Benvenuto Ospite

Forum Entomologi Italiani

www.entomologiitaliani.net/forum
 
Oggi è 07/11/2025, 14:16

Tutti gli orari sono UTC + 1 ora [ ora legale ]

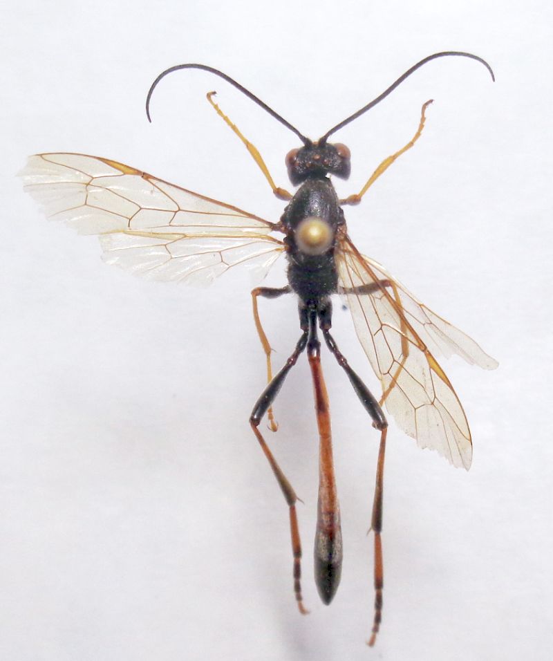
Erigorgus fibulator (Gravenhorst, 1829) - Ichneumonidae Anomaloninae

7.V.2002 - ITALIA - Sardegna - NU, strada per Funtana Raminosa, 448 m


nuovo argomento
rispondi
Pagina 1 di 1 [ 2 messaggi ]
Autore Messaggio
MessaggioInviato: 24/08/2022, 13:14 
 

Iscritto il: 08/12/2013, 1:52
Messaggi: 7535
Località: Bagnacavallo (RA)
Nome: Giorgio Pezzi
Era in attesa da 20 anni. Femmina, 34 flagellomeri, corpo 22 mm, ala anteriore 11 mm. Identificata da N. Johansson, è specie non citata di Sardegna.
:hi:
aFunt.Ram..JPG



aFunt.Ram face.JPG

aFunt.Ram. thorax.JPG

aFunt.Ram. pleur..JPG

aFunt.Ram. propod..JPG

aFunt.Ram. petiol..JPG

aFunt.Ram. gaster.JPG

aFunt.Ram. later..JPG

Top
profilo
MessaggioInviato: 15/09/2022, 15:08 
Avatar utente

Iscritto il: 06/02/2009, 9:02
Messaggi: 1429
Località: Verona - Roma - Foggia e sporadicamente Padova
Nome: Filippo Di Giovanni
Sì, il genere non è citato di Sardegna. Ahimé come moltissimi altri icneumonidi. Anche io ho in collezione Erigorgus di Sardegna... Ma attenderò di mettere insieme un po' di record nuovi prima di fare una nota da qualche parte.

Filippo :hi:

_________________
"Non posso separare il piacere estetico che provo nel vedere una farfalla dal piacere scientifico di sapere che cosa è" (V.Nabokov)


Top
profilo
Visualizza ultimi messaggi:  Ordina per  
nuovo argomento
rispondi
Pagina 1 di 1 [ 2 messaggi ]

Tutti gli orari sono UTC + 1 ora [ ora legale ]


Chi c’è in linea

Visitano il forum: Nessuno e 1 ospite


Non puoi aprire nuovi argomenti
Non puoi rispondere negli argomenti
Non puoi modificare i tuoi messaggi
Non puoi cancellare i tuoi messaggi
Non puoi inviare allegati

Cerca per:
Vai a: