Benvenuto Ospite

Forum Entomologi Italiani

www.entomologiitaliani.net/forum
 
Oggi è 01/11/2025, 3:24

Tutti gli orari sono UTC + 1 ora [ ora legale ]

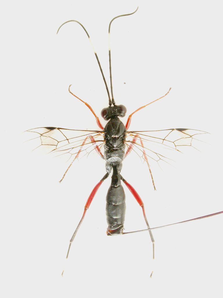
Stenarella domator (Poda, 1761) - Ichneumonidae Cryptinae

11.I.2013 - ITALIA - Sardegna - CA, Monte dei Sette Fratelli, loc. Maitopis (Sìnnai), leg. R. Rattu


nuovo argomento
rispondi
Pagina 1 di 1 [ 4 messaggi ]
Autore Messaggio
MessaggioInviato: 11/01/2013, 13:04 
Avatar utente

Iscritto il: 02/09/2009, 20:57
Messaggi: 8703
Località: Cagliari
Nome: Roberto Rattu
Il mese scorso ho raccolto diversi nidi di Sceliphron sp., con la speranza che mi nascano degli Stylbum cyanurum o comunque eventuali altri parassitoidi interessanti. Per ora è sfarfallato solo questo Ichneumonidae. Ho letto che tra i rappresentanti di questa famiglia c'è il genere Acroricnus che parassitizza gli Sceliphron.
L'esemplare ha apertura alare di 18 mm
DSCN3010.JPG


DSCN3013.JPG



Top
profilo
 Oggetto del messaggio: Re: Ichneumonidae da id.
MessaggioInviato: 11/01/2013, 18:55 
Avatar utente

Iscritto il: 06/02/2009, 9:02
Messaggi: 1429
Località: Verona - Roma - Foggia e sporadicamente Padova
Nome: Filippo Di Giovanni
Sì, ma questo non è un Acroricnus (anche se la sottotribu è la stessa). Si tratta di una femmina di Stenarella domator (Ichneumonidae Cryptinae). Da quel poco che ho visto in giro, dovrebbe essere un parassitoide di nidi di diversi aculeati tra cui Sceliphron (ma su questa parte non sono molto informato).

Ciao, Filippo

_________________
"Non posso separare il piacere estetico che provo nel vedere una farfalla dal piacere scientifico di sapere che cosa è" (V.Nabokov)


Top
profilo
MessaggioInviato: 11/01/2013, 19:34 
Avatar utente

Iscritto il: 17/02/2009, 0:05
Messaggi: 8521
Località: Isola d'Elba - Arcipelago Toscano
Nome: Leonardo Forbicioni
Un incontro per nulla inconsueto per te! :lov2: ;) ;)

_________________
"Stay hungry, stay foolish".
Steve Jobs, 2005
___________________
jjuniper8(at)gmail.com
Twitter: @weevil_forbix
cell. 339/5275910
___________________


Top
profilo
MessaggioInviato: 11/01/2013, 19:38 
Avatar utente

Iscritto il: 02/09/2009, 20:57
Messaggi: 8703
Località: Cagliari
Nome: Roberto Rattu
FORBIX ha scritto:
Un incontro per nulla inconsueto per te! :lov2: ;) ;)


:P :D :lov1:


Top
profilo
Visualizza ultimi messaggi:  Ordina per  
nuovo argomento
rispondi
Pagina 1 di 1 [ 4 messaggi ]

Tutti gli orari sono UTC + 1 ora [ ora legale ]


Chi c’è in linea

Visitano il forum: Nessuno e 1 ospite


Non puoi aprire nuovi argomenti
Non puoi rispondere negli argomenti
Non puoi modificare i tuoi messaggi
Non puoi cancellare i tuoi messaggi
Non puoi inviare allegati

Cerca per:
Vai a:  
cron