Benvenuto Ospite

Forum Entomologi Italiani

www.entomologiitaliani.net/forum
 
Oggi è 20/12/2025, 15:23

Tutti gli orari sono UTC + 1 ora [ ora legale ]

Scydmaenus (Cholerus) cornutus Motschulsky 1845 (cf.) - Staphylinidae Scydmaeninae

24.II.2014 - ITALIA - Lazio - RM, Maccarese


nuovo argomento
rispondi
Pagina 1 di 1 [ 7 messaggi ]
Autore Messaggio
MessaggioInviato: 28/02/2014, 1:59 
Avatar utente

Iscritto il: 30/12/2009, 22:20
Messaggi: 31564
Località: Roma
Nome: Maurizio Gigli
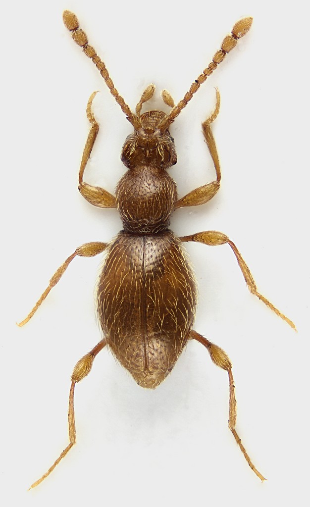
Osservando bene sotto corteccia di sughera, c'era una discreta serie di questi Scydmaeninae testacei.

Lazio, Roma, Maccarese, 24.II.2014, M. Gigli legit

1,65 mm
Scydmaeninae_Maccarese_24-II-2014_1,65mm_grey.jpg


_________________
Maurizio Gigli
http://utenti.romascuola.net/bups
http://bup.xoom.it/


Top
profilo
 Oggetto del messaggio: Re: Scydmaeninae - Staphylinidae
MessaggioInviato: 28/02/2014, 9:19 
Avatar utente

Iscritto il: 02/12/2012, 18:53
Messaggi: 204
Località: roma
Nome: alessandro bruno biscaccianti
ciao maurizio, dalla foto sembrerebbe Scydmaenus, ma non sono sicurissimo e non saprei dirti di più... se ne hai presi un po' me ne tieni da parte una coppietta? thanks! io poi li farò controllare a castellini assieme ai miei, così poi ti saprò dire con certezza che roba è.
a presto (giuro, a presto...)
ale


Top
profilo
 Oggetto del messaggio: Re: Scydmaeninae - Staphylinidae
MessaggioInviato: 28/02/2014, 17:07 
Avatar utente

Iscritto il: 30/12/2009, 22:20
Messaggi: 31564
Località: Roma
Nome: Maurizio Gigli
In effetti sembra che la scelta sia tra Scydmanus rufus, Scydmaenus cornutus e Scydmaenus hellwigi. Mi par di capire che i maschi siano di aspetto molto particolare. Poi controllo come sono gli altri individui.

_________________
Maurizio Gigli
http://utenti.romascuola.net/bups
http://bup.xoom.it/


Top
profilo
 Oggetto del messaggio: Re: Scydmaeninae - Staphylinidae
MessaggioInviato: 28/02/2014, 18:39 
Avatar utente

Iscritto il: 09/11/2009, 14:12
Messaggi: 5167
Località: Hradec Kralove,Czech republik
Nome: Jan Matějíček
Maurizio confronto con le immagini


scydmaenus_hellwigii_whab.jpg

scydmaenus_rufus_whab.jpg

scydmaenus_tarsatus_hab.jpg


_________________
Research Fields
Taxonomy, ecology, biomonitoring , faunistic of Staphylinidae
Top
profilo
 Oggetto del messaggio: Re: Scydmaeninae - Staphylinidae
MessaggioInviato: 04/03/2014, 0:30 
Avatar utente

Iscritto il: 30/12/2009, 22:20
Messaggi: 31564
Località: Roma
Nome: Maurizio Gigli
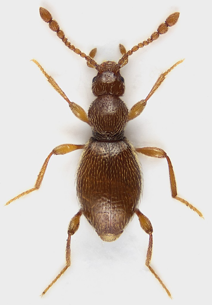
Nella serie, ho trovato un maschio. Da questo, direi che si tratta di Scydmaenus cornutus.

Stessi dati di raccolta della femmina, 1,6 mm.

Scydmaenus_Maccarese_24-II-2014_m1_16mm_grey.jpg



Certo che queste bestie sono proprio strane!

Scydmaenus_Maccarese_24-II-2014_m2_grey.jpg



La testa del maschio, in particolare, ha un aspetto insolito

Scydmaenus_Maccarese_24-II-2014_m3b_grey.jpg



Non so perchè, mi ricorda la testa di un coniglio senza la pelle

Scydmaenus_Maccarese_24-II-2014_m4_grey.jpg


_________________
Maurizio Gigli
http://utenti.romascuola.net/bups
http://bup.xoom.it/


Top
profilo
 Oggetto del messaggio: Re: Scydmaeninae - Staphylinidae
MessaggioInviato: 04/03/2014, 9:28 
Avatar utente

Iscritto il: 17/02/2009, 0:05
Messaggi: 8521
Località: Isola d'Elba - Arcipelago Toscano
Nome: Leonardo Forbicioni
:o :o Che capoccia!!!! :shock: :o :shock: :o
Uno Scydmaenus con l'orecchie!!!! :lol1: :lol1:
...davvero non credevo potessero avere questi "accessori morfologici"! :hp:
Grazie Maurizio per il fantastico dettaglio! :lov2: :birra:

_________________
"Stay hungry, stay foolish".
Steve Jobs, 2005
___________________
jjuniper8(at)gmail.com
Twitter: @weevil_forbix
cell. 339/5275910
___________________


Top
profilo
 Oggetto del messaggio: Re: Scydmaeninae - Staphylinidae
MessaggioInviato: 04/03/2014, 14:36 
Avatar utente

Iscritto il: 05/02/2009, 17:25
Messaggi: 4894
Località: Zola Predosa (BO)
Nome: Loris Colacurcio
La prova provata di quello che pensano molte donzelle...il maschio ha la capoccia vuota ! :D
Gran belle foto, complimenti... :ok:

A questo punto, anche se non è una certezza, è presumibile che il primo esemplare sia la femmina del cornutus

_________________
Loris


Top
profilo
Visualizza ultimi messaggi:  Ordina per  
nuovo argomento
rispondi
Pagina 1 di 1 [ 7 messaggi ]

Tutti gli orari sono UTC + 1 ora [ ora legale ]


Chi c’è in linea

Visitano il forum: Nessuno e 0 ospiti


Non puoi aprire nuovi argomenti
Non puoi rispondere negli argomenti
Non puoi modificare i tuoi messaggi
Non puoi cancellare i tuoi messaggi
Non puoi inviare allegati

Cerca per:
Vai a: