Benvenuto Ospite

Forum Entomologi Italiani

www.entomologiitaliani.net/forum
 
Oggi è 22/10/2025, 0:28

Tutti gli orari sono UTC + 1 ora [ ora legale ]


99% 
186 taxa correttamente determinati su 187 presenti in archivio

Oedemeridae


[ AFROTROPICALE ] [ ANTARTICO ] [ AUSTRALASIANO ] [ NEARTICO ] [ NEOTROPICALE ] [ ORIENTALE ] [ PALEARTICO ]


nuovo argomento
Vai alla pagina 1, 2, 3, 4  Prossimo
Pagina 1 di 4 [ 186 argomenti ]
 Argomenti   Ordine   Autore   Risposte   Visite    Ultimo messaggio 
Annunci
Nessun messaggio da leggere
Allegato(i)
Incontri entomologici telematici organizzati dalla Società Entomologica Italiana nel 2022 e nel 2023

[ Vai alla paginaVai alla pagina: 1, 2, 3 ]

 

Velvet Ant

44

1325336

03/03/2023, 15:55

Velvet Ant Vedi ultimo messaggio

Nessun messaggio da leggere  
Allegato(i)
Sondaggio sul declino dell'entomofauna in Italia

[ Vai alla paginaVai alla pagina: 1, 2, 3, 4 ]

 

Velvet Ant

52

1631143

22/10/2022, 19:18

Acquarius Vedi ultimo messaggio

Nessun messaggio da leggere  
Allegato(i)
Progetto: Bibliografia ragionata dei lavori entomologici nei quali sono citati reperti apparsi su FEI

[ Vai alla paginaVai alla pagina: 1, 2, 3 ]

 

Velvet Ant

33

1094528

06/07/2023, 18:31

Orotrechus Vedi ultimo messaggio

Nessun messaggio da leggere
Anogcodes ruficollis (Fabricius, 1781) - Oedemeridae
27.V.2019 - ITALIA - Marche - AN
Allegato(i) Dettagli della specie
Anogcodes ruficollis (Fabricius, 1781)
Oedemeridae


27.V.2019 - ITALIA - Marche - AN
Coleoptera

StagBeetle

7

2087

12/06/2019, 14:51

Plagionotus Vedi ultimo messaggio

Nessun messaggio da leggere
Allegato(i)
Mimesi, il primo documentario cinematografico sull’entomologia in Italia: casting
 

mazzeip

1

440023

28/02/2019, 20:26

mazzeip Vedi ultimo messaggio

Questo argomento è bloccato, non puoi modificare o inviare ulteriori messaggi.
Allegato(i)
ISTRUZIONI PUBBLICAZIONE NUOVI ARGOMENTI E FOTO

 
Altri Ordini di Insetti

Julodis

4

775562

13/05/2015, 19:37

Julodis Vedi ultimo messaggio

Nessun messaggio da leggere
Allegato(i)
Limitatore giornaliero di messaggi, uno strumento utile e ormai indispensabile

[ Vai alla paginaVai alla pagina: 1 ... 14, 15, 16 ]

 

Velvet Ant

233

7490659

25/09/2014, 14:31

Inachis Vedi ultimo messaggio

Nessun messaggio da leggere  
NORME PER I COLLABORATORI DEL FORUM

 
 

Velvet Ant

0

470691

02/06/2011, 12:05

Velvet Ant Vedi ultimo messaggio

Nessun messaggio da leggere
Allegato(i)
NORME PER GLI UTENTI DEL FORUM

[ Vai alla paginaVai alla pagina: 1, 2, 3 ]



 
 

Velvet Ant

30

2276745

23/09/2014, 23:54

Maurizio Bollino Vedi ultimo messaggio

Nessun messaggio da leggere  
Lista degli utenti del "Forum entomologi italiani" per campi di interesse e specializzazione

 
Altri Ordini di Insetti

Velvet Ant

13

920186

07/09/2023, 17:14

Roberto-07 Vedi ultimo messaggio

Argomenti
Nessun messaggio da leggere
Chrysanthia viridissima (Linnaeus, 1758) - Oedemeridae
22.VI.2018 - ITALIA - Trentino-Alto Adige - TN
Allegato(i) Dettagli della specie
Chrysanthia viridissima (Linnaeus, 1758)
Oedemeridae


22.VI.2018 - ITALIA - Trentino-Alto Adige - TN
Coleoptera

Daniele Sechi

4

512

05/03/2024, 15:01

Plagionotus Vedi ultimo messaggio

Nessun messaggio da leggere
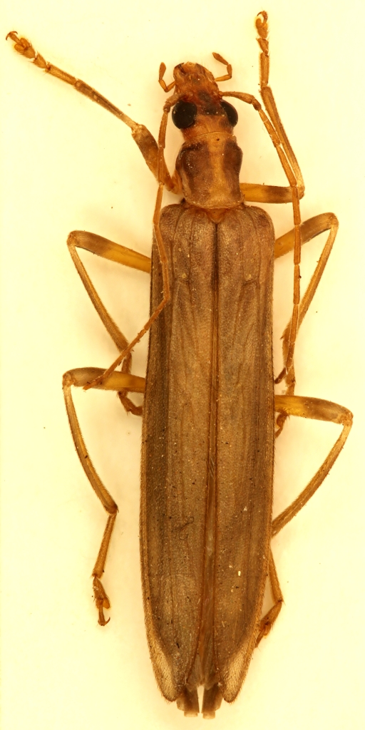
Oedemera (Oedemera) podagrariae podagrariae (Linnaeus, 1767) - Oedemeridae
8.VIII.2023 - ITALIA - Trentino-Alto Adige - BZ
Allegato(i) Dettagli della specie
Oedemera (Oedemera) podagrariae podagrariae (Linnaeus, 1767)
Oedemeridae


8.VIII.2023 - ITALIA - Trentino-Alto Adige - BZ
Coleoptera

UlpiNov

2

394

21/02/2024, 13:13

UlpiNov Vedi ultimo messaggio

Nessun messaggio da leggere
Oedemera (Oedemera) simplex (Linnaeus, 1767) - Oedemeridae
24.VI.2008 - ITALIA - Sicilia - RG
Allegato(i) Dettagli della specie
Oedemera (Oedemera) simplex (Linnaeus, 1767)
Oedemeridae


24.VI.2008 - ITALIA - Sicilia - RG
Coleoptera

soken

2

507

29/06/2023, 17:33

soken Vedi ultimo messaggio

Nessun messaggio da leggere
Chrysanthia viridissima (Linnaeus, 1758) - Oedemeridae
26.VI.1994 - ITALIA - Marche - MC
Allegato(i) Dettagli della specie
Chrysanthia viridissima (Linnaeus, 1758)
Oedemeridae


26.VI.1994 - ITALIA - Marche - MC
Coleoptera

dorbodervus

2

567

08/12/2022, 15:44

dorbodervus Vedi ultimo messaggio

Nessun messaggio da leggere
Allegato(i) Dettagli della specie
Oedemera (Oncomera) femoralis femoralis Olivier, 1803
Oedemeridae


25.IV.2014 - ITALIA - Puglia - FG
Coleoptera

Apoderus

10

1661

13/09/2022, 1:12

Clickie Vedi ultimo messaggio

Nessun messaggio da leggere
Oedemera (Oedemera) tristis W.Schmidt, 1846 - Oedemeridae
26.VI.2022 - ITALIA - Friuli-Venezia Giulia - UD
Allegato(i) Dettagli della specie
Oedemera (Oedemera) tristis W.Schmidt, 1846
Oedemeridae


26.VI.2022 - ITALIA - Friuli-Venezia Giulia - UD
Coleoptera

Michele A

3

633

10/08/2022, 18:44

Michele A Vedi ultimo messaggio

Nessun messaggio da leggere
Anogcodes fulvicollis (Scopoli, 1763) - Oedemeridae
11.VII.2022 - ITALIA - Trentino-Alto Adige - TN
Allegato(i) Dettagli della specie
Anogcodes fulvicollis (Scopoli, 1763)
Oedemeridae


11.VII.2022 - ITALIA - Trentino-Alto Adige - TN
Coleoptera

wgliinsetti

7

744

22/07/2022, 19:24

wgliinsetti Vedi ultimo messaggio

Nessun messaggio da leggere
Anogcodes fulvicollis (Scopoli, 1763) - Oedemeridae
11.VII.2022 - ITALIA - Trentino-Alto Adige - TN
Allegato(i) Dettagli della specie
Anogcodes fulvicollis (Scopoli, 1763)
Oedemeridae


11.VII.2022 - ITALIA - Trentino-Alto Adige - TN
Coleoptera

wgliinsetti

2

429

19/07/2022, 16:58

wgliinsetti Vedi ultimo messaggio

Nessun messaggio da leggere
Oedemera (Oedemera) nobilis (Scopoli, 1763) - Oedemeridae
VI.2022 - ITALIA - Piemonte - VB
Allegato(i) Dettagli della specie
Oedemera (Oedemera) nobilis (Scopoli, 1763)
Oedemeridae


VI.2022 - ITALIA - Piemonte - VB
Coleoptera

marco_a

7

1113

13/07/2022, 14:19

plumipes Vedi ultimo messaggio

Nessun messaggio da leggere
Anogcodes seladonius alpinus (W.Schmidt, 1846) - Oedemeridae
22.VI.2022 - ITALIA - Emilia-Romagna - PR
Allegato(i) Dettagli della specie
Anogcodes seladonius alpinus (W.Schmidt, 1846)
Oedemeridae


22.VI.2022 - ITALIA - Emilia-Romagna - PR
Coleoptera

picollo

3

496

29/06/2022, 9:50

Plagionotus Vedi ultimo messaggio

Nessun messaggio da leggere
Oedemera (Oedemera) nobilis (Scopoli, 1763) - Oedemeridae
28.V.2022 - ITALIA - Friuli-Venezia Giulia - UD
Allegato(i) Dettagli della specie
Oedemera (Oedemera) nobilis (Scopoli, 1763)
Oedemeridae


28.V.2022 - ITALIA - Friuli-Venezia Giulia - UD
Coleoptera

Michele A

2

407

20/06/2022, 9:21

Michele A Vedi ultimo messaggio

Nessun messaggio da leggere
Oedemera (Oedemera) nobilis (Scopoli, 1763) - Oedemeridae
24.V.2022 - ITALIA - Marche - PU
Allegato(i) Dettagli della specie
Oedemera (Oedemera) nobilis (Scopoli, 1763)
Oedemeridae


24.V.2022 - ITALIA - Marche - PU
Coleoptera

plumipes

4

641

31/05/2022, 10:10

wgliinsetti Vedi ultimo messaggio

Nessun messaggio da leggere
Oedemera (Oedemera) flavipes (Fabricius, 1792) - Oedemeridae
30.IV.2022 - ITALIA - Sicilia - PA
Allegato(i) Dettagli della specie
Oedemera (Oedemera) flavipes (Fabricius, 1792)
Oedemeridae


30.IV.2022 - ITALIA - Sicilia - PA
Coleoptera

Marco Ferrante

2

412

13/05/2022, 20:28

Marco Ferrante Vedi ultimo messaggio

Nessun messaggio da leggere
Chrysanthia viridissima (Linnaeus, 1758) - Oedemeridae
2.VII.2019 - ITALIA - Trentino-Alto Adige - TN
Allegato(i) Dettagli della specie
Chrysanthia viridissima (Linnaeus, 1758)
Oedemeridae


2.VII.2019 - ITALIA - Trentino-Alto Adige - TN
Coleoptera

Biasi

8

841

17/03/2022, 14:25

Biasi Vedi ultimo messaggio

Nessun messaggio da leggere
Oedemera (Oncomera) femoralis femoralis Olivier, 1803 - Oedemeridae
10.VII.2020 - ITALIA - Trentino-Alto Adige - TN
Allegato(i) Dettagli della specie
Oedemera (Oncomera) femoralis femoralis Olivier, 1803
Oedemeridae


10.VII.2020 - ITALIA - Trentino-Alto Adige - TN
Coleoptera

Biasi

6

834

26/01/2022, 21:37

Clickie Vedi ultimo messaggio

Nessun messaggio da leggere
Allegato(i) Dettagli della specie
Oedemera (Oedemera) crassipes Ganglbauer, 1881
Oedemeridae


20.V.2021 - ITALIA - Lazio - RM
Coleoptera

wgliinsetti

12

858

13/12/2021, 14:16

Plagionotus Vedi ultimo messaggio

Nessun messaggio da leggere
Allegato(i) Dettagli della specie
Oedemera (Oedemera) barbara (Fabricius, 1792)
Oedemeridae


8.VI.2019 - ITALIA - Lazio - RM
Coleoptera

soken

3

635

22/10/2021, 15:21

soken Vedi ultimo messaggio

Nessun messaggio da leggere
Nacerdes (Xanthochroa) carniolica carniolica (Gistl, 1834) - Oedemeridae
3.IX.2021 - ITALIA - Friuli-Venezia Giulia - PN
Allegato(i) Dettagli della specie
Nacerdes (Xanthochroa) carniolica carniolica (Gistl, 1834)
Oedemeridae


3.IX.2021 - ITALIA - Friuli-Venezia Giulia - PN
Coleoptera

Agdistis

2

749

12/09/2021, 15:58

Agdistis Vedi ultimo messaggio

Nessun messaggio da leggere
Oedemera (Oedemera) flavipes (Fabricius, 1792) - Oedemeridae
9.VIII.2021 - ITALIA - Lazio - RM
Allegato(i) Dettagli della specie
Oedemera (Oedemera) flavipes (Fabricius, 1792)
Oedemeridae


9.VIII.2021 - ITALIA - Lazio - RM
Coleoptera

soken

2

691

13/08/2021, 14:38

soken Vedi ultimo messaggio

Nessun messaggio da leggere
Stenostoma rostratum (Fabricius, 1787) - Oedemeridae
7.VII.2021 - ITALIA - Puglia - FG
Allegato(i) Dettagli della specie
Stenostoma rostratum (Fabricius, 1787)
Oedemeridae


7.VII.2021 - ITALIA - Puglia - FG
Coleoptera

wgliinsetti

2

703

03/08/2021, 15:36

wgliinsetti Vedi ultimo messaggio

Nessun messaggio da leggere
Allegato(i) Dettagli della specie
Oedemera (Oedemera) flavipes (Fabricius, 1792)
Oedemeridae


18.VI.2021 - ITALIA - Lazio - RM
Coleoptera

wgliinsetti

3

718

15/07/2021, 7:38

wgliinsetti Vedi ultimo messaggio

Nessun messaggio da leggere
Allegato(i) Dettagli della specie
Oedemera (Oedemera) podagrariae podagrariae (Linnaeus, 1767)
Oedemeridae


18.VI.2021 - ITALIA - Lazio - RM
Coleoptera

wgliinsetti

3

657

13/07/2021, 22:55

Clickie Vedi ultimo messaggio

Nessun messaggio da leggere
Oedemera (Oedemera) tristis W.Schmidt, 1846 - Oedemeridae
12.VII.2021 - ITALIA - Friuli-Venezia Giulia - UD
Allegato(i) Dettagli della specie
Oedemera (Oedemera) tristis W.Schmidt, 1846
Oedemeridae


12.VII.2021 - ITALIA - Friuli-Venezia Giulia - UD
Coleoptera

Agdistis

1

561

13/07/2021, 17:15

Plagionotus Vedi ultimo messaggio

Nessun messaggio da leggere
Allegato(i) Dettagli della specie
Nacerdes (Nacerdes) melanura (Linnaeus, 1758)
Oedemeridae


18.VI.2021 - ITALIA - Lazio - RM
Coleoptera

wgliinsetti

2

583

13/07/2021, 11:34

wgliinsetti Vedi ultimo messaggio

Nessun messaggio da leggere
Allegato(i) Dettagli della specie
Oedemera (Oedemera) podagrariae podagrariae (Linnaeus, 1767)
Oedemeridae


20.VI.2021 - ITALIA - Toscana - LU
Coleoptera

Stefano79

2

628

28/06/2021, 16:37

Stefano79 Vedi ultimo messaggio

Nessun messaggio da leggere
Anogcodes ruficollis (Fabricius, 1781) - Oedemeridae
1.VI.2021 - ITALIA - Emilia-Romagna - PR
Allegato(i) Dettagli della specie
Anogcodes ruficollis (Fabricius, 1781)
Oedemeridae


1.VI.2021 - ITALIA - Emilia-Romagna - PR
Coleoptera

picollo

6

960

04/06/2021, 0:14

Clickie Vedi ultimo messaggio

Nessun messaggio da leggere
Allegato(i) Dettagli della specie
Oedemera (Oedemera) podagrariae podagrariae (Linnaeus, 1767)
Oedemeridae


26.V.2020 - ITALIA - Lombardia - LC
Coleoptera

RicPan

13

1502

09/03/2021, 22:56

elleelle Vedi ultimo messaggio

Nessun messaggio da leggere
Chrysanthia viridissima (Linnaeus, 1758) - Oedemeridae
29.VIII.2018 - ITALIA - Trentino-Alto Adige - TN
Allegato(i) Dettagli della specie
Chrysanthia viridissima (Linnaeus, 1758)
Oedemeridae


29.VIII.2018 - ITALIA - Trentino-Alto Adige - TN
Coleoptera

Andrea Pergine

3

644

13/12/2020, 23:13

Andrea Pergine Vedi ultimo messaggio

Nessun messaggio da leggere
Oedemera (Oedemera) flavipes (Fabricius, 1792) - Oedemeridae
2.VIII.2020 - ITALIA - Toscana - FI
Allegato(i) Dettagli della specie
Oedemera (Oedemera) flavipes (Fabricius, 1792)
Oedemeridae


2.VIII.2020 - ITALIA - Toscana - FI
Coleoptera

Stefano79

2

626

07/10/2020, 19:33

Stefano79 Vedi ultimo messaggio

Nessun messaggio da leggere
Allegato(i) Dettagli della specie
Oedemera (Oedemera) podagrariae podagrariae (Linnaeus, 1767)
Oedemeridae


1.VIII.2020 - ITALIA - Toscana - FI
Coleoptera

Stefano79

2

625

05/10/2020, 21:45

Stefano79 Vedi ultimo messaggio

Nessun messaggio da leggere
Allegato(i) Dettagli della specie
Nacerdes (Xanthochroa) carniolica carniolica (Gistl, 1834)
Oedemeridae


1.VIII.2020 - ITALIA - Toscana - FI
Coleoptera

Stefano79

3

720

05/10/2020, 9:28

Plagionotus Vedi ultimo messaggio

Nessun messaggio da leggere
Oedemera (Oedemera) pthysica (Scopoli, 1763) - Oedemeridae
13.VI.2020 - ITALIA - Friuli-Venezia Giulia - UD
Allegato(i) Dettagli della specie
Oedemera (Oedemera) pthysica (Scopoli, 1763)
Oedemeridae


13.VI.2020 - ITALIA - Friuli-Venezia Giulia - UD
Coleoptera

Agdistis

3

833

26/08/2020, 11:00

Chalybion Vedi ultimo messaggio

Nessun messaggio da leggere
Anogcodes ustulatus (Scopoli, 1763) - Oedemeridae
2.VII.2020 - ITALIA - Friuli-Venezia Giulia - UD
Allegato(i) Dettagli della specie
Anogcodes ustulatus (Scopoli, 1763)
Oedemeridae


2.VII.2020 - ITALIA - Friuli-Venezia Giulia - UD
Coleoptera

Agdistis

3

825

26/08/2020, 10:52

Chalybion Vedi ultimo messaggio

Nessun messaggio da leggere
Sparedrus orsinii A.Costa, 1852 - Oedemeridae
10.VII.2020 - ITALIA - Toscana - SI
Allegato(i) Dettagli della specie
Sparedrus orsinii A.Costa, 1852
Oedemeridae

[ Vai alla paginaVai alla pagina: 1, 2 ]



10.VII.2020 - ITALIA - Toscana - SI
Coleoptera

Gabriele

24

2905

31/07/2020, 22:01

Clickie Vedi ultimo messaggio

Nessun messaggio da leggere  
Allegato(i) Dettagli della specie
Sparedrus orsinii A.Costa, 1852
Oedemeridae


11.VII.2020 - ITALIA - Sicilia - PA
Coleoptera

Caliddo

6

1087

14/07/2020, 23:06

Clickie Vedi ultimo messaggio

Nessun messaggio da leggere
Oedemera (Oedemera) femorata (Scopoli, 1763) - Oedemeridae
26.VI.2020 - ITALIA - Trentino-Alto Adige - TN
Allegato(i) Dettagli della specie
Oedemera (Oedemera) femorata (Scopoli, 1763)
Oedemeridae


26.VI.2020 - ITALIA - Trentino-Alto Adige - TN
Coleoptera

Syrio

2

825

26/06/2020, 17:34

Syrio Vedi ultimo messaggio

Nessun messaggio da leggere
Oedemera (Oedemera) nobilis (Scopoli, 1763) - Oedemeridae
5.VI.2020 - ITALIA - Marche - AN
Allegato(i) Dettagli della specie
Oedemera (Oedemera) nobilis (Scopoli, 1763)
Oedemeridae


5.VI.2020 - ITALIA - Marche - AN
Coleoptera

Gintor

5

1410

22/06/2020, 22:03

Gintor Vedi ultimo messaggio

Nessun messaggio da leggere
Anogcodes seladonius alpinus (W.Schmidt, 1846) - Oedemeridae
5.VI.2020 - ITALIA - Friuli-Venezia Giulia - GO
Allegato(i) Dettagli della specie
Anogcodes seladonius alpinus (W.Schmidt, 1846)
Oedemeridae


5.VI.2020 - ITALIA - Friuli-Venezia Giulia - GO
Coleoptera

Agdistis

4

1549

09/06/2020, 15:40

Plagionotus Vedi ultimo messaggio

Nessun messaggio da leggere
Oedemera (Oedemera) nobilis (Scopoli, 1763) - Oedemeridae
2.VI.2020 - ITALIA - Lombardia - MI
Allegato(i) Dettagli della specie
Oedemera (Oedemera) nobilis (Scopoli, 1763)
Oedemeridae


2.VI.2020 - ITALIA - Lombardia - MI
Coleoptera

carlos

1

992

06/06/2020, 19:25

Chalybion Vedi ultimo messaggio

Nessun messaggio da leggere
Allegato(i) Dettagli della specie
Nacerdes (Xanthochroa) gracilis gracilis (W.Schmidt, 1846)
Oedemeridae

[ Vai alla paginaVai alla pagina: 1, 2, 3, 4 ]



30.VIII.2019 - ITALIA - Toscana - GR
Coleoptera

hypotyphlus

48

7289

23/04/2020, 0:54

Clickie Vedi ultimo messaggio

Nessun messaggio da leggere
Chrysanthia geniculata geniculata (W.Schmidt, 1846) - Oedemeridae
20.VII.2016 - ITALIA - Trentino-Alto Adige - BZ
Allegato(i) Dettagli della specie
Chrysanthia geniculata geniculata (W.Schmidt, 1846)
Oedemeridae


20.VII.2016 - ITALIA - Trentino-Alto Adige - BZ
Coleoptera

coneshell

1

1133

15/04/2020, 20:47

Chalybion Vedi ultimo messaggio

Nessun messaggio da leggere
Sparedrus testaceus (Andersch in Hope, 1797) - Oedemeridae
30.V.2019 - ITALIA - Friuli-Venezia Giulia - TS
Allegato(i) Dettagli della specie
Sparedrus testaceus (Andersch in Hope, 1797)
Oedemeridae

[ Vai alla paginaVai alla pagina: 1, 2 ]



30.V.2019 - ITALIA - Friuli-Venezia Giulia - TS
Coleoptera

Agdistis

27

5749

10/09/2019, 23:27

Clickie Vedi ultimo messaggio

Nessun messaggio da leggere
Oedemera (Oedemera) nobilis (Scopoli, 1763) - Oedemeridae
3.VI.2018 - ITALIA - Emilia-Romagna - BO
Allegato(i) Dettagli della specie
Oedemera (Oedemera) nobilis (Scopoli, 1763)
Oedemeridae


3.VI.2018 - ITALIA - Emilia-Romagna - BO
Coleoptera

emmebix

9

2118

24/08/2019, 21:24

Clickie Vedi ultimo messaggio

Nessun messaggio da leggere
Anogcodes rufiventris (Scopoli, 1763) - Oedemeridae
12.VII.2019 - ITALIA - Friuli-Venezia Giulia - UD
Allegato(i) Dettagli della specie
Anogcodes rufiventris (Scopoli, 1763)
Oedemeridae


12.VII.2019 - ITALIA - Friuli-Venezia Giulia - UD
Coleoptera

Agdistis

2

1176

14/08/2019, 15:31

Agdistis Vedi ultimo messaggio

Nessun messaggio da leggere
Oedemera (Oedemera) croceicollis Gyllenhall, 1827 - Oedemeridae
17.V.2019 - ITALIA - Friuli-Venezia Giulia - GO
Allegato(i) Dettagli della specie
Oedemera (Oedemera) croceicollis Gyllenhall, 1827
Oedemeridae


17.V.2019 - ITALIA - Friuli-Venezia Giulia - GO
Coleoptera

Agdistis

2

979

09/08/2019, 6:51

Agdistis Vedi ultimo messaggio

Nessun messaggio da leggere
Allegato(i) Dettagli della specie
Oedemera (Oncomera) femoralis femoralis Olivier, 1803
Oedemeridae


19.V.2019 - ITALIA - Toscana - GR
Coleoptera

Chalybion

6

1748

13/07/2019, 22:03

Clickie Vedi ultimo messaggio

Nessun messaggio da leggere
Nacerdes (Nacerdes) melanura (Linnaeus, 1758) - Oedemeridae
17.VI.2019 - ITALIA - Sardegna - OT
Allegato(i) Dettagli della specie
Nacerdes (Nacerdes) melanura (Linnaeus, 1758)
Oedemeridae


17.VI.2019 - ITALIA - Sardegna - OT
Coleoptera

elleelle

1

1013

21/06/2019, 14:01

Plagionotus Vedi ultimo messaggio

Nessun messaggio da leggere
Allegato(i) Dettagli della specie
Nacerdes (Nacerdes) melanura (Linnaeus, 1758)
Oedemeridae


3.VI.2019 - ITALIA - Veneto - VE
Coleoptera

ghebo

2

1144

03/06/2019, 17:10

ghebo Vedi ultimo messaggio

Nessun messaggio da leggere
Allegato(i) Dettagli della specie
Nacerdes (Xanthochroa) carniolica carniolica (Gistl, 1834)
Oedemeridae


24.VII.2018 - ITALIA - Toscana - FI
Coleoptera

Lorenzo Tagliaferri

7

1705

31/05/2019, 22:21

Fumea crassiorella Vedi ultimo messaggio

Nessun messaggio da leggere
Anogcodes ustulatus (Scopoli, 1763) - Oedemeridae
29.V.2012 - ITALIA - Friuli-Venezia Giulia - PN
Allegato(i) Dettagli della specie
Anogcodes ustulatus (Scopoli, 1763)
Oedemeridae


29.V.2012 - ITALIA - Friuli-Venezia Giulia - PN
Coleoptera

Gabriele

4

1383

07/05/2019, 14:05

Gabriele Vedi ultimo messaggio

Visualizza ultimi argomenti:  Ordina per  Ordine:  
nuovo argomento
Vai alla pagina 1, 2, 3, 4  Prossimo
Pagina 1 di 4 [ 186 argomenti ]

Tutti gli orari sono UTC + 1 ora [ ora legale ]


Chi c’è in linea

Visitano il forum: Nessuno e 2 ospiti


Legenda
Messaggi da leggere Messaggi da leggere Nessun messaggio da leggere Nessun messaggio da leggere Annuncio Annuncio
 
Specie indeterminata / discussione generica
Messaggi non letti [ Popolari ] Messaggi non letti [ Popolari ] Nessun messaggio da leggere [ Popolare ] Nessun messaggio da leggere [ Popolare ] Importante Importante
 
Specie determinata fino al genere o cf.
Messaggi non letti [ Bloccati ] Messaggi non letti [ Bloccati ] No messaggi non letti [ Bloccati ] No messaggi non letti [ Bloccati ] Argomento spostato Argomento spostato
 
Specie correttamente determinata
Permessi
Non puoi aprire nuovi argomenti
Non puoi rispondere negli argomenti
Non puoi modificare i tuoi messaggi
Non puoi cancellare i tuoi messaggi
Non puoi inviare allegati

Cerca per:
Vai a: