Benvenuto Ospite

Forum Entomologi Italiani

www.entomologiitaliani.net/forum
 
Oggi è 09/10/2025, 8:23

Tutti gli orari sono UTC + 1 ora [ ora legale ]

Peyerimhoffina gracilis (Schneider, 1851) - Chrysopidae - Emilia-Romagna



nuovo argomento
rispondi
Pagina 1 di 1 [ 4 messaggi ]
Autore Messaggio
MessaggioInviato: 12/10/2010, 14:44 
Avatar utente

Iscritto il: 05/09/2009, 7:56
Messaggi: 3445
Località: Cesena
Nome: Gianfranco Sama
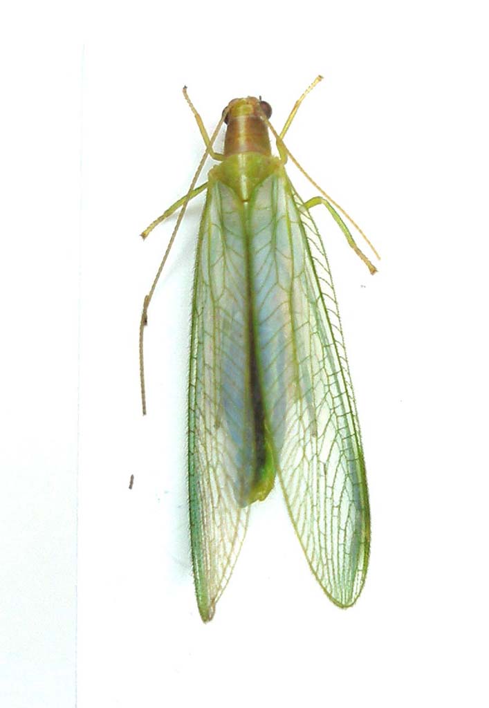
Foresta di Campigna, Parco Naturale di Campigna e delle Foreste Umbro-Casentinesi – 10 Ottobre 2010 (10.10.10 !!) foresta di Abies alba.

Roberto non me ne volere per la preparazione. Oltre tutto, le antenne si erano attaccate e gli articoli terminali di quella destra si sono attaccati a quella sinistra (dove li ho lasciati). D'altra parte è un ambiente in cui hai raccolto molto quando eri (eravamo) giovane (i) :roll: e dovresti non avere problemi :?:
Crisopa_Campigna_007.jpg


_________________
Gianfranco Sama

"Benedetto colui che ti aiuta a correggere i tuoi errori invece di scagliarteli contro"
___________________________________
Gershom Sholem


Top
profilo
 Oggetto del messaggio: Re: Crisopa da determinare (??)
MessaggioInviato: 12/10/2010, 14:58 
Avatar utente

Iscritto il: 06/02/2009, 9:07
Messaggi: 1706
Località: W-Mediterraneo
Nome: Davide Badano
:p

Peyerimhoffina gracilis (Schneider, 1851). Specie tipica dell'abete bianco, a volo tardivo.
Notare la somiglianza con un ago di conifera!

:hi:


Top
profilo
 Oggetto del messaggio: Re: Crisopa da determinare (??)
MessaggioInviato: 12/10/2010, 15:42 
Avatar utente

Iscritto il: 02/02/2009, 23:32
Messaggi: 5645
Località: da Ferrara ad Alghero
Nome: Roberto A. Pantaleoni
Come vedi Gianfranco vi sono giovani (adesso) in grado di riconoscere ciò che raccoglievano i giovani (allora) 25 anni fa :D .

Confermo :ok: .

Roberto :to:

_________________
verum stabile cetera fumus


Top
profilo
MessaggioInviato: 13/10/2010, 18:22 
Avatar utente

Iscritto il: 05/09/2009, 7:56
Messaggi: 3445
Località: Cesena
Nome: Gianfranco Sama
Grazie ad entrambi :lov2:
Bei tempi quelli !

_________________
Gianfranco Sama

"Benedetto colui che ti aiuta a correggere i tuoi errori invece di scagliarteli contro"
___________________________________
Gershom Sholem


Top
profilo
Visualizza ultimi messaggi:  Ordina per  
nuovo argomento
rispondi
Pagina 1 di 1 [ 4 messaggi ]

Tutti gli orari sono UTC + 1 ora [ ora legale ]


Chi c’è in linea

Visitano il forum: Nessuno e 1 ospite


Non puoi aprire nuovi argomenti
Non puoi rispondere negli argomenti
Non puoi modificare i tuoi messaggi
Non puoi cancellare i tuoi messaggi
Non puoi inviare allegati

Cerca per:
Vai a: