Benvenuto Ospite

Forum Entomologi Italiani

www.entomologiitaliani.net/forum
 
Oggi è 14/11/2025, 16:25

Tutti gli orari sono UTC + 1 ora [ ora legale ]

 Forum   Argomenti   Messaggi   Ultimo messaggio 
Nessun messaggio da leggere
Filtro località
Bostrichoidea

Anobiidae, Bostrichidae, Dermestidae, Lyctidae...

565

2611

03/10/2025, 10:11

Andrea Pergine Vedi ultimo messaggio

Nessun messaggio da leggere
Filtro località
Buprestoidea

Buprestidae

3207

18780

15/10/2025, 9:46

Giuseppe Vedi ultimo messaggio

Nessun messaggio da leggere
Filtro località
Byrrhoidea

Byrrhidae, Dryopidae, Elmidae, Heteroceridae, Limnichidae, Psephenidae

143

665

08/01/2025, 11:12

Gig Vedi ultimo messaggio

Nessun messaggio da leggere
Filtro località
Caraboidea

Carabidae, Dytiscidae, Gyrinidae, Haliplidae, Hygrobiidae, Noteridae

9092

45932

11/11/2025, 15:13

Notoxus59 Vedi ultimo messaggio

Nessun messaggio da leggere
Filtro località
Cleroidea

Cleridae, Dasytidae, Malachiidae, Melyridae, Trogossitidae...

1218

5402

26/08/2025, 9:18

Daniele Sechi Vedi ultimo messaggio

Nessun messaggio da leggere
Filtro località
Chrysomeloidea

Cerambycidae, Cerambycidae Vesperinae, Chrysomelidae

8533

43618

28/10/2025, 23:22

Franco ROSSI Vedi ultimo messaggio

Nessun messaggio da leggere
Filtro località
Cucujoidea

Bothrideridae, Coccinellidae, Corylophidae, Cryptophagidae, Cucujidae, Endomychidae, Erotylidae, Latridiidae, Laemophloeidae, Monotomidae, Nitidulidae, Phalacridae, Silvanidae...

1800

8488

24/09/2025, 17:28

Lorenzo Tagliaferri Vedi ultimo messaggio

Nessun messaggio da leggere
Filtro località
Curculionoidea

Anthribidae, Apionidae, Attelabidae, Brachyceridae, Brentidae, Curculionidae, Rhynchitidae...

5566

25108

08/11/2025, 23:18

cosmln Vedi ultimo messaggio

Nessun messaggio da leggere
Filtro località
Dascilloidea

33

141

09/12/2021, 19:50

Chalybion Vedi ultimo messaggio

Nessun messaggio da leggere
Filtro località
Elateroidea

Cantharidae, Drilidae, Elateridae, Eucnemidae, Lampyridae, Lycidae, Melasidae, Omalisidae...

2583

10823

13/10/2025, 15:29

Syrio Vedi ultimo messaggio

Nessun messaggio da leggere
Filtro località
Hydrophiloidea

Histeridae, Hydrophilidae, Sphaeritidae

749

3661

02/07/2025, 8:44

Gig Vedi ultimo messaggio

Nessun messaggio da leggere
Filtro località
Scarabaeoidea

Aegialiidae, Aphodiidae, Cetoniidae, Dynastidae, Geotrupidae, Glaphyridae, Hybosoridae, Lucanidae, Melolonthidae, Ochodaeidae, Orphnidae, Pachypodidae, Passalidae, Rutelidae, Scarabaeidae, Trogidae

5475

29673

22/10/2025, 18:17

wgliinsetti Vedi ultimo messaggio

Nessun messaggio da leggere
Filtro località
Scirtoidea

54

253

ieri, 22:50

Daniele Maccapani Vedi ultimo messaggio

Nessun messaggio da leggere
Filtro località
Staphylinoidea

Agyrtidae, Hydraenidae, Leiodidae, Ptiliidae, Scydmaenidae, Silphidae, Staphylinidae

2980

14080

28/10/2025, 18:17

GiulioB Vedi ultimo messaggio

Nessun messaggio da leggere
Filtro località
Tenebrionoidea

Anthicidae, Ciidae, Melandryidae, Meloidae, Mordellidae, Mycetophagidae, Oedemeridae, Ripiphoridae, Tenebrionidae, Zopheridae.....

6053

26482

15/10/2025, 9:46

Giuseppe Vedi ultimo messaggio



Coleoptera


[ AFROTROPICALE ] [ ANTARTICO ] [ AUSTRALASIANO ] [ NEARTICO ] [ NEOTROPICALE ] [ ORIENTALE ] [ PALEARTICO ]


nuovo argomento
Vai alla pagina 1, 2  Prossimo
Pagina 1 di 2 [ 70 argomenti ]
 Argomenti   Ordine   Autore   Risposte   Visite    Ultimo messaggio 
Annunci
Nessun messaggio da leggere
Allegato(i)
Incontri entomologici telematici organizzati dalla Società Entomologica Italiana nel 2022 e nel 2023

[ Vai alla paginaVai alla pagina: 1, 2, 3 ]

 

Velvet Ant

44

1439962

03/03/2023, 15:55

Velvet Ant Vedi ultimo messaggio

Nessun messaggio da leggere  
Allegato(i)
Sondaggio sul declino dell'entomofauna in Italia

[ Vai alla paginaVai alla pagina: 1, 2, 3, 4 ]

 

Velvet Ant

52

1768926

22/10/2022, 19:18

Acquarius Vedi ultimo messaggio

Nessun messaggio da leggere  
Allegato(i)
Progetto: Bibliografia ragionata dei lavori entomologici nei quali sono citati reperti apparsi su FEI

[ Vai alla paginaVai alla pagina: 1, 2, 3 ]

 

Velvet Ant

33

1179119

06/07/2023, 18:31

Orotrechus Vedi ultimo messaggio

Nessun messaggio da leggere
Allegato(i)
Mimesi, il primo documentario cinematografico sull’entomologia in Italia: casting
 

mazzeip

1

460974

28/02/2019, 20:26

mazzeip Vedi ultimo messaggio

Questo argomento è bloccato, non puoi modificare o inviare ulteriori messaggi.
Allegato(i)
ISTRUZIONI PUBBLICAZIONE NUOVI ARGOMENTI E FOTO

 
Altri Ordini di Insetti

Julodis

4

1004814

13/05/2015, 19:37

Julodis Vedi ultimo messaggio

Nessun messaggio da leggere
Allegato(i)
Limitatore giornaliero di messaggi, uno strumento utile e ormai indispensabile

[ Vai alla paginaVai alla pagina: 1 ... 14, 15, 16 ]

 

Velvet Ant

233

9125905

25/09/2014, 14:31

Inachis Vedi ultimo messaggio

Nessun messaggio da leggere  
NORME PER I COLLABORATORI DEL FORUM

 
 

Velvet Ant

0

479918

02/06/2011, 12:05

Velvet Ant Vedi ultimo messaggio

Nessun messaggio da leggere
Allegato(i)
NORME PER GLI UTENTI DEL FORUM

[ Vai alla paginaVai alla pagina: 1, 2, 3 ]



 
 

Velvet Ant

30

2376620

23/09/2014, 23:54

Maurizio Bollino Vedi ultimo messaggio

Nessun messaggio da leggere  
Lista degli utenti del "Forum entomologi italiani" per campi di interesse e specializzazione

 
Altri Ordini di Insetti

Velvet Ant

13

948753

07/09/2023, 17:14

Roberto-07 Vedi ultimo messaggio

Argomenti
Nessun messaggio da leggere  
ELENCO DELLE FAMIGLIE E DELLE SPECIE PRESENTI NELLA SEZIONE
Coleoptera

clido

7

4926

23/10/2017, 17:15

clido Vedi ultimo messaggio

Nessun messaggio da leggere
Coleottero malgascio da ID
7.IV.2008 - MADAGASCAR - EE
Allegato(i)
Coleottero malgascio da ID

[ Vai alla paginaVai alla pagina: 1, 2 ]



7.IV.2008 - MADAGASCAR - EE
Coleoptera

Chalybion

28

8536

03/01/2023, 14:34

soken Vedi ultimo messaggio

Nessun messaggio da leggere  
Allegato(i)
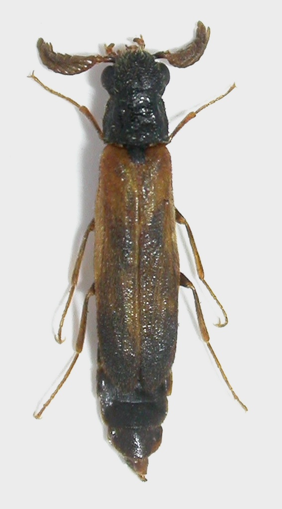
Lymexylon navale (Linnaeus, 1758) - Lymexylidae

15.III.2022 - ITALIA - Lazio - VT
Coleoptera

david box

2

1671

20/03/2022, 23:53

david box Vedi ultimo messaggio

Nessun messaggio da leggere
Quedius sp., pupa - Staphylinidae
27.III.2010 - ITALIA - Lazio - RM
Allegato(i)
Quedius sp., pupa - Staphylinidae

[ Vai alla paginaVai alla pagina: 1, 2 ]



27.III.2010 - ITALIA - Lazio - RM
Coleoptera

soken

16

8252

01/01/2021, 12:21

soken Vedi ultimo messaggio

Nessun messaggio da leggere
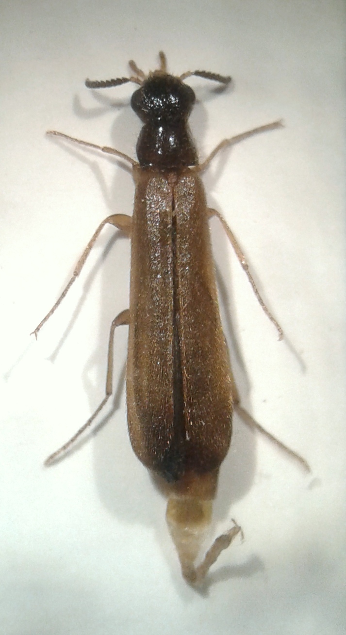
Melitomma sp. - Lymexylidae - Gabon
XI.2019 - GABON - EE
Allegato(i)
Melitomma sp. - Lymexylidae - Gabon

XI.2019 - GABON - EE
Coleoptera

Daniele Sechi

0

1941

13/08/2020, 10:26

Daniele Sechi Vedi ultimo messaggio

Nessun messaggio da leggere
Atractocerus sp. (cf.) - Lymexylidae
XI.2017 - GABON - EE
Allegato(i)
Atractocerus sp. (cf.) - Lymexylidae

XI.2017 - GABON - EE
Altri Artropodi

Apoderus

5

3634

09/08/2020, 9:33

Apoderus Vedi ultimo messaggio

Nessun messaggio da leggere
Allegato(i)
Atractocerus brevicornis (Linnaeus, 1766) - Lymexylidae - Gabon

XI.2019 - GABON - EE
Coleoptera

Daniele Sechi

0

1958

09/08/2020, 9:19

Daniele Sechi Vedi ultimo messaggio

Nessun messaggio da leggere
Micromalthus debilis LeConte, 1878 - Micromalthidae
VI.2019 - ITALIA - Friuli-Venezia Giulia - TS
Allegato(i)
Micromalthus debilis LeConte, 1878 - Micromalthidae

VI.2019 - ITALIA - Friuli-Venezia Giulia - TS
Coleoptera

Enrico Ruzzier

4

3084

26/06/2019, 22:46

Paradomorphus Vedi ultimo messaggio

Nessun messaggio da leggere
Larva di Cantharidae sp. (cf.)
7.X.2018 - ITALIA - Lazio - RM
Allegato(i)
Larva di Cantharidae sp. (cf.)

7.X.2018 - ITALIA - Lazio - RM
Coleoptera

Elena Regina

1

2405

17/10/2018, 6:28

StagBeetle Vedi ultimo messaggio

Nessun messaggio da leggere
Allegato(i)
Oxythyrea funesta (Poda, 1761) - Cetoniidae e Mylabris (Mylabris) variabilis (Pallas, 1781) - Meloidae

22.VII.2018 - ITALIA - Toscana - FI
Coleoptera

corvus

2

2835

03/08/2018, 13:46

corvus Vedi ultimo messaggio

Nessun messaggio da leggere
Cydistus zurcheri Bourgeois, 1908a (cf.)
16.VII.2017 - TURCHIA - EE
Allegato(i)
Cydistus zurcheri Bourgeois, 1908a (cf.)

16.VII.2017 - TURCHIA - EE
Coleoptera

ozgur70

8

4580

18/12/2017, 19:50

Robin Vedi ultimo messaggio

Nessun messaggio da leggere
Lymexylon navale (Linnaeus, 1758) (cf.) - Lymexylidae
27.V.2017 - ITALIA - Emilia-Romagna - BO
Allegato(i)
Lymexylon navale (Linnaeus, 1758) (cf.) - Lymexylidae

27.V.2017 - ITALIA - Emilia-Romagna - BO
Coleoptera

Loriscola

1

2845

09/06/2017, 8:40

Herzog Vedi ultimo messaggio

Nessun messaggio da leggere
Lymexylon navale (Linnaeus, 1758) (cf.) - Lymexyloidea Lymexylidae
18.VII.2016 - ITALIA - Emilia-Romagna - BO
Allegato(i)
Lymexylon navale (Linnaeus, 1758) (cf.) - Lymexyloidea Lymexylidae

18.VII.2016 - ITALIA - Emilia-Romagna - BO
Coleoptera

Loriscola

0

2738

21/07/2016, 16:06

Loriscola Vedi ultimo messaggio

Nessun messaggio da leggere
Lymexylon navale (Linnaeus, 1758) - Lymexylidae
12.III.2016 - ITALIA - Lombardia - BS
Allegato(i)
Lymexylon navale (Linnaeus, 1758) - Lymexylidae

12.III.2016 - ITALIA - Lombardia - BS
Coleoptera

magosti

4

3707

13/03/2016, 10:33

magosti Vedi ultimo messaggio

Nessun messaggio da leggere
Allegato(i)
Hylecoetus flabellicornis (Schneider 1791) - Lymexylidae

VI.2011 - UCRAINA - EE
Coleoptera

Fumea crassiorella

4

3680

09/03/2016, 19:04

Fumea crassiorella Vedi ultimo messaggio

Nessun messaggio da leggere
Lymexylon navale (Linnaeus, 1758) ♂ - Lymexylidae
18.VIII.2015 - ITALIA - Emilia-Romagna - BO
Allegato(i)
Lymexylon navale (Linnaeus, 1758) ♂ - Lymexylidae

18.VIII.2015 - ITALIA - Emilia-Romagna - BO
Coleoptera

Loriscola

1

3003

14/09/2015, 12:10

Daniele Maccapani Vedi ultimo messaggio

Nessun messaggio da leggere
Lymexylon navale (Linnaeus, 1758) - Lymexylidae
25.VI.1998 - ITALIA - Lazio - RM
Allegato(i)
Lymexylon navale (Linnaeus, 1758) - Lymexylidae

25.VI.1998 - ITALIA - Lazio - RM
Coleoptera

aesalus37

4

3670

07/06/2015, 23:26

aesalus37 Vedi ultimo messaggio

Nessun messaggio da leggere
larve di coleottero misteriose
26.I.2015 - ITALIA - Lazio - RM
Allegato(i)
larve di coleottero misteriose

26.I.2015 - ITALIA - Lazio - RM
Coleoptera

elleelle

10

4525

08/02/2015, 22:43

Julodis Vedi ultimo messaggio

Nessun messaggio da leggere
Atractocerus sp. - Lymexylidae
VIII.2014 - FILIPPINE - EE
Allegato(i)
Atractocerus sp. - Lymexylidae

VIII.2014 - FILIPPINE - EE
Coleoptera

Julodis

0

2815

28/11/2014, 22:43

Julodis Vedi ultimo messaggio

Nessun messaggio da leggere
Allegato(i)
Elateroides dermestoides (Linnaeus, 1861) - Lymexylidae

2.V.2012 - GRECIA - EE
Coleoptera

Fumea crassiorella

4

3537

13/02/2014, 8:07

Julodis Vedi ultimo messaggio

Nessun messaggio da leggere
Elateroides dermestoides (Linnaeus, 1761) - Lymexylidae
6.VII.2013 - ITALIA - Molise - IS
Allegato(i)
Elateroides dermestoides (Linnaeus, 1761) - Lymexylidae

6.VII.2013 - ITALIA - Molise - IS
Coleoptera

francescoparisi

6

4389

13/02/2014, 8:06

Julodis Vedi ultimo messaggio

Nessun messaggio da leggere
Elateroides dermestoides (Linnaeus, 1761) - Lymexylidae
16.VI.2013 - ITALIA - Molise - IS
Allegato(i)
Elateroides dermestoides (Linnaeus, 1761) - Lymexylidae

16.VI.2013 - ITALIA - Molise - IS
Coleoptera

francescoparisi

8

5048

13/02/2014, 8:03

Julodis Vedi ultimo messaggio

Nessun messaggio da leggere
Coleoptera sp.
28.VII.2011 - SLOVACCHIA - EE
Allegato(i)
Coleoptera sp.

28.VII.2011 - SLOVACCHIA - EE
Coleoptera

Karol Ox

3

3157

12/02/2014, 20:01

Julodis Vedi ultimo messaggio

Nessun messaggio da leggere
Larva di coleottero da ID
24.III.2013 - ITALIA - Abruzzo - PE
Allegato(i)
Larva di coleottero da ID

24.III.2013 - ITALIA - Abruzzo - PE
Coleoptera

Alessio89

1

2792

21/12/2013, 8:30

Julodis Vedi ultimo messaggio

Nessun messaggio da leggere
Laricobius erichsoni Rosenhauer, 1846 - Derodontidae
22.VI.2013 - ITALIA - Piemonte - VB
Allegato(i)
Laricobius erichsoni Rosenhauer, 1846 - Derodontidae

22.VI.2013 - ITALIA - Piemonte - VB
Coleoptera

gabrif

2

2974

09/09/2013, 19:21

giuseppe55 Vedi ultimo messaggio

Nessun messaggio da leggere
Lymexylon navale (Linnaeus, 1758) ♂ - Lymexylidae
16.VII.2013 - ITALIA - Toscana - LI
Allegato(i)
Lymexylon navale (Linnaeus, 1758) ♂ - Lymexylidae

[ Vai alla paginaVai alla pagina: 1, 2 ]



16.VII.2013 - ITALIA - Toscana - LI
Coleoptera

FORBIX

16

8642

08/09/2013, 12:04

Daniele Sechi Vedi ultimo messaggio

Nessun messaggio da leggere
Larva
17.III.2012 - SLOVENIA - EE
Allegato(i)
Larva

17.III.2012 - SLOVENIA - EE
Coleoptera

soken

1

3085

16/08/2012, 18:11

gabrif Vedi ultimo messaggio

Nessun messaggio da leggere
Lymexylon navale (Linnaeus, 1758) - Lymexylidae
5.VII.2012 - ITALIA - Lazio - VT
Allegato(i)
Lymexylon navale (Linnaeus, 1758) - Lymexylidae

5.VII.2012 - ITALIA - Lazio - VT
Coleoptera

Andricus

3

3912

07/07/2012, 13:01

Andricus Vedi ultimo messaggio

Nessun messaggio da leggere
Anobidae
27.VI.2011 - ITALIA - Campania - NA
Allegato(i)
Anobidae

27.VI.2011 - ITALIA - Campania - NA
Coleoptera

anto18

2

3656

25/07/2011, 7:41

Julodis Vedi ultimo messaggio

Nessun messaggio da leggere
Dascillus sp. - Dascillidae
6.VII.2011 - ITALIA - Umbria - PG
Allegato(i)
Dascillus sp. - Dascillidae

6.VII.2011 - ITALIA - Umbria - PG
Coleoptera

ilio

2

3727

08/07/2011, 10:44

ilio Vedi ultimo messaggio

Nessun messaggio da leggere  
Lymexylon navale (Linnaeus, 1758) - Lymexylidae

4.V.2011 - ITALIA - Piemonte - CN
Coleoptera

EffeCi61

5

4868

05/05/2011, 19:29

Enrico Ruzzier Vedi ultimo messaggio

Nessun messaggio da leggere
Sphaerosoma sp. ? - Alexiidae
17.I.2011 - ITALIA - Veneto - BL
Allegato(i)
Sphaerosoma sp. ? - Alexiidae

17.I.2011 - ITALIA - Veneto - BL
 

Maw89

2

3470

21/01/2011, 0:26

Maw89 Vedi ultimo messaggio

Nessun messaggio da leggere
Allegato(i)
Larva ??
 

soken

3

3563

22/12/2010, 15:02

soken Vedi ultimo messaggio

Nessun messaggio da leggere
Allegato(i)
Omalisus sp
 

pedux

0

2793

15/09/2010, 12:04

pedux Vedi ultimo messaggio

Nessun messaggio da leggere
Allegato(i)
Ditiscide 01 - Val Sarentino (BZ)
 

Loriscola

0

3110

28/08/2010, 22:59

Loriscola Vedi ultimo messaggio

Nessun messaggio da leggere
Allegato(i)
piccolo Coleottero
 

soken

1

3043

15/08/2010, 15:44

Julodis Vedi ultimo messaggio

Nessun messaggio da leggere
Allegato(i)
Coleotterino minuscolo da ID - Toscana, Isola d'Elba
 

FORBIX

5

4079

14/08/2010, 22:23

Julodis Vedi ultimo messaggio

Nessun messaggio da leggere
Allegato(i)
larva di coccinella
 

lillo

3

3586

06/08/2010, 15:41

lillo Vedi ultimo messaggio

Questo argomento è bloccato, non puoi modificare o inviare ulteriori messaggi.
Allegato(i)
Coleottero da identificare n.3

[ Vai alla paginaVai alla pagina: 1, 2 ]

 

Peibol il Sardo

18

9072

17/07/2010, 16:11

eurinomio Vedi ultimo messaggio

Questo argomento è bloccato, non puoi modificare o inviare ulteriori messaggi.
Allegato(i)
Coleottero da identificare n.1
 

Peibol il Sardo

9

6409

17/07/2010, 16:00

eurinomio Vedi ultimo messaggio

Nessun messaggio da leggere
Allegato(i)
Coleotteri sul parquet: Anobium cf. punctatum (Anobiidae) e Latridius minutus (Latriididae)
 

Velvet Ant

4

4547

21/05/2010, 10:18

Velvet Ant Vedi ultimo messaggio

Nessun messaggio da leggere
Allegato(i)
Catture dalla Grecia

 
Coleoptera

zdeno

7

5700

19/05/2010, 15:40

Creedence Vedi ultimo messaggio

Nessun messaggio da leggere
Allegato(i)
Larvoni e formiconi

[ Vai alla paginaVai alla pagina: 1, 2 ]

 

marco paglialunga

17

18845

11/05/2010, 17:48

conan Vedi ultimo messaggio

Nessun messaggio da leggere
larva Coleottero ?
3.II.2010 - ITALIA - Lazio - RM
Allegato(i)
larva Coleottero ?

3.II.2010 - ITALIA - Lazio - RM
Coleoptera

soken

0

3630

04/04/2010, 22:24

soken Vedi ultimo messaggio

Nessun messaggio da leggere
Allegato(i)
Nitidulidae
 

soken

3

3716

30/03/2010, 22:01

soken Vedi ultimo messaggio

Nessun messaggio da leggere
Allegato(i)
Stenocarus sp
 

marco paglialunga

3

3757

20/03/2010, 13:17

krep Vedi ultimo messaggio

Nessun messaggio da leggere
Rhytideres plicatus (Olivier, 1790)
XI.1962 - ITALIA - Sicilia - SR
Allegato(i)
Rhytideres plicatus (Olivier, 1790)

XI.1962 - ITALIA - Sicilia - SR
Coleoptera

marco paglialunga

0

3134

26/02/2010, 13:17

marco paglialunga Vedi ultimo messaggio

Nessun messaggio da leggere
Allegato(i)
Contenuto borra specie 2 (coleotteri)
 

Andrea84

6

4587

15/02/2010, 22:56

Guido Sabatinelli Vedi ultimo messaggio

Nessun messaggio da leggere
Allegato(i)
Cryptophagus sp. - (Coleotteri subcorticicoli) - Cryptophagidae
 

Dilar

2

3662

09/12/2009, 22:01

Dilar Vedi ultimo messaggio

Nessun messaggio da leggere
Allegato(i)
Coleottero Kateretidae sardo
 

Hemerobius

6

6691

28/11/2009, 7:06

Hemerobius Vedi ultimo messaggio

Visualizza ultimi argomenti:  Ordina per  Ordine:  
nuovo argomento
Vai alla pagina 1, 2  Prossimo
Pagina 1 di 2 [ 70 argomenti ]

Tutti gli orari sono UTC + 1 ora [ ora legale ]


Chi c’è in linea

Visitano il forum: Nessuno e 1 ospite


Legenda
Messaggi da leggere Messaggi da leggere Nessun messaggio da leggere Nessun messaggio da leggere Annuncio Annuncio
 
Specie indeterminata / discussione generica
Messaggi non letti [ Popolari ] Messaggi non letti [ Popolari ] Nessun messaggio da leggere [ Popolare ] Nessun messaggio da leggere [ Popolare ] Importante Importante
 
Specie determinata fino al genere o cf.
Messaggi non letti [ Bloccati ] Messaggi non letti [ Bloccati ] No messaggi non letti [ Bloccati ] No messaggi non letti [ Bloccati ] Argomento spostato Argomento spostato
 
Specie correttamente determinata
Permessi
Non puoi aprire nuovi argomenti
Non puoi rispondere negli argomenti
Non puoi modificare i tuoi messaggi
Non puoi cancellare i tuoi messaggi
Non puoi inviare allegati

Cerca per:
Vai a: