Benvenuto Ospite

Forum Entomologi Italiani

www.entomologiitaliani.net/forum
 
Oggi è 27/10/2025, 19:41

Tutti gli orari sono UTC + 1 ora [ ora legale ]

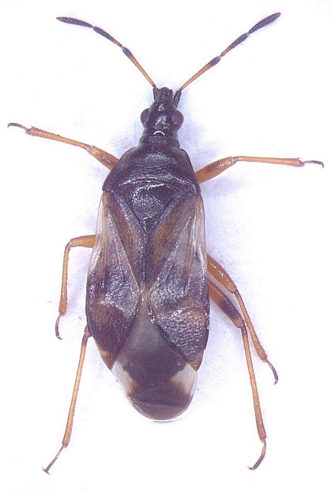
Anthocoris nemorum (Linnaeus, 1761) - Anthocoridae - Trentino

15.VIII.2009 - ITALIA - Trentino-Alto Adige - TN, Folgarida


nuovo argomento
rispondi
Pagina 1 di 1 [ 2 messaggi ]
Autore Messaggio
MessaggioInviato: 12/01/2010, 18:47 
Avatar utente

Iscritto il: 06/02/2009, 8:59
Messaggi: 305
Località: Sassari
Nome: Laura Loru
Folgarida (Tn), 15/08/2009
Femmina circa 4,5 mm
Penso sia Anthocoris nemorum (Linnaeus, 1761)
Anthocoris_nemorum.jpg



P.S. chiedo sinceramente scusa (specialmente agli eterotterologi) per le mie preparazioni non proprio ad hoc :cry: Il fatto è che se gli dedico più tempo la bestia alla fine si mette come dico io, ma non riesco mai ad avere abbastanza tempo a disposizione :cry: quindi una volta scaduto il tempo la posto così come è!
Prometto di migliorare :ok: (col tempo.......)

Laura


Top
profilo
MessaggioInviato: 15/01/2010, 2:16 
Avatar utente

Iscritto il: 05/02/2009, 17:34
Messaggi: 894
Località: Sondrio - Lombardia - Italia
Nome: Paride Dioli
anche in questo caso, hai visto giusto.

_________________
Link: https://www.ndsu.edu/pubweb/~rider/Pentatomoidea/Researchers/Dioli_Paride.htm
Papers in PDF format: https://www.researchgate.net/profile/Paride_Dioli/?ev=hdr_xprf/


Top
profilo
Visualizza ultimi messaggi:  Ordina per  
nuovo argomento
rispondi
Pagina 1 di 1 [ 2 messaggi ]

Tutti gli orari sono UTC + 1 ora [ ora legale ]


Chi c’è in linea

Visitano il forum: Nessuno e 2 ospiti


Non puoi aprire nuovi argomenti
Non puoi rispondere negli argomenti
Non puoi modificare i tuoi messaggi
Non puoi cancellare i tuoi messaggi
Non puoi inviare allegati

Cerca per:
Vai a: