef Vedi ultimo messaggio

Nessun messaggio da leggere
Orotrechus gracilis Meggiolaro, 1961 - Carabidae
15.VI.1990 - ITALIA - Veneto - TV
Allegato(i) Dettagli della specie
Orotrechus gracilis Meggiolaro, 1961
Carabidae


15.VI.1990 - ITALIA - Veneto - TV
Coleoptera

eurinomio

9

1061

09/02/2021, 23:25

eurinomio Vedi ultimo messaggio

Nessun messaggio da leggere
Cryptophonus tenebrosus (Dejean, 1829) - Carabidae
3.VII.2020 - ITALIA - Umbria - PG
Allegato(i) Dettagli della specie
Cryptophonus tenebrosus (Dejean, 1829)
Carabidae


3.VII.2020 - ITALIA - Umbria - PG
Coleoptera

StagBeetle

9

681

09/02/2021, 9:54

Notoxus59 Vedi ultimo messaggio

Nessun messaggio da leggere
Allegato(i) Dettagli della specie
Harpalus (Harpalus) flavicornis flavicornis Dejean, 1829
Carabidae


3.II.2021 - ITALIA - Lazio - RM
Coleoptera

wgliinsetti

5

667

08/02/2021, 14:25

wgliinsetti Vedi ultimo messaggio

Nessun messaggio da leggere
Allegato(i) Dettagli della specie
Brachinus (Brachynidius) explodens Duftschmid, 1812
Carabidae


2.II.2021 - ITALIA - Lazio - RM
Coleoptera

wgliinsetti

4

597

08/02/2021, 14:17

Notoxus59 Vedi ultimo messaggio

Nessun messaggio da leggere
Allegato(i) Dettagli della specie
Brachinus (Brachinoaptinus) italicus (Dejean, 1831)
Carabidae


4.II.2021 - ITALIA - Lazio - RM
Coleoptera

wgliinsetti

3

538

08/02/2021, 13:04

wgliinsetti Vedi ultimo messaggio

Nessun messaggio da leggere
Allegato(i) Dettagli della specie
Platyderus (Platyderus) neapolitanus (Reiche, 1855)
Carabidae


2.II.2021 - ITALIA - Lazio - RM
Coleoptera

soken

2

406

05/02/2021, 1:30

soken Vedi ultimo messaggio

Nessun messaggio da leggere
Ophonus (Metophonus) subsinuatus Rey, 1886 - Carabidae
6.IV.1992 - ITALIA - Toscana - GR
Allegato(i) Dettagli della specie
Ophonus (Metophonus) subsinuatus Rey, 1886
Carabidae


6.IV.1992 - ITALIA - Toscana - GR
Coleoptera

hypotyphlus

0

308

04/02/2021, 22:03

hypotyphlus Vedi ultimo messaggio

Nessun messaggio da leggere
Syntomus foveatus (Geoffroy in Fourcroy, 1785) - Carabidae
27.VIII.1998 - ITALIA - Abruzzo - AQ
Allegato(i) Dettagli della specie
Syntomus foveatus (Geoffroy in Fourcroy, 1785)
Carabidae


27.VIII.1998 - ITALIA - Abruzzo - AQ
Coleoptera

hypotyphlus

0

349

04/02/2021, 22:00

hypotyphlus Vedi ultimo messaggio

Nessun messaggio da leggere
Lymnastis paladinii Magrini, 2010 - Carabidae
1.VI.2012 - ITALIA - Emilia-Romagna - FC
Allegato(i) Dettagli della specie
Lymnastis paladinii Magrini, 2010
Carabidae


1.VI.2012 - ITALIA - Emilia-Romagna - FC
Coleoptera

Loriscola

11

1465

01/02/2021, 20:58

Notoxus59 Vedi ultimo messaggio

Nessun messaggio da leggere
Orotrechus fiorii (Alzona, 1899) - Carabidae
8.VII.1984 - ITALIA - Veneto - TV
Allegato(i) Dettagli della specie
Orotrechus fiorii (Alzona, 1899)
Carabidae


8.VII.1984 - ITALIA - Veneto - TV
Coleoptera

hypotyphlus

0

322

29/01/2021, 17:42

hypotyphlus Vedi ultimo messaggio

Visualizza ultimi argomenti:  Ordina per  Ordine:  
nuovo argomento
Vai alla pagina Precedente  1 ... 7, 8, 9, 10, 11, 12, 13 ... 31  Prossimo
Pagina 10 di 31 [ 1517 argomenti ]

Tutti gli orari sono UTC + 1 ora [ ora legale ]


Chi c’è in linea

Visitano il forum: Nessuno e 4 ospiti


Legenda
Messaggi da leggere Messaggi da leggere Nessun messaggio da leggere Nessun messaggio da leggere Annuncio Annuncio
 
Specie indeterminata / discussione generica
Messaggi non letti [ Popolari ] Messaggi non letti [ Popolari ] Nessun messaggio da leggere [ Popolare ] Nessun messaggio da leggere [ Popolare ] Importante Importante
 
Specie determinata fino al genere o cf.
Messaggi non letti [ Bloccati ] Messaggi non letti [ Bloccati ] No messaggi non letti [ Bloccati ] No messaggi non letti [ Bloccati ] Argomento spostato Argomento spostato
 
Specie correttamente determinata
Permessi
Non puoi aprire nuovi argomenti
Non puoi rispondere negli argomenti
Non puoi modificare i tuoi messaggi
Non puoi cancellare i tuoi messaggi
Non puoi inviare allegati

Cerca per:
Vai a: