Benvenuto Ospite

Forum Entomologi Italiani

www.entomologiitaliani.net/forum
 
Oggi è 07/11/2025, 13:53

Tutti gli orari sono UTC + 1 ora [ ora legale ]

Lygaeidae


[ AFROTROPICALE ] [ ANTARTICO ] [ AUSTRALASIANO ] [ NEARTICO ] [ NEOTROPICALE ] [ ORIENTALE ] [ PALEARTICO ]


nuovo argomento
Vai alla pagina Precedente  1 ... 7, 8, 9, 10, 11, 12, 13  Prossimo
Pagina 10 di 13 [ 641 argomenti ]
 Argomenti   Ordine   Autore   Risposte   Visite    Ultimo messaggio 
Annunci
Nessun messaggio da leggere
Allegato(i)
Incontri entomologici telematici organizzati dalla Società Entomologica Italiana nel 2022 e nel 2023

[ Vai alla paginaVai alla pagina: 1, 2, 3 ]

 

Velvet Ant

44

1425528

03/03/2023, 15:55

Velvet Ant Vedi ultimo messaggio

Nessun messaggio da leggere  
Allegato(i)
Sondaggio sul declino dell'entomofauna in Italia

[ Vai alla paginaVai alla pagina: 1, 2, 3, 4 ]

 

Velvet Ant

52

1753121

22/10/2022, 19:18

Acquarius Vedi ultimo messaggio

Nessun messaggio da leggere  
Allegato(i)
Progetto: Bibliografia ragionata dei lavori entomologici nei quali sono citati reperti apparsi su FEI

[ Vai alla paginaVai alla pagina: 1, 2, 3 ]

 

Velvet Ant

33

1167997

06/07/2023, 18:31

Orotrechus Vedi ultimo messaggio

Nessun messaggio da leggere
Allegato(i)
Mimesi, il primo documentario cinematografico sull’entomologia in Italia: casting
 

mazzeip

1

456309

28/02/2019, 20:26

mazzeip Vedi ultimo messaggio

Questo argomento è bloccato, non puoi modificare o inviare ulteriori messaggi.
Allegato(i)
ISTRUZIONI PUBBLICAZIONE NUOVI ARGOMENTI E FOTO

 
Altri Ordini di Insetti

Julodis

4

897959

13/05/2015, 19:37

Julodis Vedi ultimo messaggio

Nessun messaggio da leggere
Allegato(i)
Limitatore giornaliero di messaggi, uno strumento utile e ormai indispensabile

[ Vai alla paginaVai alla pagina: 1 ... 14, 15, 16 ]

 

Velvet Ant

233

8807368

25/09/2014, 14:31

Inachis Vedi ultimo messaggio

Nessun messaggio da leggere  
NORME PER I COLLABORATORI DEL FORUM

 
 

Velvet Ant

0

478623

02/06/2011, 12:05

Velvet Ant Vedi ultimo messaggio

Nessun messaggio da leggere
Allegato(i)
NORME PER GLI UTENTI DEL FORUM

[ Vai alla paginaVai alla pagina: 1, 2, 3 ]



 
 

Velvet Ant

30

2343593

23/09/2014, 23:54

Maurizio Bollino Vedi ultimo messaggio

Nessun messaggio da leggere  
Lista degli utenti del "Forum entomologi italiani" per campi di interesse e specializzazione

 
Altri Ordini di Insetti

Velvet Ant

13

943167

07/09/2023, 17:14

Roberto-07 Vedi ultimo messaggio

Argomenti
Nessun messaggio da leggere
Arocatus melanocephalus (Fabricius, 1798) - Lygaeidae
1.III.2012 - ITALIA - Veneto - VR
Allegato(i)
Arocatus melanocephalus (Fabricius, 1798) - Lygaeidae

1.III.2012 - ITALIA - Veneto - VR
Hemiptera

Umbro

4

820

12/03/2012, 19:49

Umbro Vedi ultimo messaggio

Nessun messaggio da leggere
Spilostethus pandurus (Scopoli, 1763) - Lygaeidae
6.III.2012 - ITALIA - Sardegna - CA
Allegato(i)
Spilostethus pandurus (Scopoli, 1763) - Lygaeidae

6.III.2012 - ITALIA - Sardegna - CA
Hemiptera

ruzzpa

1

471

09/03/2012, 11:40

FORBIX Vedi ultimo messaggio

Nessun messaggio da leggere
Allegato(i)
Rhyparochromus vulgaris (Schilling, 1829) - Lygaeidae - Heteroptera

3.III.2012 - ITALIA - Veneto - VE
Hemiptera

ghebo

2

369

06/03/2012, 21:51

ghebo Vedi ultimo messaggio

Nessun messaggio da leggere
Allegato(i)
Holcocranum saturejae (Kolenati, 1845) - Lygaeidae

19.I.2012 - SPAGNA - EE
Hemiptera

Isidro

6

566

02/03/2012, 6:49

Isidro Vedi ultimo messaggio

Nessun messaggio da leggere
Orsillus reyi Puton, 1871 (cf.) - Lygaeidae
21.II.2012 - ITALIA - Marche - AN
Allegato(i)
Orsillus reyi Puton, 1871 (cf.) - Lygaeidae

21.II.2012 - ITALIA - Marche - AN
Hemiptera

StagBeetle

8

854

28/02/2012, 10:42

FORBIX Vedi ultimo messaggio

Nessun messaggio da leggere
Allegato(i)
Oxycarenus (Oxycarenus) lavaterae (Fabricius, 1787) - Lygaeidae

26.I.2012 - ITALIA - Piemonte - VC
Hemiptera

Livio

2

2492

23/02/2012, 1:29

Livio Vedi ultimo messaggio

Nessun messaggio da leggere
Allegato(i)
Gastrodes grossipes grossipes (De Geer, 1773) - Lygaeidae

21.II.2012 - SLOVACCHIA - EE
Hemiptera

Karol Ox

3

940

22/02/2012, 17:25

Karol Ox Vedi ultimo messaggio

Nessun messaggio da leggere
Scolopostethus sp. (cf.) - Lygaeidae
26.I.2012 - ITALIA - Veneto - RO
Allegato(i)
Scolopostethus sp. (cf.) - Lygaeidae

26.I.2012 - ITALIA - Veneto - RO
Hemiptera

Umbro

3

2149

22/02/2012, 14:25

Umbro Vedi ultimo messaggio

Nessun messaggio da leggere
Platyplax salviae (Schilling, 1829) - Lygaeidae
26.I.2012 - ITALIA - Veneto - RO
Allegato(i)
Platyplax salviae (Schilling, 1829) - Lygaeidae

26.I.2012 - ITALIA - Veneto - RO
Hemiptera

Umbro

2

470

06/02/2012, 20:06

Umbro Vedi ultimo messaggio

Nessun messaggio da leggere
Dieuches armatipes (Walker, 1872) - Lygaeidae
29.I.2012 - ITALIA - Sardegna - CA
Allegato(i)
Dieuches armatipes (Walker, 1872) - Lygaeidae

29.I.2012 - ITALIA - Sardegna - CA
Hemiptera

ruzzpa

4

734

01/02/2012, 17:43

Dioli Vedi ultimo messaggio

Nessun messaggio da leggere
Nysius sp. - Lygaeidae
16.I.2012 - ITALIA - Veneto - VE
Allegato(i)
Nysius sp. - Lygaeidae

16.I.2012 - ITALIA - Veneto - VE
Hemiptera

ghebo

2

1843

18/01/2012, 16:21

ghebo Vedi ultimo messaggio

Nessun messaggio da leggere
Beosus maritimus (Scopoli, 1763) - Lygaeidae
8.I.2012 - ITALIA - Veneto - RO
Allegato(i)
Beosus maritimus (Scopoli, 1763) - Lygaeidae

8.I.2012 - ITALIA - Veneto - RO
Hemiptera

Umbro

4

607

15/01/2012, 14:27

Umbro Vedi ultimo messaggio

Nessun messaggio da leggere
Rhyparochromus vulgaris (Schilling, 1829) - Lygaeidae
22.XII.2011 - ITALIA - Emilia-Romagna - RE
Allegato(i)
Rhyparochromus vulgaris (Schilling, 1829) - Lygaeidae

22.XII.2011 - ITALIA - Emilia-Romagna - RE
Hemiptera

Mikiphasmide

5

647

15/01/2012, 13:54

Mikiphasmide Vedi ultimo messaggio

Nessun messaggio da leggere
Melanocoryphus albomaculatus (Goeze, 1778) - Lygaeidae
22.XII.2011 - ITALIA - Emilia-Romagna - RE
Allegato(i)
Melanocoryphus albomaculatus (Goeze, 1778) - Lygaeidae

22.XII.2011 - ITALIA - Emilia-Romagna - RE
Hemiptera

Mikiphasmide

2

807

15/01/2012, 13:54

Dioli Vedi ultimo messaggio

Nessun messaggio da leggere
Rhyparochromus vulgaris (Schilling, 1829) - Lygaeidae
26.XII.2011 - ITALIA - Veneto - RO
Allegato(i)
Rhyparochromus vulgaris (Schilling, 1829) - Lygaeidae

26.XII.2011 - ITALIA - Veneto - RO
Hemiptera

Umbro

3

809

31/12/2011, 17:31

Dioli Vedi ultimo messaggio

Nessun messaggio da leggere
Arocatus roeselii (Schilling, 1829) - Lygaeidae
10.XII.2011 - ITALIA - Veneto - VE
Allegato(i)
Arocatus roeselii (Schilling, 1829) - Lygaeidae

10.XII.2011 - ITALIA - Veneto - VE
Hemiptera

ghebo

4

1147

28/12/2011, 14:21

ghebo Vedi ultimo messaggio

Nessun messaggio da leggere
Arocatus longiceps Stål, 1872 – Lygaeidae
20.XII.2011 - ITALIA - Veneto - VE
Allegato(i)
Arocatus longiceps Stål, 1872 – Lygaeidae

20.XII.2011 - ITALIA - Veneto - VE
Hemiptera

ghebo

8

1257

27/12/2011, 19:16

ghebo Vedi ultimo messaggio

Nessun messaggio da leggere
Scolopostethus sp. - Lygaeidae – Heteroptera
13.XII.2011 - ITALIA - Veneto - VE
Allegato(i)
Scolopostethus sp. - Lygaeidae – Heteroptera

13.XII.2011 - ITALIA - Veneto - VE
Hemiptera

ghebo

2

597

19/12/2011, 16:44

ghebo Vedi ultimo messaggio

Nessun messaggio da leggere
Allegato(i)
Oxycarenus (Oxycarenus) hyalinipennis (A. Costa 1843) - Lygaeidae Oxycareninae

3.XII.2011 - ITALIA - Marche - PU
Hemiptera

marco paglialunga

0

531

18/12/2011, 8:46

marco paglialunga Vedi ultimo messaggio

Nessun messaggio da leggere
Nysius sp. - Lygaeidae
15.VIII.2011 - ITALIA - Veneto - VE
Allegato(i)
Nysius sp. - Lygaeidae

15.VIII.2011 - ITALIA - Veneto - VE
Hemiptera

ghebo

4

2228

14/12/2011, 8:24

ghebo Vedi ultimo messaggio

Nessun messaggio da leggere
Emblethis sp. (cf.) - Lygaeidae
3.XII.2011 - ITALIA - Emilia-Romagna - BO
Allegato(i)
Emblethis sp. (cf.) - Lygaeidae

3.XII.2011 - ITALIA - Emilia-Romagna - BO
Hemiptera

Loriscola

1

1953

09/12/2011, 13:28

FORBIX Vedi ultimo messaggio

Nessun messaggio da leggere
Allegato(i)
Spalacocoris philippinensis Slater & Ahmad, 1964 (cf.) - Lygaeidae Blissinae - Malesia

19.IV.1999 - MALESIA - EE
Altri Ordini di Insetti

Livio

10

2188

07/12/2011, 1:43

Dioli Vedi ultimo messaggio

Nessun messaggio da leggere
Allegato(i)
Eremocoris fenestratus (Herrich-Schäffer, 1839) Lygaeidae ?

31.X.2011 - ITALIA - Marche - PU
Hemiptera

marco paglialunga

0

542

02/12/2011, 8:46

marco paglialunga Vedi ultimo messaggio

Nessun messaggio da leggere
Arocatus roeselii (Schilling, 1829) - Lygaeidae
26.XI.2011 - ITALIA - Friuli-Venezia Giulia - GO
Allegato(i)
Arocatus roeselii (Schilling, 1829) - Lygaeidae

26.XI.2011 - ITALIA - Friuli-Venezia Giulia - GO
Hemiptera

Agdistis

4

1149

28/11/2011, 21:46

Agdistis Vedi ultimo messaggio

Nessun messaggio da leggere
Allegato(i)
Rhyparochromus (Xanthochilus) saturnius (Rossi, 1790) - Lygaeidae

6.XI.2011 - ITALIA - Veneto - RO
Hemiptera

Umbro

2

554

25/11/2011, 9:55

FORBIX Vedi ultimo messaggio

Nessun messaggio da leggere
Allegato(i)
Megalonotus dilatatus (Herrich-Schäffer, 1840) - Lygaeidae

8.X.2011 - ITALIA - Marche - PU
Hemiptera

marco paglialunga

0

452

14/11/2011, 8:38

marco paglialunga Vedi ultimo messaggio

Nessun messaggio da leggere
Paromius gracilis (Rambur, 1839) - Lygaeidae
15.VIII.2011 - ITALIA - Emilia-Romagna - BO
Allegato(i)
Paromius gracilis (Rambur, 1839) - Lygaeidae

15.VIII.2011 - ITALIA - Emilia-Romagna - BO
Hemiptera

Olaffio

2

656

12/11/2011, 22:31

Olaffio Vedi ultimo messaggio

Nessun messaggio da leggere
Lygaeus equestris sicilianus (Wagner, 1955) - Lygaeidae
1.XI.2011 - ITALIA - Sicilia - ME
Allegato(i)
Lygaeus equestris sicilianus (Wagner, 1955) - Lygaeidae

1.XI.2011 - ITALIA - Sicilia - ME
Hemiptera

Lucanus tetraodon

3

888

08/11/2011, 23:37

Lucanus tetraodon Vedi ultimo messaggio

Nessun messaggio da leggere
Nysius cymoides (Spinola, 1837) (cf.) - Lygaeidae
7.VII.2011 - ITALIA - Lazio - RM
Allegato(i)
Nysius cymoides (Spinola, 1837) (cf.) - Lygaeidae

7.VII.2011 - ITALIA - Lazio - RM
Hemiptera

soken

4

860

05/11/2011, 10:56

marco paglialunga Vedi ultimo messaggio

Nessun messaggio da leggere
Lygaeus equestris (Linnaeus, 1758) - Lygaeidae
26.VI.2011 - ITALIA - Friuli-Venezia Giulia - UD
Allegato(i)
Lygaeus equestris (Linnaeus, 1758) - Lygaeidae

26.VI.2011 - ITALIA - Friuli-Venezia Giulia - UD
Hemiptera

Agdistis

5

1292

19/10/2011, 18:50

Agdistis Vedi ultimo messaggio

Nessun messaggio da leggere
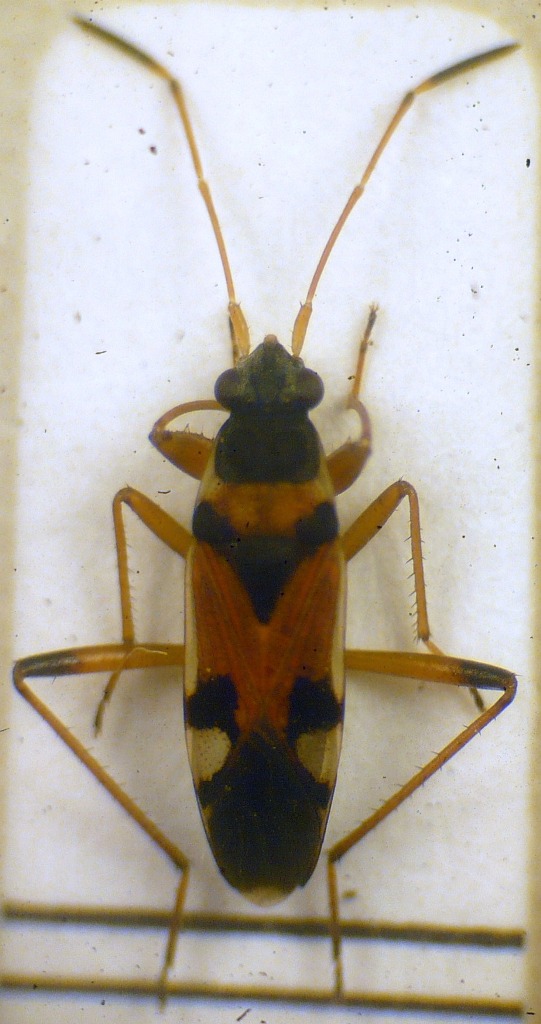
Spilostethus saxatilis (Scopoli, 1763 )
3.VIII.2011 - ITALIA - Friuli-Venezia Giulia - GO
Allegato(i)
Spilostethus saxatilis (Scopoli, 1763 )

3.VIII.2011 - ITALIA - Friuli-Venezia Giulia - GO
Hemiptera

Agdistis

1

705

18/10/2011, 21:09

cosmln Vedi ultimo messaggio

Nessun messaggio da leggere
Allegato(i)
Spilostethus pandurus (Scopoli, 1763), adulto e ninfa (adult and nymph) - Lygaeidae

2.VII.2009 - ITALIA - Lombardia - BG
Hemiptera

nicoletta

2

755

16/10/2011, 17:07

nicoletta Vedi ultimo messaggio

Nessun messaggio da leggere
Spilostethus pandurus (Scopoli, 1763) - Lygaeidae
30.VIII.2011 - ITALIA - Veneto - BL
Allegato(i)
Spilostethus pandurus (Scopoli, 1763) - Lygaeidae

30.VIII.2011 - ITALIA - Veneto - BL
Hemiptera

mavericksaur

2

758

13/09/2011, 21:39

Tc70 Vedi ultimo messaggio

Nessun messaggio da leggere
Geocoris (Geocoris) megacephalus (Rossi, 1790) - Lygaeidae
6.VIII.2011 - ITALIA - Friuli-Venezia Giulia - GO
Allegato(i)
Geocoris (Geocoris) megacephalus (Rossi, 1790) - Lygaeidae

6.VIII.2011 - ITALIA - Friuli-Venezia Giulia - GO
Hemiptera

Agdistis

3

806

09/08/2011, 18:33

Dioli Vedi ultimo messaggio

Nessun messaggio da leggere
Allegato(i)
Oxycarenus (Oxycarenus) lavaterae (Fabricius, 1787) - Lygaeidae

8.VI.2011 - ITALIA - Lazio - RM
Hemiptera

soken

3

796

29/07/2011, 22:58

soken Vedi ultimo messaggio

Nessun messaggio da leggere
Allegato(i)
Beosus quadripunctatus (Muller, 1766) - Lygaeidae

10.V.2011 - TURCHIA - EE
Hemiptera

Isotomus

10

1432

28/07/2011, 8:52

marco paglialunga Vedi ultimo messaggio

Nessun messaggio da leggere
Allegato(i)
Megalonotus praetextatus (Herrich-Schaeffer, 1835) - Lygaeidae

21.VII.2011 - ITALIA - Lazio - RM
Hemiptera

soken

3

792

25/07/2011, 22:50

soken Vedi ultimo messaggio

Nessun messaggio da leggere
Allegato(i)
Geocoris (Piocoris) erythrocephalus (Lepeletier & Serville, 1825) - Lygaeidae

10.V.2011 - ITALIA - Lazio - RM
Hemiptera

soken

3

877

18/07/2011, 20:49

soken Vedi ultimo messaggio

Nessun messaggio da leggere
Arocatus melanocephalus (Fabricius 1798) - Lygaeidae
28.IV.2011 - ITALIA - Piemonte - AL
Allegato(i)
Arocatus melanocephalus (Fabricius 1798) - Lygaeidae

28.IV.2011 - ITALIA - Piemonte - AL
Hemiptera

commissario62

4

1328

10/07/2011, 1:21

Dioli Vedi ultimo messaggio

Nessun messaggio da leggere
Allegato(i)
Rhyparochromus (Microtomideus) leucodermus Fieber, 1861 - Lygaeidae

22.VI.2011 - ITALIA - Sardegna - CA
Hemiptera

Palaemonetes

2

671

23/06/2011, 8:02

Palaemonetes Vedi ultimo messaggio

Nessun messaggio da leggere
Allegato(i)
Rhyparochromus (Xanthochilus) quadratus (Fabricius, 1798) - Lygaeidae

28.V.2011 - ITALIA - Marche - PU
Hemiptera

marco paglialunga

3

720

01/06/2011, 19:17

giuseppe55 Vedi ultimo messaggio

Nessun messaggio da leggere
Lygaeus equestris (Linnaeus, 1758) (cf.) - Lygaeidae
3.V.2009 - ITALIA - Lombardia - SO
Allegato(i)
Lygaeus equestris (Linnaeus, 1758) (cf.) - Lygaeidae

3.V.2009 - ITALIA - Lombardia - SO
Hemiptera

Luciano Menghi

1

619

19/05/2011, 15:32

clido Vedi ultimo messaggio

Nessun messaggio da leggere
Spilostethus saxatilis (Scopoli 1763) - Lygaeidae
15.V.2011 - ITALIA - Basilicata - MT
Allegato(i)
Spilostethus saxatilis (Scopoli 1763) - Lygaeidae

15.V.2011 - ITALIA - Basilicata - MT
Hemiptera

Mimmo011

2

816

16/05/2011, 16:22

Mimmo011 Vedi ultimo messaggio

Nessun messaggio da leggere
Nysius sp. (cf.) - Lygaeidae
8.IX.2007 - ITALIA - Lombardia - SO
Allegato(i)
Nysius sp. (cf.) - Lygaeidae

8.IX.2007 - ITALIA - Lombardia - SO
Hemiptera

Luciano Menghi

1

641

15/05/2011, 13:19

Palaemonetes Vedi ultimo messaggio

Nessun messaggio da leggere
Tropidothorax leucopterus (Goeze, 1778) (cf) - Lygaeidae
28.IV.2008 - ITALIA - Lombardia - SO
Allegato(i)
Tropidothorax leucopterus (Goeze, 1778) (cf) - Lygaeidae

28.IV.2008 - ITALIA - Lombardia - SO
Hemiptera

Luciano Menghi

0

586

15/05/2011, 10:11

Luciano Menghi Vedi ultimo messaggio

Nessun messaggio da leggere
Ischnodemus sp. - Lygaeidae
10.IV.2011 - ITALIA - Friuli-Venezia Giulia - GO
Allegato(i)
Ischnodemus sp. - Lygaeidae

10.IV.2011 - ITALIA - Friuli-Venezia Giulia - GO
Hemiptera

Agdistis

2

884

29/04/2011, 0:23

Agdistis Vedi ultimo messaggio

Nessun messaggio da leggere
Dimorphopterus blissoides (Baerensprung, 1859) - Lygaeidae
23.IV.2011 - ITALIA - Friuli-Venezia Giulia - GO
Allegato(i)
Dimorphopterus blissoides (Baerensprung, 1859) - Lygaeidae

23.IV.2011 - ITALIA - Friuli-Venezia Giulia - GO
Hemiptera

Agdistis

4

1232

28/04/2011, 23:47

marsal Vedi ultimo messaggio

Nessun messaggio da leggere
Beosus quadripunctatus (O.F. Müller, 1766) - Lygaeidae
23.IV.2011 - ITALIA - Marche - PU
Allegato(i)
Beosus quadripunctatus (O.F. Müller, 1766) - Lygaeidae

23.IV.2011 - ITALIA - Marche - PU
Hemiptera

marco paglialunga

0

631

27/04/2011, 9:34

marco paglialunga Vedi ultimo messaggio

Nessun messaggio da leggere
Lygaeosoma sardeum Spinola, 1837 - Lygaeidae
21.IV.2011 - ITALIA - Marche - PU
Allegato(i)
Lygaeosoma sardeum Spinola, 1837 - Lygaeidae

21.IV.2011 - ITALIA - Marche - PU
Hemiptera

marco paglialunga

0

530

23/04/2011, 9:23

marco paglialunga Vedi ultimo messaggio

Nessun messaggio da leggere
Metopoplax ditomoides (Costa, 1848) - Lygaeidae
3.IV.2011 - ITALIA - Sardegna - CI
Allegato(i)
Metopoplax ditomoides (Costa, 1848) - Lygaeidae

3.IV.2011 - ITALIA - Sardegna - CI
Hemiptera

Palaemonetes

4

1366

17/04/2011, 23:25

Palaemonetes Vedi ultimo messaggio

Visualizza ultimi argomenti:  Ordina per  Ordine:  
nuovo argomento
Vai alla pagina Precedente  1 ... 7, 8, 9, 10, 11, 12, 13  Prossimo
Pagina 10 di 13 [ 641 argomenti ]

Tutti gli orari sono UTC + 1 ora [ ora legale ]


Chi c’è in linea

Visitano il forum: Nessuno e 4 ospiti


Legenda
Messaggi da leggere Messaggi da leggere Nessun messaggio da leggere Nessun messaggio da leggere Annuncio Annuncio
 
Specie indeterminata / discussione generica
Messaggi non letti [ Popolari ] Messaggi non letti [ Popolari ] Nessun messaggio da leggere [ Popolare ] Nessun messaggio da leggere [ Popolare ] Importante Importante
 
Specie determinata fino al genere o cf.
Messaggi non letti [ Bloccati ] Messaggi non letti [ Bloccati ] No messaggi non letti [ Bloccati ] No messaggi non letti [ Bloccati ] Argomento spostato Argomento spostato
 
Specie correttamente determinata
Permessi
Non puoi aprire nuovi argomenti
Non puoi rispondere negli argomenti
Non puoi modificare i tuoi messaggi
Non puoi cancellare i tuoi messaggi
Non puoi inviare allegati

Cerca per:
Vai a: