|
|
| Argomenti |
Ordine |
Autore |
Risposte |
Visite |
Ultimo messaggio |
| Annunci |
 |
|
Incontri entomologici della Società Entomologica Italiana 2025-2026
|
|
Velvet Ant |
0 |
14223 |
17/11/2025, 19:41
Velvet Ant
|
 |
|
Incontri entomologici telematici organizzati dalla Società Entomologica Italiana nel 2022 e nel 2023
[ Vai alla pagina: 1, 2, 3 ]
|
|
Velvet Ant |
44 |
1701465 |
03/03/2023, 15:55
Velvet Ant
|
 |
|
Sondaggio sul declino dell'entomofauna in Italia
[ Vai alla pagina: 1, 2, 3, 4 ]
|
|
Velvet Ant |
52 |
2325704 |
22/10/2022, 19:18
Acquarius
|
 |
|
Progetto: Bibliografia ragionata dei lavori entomologici nei quali sono citati reperti apparsi su FEI
[ Vai alla pagina: 1, 2, 3 ]
|
|
Velvet Ant |
33 |
1366209 |
06/07/2023, 18:31
Orotrechus
|
 |
|
Mimesi, il primo documentario cinematografico sull’entomologia in Italia: casting
|
|
mazzeip |
1 |
1088481 |
28/02/2019, 20:26
mazzeip
|
 |
|
ISTRUZIONI PUBBLICAZIONE NUOVI ARGOMENTI E FOTO
|
Altri Ordini di Insetti |
Julodis |
4 |
2886952 |
13/05/2015, 19:37
Julodis
|
 |
|
Limitatore giornaliero di messaggi, uno strumento utile e ormai indispensabile
[ Vai alla pagina: 1 ... 14, 15, 16 ]
|
|
Velvet Ant |
233 |
12435141 |
25/09/2014, 14:31
Inachis
|
 |
|
NORME PER I COLLABORATORI DEL FORUM
|
|
Velvet Ant |
0 |
633345 |
02/06/2011, 12:05
Velvet Ant
|
 |
|
NORME PER GLI UTENTI DEL FORUM
[ Vai alla pagina: 1, 2, 3 ]
|
|
Velvet Ant |
30 |
3483964 |
23/09/2014, 23:54
Maurizio Bollino
|
 |
|
Lista degli utenti del "Forum entomologi italiani" per campi di interesse e specializzazione
|
Altri Ordini di Insetti |
Velvet Ant |
13 |
1009481 |
07/09/2023, 17:14
Roberto-07
|
| Argomenti |
 |
|
Nabis ferus (Linnaeus, 1758) (cf.) - Nabidae
29.XI.2012 - ITALIA - Veneto - VE
|
Hemiptera |
ghebo |
2 |
1758 |
23/01/2013, 10:08
ghebo
|
 |
|
Prostemma (Prostemma) guttula (Fabricius, 1787) - Nabidae
3.XI.2012 - ITALIA - Lazio - RM
|
Hemiptera |
soken |
0 |
1375 |
09/11/2012, 15:27
soken
|
 |
|
Prostemma sanguineum (Rossi, 1790) - Nabidae
29.IX.2012 - ITALIA - Sicilia - PA
|
Hemiptera |
Caliddo |
6 |
2046 |
31/10/2012, 16:52
Umbro
|
 |
|
Nabicula (Dolichonabis) limbata (Dahlbohm, 1851) - Nabidae
24.VIII.2012 - GERMANIA - EE
|
Hemiptera |
Isidro |
2 |
1474 |
29/08/2012, 10:57
Isidro
|
 |
|
Prostemma (Prostemma) guttula (Fabricius, 1787) - Nabidae
22.VII.2012 - ITALIA - Sardegna - CA
|
Hemiptera |
ruzzpa |
3 |
1795 |
01/08/2012, 23:48
Dioli
|
 |
|
Prostemma (Prostemma) aeneicolle Stein, 1857 - Nabidae
21.IV.2012 - ROMANIA - EE
|
Hemiptera |
cosmln |
2 |
2015 |
14/07/2012, 16:55
cosmln
|
 |
|
Himacerus (Aptus) mirmicoides (O. Costa, 1834) (cf.) - Nabidae
16.VI.2012 - ITALIA - Emilia-Romagna - BO
|
Hemiptera |
sarsar09 |
2 |
1699 |
21/06/2012, 9:16
sarsar09
|
 |
|
Anaptus major (A. Costa, 1842) - Nabidae
12.VIII.2011 - ITALIA - Sardegna - SS
|
Hemiptera |
soken |
6 |
2305 |
22/04/2012, 11:38
FORBIX
|
 |
|
Prostemma sanguineum (Rossi, 1790) - Nabidae
27.I.2012 - ITALIA - Lazio - RM
|
Hemiptera |
Fabio Turchetti |
3 |
1720 |
29/03/2012, 3:16
Dioli
|
 |
|
Nabicula flavomarginata (Scholtz, 1847) - Nabidae
4.VI.2011 - SPAGNA - EE
|
Hemiptera |
Isidro |
4 |
1497 |
29/03/2012, 2:18
Dioli
|
 |
|
Himacerus (Aptus) mirmicoides (O. Costa, 1834) - Nabidae
24.II.2012 - ITALIA - Marche - AN
|
Hemiptera |
StagBeetle |
2 |
1269 |
02/03/2012, 1:42
Dioli
|
 |
|
Himacerus apterus (Fabricius, 1798) - Nabidae
8.VIII.2010 - ITALIA - Lombardia - SO
|
Hemiptera |
Luciano Menghi |
4 |
1273 |
22/02/2012, 1:07
Maura
|
 |
|
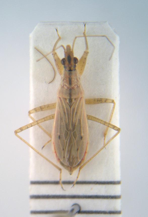
Nabis sp. - Nabidae
25.XI.2011 - ITALIA - Veneto - RO
|
Hemiptera |
Umbro |
4 |
1385 |
01/12/2011, 19:36
FORBIX
|
 |
|
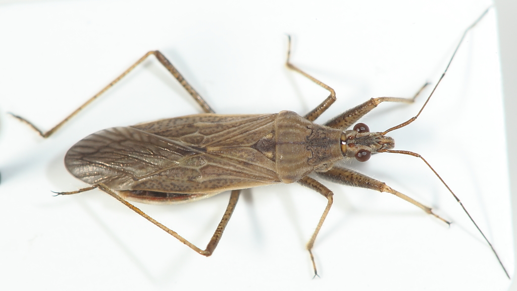
Himacerus (Aptus) mirmicoides (O. Costa, 1834) - Nabidae
25.XI.2011 - ITALIA - Veneto - RO
|
Hemiptera |
Umbro |
4 |
1152 |
30/11/2011, 19:23
FORBIX
|
 |
|
Nabis (Aspilaspis) viridulus Spinola, 1837 - Nabidae
26.IX.2011 - ITALIA - Veneto - PD
|
Hemiptera |
marsal |
0 |
618 |
16/11/2011, 1:35
marsal
|
 |
|
Nabis sp. Heteroptera Nabidae
7.VIII.2011 - ITALIA - Marche - PU
|
Hemiptera |
marco paglialunga |
0 |
649 |
18/09/2011, 16:41
marco paglialunga
|
 |
|
Himacerus apterus (Fabricius, 1798) - Nabidae
19.VI.2008 - ITALIA - Lombardia - SO
|
Hemiptera |
Luciano Menghi |
1 |
779 |
12/06/2011, 0:28
marsal
|
 |
|
Prostemma (s. str.) sanguineum (Rossi, 1790) Nabidae
12.V.2011 - ITALIA - Marche - PU
|
Hemiptera |
marco paglialunga |
0 |
636 |
13/05/2011, 20:38
marco paglialunga
|
 |
|
Himacerus apterus (Fabricius, 1798) (cf.) - Nabidae
22.VII.2009 - ITALIA - Lombardia - SO
|
Hemiptera |
Luciano Menghi |
2 |
649 |
13/05/2011, 0:04
marsal
|
 |
|
Himacerus (Aptus) mirmicoides (O. Costa 1834) - Nabidae
21.IV.2011 - ITALIA - Marche - PU
|
Hemiptera |
marco paglialunga |
0 |
578 |
23/04/2011, 9:06
marco paglialunga
|
 |
|
Himacerus (Aptus) mirmicoides (O. Costa, 1834) - Nabidae
28.III.2011 - ITALIA - Lazio - RM
|
Hemiptera |
Julodis |
3 |
763 |
28/03/2011, 21:40
Julodis
|
 |
|
Prostemma guttula (Fabricius, 1787) - Nabidae - Lazio
17.III.2011 - ITALIA - Lazio - RM
|
Hemiptera |
Julodis |
4 |
788 |
17/03/2011, 20:07
halobates
|
 |
|
Nabis sp. - Heteroptera Nabidae - Romania
|
Hemiptera |
alexaandru |
3 |
787 |
06/12/2010, 19:04
alexaandru
|
 |
|
Himacerus (Aptus) mirmicoides (O. Costa, 1834) - Nabidae - Toscana, Isola d'Elba
|
Hemiptera |
FORBIX |
2 |
639 |
11/11/2010, 1:00
eremicus
|
 |
|
Nabis (Tropiconabis) capsiformis Germar, 1838 - Nabidae Nabinae Nabini - Toscana, Isola d'Elba
|
Hemiptera |
FORBIX |
2 |
595 |
02/11/2010, 15:53
FORBIX
|
 |
|
Nabis sp. - Nabidae - Toscana - Isola d'Elba
|
Hemiptera |
FORBIX |
1 |
666 |
02/11/2010, 15:01
eremicus
|
 |
|
Himacerus apterus (Fabricius, 1798) - Nabidae - Romania
|
Hemiptera |
alexaandru |
6 |
1266 |
16/10/2010, 8:12
alexaandru
|
 |
|
Nabis (Aspilaspis) viridulus Spinola, 1837 - Heteroptera Nabidae - Toscana, Isola d'Elba
|
Hemiptera |
FORBIX |
2 |
1531 |
10/09/2010, 10:10
FORBIX
|
 |
|
Himacerus (Aptus) mirmicoides (O. Costa, 1834) (cf.) neanide - Nabidae
22.VII.2010 - ITALIA - Lazio - FR
|
Hemiptera |
Julodis |
2 |
1267 |
23/07/2010, 20:30
Julodis
|
 |
|
Nabidae (ninfa) - Sasso Marconi (BO)
|
Hemiptera |
Loriscola |
1 |
1069 |
13/07/2010, 14:30
FrS
|
 |
|
Alloeorhynchus cf. flavipes (Fieber 1836) e Alloeorhynchus putoni Kirkaldy 1901. Nabidae, Prostemmatinae. Sardegna
|
Hemiptera |
Ranatra |
5 |
1366 |
28/06/2010, 12:07
Dioli
|
 |
|
Alloeorhynchus (Alloeorhynchus) flavipes (Fieber, 1836) - Nabidae - Sasso Marconi (BO)
|
Hemiptera |
Loriscola |
3 |
1034 |
17/04/2010, 0:49
marsal
|
 |
|
Alloeorynchus flavipes (Fieber, 1836) - Nabidae
11.IV.2010 - ITALIA - Emilia-Romagna - BO
|
Hemiptera |
Notoxus59 |
4 |
1385 |
13/04/2010, 20:06
Notoxus59
|
 |
|
Nabis sp. ♀ - Nabidae
|
Hemiptera |
Eopteryx |
2 |
1036 |
10/04/2010, 20:12
Eopteryx
|
 |
|
Prostemma (Prostemma) guttula (Fabricius, 1787) - Nabidae- Sasso Marconi (BO)
|
Hemiptera |
Loriscola |
2 |
867 |
06/04/2010, 13:37
Loriscola
|
 |
|
Nabis ? Sasso Marconi (BO)
|
Hemiptera |
Loriscola |
0 |
532 |
22/03/2010, 18:53
Loriscola
|
 |
|
Himacerus (Aptus) mirmicoides (O. Costa, 1834) - Nabidae
X.1994 - ITALIA - Marche - PU
|
Hemiptera |
marco paglialunga |
4 |
899 |
24/02/2010, 22:10
eremicus
|
 |
|
Prostemma (s. str.) sanguineum (Rossi, 1790) - Nabidae
VI.2002 - ITALIA - Emilia-Romagna - FC
|
Hemiptera |
marco paglialunga |
5 |
1027 |
05/01/2010, 21:07
eremicus
|
 |
|
Prostemma (Prostemma) guttula (Fabricius 1787) - Nabidae
ITALIA - Marche - PU
|
Hemiptera |
marco paglialunga |
4 |
782 |
19/12/2009, 15:00
eremicus
|
 |
|
Himacerus (Aptus) mirmicoides (O. Costa 1834) (Nabidae)
|
Hemiptera |
Ranatra |
6 |
878 |
19/10/2009, 0:28
eremicus
|
 |
|
Prostemma guttula (Fabricius 1787) forma macrottera
|
Hemiptera |
Ranatra |
3 |
677 |
12/10/2009, 9:28
ESAPODA
|
 |
|
Nabicula (Nabicula) flavomarginata (Scholz, 1847) ♀ (Nabidae). Val di Fassa
|
Hemiptera |
Loriscola |
4 |
722 |
02/10/2009, 21:36
Dioli
|
 |
|
Prostemma guttula (Fabricius 1787), Nabidae Sardegna
|
Hemiptera |
Daniele Sechi |
0 |
385 |
11/02/2009, 17:08
Daniele Sechi
|
|
|