Benvenuto Ospite

Forum Entomologi Italiani

www.entomologiitaliani.net/forum
 
Oggi è 30/10/2025, 22:40

Tutti gli orari sono UTC + 1 ora [ ora legale ]

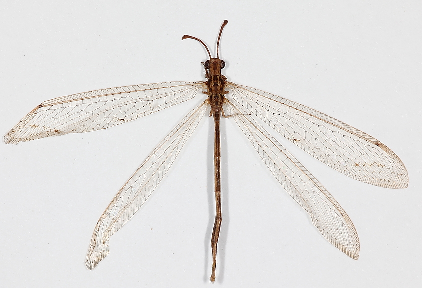
Neuroleon arenarius (Navás, 1904) - Myrmeleontidae - Toscana



nuovo argomento
rispondi
Pagina 1 di 1 [ 2 messaggi ]
Autore Messaggio
MessaggioInviato: 30/08/2010, 23:58 
Avatar utente

Iscritto il: 18/06/2010, 0:03
Messaggi: 1214
Località: Predore ( BG)
Nome: Claudio Deiaco
Materiale provveniente da trappola dolce:
Bordo bosco di Quercius, Ostiria, Ulmus, Maremma toscana: permanenza trappola 09 - 16 Agosto.
IMG_00002.JPG


_________________
Claudio Deiaco
_____________________________________


Top
profilo
 Oggetto del messaggio: Re: Formicaleone trappola Toscana
MessaggioInviato: 31/08/2010, 0:04 
Avatar utente

Iscritto il: 06/02/2009, 9:07
Messaggi: 1706
Località: W-Mediterraneo
Nome: Davide Badano
Neuroleon arenarius (Navás, 1904)

:hi:


Top
profilo
Visualizza ultimi messaggi:  Ordina per  
nuovo argomento
rispondi
Pagina 1 di 1 [ 2 messaggi ]

Tutti gli orari sono UTC + 1 ora [ ora legale ]


Chi c’è in linea

Visitano il forum: Nessuno e 2 ospiti


Non puoi aprire nuovi argomenti
Non puoi rispondere negli argomenti
Non puoi modificare i tuoi messaggi
Non puoi cancellare i tuoi messaggi
Non puoi inviare allegati

Cerca per:
Vai a: