Benvenuto Ospite

Forum Entomologi Italiani

www.entomologiitaliani.net/forum
 
Oggi è 23/12/2025, 22:12

Tutti gli orari sono UTC + 1 ora [ ora legale ]

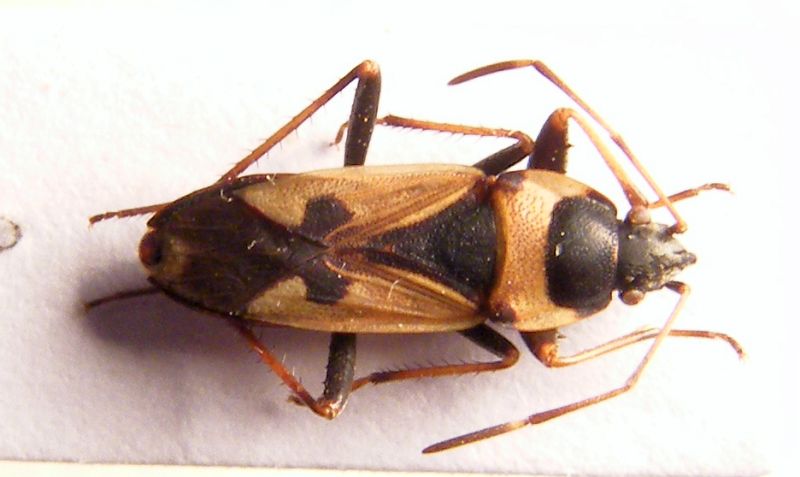
Raglius confusus (Reuter, 1886) - Lygaeidae

26.V.1976 - ITALIA - Emilia-Romagna - BO, Rastignano (Pianoro) - leg. R. Nicoli Aldini


nuovo argomento
rispondi
Pagina 1 di 1 [ 4 messaggi ]
Autore Messaggio
MessaggioInviato: 01/03/2016, 13:03 
Avatar utente

Iscritto il: 01/11/2009, 9:51
Messaggi: 2330
Nome: Andrea Rattu
Lunghezza mm 6,8. Raglius confusus (Reuter 1886)? Grazie a tutti.


2a.jpg

1a.jpg


_________________
Se gettassi su di un piatto della bilancia tutto ciò che ho imparato a comprendere in quelle ore di meditazione di fronte all'acquario, e sull'altro tutto ciò che ho ricavato dai libri, come rimarrebbe leggero il secondo!
Konrad Lorenz
Top
profilo
 Oggetto del messaggio: Re: Lygaeidae 2 da ID
MessaggioInviato: 01/03/2016, 21:11 
Avatar utente

Iscritto il: 01/11/2009, 9:51
Messaggi: 2330
Nome: Andrea Rattu
Qualche altro scatto:


3.jpg

2.jpg

1.jpg


_________________
Se gettassi su di un piatto della bilancia tutto ciò che ho imparato a comprendere in quelle ore di meditazione di fronte all'acquario, e sull'altro tutto ciò che ho ricavato dai libri, come rimarrebbe leggero il secondo!
Konrad Lorenz
Top
profilo
 Oggetto del messaggio: Re: Lygaeidae 2 da ID
MessaggioInviato: 01/03/2016, 21:49 
Avatar utente

Iscritto il: 21/09/2014, 11:55
Messaggi: 1561
Località: Istanbul Turkey
Nome: Barış
:ok:


Top
profilo
 Oggetto del messaggio: Re: Lygaeidae 2 da ID
MessaggioInviato: 01/03/2016, 22:43 
Avatar utente

Iscritto il: 01/11/2009, 9:51
Messaggi: 2330
Nome: Andrea Rattu
Thank you very much Baris :hp: :birra: :hp:

_________________
Se gettassi su di un piatto della bilancia tutto ciò che ho imparato a comprendere in quelle ore di meditazione di fronte all'acquario, e sull'altro tutto ciò che ho ricavato dai libri, come rimarrebbe leggero il secondo!
Konrad Lorenz


Top
profilo
Visualizza ultimi messaggi:  Ordina per  
nuovo argomento
rispondi
Pagina 1 di 1 [ 4 messaggi ]

Tutti gli orari sono UTC + 1 ora [ ora legale ]


Chi c’è in linea

Visitano il forum: Nessuno e 0 ospiti


Non puoi aprire nuovi argomenti
Non puoi rispondere negli argomenti
Non puoi modificare i tuoi messaggi
Non puoi cancellare i tuoi messaggi
Non puoi inviare allegati

Cerca per:
Vai a: