Benvenuto Ospite

Forum Entomologi Italiani

www.entomologiitaliani.net/forum
 
Oggi è 27/10/2025, 0:17

Tutti gli orari sono UTC + 1 ora [ ora legale ]

 Forum   Argomenti   Messaggi   Ultimo messaggio 
Nessun messaggio da leggere
Filtro località
Carabidae indeterminati

906

4124

10/09/2025, 12:26

pietro lo cascio Vedi ultimo messaggio




28% 
1517 taxa correttamente determinati su 5439 presenti in archivio

Carabidae


[ AFROTROPICALE ] [ ANTARTICO ] [ AUSTRALASIANO ] [ NEARTICO ] [ NEOTROPICALE ] [ ORIENTALE ] [ PALEARTICO ]


nuovo argomento
Vai alla pagina Precedente  1 ... 137, 138, 139, 140, 141, 142, 143 ... 153  Prossimo
Pagina 140 di 153 [ 7644 argomenti ]
 Argomenti   Ordine   Autore   Risposte   Visite    Ultimo messaggio 
Annunci
Nessun messaggio da leggere
Allegato(i)
Incontri entomologici telematici organizzati dalla Società Entomologica Italiana nel 2022 e nel 2023

[ Vai alla paginaVai alla pagina: 1, 2, 3 ]

 

Velvet Ant

44

1374464

03/03/2023, 15:55

Velvet Ant Vedi ultimo messaggio

Nessun messaggio da leggere  
Allegato(i)
Sondaggio sul declino dell'entomofauna in Italia

[ Vai alla paginaVai alla pagina: 1, 2, 3, 4 ]

 

Velvet Ant

52

1692369

22/10/2022, 19:18

Acquarius Vedi ultimo messaggio

Nessun messaggio da leggere  
Allegato(i)
Progetto: Bibliografia ragionata dei lavori entomologici nei quali sono citati reperti apparsi su FEI

[ Vai alla paginaVai alla pagina: 1, 2, 3 ]

 

Velvet Ant

33

1130068

06/07/2023, 18:31

Orotrechus Vedi ultimo messaggio

Nessun messaggio da leggere
Allegato(i)
Mimesi, il primo documentario cinematografico sull’entomologia in Italia: casting
 

mazzeip

1

446784

28/02/2019, 20:26

mazzeip Vedi ultimo messaggio

Questo argomento è bloccato, non puoi modificare o inviare ulteriori messaggi.
Allegato(i)
ISTRUZIONI PUBBLICAZIONE NUOVI ARGOMENTI E FOTO

 
Altri Ordini di Insetti

Julodis

4

793371

13/05/2015, 19:37

Julodis Vedi ultimo messaggio

Nessun messaggio da leggere
Allegato(i)
Limitatore giornaliero di messaggi, uno strumento utile e ormai indispensabile

[ Vai alla paginaVai alla pagina: 1 ... 14, 15, 16 ]

 

Velvet Ant

233

8435722

25/09/2014, 14:31

Inachis Vedi ultimo messaggio

Nessun messaggio da leggere  
NORME PER I COLLABORATORI DEL FORUM

 
 

Velvet Ant

0

472947

02/06/2011, 12:05

Velvet Ant Vedi ultimo messaggio

Nessun messaggio da leggere
Allegato(i)
NORME PER GLI UTENTI DEL FORUM

[ Vai alla paginaVai alla pagina: 1, 2, 3 ]



 
 

Velvet Ant

30

2305942

23/09/2014, 23:54

Maurizio Bollino Vedi ultimo messaggio

Nessun messaggio da leggere  
Lista degli utenti del "Forum entomologi italiani" per campi di interesse e specializzazione

 
Altri Ordini di Insetti

Velvet Ant

13

929208

07/09/2023, 17:14

Roberto-07 Vedi ultimo messaggio

Argomenti
Nessun messaggio da leggere
Allegato(i) Dettagli della specie
Agonum (Agonum) menetriesii Faldermann, 1839
Carabidae


ITALIA - Sardegna
Coleoptera

aug

7

859

04/07/2010, 20:38

gabrif Vedi ultimo messaggio

Nessun messaggio da leggere
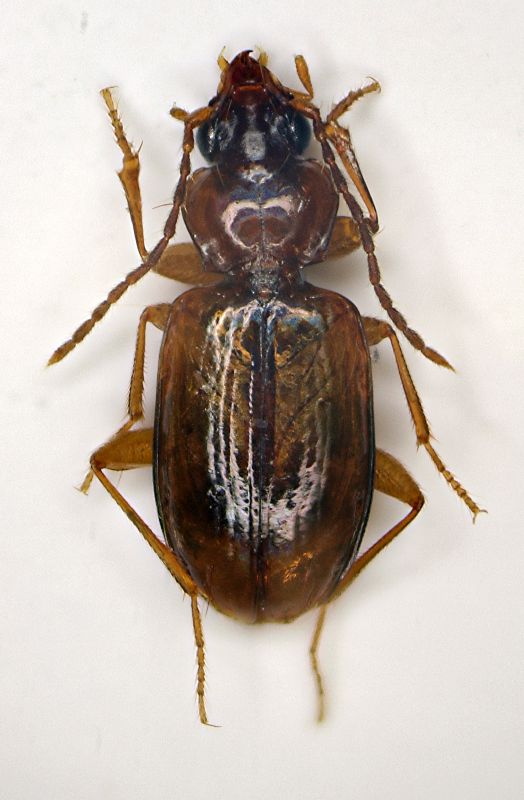
Licinus (Licinus) punctatulus (Fabricius 1792) - Carabidae
22.I.2010 - ITALIA - Sicilia - PA
Allegato(i)
Licinus (Licinus) punctatulus (Fabricius 1792) - Carabidae

22.I.2010 - ITALIA - Sicilia - PA
Coleoptera

carabus

1

439

01/07/2010, 13:01

Anillus Vedi ultimo messaggio

Nessun messaggio da leggere
Calathus (Calathus) fuscipes graecus Dejean 1831 - Carabidae
17.VI.2010 - ITALIA - Abruzzo - PE
Allegato(i)
Calathus (Calathus) fuscipes graecus Dejean 1831 - Carabidae

17.VI.2010 - ITALIA - Abruzzo - PE
Coleoptera

Giuseppe

4

795

30/06/2010, 0:25

Giuseppe Vedi ultimo messaggio

Nessun messaggio da leggere
Amara (Celia) praetermissa (C.R. Sahlberg 1827) - Carabidae
19.VI.2010 - ITALIA - Abruzzo - CH
Allegato(i)
Amara (Celia) praetermissa (C.R. Sahlberg 1827) - Carabidae

19.VI.2010 - ITALIA - Abruzzo - CH
Coleoptera

Giuseppe

2

848

28/06/2010, 22:19

Giuseppe Vedi ultimo messaggio

Nessun messaggio da leggere
Cymindis (Cymindis) etrusca (Bassi, 1834) - Carabidae
12.VI.2010 - ITALIA - Marche - MC
Allegato(i)
Cymindis (Cymindis) etrusca (Bassi, 1834) - Carabidae

12.VI.2010 - ITALIA - Marche - MC
Coleoptera

marco paglialunga

5

700

28/06/2010, 17:55

marco paglialunga Vedi ultimo messaggio

Nessun messaggio da leggere
Europhilus micans (Nicolai, 1822) - Carabidae
VI.2010 - ITALIA - Emilia-Romagna - BO
Allegato(i)
Europhilus micans (Nicolai, 1822) - Carabidae

[ Vai alla paginaVai alla pagina: 1, 2 ]



VI.2010 - ITALIA - Emilia-Romagna - BO
Coleoptera

Loriscola

17

1113

28/06/2010, 12:00

Loriscola Vedi ultimo messaggio

Nessun messaggio da leggere
Allegato(i)
Platyderus (Platyderus) neapolitanus Reiche, 1855 - Carabidae - immaturo

23.VI.2010 - ITALIA - Lazio - RM
Coleoptera

Julodis

2

309

28/06/2010, 9:20

Julodis Vedi ultimo messaggio

Nessun messaggio da leggere
Microlestes cf. fissuralis (Reitter, 1900) - Carabidae
27.VI.2010 - ITALIA - Lazio - RM
Allegato(i)
Microlestes cf. fissuralis (Reitter, 1900) - Carabidae

27.VI.2010 - ITALIA - Lazio - RM
Coleoptera

Julodis

2

324

28/06/2010, 9:16

Julodis Vedi ultimo messaggio

Nessun messaggio da leggere
Carabus (Chaetocarabus) lefebvrei bayardi Solier, 1835
24.VI.2010 - ITALIA - Lazio - RM
Allegato(i)
Carabus (Chaetocarabus) lefebvrei bayardi Solier, 1835

24.VI.2010 - ITALIA - Lazio - RM
Coleoptera

Julodis

0

408

26/06/2010, 0:07

Julodis Vedi ultimo messaggio

Nessun messaggio da leggere
Oxypselaphus obscurus (Herbst, 1784) - Carabidae
VI.2010 - ITALIA - Lombardia - LC
Allegato(i)
Oxypselaphus obscurus (Herbst, 1784) - Carabidae

VI.2010 - ITALIA - Lombardia - LC
Coleoptera

Giuseppe

2

519

25/06/2010, 19:51

Giuseppe Vedi ultimo messaggio

Nessun messaggio da leggere
Percus strictus oberleitneri - Carabidae
24.VI.2010 - ITALIA - Sardegna - CA
Allegato(i)
Percus strictus oberleitneri - Carabidae

24.VI.2010 - ITALIA - Sardegna - CA
Coleoptera

PierFrancescoMurgia

4

678

25/06/2010, 1:51

eurinomio Vedi ultimo messaggio

Nessun messaggio da leggere
Lamprias cyanocephalus (Linnaeus, 1758) - Carabidae
17.VI.2010 - ITALIA - Abruzzo - PE
Allegato(i)
Lamprias cyanocephalus (Linnaeus, 1758) - Carabidae

17.VI.2010 - ITALIA - Abruzzo - PE
Coleoptera

Giuseppe

2

625

23/06/2010, 23:42

Giuseppe Vedi ultimo messaggio

Nessun messaggio da leggere
Allegato(i) Dettagli della specie
Stenolophus (Stenolophus) discophorus (Fischer von Waldheim, 1823)
Carabidae


VI.2010 - ITALIA - Emilia-Romagna - BO
Coleoptera

Loriscola

3

697

23/06/2010, 9:06

Loriscola Vedi ultimo messaggio

Nessun messaggio da leggere
Paratachys bistriatus (Duftschmid, 1812) - Carabidae
VI.2010 - ITALIA - Emilia-Romagna - BO
Allegato(i)
Paratachys bistriatus (Duftschmid, 1812) - Carabidae

VI.2010 - ITALIA - Emilia-Romagna - BO
Coleoptera

Loriscola

3

759

22/06/2010, 20:18

Notoxus59 Vedi ultimo messaggio

Nessun messaggio da leggere
Acupalpus (Acupalpus) meridianus (Linnaeus, 1761) - Carabidae
VI.2010 - ITALIA - Emilia-Romagna - BO
Allegato(i) Dettagli della specie
Acupalpus (Acupalpus) meridianus (Linnaeus, 1761)
Carabidae


VI.2010 - ITALIA - Emilia-Romagna - BO
Coleoptera

Loriscola

2

745

22/06/2010, 20:17

Notoxus59 Vedi ultimo messaggio

Nessun messaggio da leggere
Paratachys fulvicollis (Dejean, 1831) - Carabidae
VI.2010 - ITALIA - Emilia-Romagna - BO
Allegato(i)
Paratachys fulvicollis (Dejean, 1831) - Carabidae

VI.2010 - ITALIA - Emilia-Romagna - BO
Coleoptera

Loriscola

2

574

22/06/2010, 20:17

Notoxus59 Vedi ultimo messaggio

Nessun messaggio da leggere
Trechus quadristriatus (Schrank, 1781) - Carabidae
V.2010 - ITALIA - Emilia-Romagna - BO
Allegato(i)
Trechus quadristriatus (Schrank, 1781) - Carabidae

V.2010 - ITALIA - Emilia-Romagna - BO
Coleoptera

Loriscola

1

467

22/06/2010, 19:31

ricdoc57 Vedi ultimo messaggio

Nessun messaggio da leggere
Allegato(i)
Acinopus (Oedematicus) megacephalus (P. Rossi, 1794) - Carabidae, Harpalinae

13.VI.2010 - ITALIA - Sardegna - CA
Coleoptera

Palaemonetes

3

1006

21/06/2010, 22:05

eurinomio Vedi ultimo messaggio

Nessun messaggio da leggere
Ophonus (Ophonus) sabulicola (Panzer, 1796) - Carabidae
13.VI.2010 - ITALIA - Marche - AN
Allegato(i)
Ophonus (Ophonus) sabulicola (Panzer, 1796) - Carabidae

13.VI.2010 - ITALIA - Marche - AN
Coleoptera

StagBeetle

2

487

20/06/2010, 20:08

StagBeetle Vedi ultimo messaggio

Nessun messaggio da leggere
Allegato(i)
Harpalus (Harpalus) cf. serripes (Quensel in Schönherr, 1806) - Carabidae, Harpalini

12.VI.2010 - ITALIA - Marche - MC
Coleoptera

StagBeetle

2

398

20/06/2010, 20:07

StagBeetle Vedi ultimo messaggio

Nessun messaggio da leggere
Allegato(i) Dettagli della specie
Cylindera (Eugrapha) trisignata trisignata (Dejean in Latreille & Dejean, 1822)
Carabidae


14.VI.2010 - ITALIA - Veneto - VE
Coleoptera

Apoderus

1

432

20/06/2010, 12:15

Plagionotus Vedi ultimo messaggio

Nessun messaggio da leggere
Allegato(i)
Cryptophonus melancholicus (Dejean 1829) - Carabidae, Harpalinae

7.IX.2009 - ITALIA - Toscana - LI
Coleoptera

FORBIX

14

1014

17/06/2010, 0:06

ricdoc57 Vedi ultimo messaggio

Nessun messaggio da leggere
Allegato(i)
Graphipterus exclamationis (Fabricius, 1792) - Carabidae

20.VI.1994 - MAROCCO - EE
Coleoptera

Tenebrio

2

623

13/06/2010, 20:39

Tenebrio Vedi ultimo messaggio

Nessun messaggio da leggere
Pogonus (Pogonus) gilvipes (Dejean 1828) - Carabidae
11.VIII.2008 - ITALIA - Sardegna - NU
Allegato(i)
Pogonus (Pogonus) gilvipes (Dejean 1828) - Carabidae

11.VIII.2008 - ITALIA - Sardegna - NU
Coleoptera

Giuseppe

7

802

13/06/2010, 18:28

Giuseppe Vedi ultimo messaggio

Nessun messaggio da leggere
Parophonus hirsutulus (Dejean, 1829) - Carabidae
11.VIII.2008 - ITALIA - Sardegna - NU
Allegato(i)
Parophonus hirsutulus (Dejean, 1829) - Carabidae

11.VIII.2008 - ITALIA - Sardegna - NU
Coleoptera

Giuseppe

9

963

13/06/2010, 18:27

Giuseppe Vedi ultimo messaggio

Nessun messaggio da leggere
Harpalus (Harpalus) attenuatus (Stephens, 1828) - Carabidae
5.VI.2010 - ITALIA - Sardegna - CA
Allegato(i)
Harpalus (Harpalus) attenuatus (Stephens, 1828) - Carabidae

5.VI.2010 - ITALIA - Sardegna - CA
Coleoptera

Fumea crassiorella

7

739

12/06/2010, 21:20

Tenebrio Vedi ultimo messaggio

Nessun messaggio da leggere
Acinopus picipes (Olivier, 1795) - Carabidae
11.VIII.2008 - ITALIA - Sardegna - NU
Allegato(i)
Acinopus picipes (Olivier, 1795) - Carabidae

11.VIII.2008 - ITALIA - Sardegna - NU
Coleoptera

Giuseppe

2

926

11/06/2010, 20:23

gabrif Vedi ultimo messaggio

Nessun messaggio da leggere
Allegato(i)
Leistus (Pogonophorus) spinibarbis fiorii Lutshnik, 1913 - Carabidae

6.VI.2010 - ITALIA - Marche - AP
Coleoptera

StagBeetle

2

641

10/06/2010, 9:02

StagBeetle Vedi ultimo messaggio

Nessun messaggio da leggere
Amara (Paracelia) samnitica A. Fiori, 1899 - Carabidae
6.VI.2010 - ITALIA - Marche - AN
Allegato(i) Dettagli della specie
Amara (Paracelia) samnitica A. Fiori, 1899
Carabidae


6.VI.2010 - ITALIA - Marche - AN
Coleoptera

StagBeetle

2

638

09/06/2010, 19:33

StagBeetle Vedi ultimo messaggio

Nessun messaggio da leggere
Brachinus (Cnecostolus) bayardi Dejean, 1831 - Carabidae
9.V.2010 - IRAN, REPUBBLICA ISLAMICA DELL' - EE
Allegato(i) Dettagli della specie
Brachinus (Cnecostolus) bayardi Dejean, 1831
Carabidae


9.V.2010 - IRAN, REPUBBLICA ISLAMICA DELL' - EE
Coleoptera

Isotomus

2

564

09/06/2010, 8:27

Isotomus Vedi ultimo messaggio

Nessun messaggio da leggere
Bembidion (Peryphus) tetracolum (Say, 1823) - Carabidae
22.V.2010 - ITALIA - Trentino-Alto Adige - TN
Allegato(i)
Bembidion (Peryphus) tetracolum (Say, 1823) - Carabidae

22.V.2010 - ITALIA - Trentino-Alto Adige - TN
Coleoptera

Andrea Pergine

2

553

08/06/2010, 22:55

Andrea Pergine Vedi ultimo messaggio

Nessun messaggio da leggere
Allegato(i)
Parallelomorphus laevigatus (Fabricius, 1792) - Carabidae.

IV.2010 - ITALIA - Lazio - RM
Coleoptera

elleelle

8

1017

07/06/2010, 23:11

Daniele Sechi Vedi ultimo messaggio

Nessun messaggio da leggere
Omophron limbatum (Fabricius, 1776) - Carabidae
1.VI.2010 - ITALIA - Trentino-Alto Adige - TN
Allegato(i)
Omophron limbatum (Fabricius, 1776) - Carabidae

1.VI.2010 - ITALIA - Trentino-Alto Adige - TN
Coleoptera

Andrea Pergine

4

518

06/06/2010, 21:48

Andrea Pergine Vedi ultimo messaggio

Nessun messaggio da leggere
Allegato(i)
Cypholoba caillaudi boucardi (Chaudoir in Oberthür, 1883) - Carabidae, Anthiinae. Zambia

I.1988 - ZAMBIA - EE
Coleoptera

Notoxus59

4

665

06/06/2010, 21:25

ricdoc57 Vedi ultimo messaggio

Nessun messaggio da leggere
Allegato(i)
Amara subconvexa Putzeys, 1865 - Carabidae

[ Vai alla paginaVai alla pagina: 1, 2 ]



 
Coleoptera

Mauro

29

2085

06/06/2010, 10:47

ricdoc57 Vedi ultimo messaggio

Nessun messaggio da leggere
Harpalus (Harpalus) honestus (Duftschmid, 1812) - Carabidae
17.IV.2010 - ITALIA - Trentino-Alto Adige - TN
Allegato(i)
Harpalus (Harpalus) honestus (Duftschmid, 1812) - Carabidae

[ Vai alla paginaVai alla pagina: 1, 2 ]



17.IV.2010 - ITALIA - Trentino-Alto Adige - TN
Coleoptera

Andrea Pergine

18

1424

03/06/2010, 21:58

Andrea Pergine Vedi ultimo messaggio

Nessun messaggio da leggere
Allegato(i)
Carabus (Cathoplius) stenocephalus ifniensis Zarco, 1941 - Carabidae

8.XI.2008 - MAROCCO - EE
Coleoptera

eurinomio

3

562

03/06/2010, 17:07

Ivan Vedi ultimo messaggio

Nessun messaggio da leggere
Harpalus (str.) atratus (Latreille, 1804) - Carabidae
18.V.2010 - ITALIA - Piemonte - CN
Allegato(i)
Harpalus (str.) atratus (Latreille, 1804) - Carabidae

18.V.2010 - ITALIA - Piemonte - CN
Coleoptera

Ric

4

711

03/06/2010, 16:37

Ric Vedi ultimo messaggio

Nessun messaggio da leggere
Lophyra (Lophyra) flexuosa (Fabricius 1787) s.l. - Carabidae
28.V.2010 - ITALIA - Sicilia - TP
Allegato(i)
Lophyra (Lophyra) flexuosa (Fabricius 1787) s.l. - Carabidae

28.V.2010 - ITALIA - Sicilia - TP
Coleoptera

carabus

9

1041

01/06/2010, 8:11

Velvet Ant Vedi ultimo messaggio

Nessun messaggio da leggere
Allegato(i)
Harpalus distinguendus (Duftschmid, 1812) - Carabidae - From Spreewald, Germany

29.V.2010 - GERMANIA - EE
Coleoptera

matthew gandy

4

608

31/05/2010, 13:56

Anillus Vedi ultimo messaggio

Nessun messaggio da leggere
Allegato(i)
Pterostichus (Oreophilus) bicolor bicolor (Aragona 1830) - Carabidae

20.V.2010 - ITALIA - Liguria - SV
Coleoptera

Giuseppe

3

546

27/05/2010, 14:26

Andrea Pergine Vedi ultimo messaggio

Nessun messaggio da leggere
Pterostichus cf. funestes Csiki, 1930 - Carabidae
20.V.2010 - ITALIA - Liguria - SV
Allegato(i)
Pterostichus cf. funestes Csiki, 1930 - Carabidae

20.V.2010 - ITALIA - Liguria - SV
Coleoptera

Giuseppe

5

676

27/05/2010, 13:11

ricdoc57 Vedi ultimo messaggio

Nessun messaggio da leggere
Allegato(i)
Carabus (Mesocarabus) problematicus Herbst, 1786 - Carabidae

22.V.2010 - REPUBBLICA CECA - EE
Coleoptera

Honza

4

766

26/05/2010, 20:06

Ivan Vedi ultimo messaggio

Nessun messaggio da leggere
Percus corrugatus (Billberg 1815) - Carabidae
22.V.2010 - ITALIA - Sicilia - TP
Allegato(i)
Percus corrugatus (Billberg 1815) - Carabidae

22.V.2010 - ITALIA - Sicilia - TP
Coleoptera

Skarab

1

367

26/05/2010, 0:47

Velvet Ant Vedi ultimo messaggio

Nessun messaggio da leggere
Lamprias pubipennis (L. Dufour, 1820) - Carabidae
20.V.2010 - ITALIA - Liguria - SV
Allegato(i) Dettagli della specie
Lamprias pubipennis (L. Dufour, 1820)
Carabidae


20.V.2010 - ITALIA - Liguria - SV
Coleoptera

Giuseppe

11

1144

25/05/2010, 14:35

Plagionotus Vedi ultimo messaggio

Nessun messaggio da leggere
Allegato(i)
Gynandromorphus etruscus (Quensel in Schönherr, 1806) - Carabidae

[ Vai alla paginaVai alla pagina: 1, 2 ]



13.V.2010 - ITALIA - Piemonte - CN
Coleoptera

Ric

15

1520

22/05/2010, 18:17

Plagionotus Vedi ultimo messaggio

Nessun messaggio da leggere
Allegato(i)
Chlaenius (Chlaenites) spoliatus spoliatus (P. Rossi, 1792) - Carabidae

21.V.2010 - ITALIA - Sicilia - PA
Coleoptera

carabus

2

469

21/05/2010, 21:42

elleelle Vedi ultimo messaggio

Nessun messaggio da leggere
Pterostichus (Oreophilus) jurinei (Panzer, 1803) - Carabidae
9.IX.2009 - ITALIA - Trentino-Alto Adige - TN
Allegato(i)
Pterostichus (Oreophilus) jurinei (Panzer, 1803) - Carabidae

9.IX.2009 - ITALIA - Trentino-Alto Adige - TN
Coleoptera

StagBeetle

12

1615

21/05/2010, 14:53

Plagionotus Vedi ultimo messaggio

Nessun messaggio da leggere
Allegato(i)
Harpalus (s. str.) tardus (Panzer, 1797) - Carabidae Harpalinae

V.2010 - ITALIA - Campania - NA
Coleoptera

clido

6

770

20/05/2010, 14:49

Notoxus59 Vedi ultimo messaggio

Nessun messaggio da leggere
Agonum (Agonum) muelleri unicolor Leoni, 1907 - Carabidae
18.V.2010 - ITALIA - Marche - AN
Allegato(i) Dettagli della specie
Agonum (Agonum) muelleri unicolor Leoni, 1907
Carabidae


18.V.2010 - ITALIA - Marche - AN
Coleoptera

StagBeetle

3

634

19/05/2010, 21:53

gomphus Vedi ultimo messaggio

Visualizza ultimi argomenti:  Ordina per  Ordine:  
nuovo argomento
Vai alla pagina Precedente  1 ... 137, 138, 139, 140, 141, 142, 143 ... 153  Prossimo
Pagina 140 di 153 [ 7644 argomenti ]

Tutti gli orari sono UTC + 1 ora [ ora legale ]


Chi c’è in linea

Visitano il forum: Nessuno e 15 ospiti


Legenda
Messaggi da leggere Messaggi da leggere Nessun messaggio da leggere Nessun messaggio da leggere Annuncio Annuncio
 
Specie indeterminata / discussione generica
Messaggi non letti [ Popolari ] Messaggi non letti [ Popolari ] Nessun messaggio da leggere [ Popolare ] Nessun messaggio da leggere [ Popolare ] Importante Importante
 
Specie determinata fino al genere o cf.
Messaggi non letti [ Bloccati ] Messaggi non letti [ Bloccati ] No messaggi non letti [ Bloccati ] No messaggi non letti [ Bloccati ] Argomento spostato Argomento spostato
 
Specie correttamente determinata
Permessi
Non puoi aprire nuovi argomenti
Non puoi rispondere negli argomenti
Non puoi modificare i tuoi messaggi
Non puoi cancellare i tuoi messaggi
Non puoi inviare allegati

Cerca per:
Vai a: