|
Tutti gli orari sono UTC + 1 ora [ ora legale ] |

|
| Autore | Messaggio | ||
|---|---|---|---|
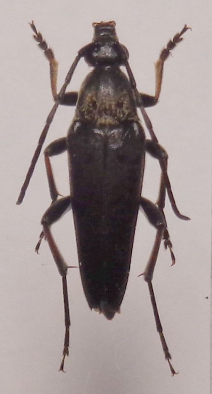
| Chalybion |
|
||
|
Iscritto il: 08/12/2013, 1:52 Messaggi: 7726 Località: Bagnacavallo (RA) Nome: Giorgio Pezzi |
|
||
| Top |
|
||
| Chalybion |
|
||
|
Iscritto il: 08/12/2013, 1:52 Messaggi: 7726 Località: Bagnacavallo (RA) Nome: Giorgio Pezzi |
|
||
| Top |
|
||
| wgliinsetti |
|
||
|
Iscritto il: 05/05/2016, 11:22 Messaggi: 3008 Località: Santa Maria delle mole, Marino, Rm Nome: Roberto Vanzini |
|
||
| Top |
|
||
| Chalybion |
|
||
|
Iscritto il: 08/12/2013, 1:52 Messaggi: 7726 Località: Bagnacavallo (RA) Nome: Giorgio Pezzi |
|
||
| Top |
|
||
|
Tutti gli orari sono UTC + 1 ora [ ora legale ] |
Chi c’è in linea |
Visitano il forum: Bing [Bot] e 5 ospiti |
Non puoi aprire nuovi argomenti Non puoi rispondere negli argomenti Non puoi modificare i tuoi messaggi Non puoi cancellare i tuoi messaggi Non puoi inviare allegati |