|
Argomenti |
Ordine |
Autore |
Risposte |
Visite |
Ultimo messaggio |
Annunci |
 |
|
Incontri entomologici telematici organizzati dalla Società Entomologica Italiana nel 2022 e nel 2023
[ Vai alla pagina: 1, 2, 3 ]
|
|
Velvet Ant |
44 |
1330258 |
03/03/2023, 15:55
Velvet Ant
|
 |
|
Sondaggio sul declino dell'entomofauna in Italia
[ Vai alla pagina: 1, 2, 3, 4 ]
|
|
Velvet Ant |
52 |
1636051 |
22/10/2022, 19:18
Acquarius
|
 |
|
Progetto: Bibliografia ragionata dei lavori entomologici nei quali sono citati reperti apparsi su FEI
[ Vai alla pagina: 1, 2, 3 ]
|
|
Velvet Ant |
33 |
1097965 |
06/07/2023, 18:31
Orotrechus
|
 |
|
Mimesi, il primo documentario cinematografico sull’entomologia in Italia: casting
|
|
mazzeip |
1 |
440637 |
28/02/2019, 20:26
mazzeip
|
 |
|
ISTRUZIONI PUBBLICAZIONE NUOVI ARGOMENTI E FOTO
|
Altri Ordini di Insetti |
Julodis |
4 |
776431 |
13/05/2015, 19:37
Julodis
|
 |
|
Limitatore giornaliero di messaggi, uno strumento utile e ormai indispensabile
[ Vai alla pagina: 1 ... 14, 15, 16 ]
|
|
Velvet Ant |
233 |
7517152 |
25/09/2014, 14:31
Inachis
|
 |
|
NORME PER I COLLABORATORI DEL FORUM
|
|
Velvet Ant |
0 |
471126 |
02/06/2011, 12:05
Velvet Ant
|
 |
|
NORME PER GLI UTENTI DEL FORUM
[ Vai alla pagina: 1, 2, 3 ]
|
|
Velvet Ant |
30 |
2279587 |
23/09/2014, 23:54
Maurizio Bollino
|
 |
|
Lista degli utenti del "Forum entomologi italiani" per campi di interesse e specializzazione
|
Altri Ordini di Insetti |
Velvet Ant |
13 |
921867 |
07/09/2023, 17:14
Roberto-07
|
Argomenti |
 |
|
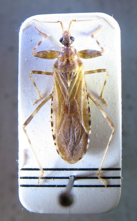
Coranus (Coranus) kerzhneri P.V. Putshkov, 1982 cf. - Reduviidae Harpactorinae Harpactorini
20.IX.2010 - ITALIA - Toscana - LI
|
Hemiptera |
FORBIX |
1 |
2506 |
22/09/2010, 8:57
eremicus
|
 |
|
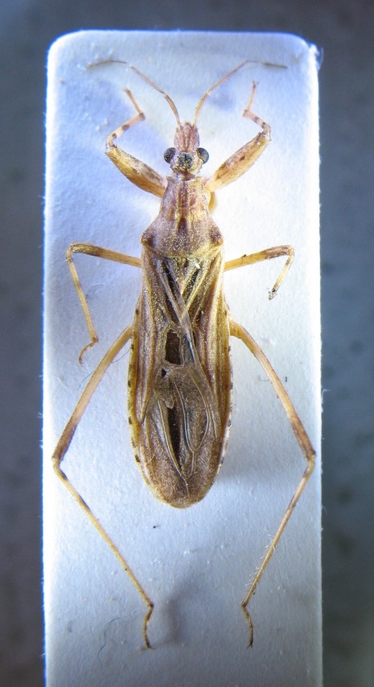
Ploiaria abrupta Noualhier, 1895 - Reduviidae - Sardegna
[ Vai alla pagina: 1, 2 ]
|
Hemiptera |
Palaemonetes |
18 |
1950 |
11/09/2010, 15:15
Palaemonetes
|
 |
|
Nagusta goedeli (Kolenati 1857) - Heteroptera Reduviidae - Emilia Romagna
|
Hemiptera |
Isotomus |
7 |
1233 |
11/09/2010, 12:13
Dioli
|
 |
|
Coranus sp. - Reduviidae - Veneto
|
Hemiptera |
Glaphyrus |
4 |
426 |
02/08/2010, 10:17
Glaphyrus
|
 |
|
Rhynocoris cf. iracundus (Poda, 1761) - Heteroptera, Reduviidae - Genova
|
Hemiptera |
Macaone73 |
4 |
477 |
20/06/2010, 20:42
Macaone73
|
 |
|
Coranus griseus (Rossi, 1790) - Reduviidae. Sasso Marconi (BO)
|
Hemiptera |
Loriscola |
2 |
359 |
11/06/2010, 8:14
Loriscola
|
 |
|
Sphedanolestes (s.str.) lividigaster (Mulsant & Rey, 1852) - Reduviidae - Sardegna
|
Hemiptera |
Palaemonetes |
5 |
623 |
03/06/2010, 8:02
Palaemonetes
|
 |
|
Peirates hybridus (Scopoli, 1763) - Reduviidae - Mentana (Roma)
|
Hemiptera |
soken |
3 |
583 |
03/05/2010, 21:24
soken
|
 |
|
Peirates hybridus (Scopoli, 1763) - Reduviidae
21.II.2010 - ITALIA - Veneto - VI
|
Hemiptera |
Apoderus |
11 |
1277 |
19/03/2010, 2:13
eremicus
|
 |
|
Peirates hybridus (Scopoli, 1763) - Reduviidae - Sasso Marconi (BO)
|
Hemiptera |
Loriscola |
6 |
1330 |
02/03/2010, 0:05
marsal
|
 |
|
Rhynocoris erythropus (Linnaeus, 1767) - Reduviidae Harpactorinae - ninfa
28.XI.2009 - ITALIA - Lazio - RM
|
Hemiptera |
soken |
7 |
1111 |
28/02/2010, 12:08
soken
|
 |
|
Oncocephalus squalidus (Rossi 1790), Reduviidae Sardegna
|
Hemiptera |
Daniele Sechi |
5 |
1027 |
18/02/2010, 0:13
Dioli
|
 |
|
Ploiaria domestica Scopoli 1786 - Reduviidae
|
Hemiptera |
gigi58 |
2 |
926 |
18/02/2010, 0:05
Dioli
|
 |
|
Coranus sp. - Reduviidae
|
Hemiptera |
Loriscola |
3 |
601 |
17/02/2010, 23:52
Dioli
|
 |
|
Nagusta goedelii (Kolenati 1857) - Reduviidae
|
Hemiptera |
Andrea84 |
1 |
470 |
12/02/2010, 10:26
eremicus
|
 |
|
Phymata (Phymata) crassipes (Fabricius 1775) - Reduviidae Phymatinae
VII.1999 - ITALIA - Marche - PU
|
Hemiptera |
marco paglialunga |
9 |
950 |
05/01/2010, 21:38
eremicus
|
 |
|
Oncocephalus pilicornis (Reuter, 1882) - Reduviidae
VI.1993 - ITALIA - Marche - PU
|
Hemiptera |
marco paglialunga |
2 |
654 |
05/01/2010, 21:18
eremicus
|
 |
|
Empicoris sp. - Reduviidae
|
Hemiptera |
marco paglialunga |
2 |
427 |
22/12/2009, 18:59
eremicus
|
 |
|
Coranus griseus (Rossi, 1790). Reduviidae Asinara
|
Hemiptera |
Ranatra |
1 |
400 |
19/12/2009, 15:11
eremicus
|
 |
|
Pygolampis bidentata (Goeze 1778) & Sastrapada baerensprungi (Stål 1859)
|
Hemiptera |
Velvet Ant |
0 |
393 |
31/10/2009, 16:30
Velvet Ant
|
 |
|
Gardena insignis Horvàth, 1887
|
Hemiptera |
Velvet Ant |
0 |
335 |
31/10/2009, 16:23
Velvet Ant
|
 |
|
Rhynocoris (Rhynocoris) rubricus (Germar 1814) - Reduviidae
|
Hemiptera |
soken |
5 |
874 |
03/10/2009, 9:53
soken
|
 |
|
Peirates strepitans Rambur, 1839 - Reduviidae
|
Hemiptera |
gigi58 |
2 |
366 |
27/09/2009, 17:57
gigi58
|
 |
|
Rhynocoris erythropus (Linnaeus 1767) - Reduviidae
|
Hemiptera |
Loriscola |
7 |
870 |
26/09/2009, 19:18
soken
|
 |
|
Ploiaria abrupta Noualhier, 1895 - Reduviidae. Sardegna
|
Hemiptera |
Daniele Sechi |
2 |
946 |
18/02/2009, 18:02
Daniele Sechi
|
 |
|
Ploiaria domestica Scopoli 1786, Reduviidae Grecia
|
Hemiptera |
Daniele Sechi |
0 |
493 |
11/02/2009, 17:33
Daniele Sechi
|
 |
|
Peirates hybridus (Scopoli 1763), Reduviidae Sardegna
|
Hemiptera |
Daniele Sechi |
0 |
577 |
08/02/2009, 22:32
Daniele Sechi
|
 |
|
Peirates strepitans Rambur, 1839 (f.nigra), Reduviidae Sard.
|
Hemiptera |
Daniele Sechi |
0 |
542 |
08/02/2009, 22:31
Daniele Sechi
|
 |
|
Oncocephalus pilicornis Reuter 1882, Reduviidae Marocco
|
Hemiptera |
Daniele Sechi |
0 |
413 |
08/02/2009, 22:27
Daniele Sechi
|
 |
|
Oncocephalus pilicornis Reuter 1882, Reduviidae Sardegna
|
Hemiptera |
Daniele Sechi |
0 |
442 |
08/02/2009, 22:25
Daniele Sechi
|
 |
|
Sastrapada baerensprungi (Stål 1859), Reduviidae Sardegna
|
Hemiptera |
Daniele Sechi |
0 |
389 |
08/02/2009, 22:19
Daniele Sechi
|
 |
|
Stenolemus novaki Horváth, 1888 da Cipressa (IM), Reduviidae
|
Hemiptera |
Dilar |
0 |
658 |
08/02/2009, 10:39
Dilar
|
 |
|
Ploiaria domestica Scopoli, 1786 dalla Liguria, Reduviidae
|
Hemiptera |
Dilar |
0 |
369 |
08/02/2009, 10:38
Dilar
|
|