Benvenuto Ospite

Forum Entomologi Italiani

www.entomologiitaliani.net/forum
 
Oggi è 26/10/2025, 20:47

Tutti gli orari sono UTC + 1 ora [ ora legale ]

 Forum   Argomenti   Messaggi   Ultimo messaggio 
Nessun messaggio da leggere
Filtro località
Carabidae indeterminati

906

4124

10/09/2025, 12:26

pietro lo cascio Vedi ultimo messaggio




 
nessun taxon determinato correttamente in questo archivio

Carabidae


[ AFROTROPICALE ] [ ANTARTICO ] [ AUSTRALASIANO ] [ NEARTICO ] [ NEOTROPICALE ] [ ORIENTALE ] [ PALEARTICO ]


nuovo argomento
Vai alla pagina Precedente  1 ... 11, 12, 13, 14, 15, 16, 17 ... 79  Prossimo
Pagina 14 di 79 [ 3922 argomenti ]
 Argomenti   Ordine   Autore   Risposte   Visite    Ultimo messaggio 
Annunci
Nessun messaggio da leggere
Allegato(i)
Incontri entomologici telematici organizzati dalla Società Entomologica Italiana nel 2022 e nel 2023

[ Vai alla paginaVai alla pagina: 1, 2, 3 ]

 

Velvet Ant

44

1372195

03/03/2023, 15:55

Velvet Ant Vedi ultimo messaggio

Nessun messaggio da leggere  
Allegato(i)
Sondaggio sul declino dell'entomofauna in Italia

[ Vai alla paginaVai alla pagina: 1, 2, 3, 4 ]

 

Velvet Ant

52

1689477

22/10/2022, 19:18

Acquarius Vedi ultimo messaggio

Nessun messaggio da leggere  
Allegato(i)
Progetto: Bibliografia ragionata dei lavori entomologici nei quali sono citati reperti apparsi su FEI

[ Vai alla paginaVai alla pagina: 1, 2, 3 ]

 

Velvet Ant

33

1128489

06/07/2023, 18:31

Orotrechus Vedi ultimo messaggio

Nessun messaggio da leggere
Allegato(i)
Mimesi, il primo documentario cinematografico sull’entomologia in Italia: casting
 

mazzeip

1

446200

28/02/2019, 20:26

mazzeip Vedi ultimo messaggio

Questo argomento è bloccato, non puoi modificare o inviare ulteriori messaggi.
Allegato(i)
ISTRUZIONI PUBBLICAZIONE NUOVI ARGOMENTI E FOTO

 
Altri Ordini di Insetti

Julodis

4

792143

13/05/2015, 19:37

Julodis Vedi ultimo messaggio

Nessun messaggio da leggere
Allegato(i)
Limitatore giornaliero di messaggi, uno strumento utile e ormai indispensabile

[ Vai alla paginaVai alla pagina: 1 ... 14, 15, 16 ]

 

Velvet Ant

233

8407019

25/09/2014, 14:31

Inachis Vedi ultimo messaggio

Nessun messaggio da leggere  
NORME PER I COLLABORATORI DEL FORUM

 
 

Velvet Ant

0

472720

02/06/2011, 12:05

Velvet Ant Vedi ultimo messaggio

Nessun messaggio da leggere
Allegato(i)
NORME PER GLI UTENTI DEL FORUM

[ Vai alla paginaVai alla pagina: 1, 2, 3 ]



 
 

Velvet Ant

30

2304798

23/09/2014, 23:54

Maurizio Bollino Vedi ultimo messaggio

Nessun messaggio da leggere  
Lista degli utenti del "Forum entomologi italiani" per campi di interesse e specializzazione

 
Altri Ordini di Insetti

Velvet Ant

13

928942

07/09/2023, 17:14

Roberto-07 Vedi ultimo messaggio

Argomenti
Nessun messaggio da leggere
Harpalus (Harpalus) atratus Latreille, 1804 - Carabidae
14.VI.2013 - ITALIA - Piemonte - TO
Allegato(i)
Harpalus (Harpalus) atratus Latreille, 1804 - Carabidae

14.VI.2013 - ITALIA - Piemonte - TO
Coleoptera

ruzzpa

1

773

18/02/2018, 22:33

gomphus Vedi ultimo messaggio

Nessun messaggio da leggere
Trechus binotatus Putzeys, 1870 - Carabidae
11.II.2018 - ITALIA - Lombardia - CR
Allegato(i)
Trechus binotatus Putzeys, 1870 - Carabidae

11.II.2018 - ITALIA - Lombardia - CR
Coleoptera

Rothari

5

1160

15/02/2018, 20:25

Rothari Vedi ultimo messaggio

Nessun messaggio da leggere
Ophonus (Ophonus) diffinis (Dejean, 1829) (cf.) - Carabidae
10.IX.2017 - ITALIA - Toscana - FI
Allegato(i)
Ophonus (Ophonus) diffinis (Dejean, 1829) (cf.) - Carabidae

10.IX.2017 - ITALIA - Toscana - FI
Coleoptera

Dicomed

3

981

13/02/2018, 20:43

Dicomed Vedi ultimo messaggio

Nessun messaggio da leggere
Calathus (Calathus) montivagus Dejean, 1831 - Carabidae
15.XI.2017 - ITALIA - Toscana - FI
Allegato(i)
Calathus (Calathus) montivagus Dejean, 1831 - Carabidae

15.XI.2017 - ITALIA - Toscana - FI
Coleoptera

Dicomed

5

960

02/02/2018, 0:28

Dicomed Vedi ultimo messaggio

Nessun messaggio da leggere
Pterostichus (Pterostichus) micans Heer, 1841 - Carabidae
16.V.2017 - ITALIA - Toscana - FI
Allegato(i)
Pterostichus (Pterostichus) micans Heer, 1841 - Carabidae

16.V.2017 - ITALIA - Toscana - FI
Coleoptera

Dicomed

2

503

01/02/2018, 22:47

Dicomed Vedi ultimo messaggio

Nessun messaggio da leggere
Notiophilus substriatus Waterhouse, 1833 - Carabidae
21.I.2018 - ITALIA - Lazio - RM
Allegato(i)
Notiophilus substriatus Waterhouse, 1833 - Carabidae

21.I.2018 - ITALIA - Lazio - RM
Coleoptera

Edo

4

777

31/01/2018, 22:24

Edo Vedi ultimo messaggio

Nessun messaggio da leggere
Bembidion (Bembidionetolitzkya) ascendens K. Daniel, 1902 - Carabidae
23.VI.2017 - ITALIA - Friuli-Venezia Giulia - PN
Allegato(i)
Bembidion (Bembidionetolitzkya) ascendens K. Daniel, 1902 - Carabidae

23.VI.2017 - ITALIA - Friuli-Venezia Giulia - PN
Coleoptera

Agdistis

6

1227

23/01/2018, 22:30

Tenebrio Vedi ultimo messaggio

Nessun messaggio da leggere
Agonum (Olisares) sexpunctatum (Linnaeus, 1758) - Carabidae
11.VIII.2012 - ITALIA - Trentino-Alto Adige - TN
Allegato(i)
Agonum (Olisares) sexpunctatum (Linnaeus, 1758) - Carabidae

11.VIII.2012 - ITALIA - Trentino-Alto Adige - TN
Coleoptera

StagBeetle

1

597

22/01/2018, 21:57

Julodis Vedi ultimo messaggio

Nessun messaggio da leggere
Amara (Amara) aenea (De Geer, 1774) - Carabidae
4.VIII.2017 - ITALIA - Friuli-Venezia Giulia - GO
Allegato(i)
Amara (Amara) aenea (De Geer, 1774) - Carabidae

4.VIII.2017 - ITALIA - Friuli-Venezia Giulia - GO
Coleoptera

Agdistis

2

683

19/01/2018, 21:55

Agdistis Vedi ultimo messaggio

Nessun messaggio da leggere
Notiophilus palustris (Duftschmid, 1812) - Carabidae
26.V.2017 - ITALIA - Friuli-Venezia Giulia - UD
Allegato(i)
Notiophilus palustris (Duftschmid, 1812) - Carabidae

26.V.2017 - ITALIA - Friuli-Venezia Giulia - UD
Coleoptera

Agdistis

5

1000

19/01/2018, 10:17

Agdistis Vedi ultimo messaggio

Nessun messaggio da leggere
Trichotichnus knauthi Ganglbauer, 1901 - Carabidae
23.VI.2017 - ITALIA - Friuli-Venezia Giulia - PN
Allegato(i)
Trichotichnus knauthi Ganglbauer, 1901 - Carabidae

23.VI.2017 - ITALIA - Friuli-Venezia Giulia - PN
Coleoptera

Agdistis

2

690

19/01/2018, 10:16

Agdistis Vedi ultimo messaggio

Nessun messaggio da leggere
Sinechostictus (Sinechostictus) ruficornis (Sturm, 1825) - Carabidae
23.VI.2017 - ITALIA - Friuli-Venezia Giulia - PN
Allegato(i)
Sinechostictus (Sinechostictus) ruficornis (Sturm, 1825) - Carabidae

23.VI.2017 - ITALIA - Friuli-Venezia Giulia - PN
Coleoptera

Agdistis

10

2183

18/01/2018, 20:01

Notoxus59 Vedi ultimo messaggio

Nessun messaggio da leggere
Ophonus (Metophonus) laticollis Mannerheim, 1825 - Carabidae
26.V.2017 - ITALIA - Friuli-Venezia Giulia - UD
Allegato(i)
Ophonus (Metophonus) laticollis Mannerheim, 1825 - Carabidae

26.V.2017 - ITALIA - Friuli-Venezia Giulia - UD
Coleoptera

Agdistis

6

1596

18/01/2018, 12:19

ricdoc57 Vedi ultimo messaggio

Nessun messaggio da leggere
Allegato(i)
Metallina (Metallina) lampros (Herbst, 1784) e Metallina (Metallina) properans (Stephens, 1828) - Carabidae

[ Vai alla paginaVai alla pagina: 1, 2 ]



1.VIII.2017 - ITALIA - Lombardia - CO
Coleoptera

Rothari

23

4459

18/01/2018, 1:13

Tc70 Vedi ultimo messaggio

Nessun messaggio da leggere
Anchomenus (Anchodemus) cyaneus Dejean, 1828 - Carabidae
23.VI.2017 - ITALIA - Friuli-Venezia Giulia - PN
Allegato(i)
Anchomenus (Anchodemus) cyaneus Dejean, 1828 - Carabidae

23.VI.2017 - ITALIA - Friuli-Venezia Giulia - PN
Coleoptera

Agdistis

2

1257

17/01/2018, 20:30

Agdistis Vedi ultimo messaggio

Nessun messaggio da leggere
Pogonus (Pogonus) riparius Dejean, 1828 - Carabidae
17.V.2015 - ITALIA - Veneto - VE
Allegato(i)
Pogonus (Pogonus) riparius Dejean, 1828 - Carabidae

17.V.2015 - ITALIA - Veneto - VE
Coleoptera

Stefano79

3

1094

16/01/2018, 18:17

Stefano79 Vedi ultimo messaggio

Nessun messaggio da leggere
Chlaenius (Chlaenius) festivus (Panzer, 1796) - Carabidae
13.IV.2014 - ITALIA - Toscana - LI
Allegato(i)
Chlaenius (Chlaenius) festivus (Panzer, 1796) - Carabidae

13.IV.2014 - ITALIA - Toscana - LI
Coleoptera

StagBeetle

1

798

16/01/2018, 17:27

Nicola Vedi ultimo messaggio

Nessun messaggio da leggere
Ditomus clypeatus (Rossi, 1790) - Carabidae
20.V.2015 - ITALIA - Abruzzo - AQ
Allegato(i)
Ditomus clypeatus (Rossi, 1790) - Carabidae

20.V.2015 - ITALIA - Abruzzo - AQ
Coleoptera

StagBeetle

2

777

16/01/2018, 13:14

StagBeetle Vedi ultimo messaggio

Nessun messaggio da leggere
Amara (Celia) erratica (Duftschmid, 1812) (cf.) - Carabidae
26.V.2017 - ITALIA - Friuli-Venezia Giulia - UD
Allegato(i)
Amara (Celia) erratica (Duftschmid, 1812) (cf.) - Carabidae

26.V.2017 - ITALIA - Friuli-Venezia Giulia - UD
Coleoptera

Agdistis

3

1339

15/01/2018, 23:37

Agdistis Vedi ultimo messaggio

Nessun messaggio da leggere
Trichotichnus (Trichotichnus) laevicollis (Duftschmid, 1812) - Carabidae
26.V.2017 - ITALIA - Friuli-Venezia Giulia - UD
Allegato(i)
Trichotichnus (Trichotichnus) laevicollis (Duftschmid, 1812) - Carabidae

26.V.2017 - ITALIA - Friuli-Venezia Giulia - UD
Coleoptera

Agdistis

6

1666

15/01/2018, 23:36

Agdistis Vedi ultimo messaggio

Nessun messaggio da leggere
Pterostichus (Oreophilus) jurinei (Panzer, 1803) - Carabidae
26.V.2017 - ITALIA - Friuli-Venezia Giulia - UD
Allegato(i)
Pterostichus (Oreophilus) jurinei (Panzer, 1803) - Carabidae

26.V.2017 - ITALIA - Friuli-Venezia Giulia - UD
Coleoptera

Agdistis

2

650

15/01/2018, 0:20

Agdistis Vedi ultimo messaggio

Nessun messaggio da leggere
Allegato(i)
Cicindela (Cicindela) campestris campestris Linnaeus, 1758 - Carabidae Cicindelinae

10.I.2018 - ITALIA - Lazio - RM
Coleoptera

Julodis

8

1199

11/01/2018, 20:34

Julodis Vedi ultimo messaggio

Nessun messaggio da leggere
Pogonistes rufoaeneus (Dejean, 1828) - Carabidae
17.V.2015 - ITALIA - Veneto - VE
Allegato(i)
Pogonistes rufoaeneus (Dejean, 1828) - Carabidae

17.V.2015 - ITALIA - Veneto - VE
Coleoptera

Stefano79

3

821

09/01/2018, 17:42

Stefano79 Vedi ultimo messaggio

Nessun messaggio da leggere
Allegato(i)
Laemostenus (Antisphodrus) elongatus (Dejean, 1828) - Carabidae - con località errata !!!

VII.2016 - ITALIA - Sardegna - OR
Coleoptera

Nicola

7

1658

08/01/2018, 22:47

gomphus Vedi ultimo messaggio

Nessun messaggio da leggere
Allegato(i)
Laemostenus (Pristonychus) algerinus algerinus (Gory, 1833) - Carabidae

2.VI.2017 - ITALIA - Sicilia - CT
Coleoptera

Nicola

3

1142

08/01/2018, 17:22

skapc66 Vedi ultimo messaggio

Nessun messaggio da leggere
Allegato(i)
Ophonus (Metophonus) puncticeps Stephens, 1828 (cf.) - Carabidae Harpalinae Harpalini

VII.2017 - ITALIA - Abruzzo - CH
Coleoptera

Nicola

2

626

06/01/2018, 16:27

Nicola Vedi ultimo messaggio

Nessun messaggio da leggere
Allegato(i)
Pseudoophonus (Platus) calceatus (Duftschmid, 1812) - Carabidae Harpalinae.

VIII.2017 - ITALIA - Emilia-Romagna - RA
Coleoptera

Nicola

6

1104

01/01/2018, 16:49

Nicola Vedi ultimo messaggio

Nessun messaggio da leggere
Trechus binotatus Putzeys, 1870 - Carabidae
16.IX.2017 - ITALIA - Marche - PU
Allegato(i)
Trechus binotatus Putzeys, 1870 - Carabidae

16.IX.2017 - ITALIA - Marche - PU
Coleoptera

StagBeetle

8

1392

26/12/2017, 15:53

Notoxus59 Vedi ultimo messaggio

Nessun messaggio da leggere
Amblystomus metallescens (Dejean, 1829) - Carabidae
23.VI.2015 - ITALIA - Sardegna - CA
Allegato(i)
Amblystomus metallescens (Dejean, 1829) - Carabidae

23.VI.2015 - ITALIA - Sardegna - CA
Coleoptera

Agdistis

4

723

25/12/2017, 19:13

Agdistis Vedi ultimo messaggio

Nessun messaggio da leggere
Allegato(i)
Ophonus (Hesperophonus) subquadratus (Dejean, 1829) - Carabidae

24.IX.2017 - ITALIA - Marche - AN
Coleoptera

StagBeetle

4

731

25/12/2017, 18:17

Notoxus59 Vedi ultimo messaggio

Nessun messaggio da leggere
Allegato(i)
Trechus (Trechus) quadristriatus (Schrank, 1781) - Carabidae

X.2016 - ITALIA - Marche - AN
Coleoptera

StagBeetle

2

570

25/12/2017, 18:11

Notoxus59 Vedi ultimo messaggio

Nessun messaggio da leggere
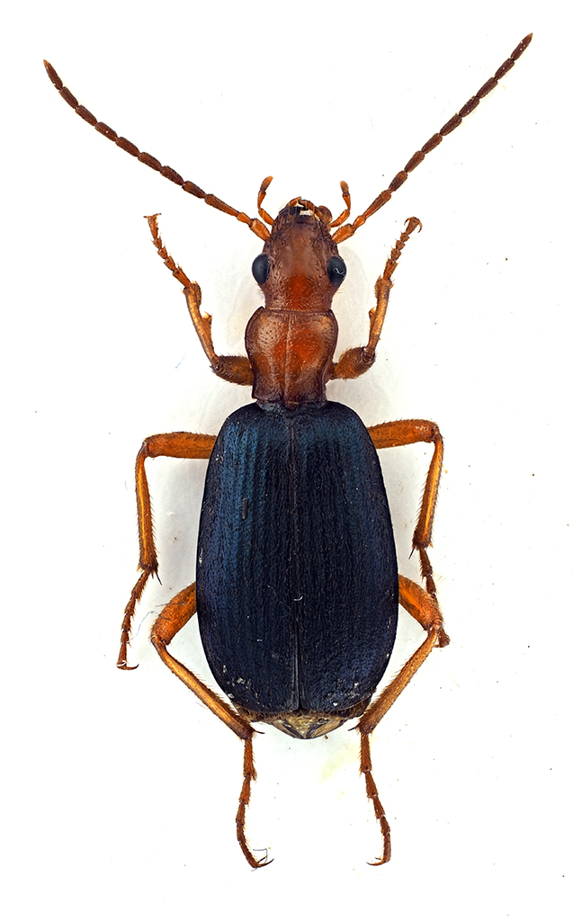
Brachinus (Brachinus) crepitans (Linnaeus, 1758) - Carabidae
24.IX.2017 - ITALIA - Marche - AN
Allegato(i)
Brachinus (Brachinus) crepitans (Linnaeus, 1758) - Carabidae

24.IX.2017 - ITALIA - Marche - AN
Coleoptera

StagBeetle

4

746

25/12/2017, 17:21

StagBeetle Vedi ultimo messaggio

Nessun messaggio da leggere
Allegato(i)
Ophonus (Metophonus) puncticeps Stephens, 1828 - Carabidae

5.X.2016 - ITALIA - Marche - AN
Coleoptera

StagBeetle

2

606

25/12/2017, 17:15

StagBeetle Vedi ultimo messaggio

Nessun messaggio da leggere
Allegato(i)
Harpalus (Harpalus) dimidiatus (P. Rossi, 1790) - Carabidae

8.X.2017 - ITALIA - Marche - PU
Coleoptera

StagBeetle

1

466

25/12/2017, 17:13

Notoxus59 Vedi ultimo messaggio

Nessun messaggio da leggere
Trechus binotatus Putzeys, 1870 - Carabidae
3.VIII.2014 - ITALIA - Marche - MC
Allegato(i)
Trechus binotatus Putzeys, 1870 - Carabidae

3.VIII.2014 - ITALIA - Marche - MC
Coleoptera

StagBeetle

2

698

25/12/2017, 17:12

Notoxus59 Vedi ultimo messaggio

Nessun messaggio da leggere
Microlestes fulvibasis (Reitter, 1901) - Carabidae
24.IX.2017 - ITALIA - Marche - AN
Allegato(i)
Microlestes fulvibasis (Reitter, 1901) - Carabidae

24.IX.2017 - ITALIA - Marche - AN
Coleoptera

StagBeetle

6

999

25/12/2017, 17:02

StagBeetle Vedi ultimo messaggio

Nessun messaggio da leggere
Ophonus (Metophonus) puncticeps Stephens, 1828 - Carabidae
8.IX.2016 - ITALIA - Marche - AN
Allegato(i)
Ophonus (Metophonus) puncticeps Stephens, 1828 - Carabidae

8.IX.2016 - ITALIA - Marche - AN
Coleoptera

StagBeetle

2

605

25/12/2017, 16:59

StagBeetle Vedi ultimo messaggio

Nessun messaggio da leggere
Allegato(i)
Notiophilus geminatus Dejean & Boisduval, 1830 (cf.) - Carabidae

31.X.2017 - ITALIA - Marche - AN
Coleoptera

StagBeetle

0

351

25/12/2017, 16:44

StagBeetle Vedi ultimo messaggio

Nessun messaggio da leggere
Stenolophus (Egadroma) marginatus Dejean, 1829 - Carabidae
19.XII.2017 - ITALIA - Lazio - RM
Allegato(i)
Stenolophus (Egadroma) marginatus Dejean, 1829 - Carabidae

19.XII.2017 - ITALIA - Lazio - RM
Coleoptera

soken

4

555

22/12/2017, 16:04

soken Vedi ultimo messaggio

Nessun messaggio da leggere
Allegato(i)
Ocydromus (Euperyphus) testaceus testaceus (Duftschmid, 1812) - Carabidae

27.VIII.2017 - ITALIA - Lombardia - CR
Coleoptera

Rothari

6

760

21/12/2017, 17:02

Rothari Vedi ultimo messaggio

Nessun messaggio da leggere
Leistus (Leistus) nitidus (Duftschmid, 1812) - Carabidae
26.V.2017 - ITALIA - Friuli-Venezia Giulia - UD
Allegato(i)
Leistus (Leistus) nitidus (Duftschmid, 1812) - Carabidae

26.V.2017 - ITALIA - Friuli-Venezia Giulia - UD
Coleoptera

Agdistis

4

942

18/12/2017, 21:39

Agdistis Vedi ultimo messaggio

Nessun messaggio da leggere
Allegato(i)
Pterostichus (Feronidius) melas (Creutzer 1799) (sensu lato) - Carabidae, Pterostichinae.

19.V.2010 - ITALIA - Puglia - FG
Coleoptera

Maurizio Bollino

7

1777

30/11/2017, 19:48

marco villa Vedi ultimo messaggio

Nessun messaggio da leggere
Cychrus italicus Bonelli, 1810 - Carabidae
1.XI.2017 - ITALIA - Lombardia - BS
Allegato(i)
Cychrus italicus Bonelli, 1810 - Carabidae

1.XI.2017 - ITALIA - Lombardia - BS
Coleoptera

Rothari

5

956

30/11/2017, 0:51

Tc70 Vedi ultimo messaggio

Nessun messaggio da leggere
Allegato(i)
Harpalus (Harpalus) luteicornis (Duftschmid, 1812) - Carabidae, Harpalinae.

23.XI.2015 - ITALIA - Emilia-Romagna - FE
Coleoptera

Stefano79

6

1417

29/11/2017, 20:08

Stefano79 Vedi ultimo messaggio

Nessun messaggio da leggere
Amara (Amara) nitida Sturm, 1825 (cf.) - Carabidae
17.IV.2010 - ITALIA - Veneto - BL
Allegato(i)
Amara (Amara) nitida Sturm, 1825 (cf.) - Carabidae

17.IV.2010 - ITALIA - Veneto - BL
Coleoptera

StagBeetle

0

604

27/11/2017, 23:14

StagBeetle Vedi ultimo messaggio

Nessun messaggio da leggere
Phyla tethys (Netolitzky, 1926) - Carabidae
XI.2016 - ITALIA - Sardegna - NU
Allegato(i)
Phyla tethys (Netolitzky, 1926) - Carabidae

XI.2016 - ITALIA - Sardegna - NU
Coleoptera

Agdistis

2

607

27/11/2017, 19:41

Agdistis Vedi ultimo messaggio

Nessun messaggio da leggere
Allegato(i)
Carabus (Macrothorax) morbillosus constantinus Kraatz, 1899 - Carabidae

2.VII.2014 - ITALIA - Toscana - GR
Coleoptera

skip

6

1362

27/11/2017, 16:38

ivo Vedi ultimo messaggio

Nessun messaggio da leggere
Allegato(i)
Ocydromus (Nepha) callosus callosus (Küster, 1847) - Carabidae

X.2016 - ITALIA - Sardegna - CA
Coleoptera

Agdistis

2

423

26/11/2017, 21:25

Agdistis Vedi ultimo messaggio

Nessun messaggio da leggere
Asaphidion flavipes (Linnaeus, 1761) (cf.) - Carabidae
20.XI.2017 - ITALIA - Lombardia - BS
Allegato(i)
Asaphidion flavipes (Linnaeus, 1761) (cf.) - Carabidae

20.XI.2017 - ITALIA - Lombardia - BS
Coleoptera

Rothari

1

345

25/11/2017, 21:28

marco villa Vedi ultimo messaggio

Nessun messaggio da leggere
Asaphidion stierlini (Heyden, 1880) - Carabidae
20.XI.2017 - ITALIA - Lombardia - BS
Allegato(i)
Asaphidion stierlini (Heyden, 1880) - Carabidae

20.XI.2017 - ITALIA - Lombardia - BS
Coleoptera

Rothari

2

448

24/11/2017, 21:56

Rothari Vedi ultimo messaggio

Visualizza ultimi argomenti:  Ordina per  Ordine:  
nuovo argomento
Vai alla pagina Precedente  1 ... 11, 12, 13, 14, 15, 16, 17 ... 79  Prossimo
Pagina 14 di 79 [ 3922 argomenti ]

Tutti gli orari sono UTC + 1 ora [ ora legale ]


Chi c’è in linea

Visitano il forum: Nessuno e 13 ospiti


Legenda
Messaggi da leggere Messaggi da leggere Nessun messaggio da leggere Nessun messaggio da leggere Annuncio Annuncio
 
Specie indeterminata / discussione generica
Messaggi non letti [ Popolari ] Messaggi non letti [ Popolari ] Nessun messaggio da leggere [ Popolare ] Nessun messaggio da leggere [ Popolare ] Importante Importante
 
Specie determinata fino al genere o cf.
Messaggi non letti [ Bloccati ] Messaggi non letti [ Bloccati ] No messaggi non letti [ Bloccati ] No messaggi non letti [ Bloccati ] Argomento spostato Argomento spostato
 
Specie correttamente determinata
Permessi
Non puoi aprire nuovi argomenti
Non puoi rispondere negli argomenti
Non puoi modificare i tuoi messaggi
Non puoi cancellare i tuoi messaggi
Non puoi inviare allegati

Cerca per:
Vai a: