Benvenuto Ospite

Forum Entomologi Italiani

www.entomologiitaliani.net/forum
 
Oggi è 13/05/2026, 18:48

Tutti gli orari sono UTC + 1 ora [ ora legale ]

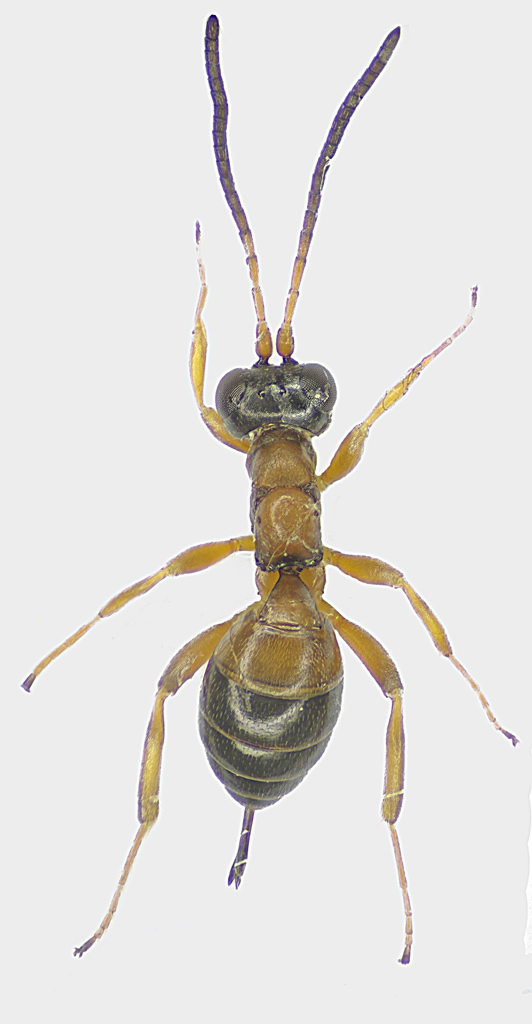
Ichneumonidae Cryptinae aff. Gelis

25.II.2011 - ITALIA - Veneto - BL, Feltre: Foen Loc. Fornace 46° 2'35"N 11°55'3"E


nuovo argomento
rispondi
Pagina 1 di 1 [ 3 messaggi ]
Autore Messaggio
 Oggetto del messaggio: Ichneumonidae Cryptinae aff. Gelis
MessaggioInviato: 27/02/2011, 13:18 
Avatar utente

Iscritto il: 08/06/2009, 0:06
Messaggi: 3415
Località: Feltre(BL)
Nome: Nicola Dal Zotto
Vagliando... 3mm circa.
Se servono dettagli chiedete pure! E scusate i riflessi!
Nicola

ime-foen-26-II-2011f.jpg


_________________
Nicola Dal Zotto


Top
profilo
 Oggetto del messaggio: Re: imenottero 2
MessaggioInviato: 27/02/2011, 13:46 
Avatar utente

Iscritto il: 22/11/2010, 18:16
Messaggi: 1130
Località: Donzy (Bourgogne : Dipart. Nièvre) - Francia
Nome: Jean-Pierre Balmer
Ichneumonidae Cryptinae aff. Gelis

D & JP Balmer


Top
profilo
 Oggetto del messaggio: Re: imenottero 2
MessaggioInviato: 27/02/2011, 14:25 
Avatar utente

Iscritto il: 08/06/2009, 0:06
Messaggi: 3415
Località: Feltre(BL)
Nome: Nicola Dal Zotto
D & JP Balmer ha scritto:
Ichneumonidae Cryptinae aff. Gelis

D & JP Balmer


grazie!!!

_________________
Nicola Dal Zotto


Top
profilo
Visualizza ultimi messaggi:  Ordina per  
nuovo argomento
rispondi
Pagina 1 di 1 [ 3 messaggi ]

Tutti gli orari sono UTC + 1 ora [ ora legale ]


Chi c’è in linea

Visitano il forum: Nessuno e 1 ospite


Non puoi aprire nuovi argomenti
Non puoi rispondere negli argomenti
Non puoi modificare i tuoi messaggi
Non puoi cancellare i tuoi messaggi
Non puoi inviare allegati

Cerca per:
Vai a: