Benvenuto Ospite

Forum Entomologi Italiani

www.entomologiitaliani.net/forum
 
Oggi è 26/03/2026, 12:07

Tutti gli orari sono UTC + 1 ora [ ora legale ]

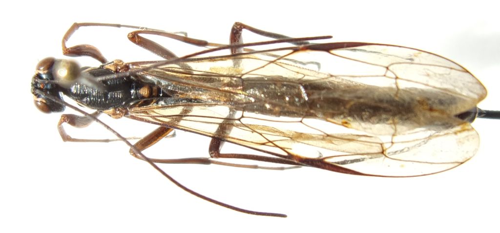
Rhyssa persuasoria (Linnaeus, 1758) - Ichneumonidae Rhyssinae

7.VII.1995 - ITALIA - Lombardia - SO, alta val Malenco, 1700 m ca


nuovo argomento
rispondi
Pagina 1 di 1 [ 4 messaggi ]
Autore Messaggio
MessaggioInviato: 07/04/2018, 11:50 
 

Iscritto il: 08/12/2013, 1:52
Messaggi: 7681
Località: Bagnacavallo (RA)
Nome: Giorgio Pezzi
A gentile richiesta di Eopteryx su FNM :D posto alcune specie da ID o confermare, se possibile. La terza è questa: con terebra è lungo mm 55, il solo corpo mm 22. Mesoscuto striato-solcato, capo con linee gialle interne agli occhi. Grazie. :hi:
Rhyssella later.jpg



rhyssella later crop.jpg

Rhyssella solo corpo.jpg

Rhyssella con tereb.jpg

Top
profilo
 Oggetto del messaggio: Re: Rhyssella sp. da confermare
MessaggioInviato: 08/04/2018, 14:22 
Avatar utente

Iscritto il: 06/02/2009, 9:02
Messaggi: 1429
Località: Verona - Roma - Foggia e sporadicamente Padova
Nome: Filippo Di Giovanni
Perché Rhyssella? Sono tutte scure le Rhyssella. Questa mi pare una Rhyssa persuasoria

Filippo :hi:

_________________
"Non posso separare il piacere estetico che provo nel vedere una farfalla dal piacere scientifico di sapere che cosa è" (V.Nabokov)


Top
profilo
 Oggetto del messaggio: Re: Rhyssella sp. da confermare
MessaggioInviato: 09/04/2018, 1:31 
Avatar utente

Iscritto il: 22/11/2010, 18:16
Messaggi: 1130
Località: Donzy (Bourgogne : Dipart. Nièvre) - Francia
Nome: Jean-Pierre Balmer
Eopteryx ha scritto:
Perché Rhyssella? Sono tutte scure le Rhyssella. Questa mi pare una Rhyssa persuasoria

Filippo :hi:
Saluti,
I am agreement with you,
because for Rhyssella , the Areolet is smaller with a long Petiole
Ciao.
D & JP Balmer


Top
profilo
 Oggetto del messaggio: Re: Rhyssella sp. da confermare
MessaggioInviato: 09/04/2018, 19:01 
 

Iscritto il: 08/12/2013, 1:52
Messaggi: 7681
Località: Bagnacavallo (RA)
Nome: Giorgio Pezzi
Eopteryx ha scritto:
Perché Rhyssella? Sono tutte scure le Rhyssella. Questa mi pare una Rhyssa persuasoria

Filippo :hi:

Perchè io non le conosco e qualcuno me lo aveva prospettato, ma dubitativamente! Dovrò postare un nuovo e più grande esemplare con colorazione diversa e che pensavo di accreditare a R. persuasoria.
Grazie a te e anche a D & JP Balmer!
Giorgio. :hi:


Top
profilo
Visualizza ultimi messaggi:  Ordina per  
nuovo argomento
rispondi
Pagina 1 di 1 [ 4 messaggi ]

Tutti gli orari sono UTC + 1 ora [ ora legale ]


Chi c’è in linea

Visitano il forum: Nessuno e 0 ospiti


Non puoi aprire nuovi argomenti
Non puoi rispondere negli argomenti
Non puoi modificare i tuoi messaggi
Non puoi cancellare i tuoi messaggi
Non puoi inviare allegati

Cerca per:
Vai a: