Benvenuto Ospite

Forum Entomologi Italiani

www.entomologiitaliani.net/forum
 
Oggi è 20/12/2025, 1:40

Tutti gli orari sono UTC + 1 ora [ ora legale ]

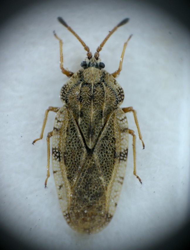
Tingis (Tingis) cardui (Linnaeus, 1758)

15.III.2009 - ITALIA - Sicilia - PA, Palermo, Bosco della Ficuzza


nuovo argomento
rispondi
Pagina 1 di 1 [ 5 messaggi ]
Autore Messaggio
MessaggioInviato: 15/11/2009, 14:49 
Avatar utente

Iscritto il: 06/02/2009, 9:03
Messaggi: 6373
Località: Bubano di Mordano (Bologna)
Nome: Augusto Degiovanni
Da determinare Grazie ;)

Sicilia: Bosco della Ficuzza, (PA) 1100m, 15.III.2009

4mm

cimice Copia.JPG



cimice.JPG


_________________
CIAO :hi: Augusto Degiovanni

http://anthicidaeecarabidae.altervista.org
Top
profilo
 Oggetto del messaggio: Re: Cimice 3
MessaggioInviato: 15/11/2009, 15:06 
Avatar utente

Iscritto il: 20/07/2009, 16:32
Messaggi: 5812
Località: Sassari (SS)
Nome: Mauro Doneddu
Ciao Augusto, ben lontano dall'avere in campo "Heteroptera" la competenza che tu hai in quello dei Carabidae, posso però almeno indicarti la famiglia: Tingidae. Come genere mi orienterei proprio su quello che ha dato il nome alla famiglia, Tingis.

_________________
:hi:
Mauro


Top
profilo
 Oggetto del messaggio: Re: Cimice 3
MessaggioInviato: 15/11/2009, 15:22 
Avatar utente

Iscritto il: 06/02/2009, 9:03
Messaggi: 6373
Località: Bubano di Mordano (Bologna)
Nome: Augusto Degiovanni
Grazie Mauro :ok: mi hai dato un imput e subito sono andato alla ricerca nel Web con conseguente (penso) determinazione, che sia Tingis cardui :roll: :oops: be a questo punto l'ho detto :sick:

_________________
CIAO :hi: Augusto Degiovanni

http://anthicidaeecarabidae.altervista.org


Top
profilo
 Oggetto del messaggio: Re: Cimice 3
MessaggioInviato: 18/11/2009, 20:44 
Avatar utente

Iscritto il: 05/02/2009, 17:36
Messaggi: 780
Nome: Attilio Carapezza
Identificazione confermata: Tingis (Tingis) cardui (Linnaeus, 1758).


Top
profilo
MessaggioInviato: 19/11/2009, 16:24 
Avatar utente

Iscritto il: 06/02/2009, 9:03
Messaggi: 6373
Località: Bubano di Mordano (Bologna)
Nome: Augusto Degiovanni
Grazie Attilio :ok:

_________________
CIAO :hi: Augusto Degiovanni

http://anthicidaeecarabidae.altervista.org


Top
profilo
Visualizza ultimi messaggi:  Ordina per  
nuovo argomento
rispondi
Pagina 1 di 1 [ 5 messaggi ]

Tutti gli orari sono UTC + 1 ora [ ora legale ]


Chi c’è in linea

Visitano il forum: Nessuno e 1 ospite


Non puoi aprire nuovi argomenti
Non puoi rispondere negli argomenti
Non puoi modificare i tuoi messaggi
Non puoi cancellare i tuoi messaggi
Non puoi inviare allegati

Cerca per:
Vai a: