Benvenuto Ospite

Forum Entomologi Italiani

www.entomologiitaliani.net/forum
 
Oggi è 07/11/2025, 16:40

Tutti gli orari sono UTC + 1 ora [ ora legale ]

Anobiidae


[ AFROTROPICALE ] [ ANTARTICO ] [ AUSTRALASIANO ] [ NEARTICO ] [ NEOTROPICALE ] [ ORIENTALE ] [ PALEARTICO ]


nuovo argomento
Vai alla pagina Precedente  1, 2, 3, 4, 5  Prossimo
Pagina 2 di 5 [ 250 argomenti ]
 Argomenti   Ordine   Autore   Risposte   Visite    Ultimo messaggio 
Annunci
Nessun messaggio da leggere
Allegato(i)
Incontri entomologici telematici organizzati dalla Società Entomologica Italiana nel 2022 e nel 2023

[ Vai alla paginaVai alla pagina: 1, 2, 3 ]

 

Velvet Ant

44

1426013

03/03/2023, 15:55

Velvet Ant Vedi ultimo messaggio

Nessun messaggio da leggere  
Allegato(i)
Sondaggio sul declino dell'entomofauna in Italia

[ Vai alla paginaVai alla pagina: 1, 2, 3, 4 ]

 

Velvet Ant

52

1753656

22/10/2022, 19:18

Acquarius Vedi ultimo messaggio

Nessun messaggio da leggere  
Allegato(i)
Progetto: Bibliografia ragionata dei lavori entomologici nei quali sono citati reperti apparsi su FEI

[ Vai alla paginaVai alla pagina: 1, 2, 3 ]

 

Velvet Ant

33

1168312

06/07/2023, 18:31

Orotrechus Vedi ultimo messaggio

Nessun messaggio da leggere
Allegato(i)
Mimesi, il primo documentario cinematografico sull’entomologia in Italia: casting
 

mazzeip

1

456357

28/02/2019, 20:26

mazzeip Vedi ultimo messaggio

Questo argomento è bloccato, non puoi modificare o inviare ulteriori messaggi.
Allegato(i)
ISTRUZIONI PUBBLICAZIONE NUOVI ARGOMENTI E FOTO

 
Altri Ordini di Insetti

Julodis

4

898024

13/05/2015, 19:37

Julodis Vedi ultimo messaggio

Nessun messaggio da leggere
Allegato(i)
Limitatore giornaliero di messaggi, uno strumento utile e ormai indispensabile

[ Vai alla paginaVai alla pagina: 1 ... 14, 15, 16 ]

 

Velvet Ant

233

8810103

25/09/2014, 14:31

Inachis Vedi ultimo messaggio

Nessun messaggio da leggere  
NORME PER I COLLABORATORI DEL FORUM

 
 

Velvet Ant

0

478654

02/06/2011, 12:05

Velvet Ant Vedi ultimo messaggio

Nessun messaggio da leggere
Allegato(i)
NORME PER GLI UTENTI DEL FORUM

[ Vai alla paginaVai alla pagina: 1, 2, 3 ]



 
 

Velvet Ant

30

2343868

23/09/2014, 23:54

Maurizio Bollino Vedi ultimo messaggio

Nessun messaggio da leggere  
Lista degli utenti del "Forum entomologi italiani" per campi di interesse e specializzazione

 
Altri Ordini di Insetti

Velvet Ant

13

943289

07/09/2023, 17:14

Roberto-07 Vedi ultimo messaggio

Argomenti
Nessun messaggio da leggere
Ptinomorphus imperialis (Linnaeus, 1767) - Anobiidae
12.VI.2000 - ITALIA - Abruzzo - AQ
Allegato(i)
Ptinomorphus imperialis (Linnaeus, 1767) - Anobiidae

12.VI.2000 - ITALIA - Abruzzo - AQ
Coleoptera

Valerio

1

1069

11/06/2020, 0:49

Valerio Vedi ultimo messaggio

Nessun messaggio da leggere
Anobium punctatum (Degeer, 1774) - Anobiidae
30.V.2009 - ITALIA - Marche - AN
Allegato(i)
Anobium punctatum (Degeer, 1774) - Anobiidae

30.V.2009 - ITALIA - Marche - AN
Coleoptera

Valerio

4

1666

09/06/2020, 17:45

Chalybion Vedi ultimo messaggio

Nessun messaggio da leggere
Allegato(i)
Ptinus (Ptinus) calcaratus Kiesenwetter, 1877 - Anobiidae Ptininae

28.I.2014 - ITALIA - Lazio - LT
Coleoptera

Valerio

4

1591

09/06/2020, 16:22

giuseppe55 Vedi ultimo messaggio

Nessun messaggio da leggere
Ernobius mollis mollis (Linnaeus, 1758) (cf.) - Anobiidae
23.VI.2013 - ITALIA - Calabria - CS
Allegato(i)
Ernobius mollis mollis (Linnaeus, 1758) (cf.) - Anobiidae

23.VI.2013 - ITALIA - Calabria - CS
Coleoptera

Valerio

2

1152

06/06/2020, 20:12

Valerio Vedi ultimo messaggio

Nessun messaggio da leggere
Ernobius gigas (Mulsant & Rey, 1863) (cf.) - Anobiidae
12.IV.2020 - ITALIA - Toscana - GR
Allegato(i)
Ernobius gigas (Mulsant & Rey, 1863) (cf.) - Anobiidae

12.IV.2020 - ITALIA - Toscana - GR
Coleoptera

hypotyphlus

2

1122

27/04/2020, 9:30

hypotyphlus Vedi ultimo messaggio

Nessun messaggio da leggere
Hemicoelus fulvicornis (Sturm, 1837) - Anobiidae
19.IV.2020 - ITALIA - Friuli-Venezia Giulia - GO
Allegato(i)
Hemicoelus fulvicornis (Sturm, 1837) - Anobiidae

19.IV.2020 - ITALIA - Friuli-Venezia Giulia - GO
Coleoptera

Agdistis

8

2022

22/04/2020, 10:59

Orotrechus Vedi ultimo messaggio

Nessun messaggio da leggere
Gastrallus vavrai Zahradnìk, 2007 (cf.) - Anobiidae
28.VII.2013 - ITALIA - Abruzzo - AQ
Allegato(i)
Gastrallus vavrai Zahradnìk, 2007 (cf.) - Anobiidae

28.VII.2013 - ITALIA - Abruzzo - AQ
Coleoptera

giuseppe55

2

1224

30/01/2020, 18:41

giuseppe55 Vedi ultimo messaggio

Nessun messaggio da leggere
Gastrallus immarginatus (P. W. J. Muller, 1821) - Anobiidae Anobiini
6.VII.2019 - ITALIA - Emilia-Romagna - RA
Allegato(i)
Gastrallus immarginatus (P. W. J. Muller, 1821) - Anobiidae Anobiini

[ Vai alla paginaVai alla pagina: 1, 2 ]



6.VII.2019 - ITALIA - Emilia-Romagna - RA
Coleoptera

Chalybion

15

3276

28/01/2020, 19:47

giuseppe55 Vedi ultimo messaggio

Nessun messaggio da leggere
Allegato(i)
Ptinus (Ptinus) fur (Linnaeus, 1758) - Anobiidae Ptininae

21.XII.2015 - ROMANIA - EE
Coleoptera

alexaandru

3

1107

27/01/2020, 19:24

giuseppe55 Vedi ultimo messaggio

Nessun messaggio da leggere
Allegato(i)
Ptinus (Ptinus) fur (Linnaeus, 1758) - Anobiidae Ptininae

21.XII.2015 - ROMANIA - EE
Coleoptera

alexaandru

2

881

26/01/2020, 18:12

alexaandru Vedi ultimo messaggio

Nessun messaggio da leggere
Allegato(i)
Metholcus phoenicis (Fairmaire, 1859) - Anobiidae Xyletininae

5.V.2017 - ITALIA - Sardegna - OR
Coleoptera

Chalybion

2

1020

24/01/2020, 19:59

Chalybion Vedi ultimo messaggio

Nessun messaggio da leggere
Hadrobregmus denticollis (Creutzer, 1796) - Anobiidae Anobiinae
19.VIII.2011 - ITALIA - Emilia-Romagna - BO
Allegato(i)
Hadrobregmus denticollis (Creutzer, 1796) - Anobiidae Anobiinae

19.VIII.2011 - ITALIA - Emilia-Romagna - BO
Coleoptera

Chalybion

2

933

24/01/2020, 19:58

Chalybion Vedi ultimo messaggio

Nessun messaggio da leggere
Mesocoelopus niger (P. W. J. Muller, 1821) - Anobiidae Mesocoelopodinae
30.IV.2016 - ITALIA - Emilia-Romagna - RA
Allegato(i)
Mesocoelopus niger (P. W. J. Muller, 1821) - Anobiidae Mesocoelopodinae

30.IV.2016 - ITALIA - Emilia-Romagna - RA
Coleoptera

Chalybion

2

868

24/01/2020, 19:57

Chalybion Vedi ultimo messaggio

Nessun messaggio da leggere
Ptinus (Bruchoptinus) italicus Aragona 1830 - Anobiidae
7.VI.2019 - ITALIA - Piemonte - TO
Allegato(i)
Ptinus (Bruchoptinus) italicus Aragona 1830 - Anobiidae

7.VI.2019 - ITALIA - Piemonte - TO
Coleoptera

checcapitipiti

4

1126

26/12/2019, 19:28

checcapitipiti Vedi ultimo messaggio

Nessun messaggio da leggere
Stegobium paniceum (Linnaeus, 1758) - Anobiidae
19.X.2019 - ITALIA - Marche - AN
Allegato(i)
Stegobium paniceum (Linnaeus, 1758) - Anobiidae

19.X.2019 - ITALIA - Marche - AN
Coleoptera

Gintor

7

1473

31/10/2019, 22:36

Gintor Vedi ultimo messaggio

Nessun messaggio da leggere
Stegobium paniceum (Linnaeus, 1758) - Anobiidae
2.IX.2019 - ITALIA - Lombardia - LO
Allegato(i)
Stegobium paniceum (Linnaeus, 1758) - Anobiidae

2.IX.2019 - ITALIA - Lombardia - LO
Altri Ordini di Insetti

robertino67

4

1202

11/09/2019, 20:01

Chalybion Vedi ultimo messaggio

Nessun messaggio da leggere
Anobiidae sp.
21.VII.2019 - ITALIA - Lombardia - BG
Allegato(i)
Anobiidae sp.

21.VII.2019 - ITALIA - Lombardia - BG
Coleoptera

fasmidi

3

1006

23/07/2019, 16:22

fasmidi Vedi ultimo messaggio

Nessun messaggio da leggere
Oligomerus sp. - Anobiidae
3.VII.2019 - ITALIA - Lombardia - MI
Allegato(i)
Oligomerus sp. - Anobiidae

3.VII.2019 - ITALIA - Lombardia - MI
Coleoptera

vladim

2

1062

06/07/2019, 7:08

vladim Vedi ultimo messaggio

Nessun messaggio da leggere
Pseudodryophilus paradoxus (Rosenhauer, 1856) - Anobiidae
31.V.2019 - ITALIA - Puglia - LE
Allegato(i)
Pseudodryophilus paradoxus (Rosenhauer, 1856) - Anobiidae

31.V.2019 - ITALIA - Puglia - LE
Coleoptera

Michael Becker

4

1047

22/06/2019, 5:47

Michael Becker Vedi ultimo messaggio

Nessun messaggio da leggere
Ochina (Ochina) latrellii (Bonelli, 1812) - Anobiidae
13.IV.2019 - ITALIA - Emilia-Romagna - RE
Allegato(i)
Ochina (Ochina) latrellii (Bonelli, 1812) - Anobiidae

13.IV.2019 - ITALIA - Emilia-Romagna - RE
Coleoptera

Adriana49

2

866

28/04/2019, 11:39

Adriana49 Vedi ultimo messaggio

Nessun messaggio da leggere
Allegato(i)
Ptinus (Gynopterus) sexpunctatus Panzer, 1789 - Anobiidae Ptininae

9.IV.2019 - ITALIA - Sardegna - OT
Coleoptera

Mauro

4

1112

09/04/2019, 20:52

Mauro Vedi ultimo messaggio

Nessun messaggio da leggere
Ptinus (Bruchoptinus) italicus Aragona, 1830 - Anobiidae
14.V.1988 - ITALIA - Lombardia - PV
Allegato(i)
Ptinus (Bruchoptinus) italicus Aragona, 1830 - Anobiidae

14.V.1988 - ITALIA - Lombardia - PV
Coleoptera

giuseppe55

2

698

11/03/2019, 19:29

giuseppe55 Vedi ultimo messaggio

Nessun messaggio da leggere
Allegato(i)
Ptinomorphus imperialis (Linnaeus, 1767) - Anobiidae

 
Coleoptera

walter

3

773

06/03/2019, 20:24

f.izzillo Vedi ultimo messaggio

Nessun messaggio da leggere
Ptinus (Ptinus) obesus P. H. Lucas, 1849 (cf.) - Anobiidae
12.I.2019 - ITALIA - Toscana - LU
Allegato(i)
Ptinus (Ptinus) obesus P. H. Lucas, 1849 (cf.) - Anobiidae

12.I.2019 - ITALIA - Toscana - LU
Coleoptera

baratti48

3

872

27/02/2019, 19:24

baratti48 Vedi ultimo messaggio

Nessun messaggio da leggere
Ernobius rufus (Illiger, 1807) - Anobiidae
22.V.2017 - ITALIA - Sardegna - CA
Allegato(i)
Ernobius rufus (Illiger, 1807) - Anobiidae

22.V.2017 - ITALIA - Sardegna - CA
Coleoptera

Adriana49

2

962

04/11/2018, 19:34

Adriana49 Vedi ultimo messaggio

Nessun messaggio da leggere
Lasioderma serricorne (Fabricius, 1792) (cf.) - Anobiidae
20.X.2018 - ITALIA - Sardegna - CA
Allegato(i)
Lasioderma serricorne (Fabricius, 1792) (cf.) - Anobiidae

20.X.2018 - ITALIA - Sardegna - CA
Coleoptera

Adriana49

2

886

02/11/2018, 8:34

Adriana49 Vedi ultimo messaggio

Nessun messaggio da leggere
Gibbium sp. - Anobiidae Gibbiinae
10.VIII.2018 - ITALIA - Liguria - GE
Allegato(i)
Gibbium sp. - Anobiidae Gibbiinae

10.VIII.2018 - ITALIA - Liguria - GE
Coleoptera

Giuseppe Bernardi

1

619

17/09/2018, 12:23

TheWings Vedi ultimo messaggio

Nessun messaggio da leggere
Allegato(i)
Ptinus (Gynopterus) variegatus Rossi, 1792 (cf.) - Anobiidae Ptininae

1.V.2018 - TURCHIA - EE
Coleoptera

Mantispid

2

601

29/08/2018, 17:40

Mantispid Vedi ultimo messaggio

Nessun messaggio da leggere
Ptinus sp - Anobiidae
23.IV.2018 - ITALIA - Abruzzo - CH
Allegato(i)
Ptinus sp - Anobiidae

23.IV.2018 - ITALIA - Abruzzo - CH
Coleoptera

DTVD

4

1248

29/06/2018, 14:30

DTVD Vedi ultimo messaggio

Nessun messaggio da leggere
Lasioderma thoracicum (Morawitz, 1861) - Anobiidae
12.V.2018 - ITALIA - Abruzzo - CH
Allegato(i)
Lasioderma thoracicum (Morawitz, 1861) - Anobiidae

12.V.2018 - ITALIA - Abruzzo - CH
Coleoptera

DTVD

10

2305

29/06/2018, 12:22

DTVD Vedi ultimo messaggio

Nessun messaggio da leggere
Oligomerus sp. - Anobiidae
1.V.2018 - ITALIA - Sicilia - PA
Allegato(i)
Oligomerus sp. - Anobiidae

1.V.2018 - ITALIA - Sicilia - PA
Coleoptera

David David

4

1265

09/06/2018, 0:51

David David Vedi ultimo messaggio

Nessun messaggio da leggere
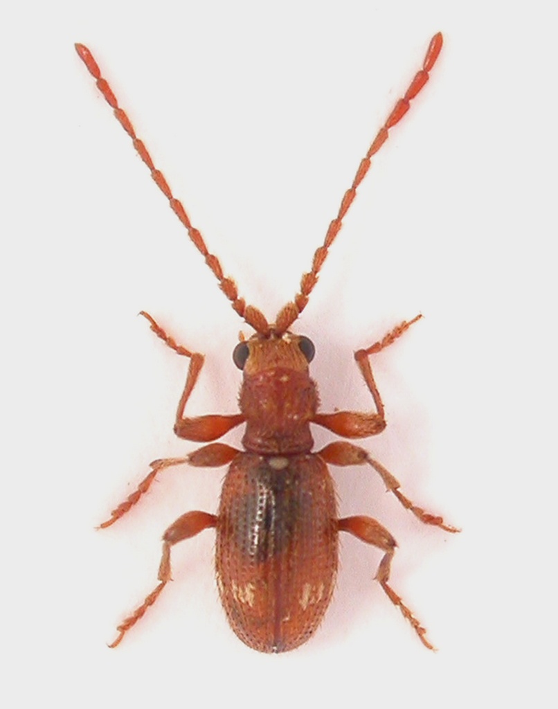
Ptilinus pectinicornis (Linnaeus, 1758) - Anobiidae
13.V.2018 - ITALIA - Lazio - LT
Allegato(i)
Ptilinus pectinicornis (Linnaeus, 1758) - Anobiidae

13.V.2018 - ITALIA - Lazio - LT
Coleoptera

giuseppe55

0

655

15/05/2018, 14:35

giuseppe55 Vedi ultimo messaggio

Nessun messaggio da leggere
Caenocara sp. - Anobiidae
15.IV.2018 - ITALIA - Emilia-Romagna - BO
Allegato(i)
Caenocara sp. - Anobiidae

15.IV.2018 - ITALIA - Emilia-Romagna - BO
Coleoptera

Loriscola

3

874

26/04/2018, 22:08

Carlo A. Vedi ultimo messaggio

Nessun messaggio da leggere
Ochina (Cittobium) ptinoides (Marsham, 1802) - Anobiidae
18.IV.2018 - ITALIA - Lazio - RM
Allegato(i)
Ochina (Cittobium) ptinoides (Marsham, 1802) - Anobiidae

18.IV.2018 - ITALIA - Lazio - RM
Coleoptera

Palaemonetes

8

945

22/04/2018, 10:25

Palaemonetes Vedi ultimo messaggio

Nessun messaggio da leggere
Gibbium psylloides (Czempinski, 1778) - Anobiidae
21.VIII.2017 - ITALIA - Trentino-Alto Adige - TN
Allegato(i)
Gibbium psylloides (Czempinski, 1778) - Anobiidae

21.VIII.2017 - ITALIA - Trentino-Alto Adige - TN
Coleoptera

Syrio

5

1331

26/09/2017, 12:07

Andrea Pergine Vedi ultimo messaggio

Nessun messaggio da leggere
Allegato(i)
Gibbium psylloides (Czempinski 1778) (cf.) - Anobiidae Gibbiinae

 
Altri Artropodi

iofra

6

1553

07/08/2017, 18:41

iofra Vedi ultimo messaggio

Nessun messaggio da leggere
Nicobium castaneum (Olivier, 1790) (cf.) - Anobiidae
1.VI.2017 - ITALIA - Lombardia - BS
Allegato(i)
Nicobium castaneum (Olivier, 1790) (cf.) - Anobiidae

1.VI.2017 - ITALIA - Lombardia - BS
Coleoptera

Livio

0

824

04/06/2017, 21:56

Livio Vedi ultimo messaggio

Nessun messaggio da leggere
Anobiidae sp.
10.VII.2016 - ITALIA - Lazio - RI
Allegato(i)
Anobiidae sp.

10.VII.2016 - ITALIA - Lazio - RI
Coleoptera

wgliinsetti

6

2115

28/05/2017, 9:08

wgliinsetti Vedi ultimo messaggio

Nessun messaggio da leggere
Allegato(i)
Oligomerus ptilinoides (Wollaston 1854) ♀ - Anobiidae Anobiinae Stegobiini

29.III.2017 - ITALIA - Lazio - RM
Coleoptera

Elena Regina

0

751

05/04/2017, 20:26

Elena Regina Vedi ultimo messaggio

Nessun messaggio da leggere
Ptinus sp. - Anobiidae Ptininae
15.III.2015 - MALTA - EE
Allegato(i)
Ptinus sp. - Anobiidae Ptininae

15.III.2015 - MALTA - EE
Coleoptera

Fumea crassiorella

5

1264

24/10/2016, 22:36

zefi Vedi ultimo messaggio

Nessun messaggio da leggere
Ptinus pusillus Sturm, 1837 (cf.) - Anobiidae Ptininae
8.X.2016 - ITALIA - Sardegna - CA
Allegato(i)
Ptinus pusillus Sturm, 1837 (cf.) - Anobiidae Ptininae

8.X.2016 - ITALIA - Sardegna - CA
Coleoptera

Fumea crassiorella

2

683

17/10/2016, 18:54

Fumea crassiorella Vedi ultimo messaggio

Nessun messaggio da leggere
Allegato(i)
Ptinus (Ptinus) corsicus Kiesenwetter, 1877 (cf.) - Anobiidae Ptininae

1.X.2016 - ITALIA - Sardegna - CA
Coleoptera

Fumea crassiorella

3

619

13/10/2016, 20:12

giuseppe55 Vedi ultimo messaggio

Nessun messaggio da leggere
Allegato(i)
Ptinus (Ptinus) spitzyi A. Villa & G. B. Villa 1838 (cf.) - Anobiidae Ptininae

10.X.2016 - ITALIA - Sardegna - CA
Coleoptera

Fumea crassiorella

3

528

13/10/2016, 20:02

Fumea crassiorella Vedi ultimo messaggio

Nessun messaggio da leggere
Gibbium psylloides (Czempinski 1778) - Anobiidae Gibbiinae
23.IX.2016 - ITALIA - Trentino-Alto Adige - TN
Allegato(i)
Gibbium psylloides (Czempinski 1778) - Anobiidae Gibbiinae

23.IX.2016 - ITALIA - Trentino-Alto Adige - TN
Coleoptera

MarcoL

2

749

25/09/2016, 8:47

Julodis Vedi ultimo messaggio

Nessun messaggio da leggere
Allegato(i)
Ptinus tarsalis (Reitter in Brenske & Reitter, 1884) (cf.) - Anobiidae Ptininae

20.II.2000 - ITALIA - Lazio - FR
Coleoptera

giuseppe55

8

1895

18/09/2016, 10:48

giuseppe55 Vedi ultimo messaggio

Nessun messaggio da leggere
Ptinus sp. - Anobiidae Ptininae
5.II.1995 - ITALIA - Lazio - RM
Allegato(i)
Ptinus sp. - Anobiidae Ptininae

5.II.1995 - ITALIA - Lazio - RM
Coleoptera

giuseppe55

8

1161

18/09/2016, 10:43

giuseppe55 Vedi ultimo messaggio

Nessun messaggio da leggere
Allegato(i)
Ptinus (Bruchoptinus) rufipes Olivier, 1790 - Anobiidae Ptininae

VI.2013 - ITALIA - Veneto - BL
Coleoptera

Maw89

1

689

09/09/2016, 21:03

Jean-ed de la Quenouille Vedi ultimo messaggio

Nessun messaggio da leggere
Dignomus lusitanus (Illiger, 1807) - Anobiidae Ptininae
29.IV.2016 - ITALIA - Sardegna - CA
Allegato(i)
Dignomus lusitanus (Illiger, 1807) - Anobiidae Ptininae

29.IV.2016 - ITALIA - Sardegna - CA
Coleoptera

Palaemonetes

6

1099

03/09/2016, 20:40

Palaemonetes Vedi ultimo messaggio

Nessun messaggio da leggere
Ptinus corsicus Kiesenwetter, 1877 - Anobiidae Ptininae
24.X.2015 - ITALIA - Sardegna - NU
Allegato(i)
Ptinus corsicus Kiesenwetter, 1877 - Anobiidae Ptininae

24.X.2015 - ITALIA - Sardegna - NU
Coleoptera

Fumea crassiorella

13

1514

02/09/2016, 17:46

Fumea crassiorella Vedi ultimo messaggio

Nessun messaggio da leggere
Gibbium sp. - Anobiidae Gibbiinae
5.IX.2015 - ITALIA - Trentino-Alto Adige - TN
Allegato(i)
Gibbium sp. - Anobiidae Gibbiinae

5.IX.2015 - ITALIA - Trentino-Alto Adige - TN
Coleoptera

EmilianoTomasoni

5

1200

02/09/2016, 12:20

Jean-ed de la Quenouille Vedi ultimo messaggio

Visualizza ultimi argomenti:  Ordina per  Ordine:  
nuovo argomento
Vai alla pagina Precedente  1, 2, 3, 4, 5  Prossimo
Pagina 2 di 5 [ 250 argomenti ]

Tutti gli orari sono UTC + 1 ora [ ora legale ]


Chi c’è in linea

Visitano il forum: Nessuno e 1 ospite


Legenda
Messaggi da leggere Messaggi da leggere Nessun messaggio da leggere Nessun messaggio da leggere Annuncio Annuncio
 
Specie indeterminata / discussione generica
Messaggi non letti [ Popolari ] Messaggi non letti [ Popolari ] Nessun messaggio da leggere [ Popolare ] Nessun messaggio da leggere [ Popolare ] Importante Importante
 
Specie determinata fino al genere o cf.
Messaggi non letti [ Bloccati ] Messaggi non letti [ Bloccati ] No messaggi non letti [ Bloccati ] No messaggi non letti [ Bloccati ] Argomento spostato Argomento spostato
 
Specie correttamente determinata
Permessi
Non puoi aprire nuovi argomenti
Non puoi rispondere negli argomenti
Non puoi modificare i tuoi messaggi
Non puoi cancellare i tuoi messaggi
Non puoi inviare allegati

Cerca per:
Vai a: