Benvenuto Ospite

Forum Entomologi Italiani

www.entomologiitaliani.net/forum
 
Oggi è 25/10/2025, 13:30

Tutti gli orari sono UTC + 1 ora [ ora legale ]

Staphylinidae Scydmaeninae


[ AFROTROPICALE ] [ ANTARTICO ] [ AUSTRALASIANO ] [ NEARTICO ] [ NEOTROPICALE ] [ ORIENTALE ] [ PALEARTICO ]


nuovo argomento
Vai alla pagina Precedente  1, 2, 3, 4
Pagina 4 di 4 [ 161 argomenti ]
 Argomenti   Ordine   Autore   Risposte   Visite    Ultimo messaggio 
Annunci
Nessun messaggio da leggere
Allegato(i)
Incontri entomologici telematici organizzati dalla Società Entomologica Italiana nel 2022 e nel 2023

[ Vai alla paginaVai alla pagina: 1, 2, 3 ]

 

Velvet Ant

44

1361720

03/03/2023, 15:55

Velvet Ant Vedi ultimo messaggio

Nessun messaggio da leggere  
Allegato(i)
Sondaggio sul declino dell'entomofauna in Italia

[ Vai alla paginaVai alla pagina: 1, 2, 3, 4 ]

 

Velvet Ant

52

1677072

22/10/2022, 19:18

Acquarius Vedi ultimo messaggio

Nessun messaggio da leggere  
Allegato(i)
Progetto: Bibliografia ragionata dei lavori entomologici nei quali sono citati reperti apparsi su FEI

[ Vai alla paginaVai alla pagina: 1, 2, 3 ]

 

Velvet Ant

33

1120686

06/07/2023, 18:31

Orotrechus Vedi ultimo messaggio

Nessun messaggio da leggere
Allegato(i)
Mimesi, il primo documentario cinematografico sull’entomologia in Italia: casting
 

mazzeip

1

444928

28/02/2019, 20:26

mazzeip Vedi ultimo messaggio

Questo argomento è bloccato, non puoi modificare o inviare ulteriori messaggi.
Allegato(i)
ISTRUZIONI PUBBLICAZIONE NUOVI ARGOMENTI E FOTO

 
Altri Ordini di Insetti

Julodis

4

789652

13/05/2015, 19:37

Julodis Vedi ultimo messaggio

Nessun messaggio da leggere
Allegato(i)
Limitatore giornaliero di messaggi, uno strumento utile e ormai indispensabile

[ Vai alla paginaVai alla pagina: 1 ... 14, 15, 16 ]

 

Velvet Ant

233

8022390

25/09/2014, 14:31

Inachis Vedi ultimo messaggio

Nessun messaggio da leggere  
NORME PER I COLLABORATORI DEL FORUM

 
 

Velvet Ant

0

472159

02/06/2011, 12:05

Velvet Ant Vedi ultimo messaggio

Nessun messaggio da leggere
Allegato(i)
NORME PER GLI UTENTI DEL FORUM

[ Vai alla paginaVai alla pagina: 1, 2, 3 ]



 
 

Velvet Ant

30

2299009

23/09/2014, 23:54

Maurizio Bollino Vedi ultimo messaggio

Nessun messaggio da leggere  
Staphylinidae Scydmaeninae - Indice delle specie italiane
 

Loriscola

1

1652

28/05/2018, 22:12

Honza Vedi ultimo messaggio

Nessun messaggio da leggere  
Lista degli utenti del "Forum entomologi italiani" per campi di interesse e specializzazione

 
Altri Ordini di Insetti

Velvet Ant

13

926071

07/09/2023, 17:14

Roberto-07 Vedi ultimo messaggio

Argomenti
Nessun messaggio da leggere
Cephennium sp. - Staphylinidae Scydmaeninae. Lazio
27.II.2010 - ITALIA - Lazio - RM
Allegato(i)
Cephennium sp. - Staphylinidae Scydmaeninae. Lazio

27.II.2010 - ITALIA - Lazio - RM
 

Julodis

5

1241

04/03/2010, 15:32

Julodis Vedi ultimo messaggio

Nessun messaggio da leggere
Cephennium sp. - Staphylinidae Scydmaeninae
8.II.2010 - ITALIA - Lazio - RM
Allegato(i)
Cephennium sp. - Staphylinidae Scydmaeninae

8.II.2010 - ITALIA - Lazio - RM
 

Julodis

4

1212

09/02/2010, 16:40

Julodis Vedi ultimo messaggio

Nessun messaggio da leggere
Euconnus (Cladoconnus) cf. kiesenwetteri (Kiesenwetter, 1852) - Scydmaenidae
29.VI.2006 - ITALIA - Trentino-Alto Adige - TN
Allegato(i)
Euconnus (Cladoconnus) cf. kiesenwetteri (Kiesenwetter, 1852) - Scydmaenidae

29.VI.2006 - ITALIA - Trentino-Alto Adige - TN
 

Andrea Pergine

9

1459

04/02/2010, 0:29

Andrea Pergine Vedi ultimo messaggio

Nessun messaggio da leggere
Scydmaenus cf. rufus - Staphylinidae Scydmaeninae
X.2009 - ITALIA - Emilia-Romagna - BO
Allegato(i)
Scydmaenus cf. rufus - Staphylinidae Scydmaeninae

X.2009 - ITALIA - Emilia-Romagna - BO
 

Loriscola

6

1447

27/01/2010, 20:47

Honza Vedi ultimo messaggio

Nessun messaggio da leggere
Allegato(i)
Euconnus (Cladoconnus) sp. - Staphylinidae Scydmaeninae - Veneto

ITALIA - Veneto - BL
Coleoptera

Maw89

11

2603

07/01/2010, 17:55

Glaphyrus Vedi ultimo messaggio

Nessun messaggio da leggere
Allegato(i)
Leptomastax hypogea Pirazzoli 1855 - Staphylinidae Scydmaeninae - Umbria

[ Vai alla paginaVai alla pagina: 1, 2 ]

 

Notoxus59

28

5752

01/01/2010, 18:28

gomphus Vedi ultimo messaggio

Nessun messaggio da leggere
Palaeostigus ruficornis (Motschulsky 1859) - Scydmaenidae
30.VI.2006 - ITALIA - Puglia - FG
Allegato(i)
Palaeostigus ruficornis (Motschulsky 1859) - Scydmaenidae

30.VI.2006 - ITALIA - Puglia - FG
 

Livio

4

1146

14/12/2009, 9:05

Livio Vedi ultimo messaggio

Nessun messaggio da leggere
Allegato(i)
Palaeostigus ruficornis Motschulsky, 1860 - Scydmaenidae, Mastiginae

29.XI.2009 - ITALIA - Marche - PU
 

Eopteryx

10

2580

13/12/2009, 23:24

pedux Vedi ultimo messaggio

Nessun messaggio da leggere
Allegato(i)
Palaeostigus sp. Newton 1998 - Staphylinoidea, Scydmaenidae, Mastiginae

24.X.2009 - ITALIA - Lazio - RM
 

mazzeip

2

692

25/10/2009, 15:07

Notoxus59 Vedi ultimo messaggio

Nessun messaggio da leggere
Allegato(i)
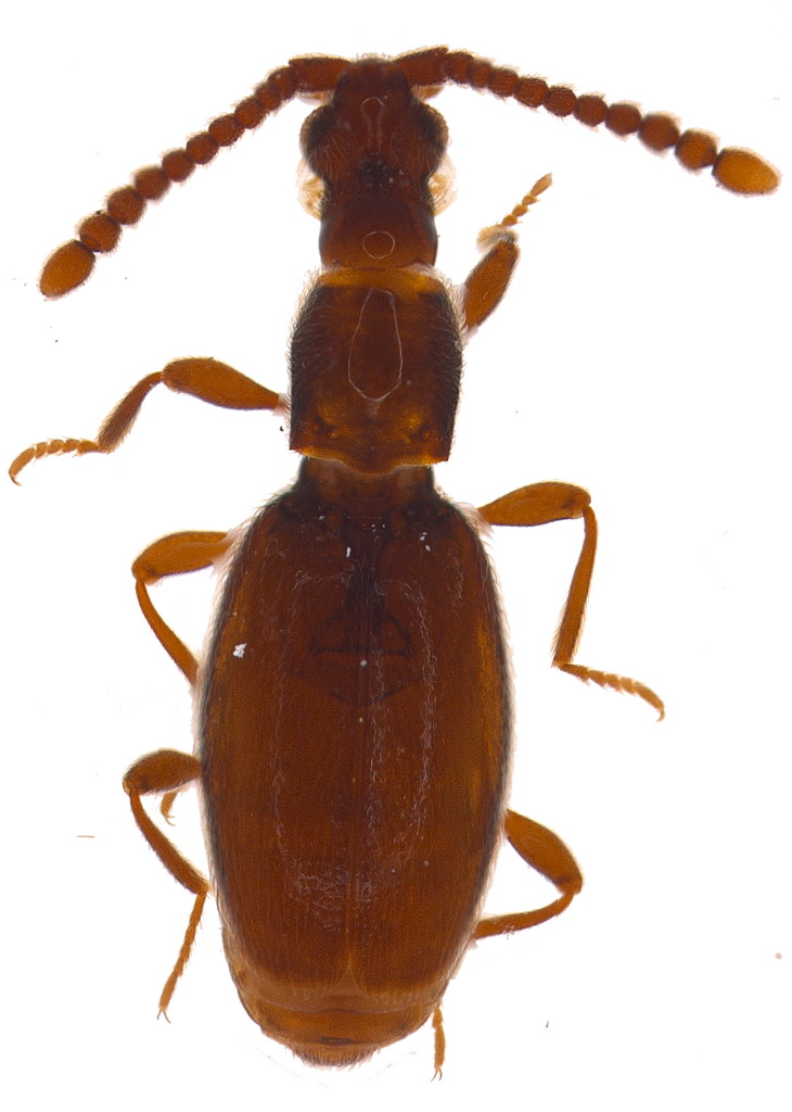
Chevrolatia egregia Reitter, 1881 (Scydmaenidae)
 

ESAPODA

2

528

20/08/2009, 8:50

ESAPODA Vedi ultimo messaggio

Visualizza ultimi argomenti:  Ordina per  Ordine:  
nuovo argomento
Vai alla pagina Precedente  1, 2, 3, 4
Pagina 4 di 4 [ 161 argomenti ]

Tutti gli orari sono UTC + 1 ora [ ora legale ]


Chi c’è in linea

Visitano il forum: Nessuno e 1 ospite


Legenda
Messaggi da leggere Messaggi da leggere Nessun messaggio da leggere Nessun messaggio da leggere Annuncio Annuncio
 
Specie indeterminata / discussione generica
Messaggi non letti [ Popolari ] Messaggi non letti [ Popolari ] Nessun messaggio da leggere [ Popolare ] Nessun messaggio da leggere [ Popolare ] Importante Importante
 
Specie determinata fino al genere o cf.
Messaggi non letti [ Bloccati ] Messaggi non letti [ Bloccati ] No messaggi non letti [ Bloccati ] No messaggi non letti [ Bloccati ] Argomento spostato Argomento spostato
 
Specie correttamente determinata
Permessi
Non puoi aprire nuovi argomenti
Non puoi rispondere negli argomenti
Non puoi modificare i tuoi messaggi
Non puoi cancellare i tuoi messaggi
Non puoi inviare allegati

Cerca per:
Vai a: