| Forum Entomologi Italiani http://www.entomologiitaliani.net/public/forum/phpBB3/ |
|
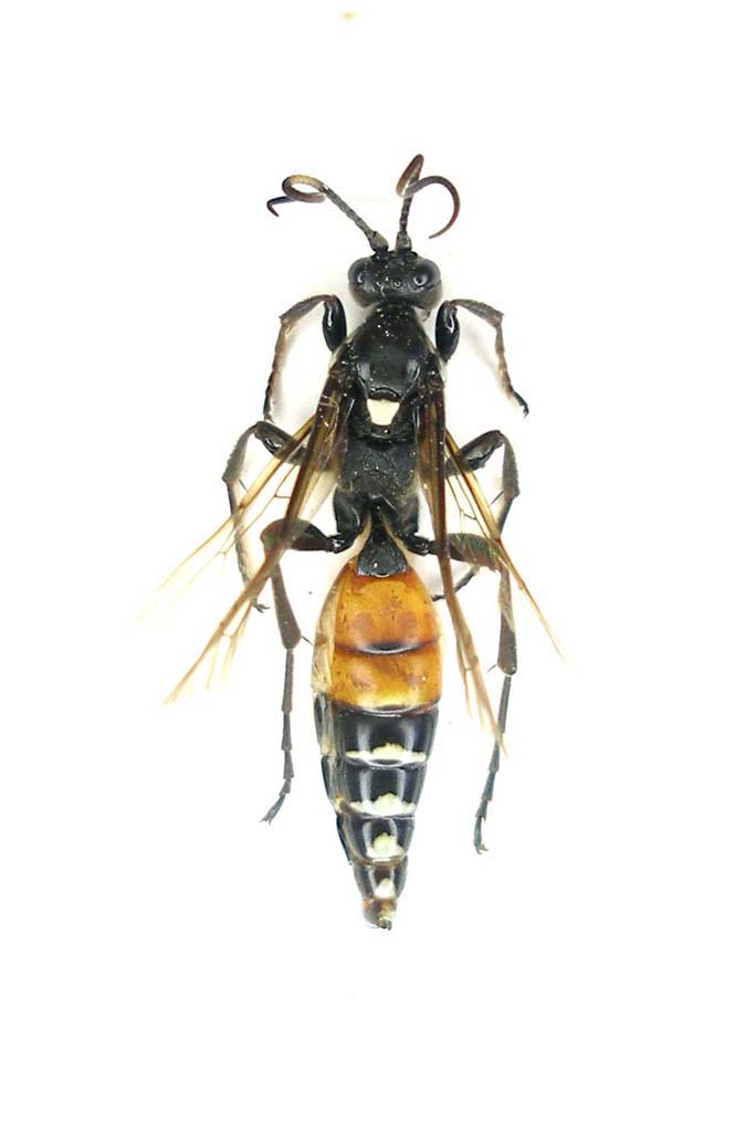
| Diphyus ochromelas (Gmelin, 1790) ♀ - Ichneumonidae Ichneumoninae Ichneumonini http://www.entomologiitaliani.net/public/forum/phpBB3/viewtopic.php?f=104&t=23977 |
Pagina 1 di 1 |
| Autore: | Isotomus [ 03/07/2011, 10:24 ] |
| Oggetto del messaggio: | Diphyus ochromelas (Gmelin, 1790) ♀ - Ichneumonidae Ichneumoninae Ichneumonini |
Foresta di Campigna; Passo la Calla, 1400 m., 1.VII.2011, Lunghezza 18 mm |
|
| Autore: | Eopteryx [ 03/07/2011, 11:43 ] |
| Oggetto del messaggio: | Re: Hymenoptera - da determinare - Appennino Tosco-Romagnolo |
Ciao Gianfranco, si tratta di un Ichneumonidae subf. Ichneumoninae. Dalla forma generale del corpo direi che è una femmina. Mi ricorda il genere Diphyus ma non conosco quasi per nulla questa enorme sottofamiglia. L'unica possibilità potrebbe essere la fotografia postata su Hymis, dove ci sono esperti di questo gruppo. A presto, Pippo |
|
| Autore: | Isotomus [ 03/07/2011, 11:54 ] |
| Oggetto del messaggio: | Re: Hymenoptera - da determinare - Appennino Tosco-Romagnolo |
Grazie Pippo; forse puoi farlo tu ?
|
|
| Autore: | Eopteryx [ 03/07/2011, 12:08 ] |
| Oggetto del messaggio: | Re: Hymenoptera - da determinare - Appennino Tosco-Romagnolo |
No problem. Lo faccio subito. |
|
| Autore: | Isotomus [ 03/07/2011, 12:15 ] |
| Oggetto del messaggio: | Re: Hymenoptera - da determinare - Appennino Tosco-Romagnolo |
|
|
| Autore: | Eopteryx [ 08/07/2011, 18:40 ] |
| Oggetto del messaggio: | Re: Hymenoptera - da determinare - Appennino Tosco-Romagnolo |
Joel Valemberg e Camille Thirion mi hanno risposto su Hymis; si tratta di una femmina di Diphyus ochromelas (Gmelin, 1790), una specie diffusa dalla Spagna alla Russia centrale, già nota per l'Italia, parassita di Lepidotteri Nottuidi. Ciao, Filippo |
|
| Pagina 1 di 1 | Tutti gli orari sono UTC + 1 ora [ ora legale ] |
| Powered by phpBB® Forum Software © phpBB Group http://www.phpbb.com/ |
|