Benvenuto Ospite

Forum Entomologi Italiani

www.entomologiitaliani.net/forum
 
Oggi è 26/10/2025, 23:01

Tutti gli orari sono UTC + 1 ora [ ora legale ]

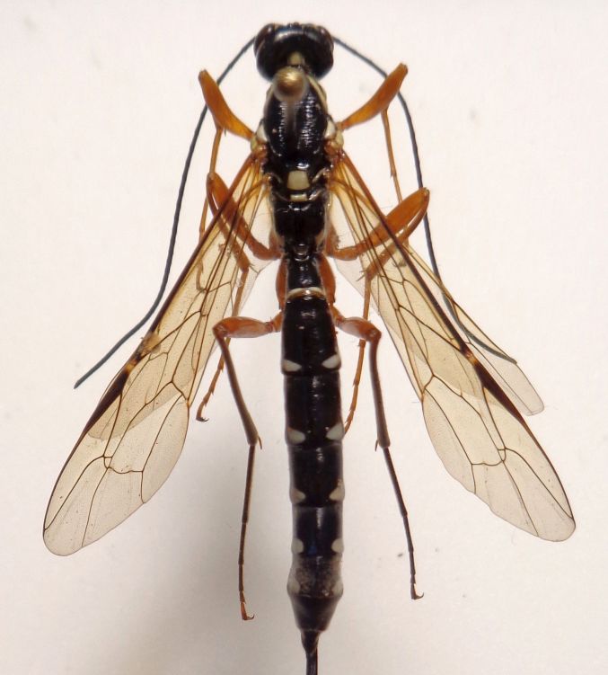
Rhyssa persuasoria (Linnaeus, 1758) - Ichneumonidae

16.VIII.2018 - ITALIA - Veneto - BL, Presenaio, 1000 m


nuovo argomento
rispondi
Pagina 1 di 1 [ 3 messaggi ]
Autore Messaggio
MessaggioInviato: 16/11/2018, 16:00 
 

Iscritto il: 08/12/2013, 1:52
Messaggi: 7517
Località: Bagnacavallo (RA)
Nome: Giorgio Pezzi
Fin dove si arriva? è anch'essa una Rhyssa persuasoria? corpo terebra esclusa mm 27. Grazie. :hi:
Rhyssa corpo.jpg



Rhyssa totale.jpg

Top
profilo
 Oggetto del messaggio: Re: Grosso Incneumonidae da ID
MessaggioInviato: 16/11/2018, 23:59 
Avatar utente

Iscritto il: 05/02/2009, 17:31
Messaggi: 9527
Località: milano
Nome: maurizio pavesi
per quel che ne so, se non è lei, è una specie nuova :to:

l'unica che + o - le somiglia, Rhyssa amoena, specie centroeuropea molto localizzata in italia (vedi post su FNM), ha antenne con un anello bianco, oltre ad altri caratteri visibili solo in visione laterale

_________________
*****************
Immagine maurizio


Top
profilo
 Oggetto del messaggio: Re: Grosso Incneumonidae da ID
MessaggioInviato: 19/11/2018, 22:33 
 

Iscritto il: 08/12/2013, 1:52
Messaggi: 7517
Località: Bagnacavallo (RA)
Nome: Giorgio Pezzi
Grazie Maurizio: no, nessuno dei caratteri di amoena.
:hi:


Top
profilo
Visualizza ultimi messaggi:  Ordina per  
nuovo argomento
rispondi
Pagina 1 di 1 [ 3 messaggi ]

Tutti gli orari sono UTC + 1 ora [ ora legale ]


Chi c’è in linea

Visitano il forum: Nessuno e 4 ospiti


Non puoi aprire nuovi argomenti
Non puoi rispondere negli argomenti
Non puoi modificare i tuoi messaggi
Non puoi cancellare i tuoi messaggi
Non puoi inviare allegati

Cerca per:
Vai a: