Benvenuto Ospite

Forum Entomologi Italiani

www.entomologiitaliani.net/forum
 
Oggi è 05/01/2026, 3:37

Tutti gli orari sono UTC + 1 ora [ ora legale ]

Cantharidae


[ AFROTROPICALE ] [ ANTARTICO ] [ AUSTRALASIANO ] [ NEARTICO ] [ NEOTROPICALE ] [ ORIENTALE ] [ PALEARTICO ]


nuovo argomento
Vai alla pagina 1, 2, 3, 4, 5 ... 7  Prossimo
Pagina 1 di 7 [ 338 argomenti ]
 Argomenti   Ordine   Autore   Risposte   Visite    Ultimo messaggio 
Annunci
Nessun messaggio da leggere
Allegato(i)
Incontri entomologici della Società Entomologica Italiana 2025-2026
 

Velvet Ant

0

15641

17/11/2025, 19:41

Velvet Ant Vedi ultimo messaggio

Nessun messaggio da leggere
Allegato(i)
Incontri entomologici telematici organizzati dalla Società Entomologica Italiana nel 2022 e nel 2023

[ Vai alla paginaVai alla pagina: 1, 2, 3 ]

 

Velvet Ant

44

1720745

03/03/2023, 15:55

Velvet Ant Vedi ultimo messaggio

Nessun messaggio da leggere  
Allegato(i)
Sondaggio sul declino dell'entomofauna in Italia

[ Vai alla paginaVai alla pagina: 1, 2, 3, 4 ]

 

Velvet Ant

52

2347306

22/10/2022, 19:18

Acquarius Vedi ultimo messaggio

Nessun messaggio da leggere  
Allegato(i)
Progetto: Bibliografia ragionata dei lavori entomologici nei quali sono citati reperti apparsi su FEI

[ Vai alla paginaVai alla pagina: 1, 2, 3 ]

 

Velvet Ant

33

1381970

06/07/2023, 18:31

Orotrechus Vedi ultimo messaggio

Nessun messaggio da leggere
Allegato(i)
Mimesi, il primo documentario cinematografico sull’entomologia in Italia: casting
 

mazzeip

1

1091798

28/02/2019, 20:26

mazzeip Vedi ultimo messaggio

Questo argomento è bloccato, non puoi modificare o inviare ulteriori messaggi.
Allegato(i)
ISTRUZIONI PUBBLICAZIONE NUOVI ARGOMENTI E FOTO

 
Altri Ordini di Insetti

Julodis

4

2891436

13/05/2015, 19:37

Julodis Vedi ultimo messaggio

Nessun messaggio da leggere
Allegato(i)
Limitatore giornaliero di messaggi, uno strumento utile e ormai indispensabile

[ Vai alla paginaVai alla pagina: 1 ... 14, 15, 16 ]

 

Velvet Ant

233

12522950

25/09/2014, 14:31

Inachis Vedi ultimo messaggio

Nessun messaggio da leggere  
NORME PER I COLLABORATORI DEL FORUM

 
 

Velvet Ant

0

635723

02/06/2011, 12:05

Velvet Ant Vedi ultimo messaggio

Nessun messaggio da leggere
Allegato(i)
NORME PER GLI UTENTI DEL FORUM

[ Vai alla paginaVai alla pagina: 1, 2, 3 ]



 
 

Velvet Ant

30

3498139

23/09/2014, 23:54

Maurizio Bollino Vedi ultimo messaggio

Nessun messaggio da leggere  
Lista degli utenti del "Forum entomologi italiani" per campi di interesse e specializzazione

 
Altri Ordini di Insetti

Velvet Ant

13

1016916

07/09/2023, 17:14

Roberto-07 Vedi ultimo messaggio

Argomenti
Nessun messaggio da leggere
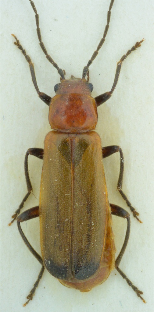
Cantaromorphus longipes Fiori, 1914 - Cantharidae
24.VI.2023 - ITALIA - Sicilia - PA
Allegato(i)
Cantaromorphus longipes Fiori, 1914 - Cantharidae

24.VI.2023 - ITALIA - Sicilia - PA
Coleoptera

Caliddo

2

308

10/07/2025, 15:02

Caliddo Vedi ultimo messaggio

Nessun messaggio da leggere
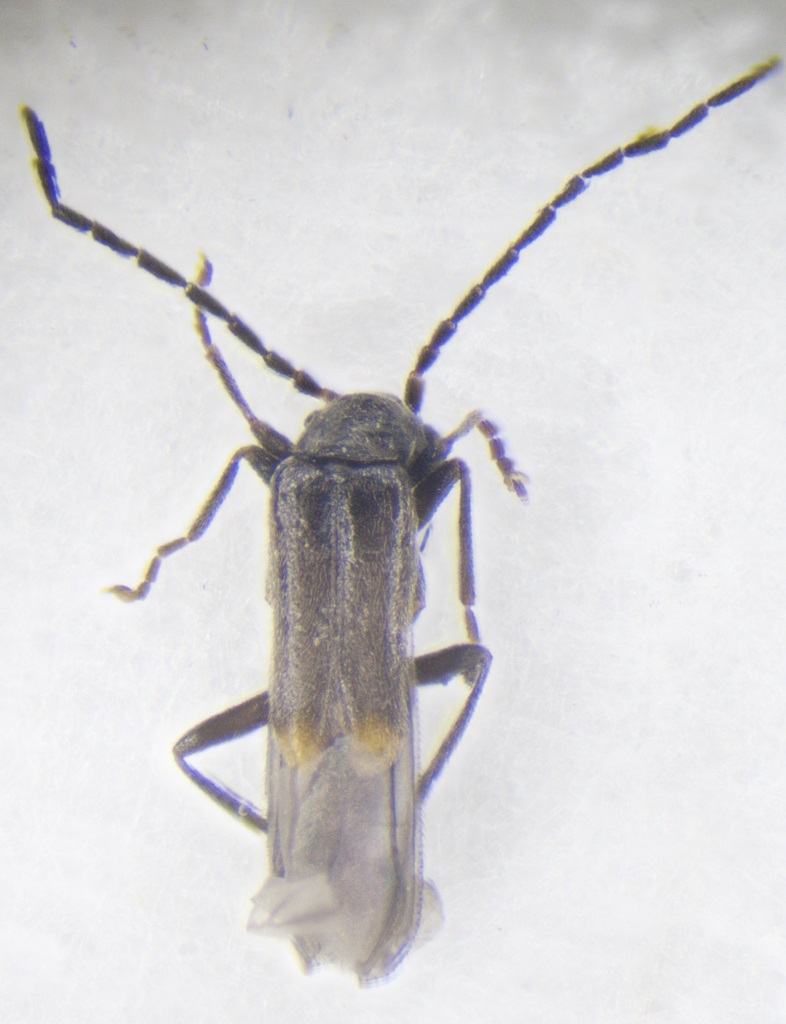
Cantaromorphus longipes Fiori, 1914 - Cantharidae
3.VI.2025 - ITALIA - Sicilia - RG
Allegato(i)
Cantaromorphus longipes Fiori, 1914 - Cantharidae

3.VI.2025 - ITALIA - Sicilia - RG
Coleoptera

Chalybion

0

433

05/07/2025, 21:09

Chalybion Vedi ultimo messaggio

Nessun messaggio da leggere
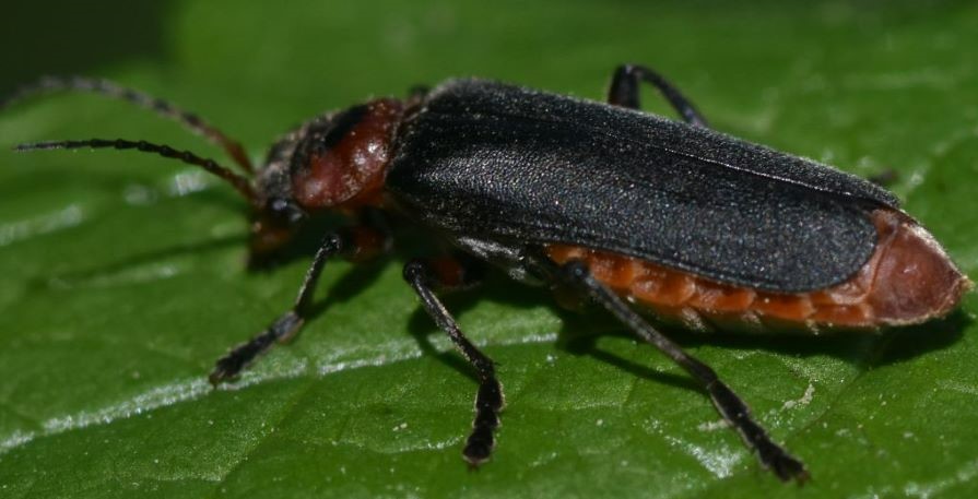
Simplexonycha rufidens (Marseul, 1864) - Cantharidae
17.V.2022 - ITALIA - Sardegna - OT
Allegato(i)
Simplexonycha rufidens (Marseul, 1864) - Cantharidae

17.V.2022 - ITALIA - Sardegna - OT
Coleoptera

Chalybion

3

724

05/07/2025, 18:15

Chalybion Vedi ultimo messaggio

Nessun messaggio da leggere
Malthinus balteatus Suffrian, 1851 - Cantharidae
9.VI.2025 - SAN MARINO - EE
Allegato(i)
Malthinus balteatus Suffrian, 1851 - Cantharidae

9.VI.2025 - SAN MARINO - EE
Coleoptera

soken

0

362

13/06/2025, 0:35

soken Vedi ultimo messaggio

Nessun messaggio da leggere
Malthodes sp. - Cantharidae
29.VIII.2022 - ITALIA - Friuli-Venezia Giulia - PN
Allegato(i)
Malthodes sp. - Cantharidae

29.VIII.2022 - ITALIA - Friuli-Venezia Giulia - PN
Coleoptera

Gabriele

4

657

15/03/2025, 18:53

Chalybion Vedi ultimo messaggio

Nessun messaggio da leggere
Malthodes sp. - Cantharidae
8.VIII.2014 - ITALIA - Friuli-Venezia Giulia - UD
Allegato(i)
Malthodes sp. - Cantharidae

8.VIII.2014 - ITALIA - Friuli-Venezia Giulia - UD
Coleoptera

Gabriele

3

519

19/02/2025, 14:41

Gabriele Vedi ultimo messaggio

Nessun messaggio da leggere
Rhagonycha fulva (Scopoli,1763) - Cantharidae
22.VI.2022 - ITALIA - Toscana - GR
Allegato(i)
Rhagonycha fulva (Scopoli,1763) - Cantharidae

22.VI.2022 - ITALIA - Toscana - GR
Coleoptera

Gabriele

2

475

14/02/2025, 18:51

Gabriele Vedi ultimo messaggio

Nessun messaggio da leggere
Chauliognathus sp. - Cantharidae
26.V.1998 - STATI UNITI - EE
Allegato(i)
Chauliognathus sp. - Cantharidae

26.V.1998 - STATI UNITI - EE
Coleoptera

Honza

4

669

20/02/2024, 11:55

Honza Vedi ultimo messaggio

Nessun messaggio da leggere
Podabrus sp. - Cantharidae
14.VI.2023 - STATI UNITI - EE
Allegato(i)
Podabrus sp. - Cantharidae

14.VI.2023 - STATI UNITI - EE
Coleoptera

Batocerino

2

455

09/01/2024, 20:06

Batocerino Vedi ultimo messaggio

Nessun messaggio da leggere
Allegato(i)
Microdaiphron implicitus (Erichson, 1847) (cf.) - Cantharidae Chauliognathinae

4.X.2023 - ECUADOR - EE
Coleoptera

Isidro

2

498

18/11/2023, 10:57

soken Vedi ultimo messaggio

Nessun messaggio da leggere
Chauliognathus sp. - Cantharidae
5.X.2023 - ECUADOR - EE
Allegato(i)
Chauliognathus sp. - Cantharidae

5.X.2023 - ECUADOR - EE
Coleoptera

Isidro

1

459

27/10/2023, 16:11

gabrif Vedi ultimo messaggio

Nessun messaggio da leggere
Rhagonycha (Rhagonycha) fulva (Scopoli, 1763) - Cantharidae
25.VI.2023 - ITALIA - Toscana - FI
Allegato(i)
Rhagonycha (Rhagonycha) fulva (Scopoli, 1763) - Cantharidae

25.VI.2023 - ITALIA - Toscana - FI
Coleoptera

CountryBoy

2

519

04/09/2023, 15:47

CountryBoy Vedi ultimo messaggio

Nessun messaggio da leggere
Rhagonycha maculicollis Märkel, 1851 - Cantharidae
25.VI.2022 - ITALIA - Lombardia - BG
Allegato(i)
Rhagonycha maculicollis Märkel, 1851 - Cantharidae

25.VI.2022 - ITALIA - Lombardia - BG
Coleoptera

Adriana49

5

783

21/07/2023, 16:48

Adriana49 Vedi ultimo messaggio

Nessun messaggio da leggere
Rhagonycha (Rhagonycha) fulva (Scopoli, 1763) - Cantharidae
4.VI.2023 - ITALIA - Friuli-Venezia Giulia - UD
Allegato(i)
Rhagonycha (Rhagonycha) fulva (Scopoli, 1763) - Cantharidae

4.VI.2023 - ITALIA - Friuli-Venezia Giulia - UD
Coleoptera

Michele A

2

478

07/07/2023, 12:19

Michele A Vedi ultimo messaggio

Nessun messaggio da leggere
Rhagonycha (Rhagonycha fulva (Scopoli, 1763) - Cantharidae
21.V.2023 - ITALIA - Marche - PU
Allegato(i)
Rhagonycha (Rhagonycha fulva (Scopoli, 1763) - Cantharidae

21.V.2023 - ITALIA - Marche - PU
Lepidoptera

plumipes

2

503

25/05/2023, 9:48

plumipes Vedi ultimo messaggio

Nessun messaggio da leggere
Cantharis (Cantharis) livida Linnaeus, 1758 - Cantharidae
22.V.2023 - ITALIA - Molise - CB
Allegato(i)
Cantharis (Cantharis) livida Linnaeus, 1758 - Cantharidae

22.V.2023 - ITALIA - Molise - CB
Coleoptera

Franco ROSSI

1

407

23/05/2023, 17:29

Lucanus tetraodon Vedi ultimo messaggio

Nessun messaggio da leggere
Malthinus sp. - Cantharidae
20.V.2023 - ITALIA - Toscana - SI
Allegato(i)
Malthinus sp. - Cantharidae

20.V.2023 - ITALIA - Toscana - SI
Coleoptera

Carlo Monari

2

399

21/05/2023, 6:54

Carlo Monari Vedi ultimo messaggio

Nessun messaggio da leggere
Malthinus sp. - Cantharidae
12.V.2023 - ITALIA - Sardegna - SS
Allegato(i)
Malthinus sp. - Cantharidae

12.V.2023 - ITALIA - Sardegna - SS
Coleoptera

Pietro Niolu

0

646

16/05/2023, 13:14

Pietro Niolu Vedi ultimo messaggio

Nessun messaggio da leggere
Cantharis fusca Linnaeus, 1758 - Cantharidae
22.IV.2023 - ITALIA - Lombardia - LC
Allegato(i)
Cantharis fusca Linnaeus, 1758 - Cantharidae

22.IV.2023 - ITALIA - Lombardia - LC
Coleoptera

sala alfio

2

395

11/05/2023, 22:35

Chalybion Vedi ultimo messaggio

Nessun messaggio da leggere
Allegato(i)
Cantharis (Cantharis) fuscipennis (Mulsant, 1862) - Cantharidae

12.IV.2023 - ITALIA - Sicilia - TP
Coleoptera

angelo.ditta

6

704

17/04/2023, 12:49

angelo.ditta Vedi ultimo messaggio

Nessun messaggio da leggere
Ancistronycha abdominalis (Fabricius, 1798) - Cantharidae
6.VII.2022 - ITALIA - Lombardia - SO
Allegato(i)
Ancistronycha abdominalis (Fabricius, 1798) - Cantharidae

6.VII.2022 - ITALIA - Lombardia - SO
Coleoptera

soken

3

569

17/10/2022, 13:51

soken Vedi ultimo messaggio

Nessun messaggio da leggere
Ancistronycha abdominalis (Fabricius, 1798) - Cantharidae
8.VII.2022 - ITALIA - Lombardia - SO
Allegato(i)
Ancistronycha abdominalis (Fabricius, 1798) - Cantharidae

8.VII.2022 - ITALIA - Lombardia - SO
Coleoptera

soken

2

443

15/10/2022, 12:39

soken Vedi ultimo messaggio

Nessun messaggio da leggere
Cordicantharis longicollis (Kiesenwetter, 1859) - Cantharidae
3.VI.2018 - ITALIA - Friuli-Venezia Giulia - UD
Allegato(i)
Cordicantharis longicollis (Kiesenwetter, 1859) - Cantharidae

3.VI.2018 - ITALIA - Friuli-Venezia Giulia - UD
Coleoptera

Chalybion

0

326

21/08/2022, 21:02

Chalybion Vedi ultimo messaggio

Nessun messaggio da leggere
Armidia signata (Germar, 1814) - Cantharidae
3.VIII.2022 - ITALIA - Friuli-Venezia Giulia - UD
Allegato(i)
Armidia signata (Germar, 1814) - Cantharidae

3.VIII.2022 - ITALIA - Friuli-Venezia Giulia - UD
Coleoptera

Chalybion

2

542

13/08/2022, 21:57

Chalybion Vedi ultimo messaggio

Nessun messaggio da leggere
Rhagonycha sp. - Cantharidae
5.VII.2022 - ITALIA - Lombardia - SO
Allegato(i)
Rhagonycha sp. - Cantharidae

5.VII.2022 - ITALIA - Lombardia - SO
Coleoptera

soken

6

823

17/07/2022, 21:18

soken Vedi ultimo messaggio

Nessun messaggio da leggere
Rhagonycha fuscitibia Rey, 1891 - Cantharidae
25.IV.2014 - ITALIA - Lombardia - BS
Allegato(i)
Rhagonycha fuscitibia Rey, 1891 - Cantharidae

25.IV.2014 - ITALIA - Lombardia - BS
Coleoptera

Livio

5

1291

16/07/2022, 20:24

Clickie Vedi ultimo messaggio

Nessun messaggio da leggere
Rhagonycha lutea (O.F. Mueller,1764) - Cantharidae
2.VII.2022 - ITALIA - Emilia-Romagna - PR
Allegato(i)
Rhagonycha lutea (O.F. Mueller,1764) - Cantharidae

2.VII.2022 - ITALIA - Emilia-Romagna - PR
Coleoptera

picollo

3

489

08/07/2022, 19:03

Chalybion Vedi ultimo messaggio

Nessun messaggio da leggere
Cantharis fusca Fallén, 1807 - Cantharidae
11.VI.2022 - ITALIA - Friuli-Venezia Giulia - UD
Allegato(i)
Cantharis fusca Fallén, 1807 - Cantharidae

11.VI.2022 - ITALIA - Friuli-Venezia Giulia - UD
Coleoptera

Michele A

2

468

06/07/2022, 9:22

Michele A Vedi ultimo messaggio

Nessun messaggio da leggere
Allegato(i)
Rhagonycha (Rhagonycha) fulva (Scopoli, 1763) - Cantharidae - Copula

16.VI.2007 - ITALIA - Molise - IS
Coleoptera

Franco ROSSI

0

303

03/06/2022, 11:19

Franco ROSSI Vedi ultimo messaggio

Nessun messaggio da leggere
Allegato(i)
Rhagonycha (Rhagonycha) fulva (Scopoli, 1763) - Cantharidae

30.V.2022 - ITALIA - Marche - PU
Coleoptera

plumipes

1

343

02/06/2022, 0:31

elleelle Vedi ultimo messaggio

Nessun messaggio da leggere
Cantharis fusca Fallén, 1807 - Cantharidae
18.V.2022 - GERMANIA - EE
Allegato(i)
Cantharis fusca Fallén, 1807 - Cantharidae

18.V.2022 - GERMANIA - EE
Coleoptera

Marco Ferrante

2

460

21/05/2022, 21:36

Marco Ferrante Vedi ultimo messaggio

Nessun messaggio da leggere
Allegato(i)
Cantharis flavilabris Fallén, 1807 ab. maculata Schilsky - Cantharidae

3.V.2022 - ITALIA - Lazio - RM
Coleoptera

soken

4

662

09/05/2022, 21:01

soken Vedi ultimo messaggio

Nessun messaggio da leggere
Cantharis (Cantharis) rustica Fallen, 1807 - Cantharidae
21.IV.2022 - ITALIA - Lombardia - MI
Allegato(i)
Cantharis (Cantharis) rustica Fallen, 1807 - Cantharidae

21.IV.2022 - ITALIA - Lombardia - MI
Coleoptera

carlos

0

423

09/05/2022, 17:56

carlos Vedi ultimo messaggio

Nessun messaggio da leggere
Cantharis (Cantharis) rustica Fallen, 1807 - Cantharidae
19.V.2021 - ITALIA - Campania - SA
Allegato(i)
Cantharis (Cantharis) rustica Fallen, 1807 - Cantharidae

19.V.2021 - ITALIA - Campania - SA
Coleoptera

Enzo.C

2

577

11/02/2022, 23:01

Enzo.C Vedi ultimo messaggio

Nessun messaggio da leggere
Cantharis (Cantharis) rustica Fallen, 1807 - Cantharidae
19.V.2021 - ITALIA - Campania - SA
Allegato(i)
Cantharis (Cantharis) rustica Fallen, 1807 - Cantharidae

19.V.2021 - ITALIA - Campania - SA
Coleoptera

Enzo.C

2

550

11/02/2022, 0:17

Enzo.C Vedi ultimo messaggio

Nessun messaggio da leggere
Cantharis (Cantharis) fusca Linnaeus 1758 - Cantharidae
19.V.2021 - ITALIA - Campania - SA
Allegato(i)
Cantharis (Cantharis) fusca Linnaeus 1758 - Cantharidae

19.V.2021 - ITALIA - Campania - SA
Coleoptera

Enzo.C

2

511

11/02/2022, 0:08

Enzo.C Vedi ultimo messaggio

Nessun messaggio da leggere
Allegato(i)
Rhagonycha (Rhagonycha) chlorotica (Gené, 1839) - Cantharidae

8.VI.2009 - ITALIA - Sardegna - OG
Coleoptera

Andrea Pergine

2

602

04/01/2022, 18:51

Andrea Pergine Vedi ultimo messaggio

Nessun messaggio da leggere
Podabrus (Podabrus) alpinus (Paykull, 1798) - Cantharidae
27.VI.2021 - ITALIA - Friuli-Venezia Giulia - UD
Allegato(i)
Podabrus (Podabrus) alpinus (Paykull, 1798) - Cantharidae

27.VI.2021 - ITALIA - Friuli-Venezia Giulia - UD
Coleoptera

Michele A

3

650

03/09/2021, 11:32

Michele A Vedi ultimo messaggio

Nessun messaggio da leggere
Cantharis pellucida (Fabricius, 1792)
5.VI.2021 - ITALIA - Friuli-Venezia Giulia - UD
Allegato(i)
Cantharis pellucida (Fabricius, 1792)

5.VI.2021 - ITALIA - Friuli-Venezia Giulia - UD
Coleoptera

Michele A

5

1143

06/07/2021, 10:28

Michele A Vedi ultimo messaggio

Nessun messaggio da leggere
Cantharis livida Linnaeus, 1758 - Cantharidae
15.V.2021 - ITALIA - Lazio - RM
Allegato(i)
Cantharis livida Linnaeus, 1758 - Cantharidae

15.V.2021 - ITALIA - Lazio - RM
Coleoptera

wgliinsetti

2

562

21/06/2021, 22:26

wgliinsetti Vedi ultimo messaggio

Nessun messaggio da leggere
Cratoslis sicula (Marseul, 1864)
8.V.2021 - ITALIA - Lazio - RM
Allegato(i)
Cratoslis sicula (Marseul, 1864)

8.V.2021 - ITALIA - Lazio - RM
Coleoptera

wgliinsetti

4

665

20/06/2021, 22:34

wgliinsetti Vedi ultimo messaggio

Nessun messaggio da leggere
Cantharis livida (Linnaeus), 1758) - Cantharidae
23.V.2021 - ITALIA - Lombardia - MB
Allegato(i)
Cantharis livida (Linnaeus), 1758) - Cantharidae

23.V.2021 - ITALIA - Lombardia - MB
Coleoptera

RicPan

2

648

03/06/2021, 11:39

RicPan Vedi ultimo messaggio

Nessun messaggio da leggere
Malthodes sp. - Cantharidae
3.V.2021 - ITALIA - Lazio - RI
Allegato(i)
Malthodes sp. - Cantharidae

3.V.2021 - ITALIA - Lazio - RI
Coleoptera

wgliinsetti

0

391

01/06/2021, 11:04

wgliinsetti Vedi ultimo messaggio

Nessun messaggio da leggere
Cantharidae sp.
19.V.2021 - ITALIA - Campania - SA
Allegato(i)
Cantharidae sp.

19.V.2021 - ITALIA - Campania - SA
Coleoptera

Enzo.C

4

667

25/05/2021, 22:31

Enzo.C Vedi ultimo messaggio

Nessun messaggio da leggere
Rhagonycha (Rhagonycha) lignosa (O. F. Muller, 1764)
3.V.2021 - ITALIA - Lazio - RI
Allegato(i)
Rhagonycha (Rhagonycha) lignosa (O. F. Muller, 1764)

3.V.2021 - ITALIA - Lazio - RI
Coleoptera

wgliinsetti

2

529

25/05/2021, 18:19

wgliinsetti Vedi ultimo messaggio

Nessun messaggio da leggere
Cratosilis laeta (Fabricius, 1792) - Cantharidae
15.V.2021 - ITALIA - Piemonte - TO
Allegato(i)
Cratosilis laeta (Fabricius, 1792) - Cantharidae

15.V.2021 - ITALIA - Piemonte - TO
Coleoptera

checcapitipiti

2

551

23/05/2021, 8:52

checcapitipiti Vedi ultimo messaggio

Nessun messaggio da leggere
Metacantharis clypeata (Illiger, 1798) - Cantharidae
15.V.2021 - ITALIA - Marche - MC
Allegato(i)
Metacantharis clypeata (Illiger, 1798) - Cantharidae

15.V.2021 - ITALIA - Marche - MC
Coleoptera

dorbodervus

2

541

20/05/2021, 9:05

dorbodervus Vedi ultimo messaggio

Nessun messaggio da leggere
Malthinus sp. - Cantharidae
10.V.2021 - ITALIA - Lazio - LT
Allegato(i)
Malthinus sp. - Cantharidae

10.V.2021 - ITALIA - Lazio - LT
Coleoptera

soken

1

461

16/05/2021, 14:27

soken Vedi ultimo messaggio

Nessun messaggio da leggere
Cantharis fusca Linnaeus, 1758 (cf.) - Cantharidae
6.V.2021 - ITALIA - Molise - IS
Allegato(i)
Cantharis fusca Linnaeus, 1758 (cf.) - Cantharidae

6.V.2021 - ITALIA - Molise - IS
Coleoptera

Franco ROSSI

2

541

12/05/2021, 22:10

Chalybion Vedi ultimo messaggio

Nessun messaggio da leggere
Cantharis fusca Linnaeus, 1758 - Cantharidae
10.V.2021 - ITALIA - Molise - IS
Allegato(i)
Cantharis fusca Linnaeus, 1758 - Cantharidae

10.V.2021 - ITALIA - Molise - IS
Coleoptera

Franco ROSSI

2

471

12/05/2021, 8:55

Franco ROSSI Vedi ultimo messaggio

Visualizza ultimi argomenti:  Ordina per  Ordine:  
nuovo argomento
Vai alla pagina 1, 2, 3, 4, 5 ... 7  Prossimo
Pagina 1 di 7 [ 338 argomenti ]

Tutti gli orari sono UTC + 1 ora [ ora legale ]


Chi c’è in linea

Visitano il forum: Nessuno e 1 ospite


Legenda
Messaggi da leggere Messaggi da leggere Nessun messaggio da leggere Nessun messaggio da leggere Annuncio Annuncio
 
Specie indeterminata / discussione generica
Messaggi non letti [ Popolari ] Messaggi non letti [ Popolari ] Nessun messaggio da leggere [ Popolare ] Nessun messaggio da leggere [ Popolare ] Importante Importante
 
Specie determinata fino al genere o cf.
Messaggi non letti [ Bloccati ] Messaggi non letti [ Bloccati ] No messaggi non letti [ Bloccati ] No messaggi non letti [ Bloccati ] Argomento spostato Argomento spostato
 
Specie correttamente determinata
Permessi
Non puoi aprire nuovi argomenti
Non puoi rispondere negli argomenti
Non puoi modificare i tuoi messaggi
Non puoi cancellare i tuoi messaggi
Non puoi inviare allegati

Cerca per:
Vai a:  
cron