Benvenuto Ospite

Forum Entomologi Italiani

www.entomologiitaliani.net/forum
 
Oggi è 10/11/2025, 10:05

Tutti gli orari sono UTC + 1 ora [ ora legale ]

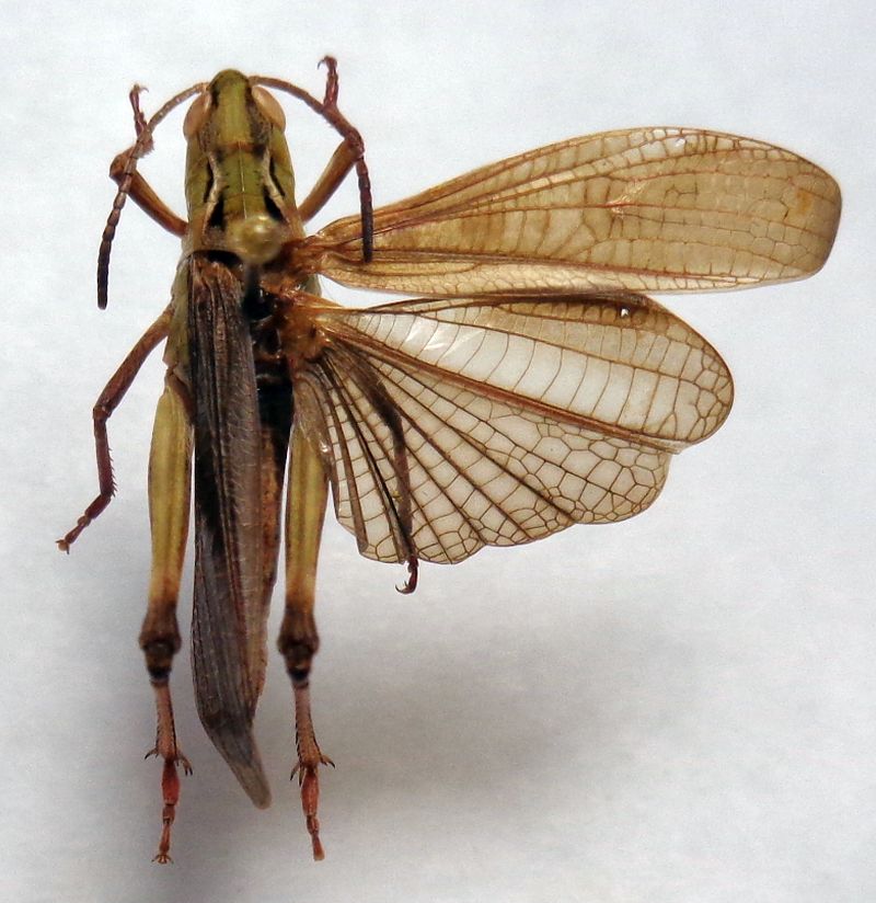
Stenobothrus rubicundulus Kruseman & Jeekel, 1967 - Acrididae

9.VII.2016 - ITALIA - Piemonte - TO, val Susa, strada per Desertes, m 1250


nuovo argomento
rispondi
Pagina 1 di 1 [ 2 messaggi ]
Autore Messaggio
MessaggioInviato: 31/08/2022, 22:36 
 

Iscritto il: 08/12/2013, 1:52
Messaggi: 7534
Località: Bagnacavallo (RA)
Nome: Giorgio Pezzi
mm 20,5; l'avevo identificato con il rubicundulus ma rispetto a questo viewtopic.php?f=11&t=100287 trovo che differenze ve ne siano, antenne in particolare.
:hi:
Acri.JPG



Acri ant.JPG

Acri ala.JPG

Acri lat.JPG



Ultima modifica di Chalybion il 31/08/2022, 22:52, modificato 2 volte in totale.
Top
profilo
 Oggetto del messaggio: Re: Stenobothrus da ID
MessaggioInviato: 31/08/2022, 22:41 
Avatar utente

Iscritto il: 19/06/2012, 14:35
Messaggi: 5637
Località: Alfonsine (RA)
Nome: Marco Villani
Sì, è un rubicundulus. La specie è molto variabile, specie se si confrontano esemplari delle Alpi occidentali con quelli del nord-est ;)
:hi:


Top
profilo
Visualizza ultimi messaggi:  Ordina per  
nuovo argomento
rispondi
Pagina 1 di 1 [ 2 messaggi ]

Tutti gli orari sono UTC + 1 ora [ ora legale ]


Chi c’è in linea

Visitano il forum: Nessuno e 2 ospiti


Non puoi aprire nuovi argomenti
Non puoi rispondere negli argomenti
Non puoi modificare i tuoi messaggi
Non puoi cancellare i tuoi messaggi
Non puoi inviare allegati

Cerca per:
Vai a: