Benvenuto Ospite

Forum Entomologi Italiani

www.entomologiitaliani.net/forum
 
Oggi è 28/10/2025, 16:20

Tutti gli orari sono UTC + 1 ora [ ora legale ]

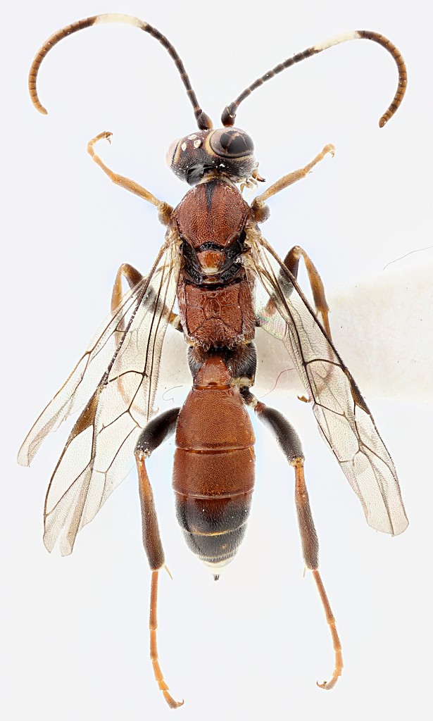
Crytea erythraea (Gravenhorst, 1820) ♀ - Ichneumonidae

31.XII.2013 - ITALIA - Lazio - RM, Bosco di Formello


nuovo argomento
rispondi
Pagina 1 di 1 [ 7 messaggi ]
Autore Messaggio
MessaggioInviato: 03/01/2014, 22:36 
Avatar utente

Iscritto il: 30/12/2009, 22:20
Messaggi: 31564
Località: Roma
Nome: Maurizio Gigli
Questo svernava sotto una corteccia di un acero morto.

Lazio, Roma, Bosco di Formello, 31.XII.2013, M. Gigli legit

7,5 mm

Icneumonide_Formello_31-XII-2013_7,5mm_grey.jpg



Icneumonide_Formello_31-XII-2013_b.jpg


_________________
Maurizio Gigli
http://utenti.romascuola.net/bups
http://bup.xoom.it/


Top
profilo
 Oggetto del messaggio: Re: Ichneumonidae
MessaggioInviato: 03/01/2014, 23:37 
Avatar utente

Iscritto il: 22/12/2009, 13:31
Messaggi: 9646
Località: Napoli
Nome: Francesco Izzillo
Bella 'sta bestia!

_________________
Francesco Izzillo


Top
profilo
 Oggetto del messaggio: Re: Ichneumonidae
MessaggioInviato: 04/01/2014, 0:15 
Avatar utente

Iscritto il: 30/12/2009, 22:20
Messaggi: 31564
Località: Roma
Nome: Maurizio Gigli
Ce l'ha già Eopteryx, che oggi era passato qui per altri motivi.
Poi ci farà sapere cos'è.

_________________
Maurizio Gigli
http://utenti.romascuola.net/bups
http://bup.xoom.it/


Top
profilo
 Oggetto del messaggio: Re: Ichneumonidae
MessaggioInviato: 04/01/2014, 10:41 
Avatar utente

Iscritto il: 06/02/2009, 9:02
Messaggi: 1429
Località: Verona - Roma - Foggia e sporadicamente Padova
Nome: Filippo Di Giovanni
Ecchime :lol: Come già ti dicevo ieri si tratta di una femmina di Ichneumoninae. Verosimilmente svernante. Dalla foto c'ho una mezza idea si possa trattare di una Crytea erythraea, ma, prima di prendere lucciole per coccinell... ehm per lanterne, devo controllare alcuni caratteri allo stereoscopio appena torno al lab.
Stay tuned.

Filippo

_________________
"Non posso separare il piacere estetico che provo nel vedere una farfalla dal piacere scientifico di sapere che cosa è" (V.Nabokov)


Top
profilo
 Oggetto del messaggio: Re: Ichneumonidae
MessaggioInviato: 18/02/2014, 17:42 
Avatar utente

Iscritto il: 01/07/2010, 22:26
Messaggi: 5650
Località: Viterbo
Nome: Marco Selis
Filippo, hai controllato :roll:


Top
profilo
 Oggetto del messaggio: Re: Ichneumonidae
MessaggioInviato: 18/02/2014, 22:43 
Avatar utente

Iscritto il: 06/02/2009, 9:02
Messaggi: 1429
Località: Verona - Roma - Foggia e sporadicamente Padova
Nome: Filippo Di Giovanni
Grazie di avermelo ricordato :no1: Se ti dico che sta al lab ma manco ho avuto il tempo di cartellinarlo, ci credi ? Domani verifico ;)

_________________
"Non posso separare il piacere estetico che provo nel vedere una farfalla dal piacere scientifico di sapere che cosa è" (V.Nabokov)


Top
profilo
 Oggetto del messaggio: Re: Ichneumonidae
MessaggioInviato: 19/02/2014, 19:19 
Avatar utente

Iscritto il: 06/02/2009, 9:02
Messaggi: 1429
Località: Verona - Roma - Foggia e sporadicamente Padova
Nome: Filippo Di Giovanni
Eccomi. Confermo. C.erythraea femmina.

Filippo

_________________
"Non posso separare il piacere estetico che provo nel vedere una farfalla dal piacere scientifico di sapere che cosa è" (V.Nabokov)


Top
profilo
Visualizza ultimi messaggi:  Ordina per  
nuovo argomento
rispondi
Pagina 1 di 1 [ 7 messaggi ]

Tutti gli orari sono UTC + 1 ora [ ora legale ]


Chi c’è in linea

Visitano il forum: Nessuno e 1 ospite


Non puoi aprire nuovi argomenti
Non puoi rispondere negli argomenti
Non puoi modificare i tuoi messaggi
Non puoi cancellare i tuoi messaggi
Non puoi inviare allegati

Cerca per:
Vai a: