Benvenuto Ospite

Forum Entomologi Italiani

www.entomologiitaliani.net/forum
 
Oggi è 27/10/2025, 22:19

Tutti gli orari sono UTC + 1 ora [ ora legale ]

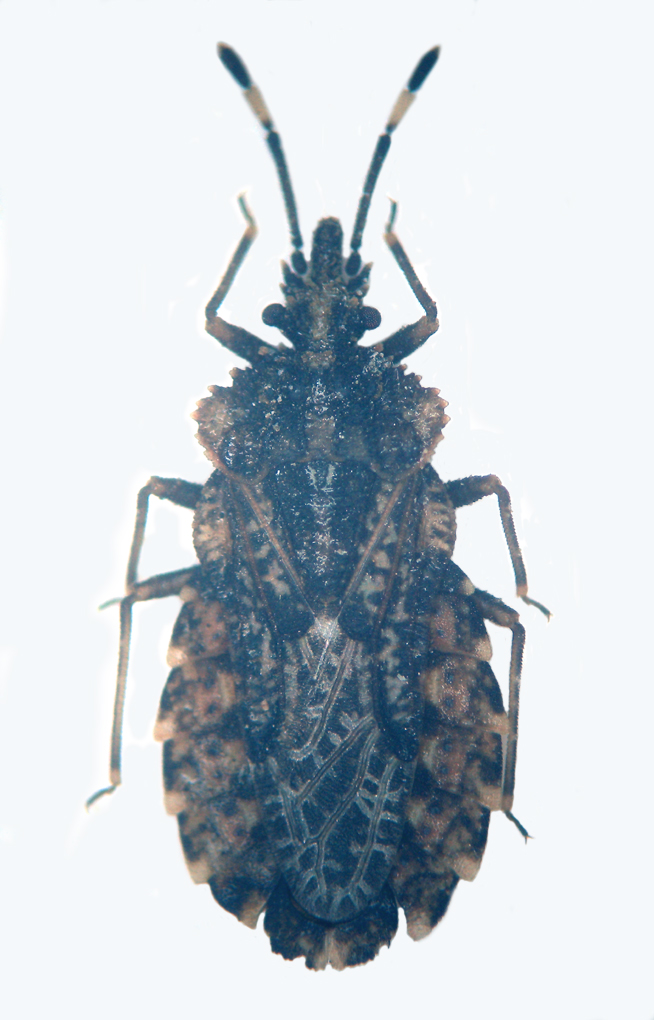
Aradus betulae (Linnaeus, 1758) - Aradidae

6.II.2011 - ITALIA - Toscana - LI, Piombino Bosco della Sterpaia


nuovo argomento
rispondi
Pagina 1 di 1 [ 4 messaggi ]
Autore Messaggio
MessaggioInviato: 08/02/2011, 22:01 
Avatar utente

Iscritto il: 10/05/2010, 22:31
Messaggi: 4371
Località: Gavorrano (GR)
Nome: marco bastianini
Questa cimicetta l'ho trovata sotto corteccia(non ho idea di quale pianta).Lunghezza circa 8mm.,spessore direi meno di un millimetro.
Cimicetta piatta 1 copia.jpg

Cimicetta piatta 2 copia.jpg


_________________
:to: Marco
"Le foreste a precedere le civiltà, i deserti a seguire."
François-René de Chateaubriand


Top
profilo
 Oggetto del messaggio: Re: Hemiptera Heteroptera Toscana
MessaggioInviato: 08/02/2011, 22:37 
Avatar utente

Iscritto il: 26/03/2010, 14:55
Messaggi: 5973
Località: Romania
Nome: Cosmin-Ovidiu Manci
Aradus... qualcosa simile a questa?

_________________
Cosmin-Ovidiu Manci
**********************
cosmln's place - my blog
just insects
Dragonflies of Romania


Top
profilo
 Oggetto del messaggio: Re: Hemiptera Heteroptera Toscana
MessaggioInviato: 08/02/2011, 22:47 
Avatar utente

Iscritto il: 01/11/2009, 9:51
Messaggi: 2330
Nome: Andrea Rattu
Aradidae, credo genere Aradus... :oops:....anticipato da Cosmin....

_________________
Se gettassi su di un piatto della bilancia tutto ciò che ho imparato a comprendere in quelle ore di meditazione di fronte all'acquario, e sull'altro tutto ciò che ho ricavato dai libri, come rimarrebbe leggero il secondo!
Konrad Lorenz


Top
profilo
 Oggetto del messaggio: Re: Hemiptera Heteroptera Toscana
MessaggioInviato: 07/09/2011, 23:59 
Avatar utente

Iscritto il: 31/12/2009, 1:47
Messaggi: 902
Località: Bellano (LC)
Nome: Martino Salvetti
il margine del pronoto e la lunghezza degli antennomeri depongono a favore di A. betulae (Linnaeus, 1758)


Top
profilo
Visualizza ultimi messaggi:  Ordina per  
nuovo argomento
rispondi
Pagina 1 di 1 [ 4 messaggi ]

Tutti gli orari sono UTC + 1 ora [ ora legale ]


Chi c’è in linea

Visitano il forum: Nessuno e 1 ospite


Non puoi aprire nuovi argomenti
Non puoi rispondere negli argomenti
Non puoi modificare i tuoi messaggi
Non puoi cancellare i tuoi messaggi
Non puoi inviare allegati

Cerca per:
Vai a: