Benvenuto Ospite

Forum Entomologi Italiani

www.entomologiitaliani.net/forum
 
Oggi è 01/11/2025, 15:15

Tutti gli orari sono UTC + 1 ora [ ora legale ]

Braconidae


[ AFROTROPICALE ] [ ANTARTICO ] [ AUSTRALASIANO ] [ NEARTICO ] [ NEOTROPICALE ] [ ORIENTALE ] [ PALEARTICO ]


nuovo argomento
Vai alla pagina Precedente  1, 2, 3
Pagina 3 di 3 [ 132 argomenti ]
 Argomenti   Ordine   Autore   Risposte   Visite    Ultimo messaggio 
Annunci
Nessun messaggio da leggere
Allegato(i)
Incontri entomologici telematici organizzati dalla Società Entomologica Italiana nel 2022 e nel 2023

[ Vai alla paginaVai alla pagina: 1, 2, 3 ]

 

Velvet Ant

44

1398750

03/03/2023, 15:55

Velvet Ant Vedi ultimo messaggio

Nessun messaggio da leggere  
Allegato(i)
Sondaggio sul declino dell'entomofauna in Italia

[ Vai alla paginaVai alla pagina: 1, 2, 3, 4 ]

 

Velvet Ant

52

1723049

22/10/2022, 19:18

Acquarius Vedi ultimo messaggio

Nessun messaggio da leggere  
Allegato(i)
Progetto: Bibliografia ragionata dei lavori entomologici nei quali sono citati reperti apparsi su FEI

[ Vai alla paginaVai alla pagina: 1, 2, 3 ]

 

Velvet Ant

33

1146558

06/07/2023, 18:31

Orotrechus Vedi ultimo messaggio

Nessun messaggio da leggere
Allegato(i)
Mimesi, il primo documentario cinematografico sull’entomologia in Italia: casting
 

mazzeip

1

452522

28/02/2019, 20:26

mazzeip Vedi ultimo messaggio

Questo argomento è bloccato, non puoi modificare o inviare ulteriori messaggi.
Allegato(i)
ISTRUZIONI PUBBLICAZIONE NUOVI ARGOMENTI E FOTO

 
Altri Ordini di Insetti

Julodis

4

845075

13/05/2015, 19:37

Julodis Vedi ultimo messaggio

Nessun messaggio da leggere
Allegato(i)
Limitatore giornaliero di messaggi, uno strumento utile e ormai indispensabile

[ Vai alla paginaVai alla pagina: 1 ... 14, 15, 16 ]

 

Velvet Ant

233

8693233

25/09/2014, 14:31

Inachis Vedi ultimo messaggio

Nessun messaggio da leggere  
NORME PER I COLLABORATORI DEL FORUM

 
 

Velvet Ant

0

475870

02/06/2011, 12:05

Velvet Ant Vedi ultimo messaggio

Nessun messaggio da leggere
Allegato(i)
NORME PER GLI UTENTI DEL FORUM

[ Vai alla paginaVai alla pagina: 1, 2, 3 ]



 
 

Velvet Ant

30

2323111

23/09/2014, 23:54

Maurizio Bollino Vedi ultimo messaggio

Nessun messaggio da leggere  
Lista degli utenti del "Forum entomologi italiani" per campi di interesse e specializzazione

 
Altri Ordini di Insetti

Velvet Ant

13

933948

07/09/2023, 17:14

Roberto-07 Vedi ultimo messaggio

Argomenti
Nessun messaggio da leggere
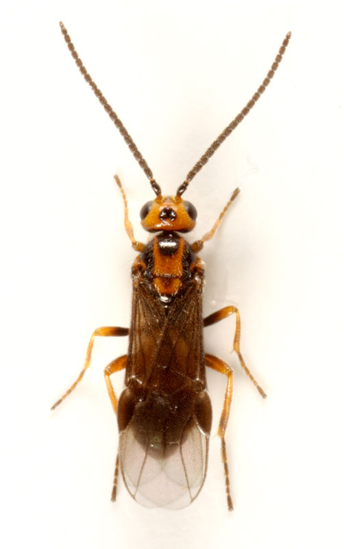
Braconidae
22.V.2011 - ITALIA - Emilia-Romagna - RN
Allegato(i)
Braconidae

22.V.2011 - ITALIA - Emilia-Romagna - RN
Hymenoptera

tala

1

953

30/06/2011, 12:10

Eopteryx Vedi ultimo messaggio

Nessun messaggio da leggere
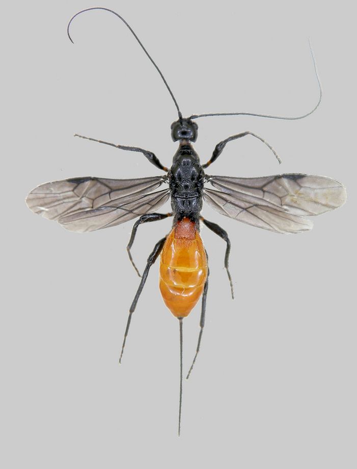
Hymenoptera Braconidae
16.VI.2011 - ITALIA - Lazio - RM
Allegato(i)
Hymenoptera Braconidae

16.VI.2011 - ITALIA - Lazio - RM
Hymenoptera

Claude54

1

638

17/06/2011, 17:22

D & JP Balmer Vedi ultimo messaggio

Nessun messaggio da leggere
Aleiodes sp.? Braconidae Rogadinae Förster,1862
25.V.2011 - ITALIA - Marche - PU
Allegato(i)
Aleiodes sp.? Braconidae Rogadinae Förster,1862

25.V.2011 - ITALIA - Marche - PU
Hymenoptera

marco paglialunga

0

636

27/05/2011, 10:02

marco paglialunga Vedi ultimo messaggio

Nessun messaggio da leggere
Hymenoptera Braconidae
21.V.2011 - ITALIA - Marche - PU
Allegato(i)
Hymenoptera Braconidae

21.V.2011 - ITALIA - Marche - PU
Hymenoptera

marco paglialunga

2

661

24/05/2011, 20:45

marco paglialunga Vedi ultimo messaggio

Nessun messaggio da leggere
Aridelus rufotestaceus Tobias, 1986 - Braconidae Euphorinae
7.V.2011 - ITALIA - Emilia-Romagna - BO
Allegato(i)
Aridelus rufotestaceus Tobias, 1986 - Braconidae Euphorinae

7.V.2011 - ITALIA - Emilia-Romagna - BO
Hymenoptera

Gian Luca Agnoli

8

1481

23/05/2011, 20:48

Eopteryx Vedi ultimo messaggio

Nessun messaggio da leggere
Braconidae
24.IV.2011 - ITALIA - Emilia-Romagna - RN
Allegato(i)
Braconidae

24.IV.2011 - ITALIA - Emilia-Romagna - RN
Hymenoptera

tala

1

745

18/05/2011, 9:19

Eopteryx Vedi ultimo messaggio

Nessun messaggio da leggere
Braconidae
24.IV.2011 - ITALIA - Emilia-Romagna - RN
Allegato(i)
Braconidae

24.IV.2011 - ITALIA - Emilia-Romagna - RN
Hymenoptera

tala

1

750

18/05/2011, 9:18

Eopteryx Vedi ultimo messaggio

Nessun messaggio da leggere
Braconidae
25.IV.2011 - ITALIA - Emilia-Romagna - RN
Allegato(i)
Braconidae

25.IV.2011 - ITALIA - Emilia-Romagna - RN
Hymenoptera

tala

1

829

04/05/2011, 15:37

Eopteryx Vedi ultimo messaggio

Nessun messaggio da leggere
Imenottero Braconidae - Toscana-Isola d'Elba
18.II.2011 - ITALIA - Toscana - LI
Allegato(i)
Imenottero Braconidae - Toscana-Isola d'Elba

18.II.2011 - ITALIA - Toscana - LI
Hymenoptera

FORBIX

3

809

14/03/2011, 10:27

Eopteryx Vedi ultimo messaggio

Nessun messaggio da leggere
Allegato(i)
Imenottero Braconidae parassita di Afide
Hymenoptera

soken

8

2061

07/03/2011, 13:37

soken Vedi ultimo messaggio

Nessun messaggio da leggere
Bozzoli di Imenotteri Braconidi
ITALIA - Lazio - RM
Allegato(i)
Bozzoli di Imenotteri Braconidi

[ Vai alla paginaVai alla pagina: 1, 2 ]



ITALIA - Lazio - RM
Hymenoptera

soken

15

3219

08/02/2011, 23:36

soken Vedi ultimo messaggio

Nessun messaggio da leggere
Braconidae
10.I.2011 - ITALIA - Sardegna - CA
Allegato(i)
Braconidae

10.I.2011 - ITALIA - Sardegna - CA
Hymenoptera

PierFrancescoMurgia

2

900

12/01/2011, 15:34

PierFrancescoMurgia Vedi ultimo messaggio

Nessun messaggio da leggere
Braconidae da id.
11.VIII.2010 - ITALIA - Friuli-Venezia Giulia - GO
Allegato(i)
Braconidae da id.

11.VIII.2010 - ITALIA - Friuli-Venezia Giulia - GO
Hymenoptera

Agdistis

4

1224

09/01/2011, 15:19

marco paglialunga Vedi ultimo messaggio

Nessun messaggio da leggere
Apanteles sp. - Braconidae
29.XII.2010 - ITALIA - Sicilia - TP
Allegato(i)
Apanteles sp. - Braconidae

29.XII.2010 - ITALIA - Sicilia - TP
Hymenoptera

gigi58

2

938

29/12/2010, 23:55

gigi58 Vedi ultimo messaggio

Nessun messaggio da leggere
Allegato(i)
Braconide giallo nero
Hymenoptera

gigi58

1

572

29/11/2010, 21:56

gigi58 Vedi ultimo messaggio

Nessun messaggio da leggere
Braconidae - Puglia
27.VII.2010 - ITALIA - Puglia - FG
Allegato(i)
Braconidae - Puglia

27.VII.2010 - ITALIA - Puglia - FG
Hymenoptera

Mugy

3

1123

11/11/2010, 21:43

FORBIX Vedi ultimo messaggio

Nessun messaggio da leggere
Braconidae da ID - Toscana-Isola d'Elba
7.X.2010 - ITALIA - Toscana - LI
Allegato(i)
Braconidae da ID - Toscana-Isola d'Elba

7.X.2010 - ITALIA - Toscana - LI
Hymenoptera

FORBIX

2

687

20/10/2010, 10:37

FORBIX Vedi ultimo messaggio

Nessun messaggio da leggere
Braconidae
IV.1997 - ITALIA - Marche - PU
Allegato(i)
Braconidae

IV.1997 - ITALIA - Marche - PU
Hymenoptera

marco paglialunga

2

778

29/09/2010, 9:58

marco paglialunga Vedi ultimo messaggio

Nessun messaggio da leggere
Braconidae - Toscana-Isola d'Elba
19.IX.2010 - ITALIA - Toscana - LI
Allegato(i)
Braconidae - Toscana-Isola d'Elba

19.IX.2010 - ITALIA - Toscana - LI
Hymenoptera

FORBIX

1

578

25/09/2010, 17:20

Eopteryx Vedi ultimo messaggio

Nessun messaggio da leggere
Allegato(i)
Imenottero
Hymenoptera

carlos

5

722

23/08/2010, 22:51

Andricus Vedi ultimo messaggio

Nessun messaggio da leggere
Imenottero Braconidae parassita su Psychide - Sardegna
18.II.2010 - ITALIA - Sardegna - CA
Allegato(i)
Imenottero Braconidae parassita su Psychide - Sardegna

18.II.2010 - ITALIA - Sardegna - CA
Hymenoptera

Fumea crassiorella

2

541

13/08/2010, 12:05

Fumea crassiorella Vedi ultimo messaggio

Nessun messaggio da leggere
Braconidae - Sardegna, Domus de Maria (IC) - lampada mista
17.VII.2010 - ITALIA - Sardegna - CA
Allegato(i)
Braconidae - Sardegna, Domus de Maria (IC) - lampada mista

17.VII.2010 - ITALIA - Sardegna - CA
Hymenoptera

ruzzpa

2

773

21/07/2010, 8:33

Hemerobius Vedi ultimo messaggio

Nessun messaggio da leggere
Braconidae - Fiuminata (MC) - Marche
12.VI.2010 - ITALIA - Marche - MC
Allegato(i)
Braconidae - Fiuminata (MC) - Marche

12.VI.2010 - ITALIA - Marche - MC
Hymenoptera

marco paglialunga

5

1012

15/07/2010, 9:24

Eopteryx Vedi ultimo messaggio

Nessun messaggio da leggere
Allegato(i)
Hymenoptera sp - Braconidae - Sardegna
Hymenoptera

PierFrancescoMurgia

2

593

23/06/2010, 23:57

PierFrancescoMurgia Vedi ultimo messaggio

Nessun messaggio da leggere
Allegato(i)
Braconidae. Emilia Romagna
Hymenoptera

Notoxus59

3

719

02/05/2010, 19:03

Eopteryx Vedi ultimo messaggio

Nessun messaggio da leggere
Allegato(i)
Bracon hebetor Say, 1836 (Braconidae), parassitoide di Plodia interpunctella (Hübner, 1813) (Pyralidae, Phycitinae)

24.X.2009 - ITALIA - Sicilia - PA
Hymenoptera

eremicus

5

1362

25/10/2009, 11:17

Eopteryx Vedi ultimo messaggio

Nessun messaggio da leggere
Chelonus sp. - Ichneumonoidea, Braconidae, Cheloninae
19.X.2009 - ITALIA - Sardegna - SS
Allegato(i)
Chelonus sp. - Ichneumonoidea, Braconidae, Cheloninae

19.X.2009 - ITALIA - Sardegna - SS
Hymenoptera

Hemerobius

13

2513

20/10/2009, 6:26

Hemerobius Vedi ultimo messaggio

Nessun messaggio da leggere
Allegato(i)
Imenottero Braconidae
Hymenoptera

soken

3

718

01/10/2009, 18:57

Eopteryx Vedi ultimo messaggio

Nessun messaggio da leggere
Allegato(i)
Braconidae spp. ??
Hymenoptera

soken

6

848

21/08/2009, 13:06

soken Vedi ultimo messaggio

Nessun messaggio da leggere
Allegato(i)
Piccoli imenotteri Braconidae da Berchidda, Sardegna
Hymenoptera

Mauro

1

639

27/07/2009, 20:21

Eopteryx Vedi ultimo messaggio

Nessun messaggio da leggere
Allegato(i)
Braconidae sp.2 Sardegna
Hymenoptera

Daniele Sechi

0

414

06/03/2009, 19:53

Daniele Sechi Vedi ultimo messaggio

Nessun messaggio da leggere
Allegato(i)
Braconidae sp.1 Sardegna
Hymenoptera

Daniele Sechi

0

348

06/03/2009, 19:51

Daniele Sechi Vedi ultimo messaggio

Visualizza ultimi argomenti:  Ordina per  Ordine:  
nuovo argomento
Vai alla pagina Precedente  1, 2, 3
Pagina 3 di 3 [ 132 argomenti ]

Tutti gli orari sono UTC + 1 ora [ ora legale ]


Chi c’è in linea

Visitano il forum: Nessuno e 1 ospite


Legenda
Messaggi da leggere Messaggi da leggere Nessun messaggio da leggere Nessun messaggio da leggere Annuncio Annuncio
 
Specie indeterminata / discussione generica
Messaggi non letti [ Popolari ] Messaggi non letti [ Popolari ] Nessun messaggio da leggere [ Popolare ] Nessun messaggio da leggere [ Popolare ] Importante Importante
 
Specie determinata fino al genere o cf.
Messaggi non letti [ Bloccati ] Messaggi non letti [ Bloccati ] No messaggi non letti [ Bloccati ] No messaggi non letti [ Bloccati ] Argomento spostato Argomento spostato
 
Specie correttamente determinata
Permessi
Non puoi aprire nuovi argomenti
Non puoi rispondere negli argomenti
Non puoi modificare i tuoi messaggi
Non puoi cancellare i tuoi messaggi
Non puoi inviare allegati

Cerca per:
Vai a: